Berliener Vorbau zur Sicherung der Baugrube

4,30 Stern(e) 4 Votes
B

Bayernbors

Hallo zusammen,

Bei unserem Bauprojekt gibt es mehrere Probleme mit der Baugrube. GU sagt, das geplante Haus ist groß (2 DHHs, je 11*7) und das Grundstück ist klein (~450 m2), was einige technische Schwierigkeiten mit sich bringt.

Die Arbeiten an der Baugrube begannen mit dem Abriss des alten Hauses, da es bereits einen Keller hatte.

Das Schlimme daran ist, dass wir all diese Probleme erst nach und nach entdecken und nicht wie bei der ursprünglichen Planung erwartet:

1) Zunächst stellte sich heraus, dass die Baugrubenränder schwach sind und wir eine Stütze für den Kran benötigen, weshalb ein Kranfundament gebaut wurde.
2- Zweitens wurde festgestellt, dass das Grundstück für den Kran noch zu klein ist, und es wurde eine Genehmigung benötigt, um den Kran (teilweise) auf dem Fußgängerweg aufzustellen.

Die ersten beiden Schritte waren Ende Juni abgeschlossen, und dann wurden die Arbeiten komplett eingestellt (mit Ausnahme der Aufstellung des Krans).

Ende August meldeten sich meine neuen Nachbarn bei mir und waren besorgt, weil sie sehen, dass die Seiten der Grube immer mehr abrutschen, so dass die Grube in Richtung ihres Grundstücks ansteigt und die Stabilität des Hangs nicht mehr gewährleistet ist.

Zu diesem Zeitpunkt sagt die GU, dass sie dieses Problem bereits mit den verschiedenen Ämtern besprochen hat. Sie schlugen vor, das Gefälle der Grube zu erhöhen, aber dieser Vorschlag wurde abgelehnt, da dies den Fußgängerweg beeinträchtigen würde.

Die einzige verbleibende Lösung war dann, eine Bürgschaft zu machen, um die Haltbarkeit des Gehwegs zu erhalten.

Nach einer zusätzlichen Baugrunduntersuchung wurde festgestellt, dass die Spundwand auf allen Seiten erforderlich ist und nicht nur auf dem Gehweg.

Meine Fragen sind:
Macht das alles Sinn?
Macht es Sinn, diese Probleme so spät herauszufinden? Braucht es wirklich ~3 Monate, um zu diesem Ergebnis zu kommen? Sollte ich die GU für diese Verzögerungen zur Rechenschaft ziehen?
Hinweis: Ende Juni habe ich mit dem GU vereinbart, dass das Haus bis Ende Februar 24 fertig sein sollte, da in unserem Vertrag steht: "Der Auftragnehmer verpflichtet sich, das Vertragsobjekt innerhalb von 8 Monaten ab Baugrubenaushub bezugsfertig zu erstellen, soweit es die Witterung zulässt."


Zuletzt, mit wie viel Zeit muss ich rechnen, um diesen Berliener Verbau fertigzustellen und endlich mit dem Bau zu beginnen?
Ich habe online gelesen, dass die Kosten mehrere zehntausend betragen könnten, ist das realistisch?

Vielen Dank
Mit freundlichen Grüßen
Baugrube auf einer Baustelle hinter Bauzaun, Erd- und Kiesboden, Gebäude im Hintergrund

Baustelle vor Wohnhaus: grüne Baumaschine, offene Grabung, zwei runde Betondeckel, Gartenzaun.

Große Pfahlbohrmaschine auf einer Baustelle hinter einem Metallzaun, Betonblöcke gestapelt.
 
C

Cronos86

Moin,

generell sollten ja schon im ursprünglichen Bodengutachten (das natürlich vor Beginn der Arbeiten gemacht wurde) die Bodenverhältnisse beschrieben worden sein!
Hier liegt ein Lehmboden (Löss? mit vielleicht höherem Sandanteil? kann ich anhand der Bilder leider nicht erkennen) vor. Bei steifer Konsistenz ist der mit max. 60° zu böschen. Wenn mehr Sand drin ist nur mit 45°( auf den Bilder geht das aber eher Richtung 60°).
Da müssten bei dem Planer dann natürlich sofort alle Alarmglocken klingeln wenn der die Baugrube plant (Grundfläche+Arbeitsraum+Böschung). Wenn das dann in den Gehweg schneidet ist ja offensichtlich, dass mit einem Verbau gearbeitet werden muss. Ich würde hier auch eher einen Berliner Verbau vorziehen. Eine Notwendigkeit den Verbau umlaufend zu machen sehe ich anhand der Bilder nicht (lad doch mal einen Lageplan mit Keller, Bzw. Baugrube hoch) ein Schichtenverzeichnis aus dem Bodengutachten schadet auch nicht).
Dann sind solche Böden unverzüglich nach dem Freilegen abzuplanen um den Wasserzutritt zu unterbinden und zu verhindern, dass die Böschung nachbricht.

Die Abstände zu den Nachbarn sehen eigentlich noch ganz gut aus.
Bei Nachbar Bebauungen gilt generell:
-niemals die Fundamente (vollflächig) freilegen!
-die Lastausbreitung der Nachbarfundamente darf nicht in deine Böschung schneiden. (Unterkante Fundament mit einer Lastausbreitung von 45°). Außer du hast einen Verbau!

Gruß
 
H

hanghaus2023

Bild 1 Die Böschung untern auf 90 Grad zu ändern ist fatal.

Das 2. Bild sieht schon recht grenzwertig aus. Die Böschung geht bis ans Nachbarhaus. Die Baugrube so dauerhaft stehen zu lassen ist grob fahrlässig.

Bild 3 sagt einem nix.

Aussagefähige Bilder und Pläne sind recht hilfreich.
 
11ant

11ant

ich und ein Freund planen ein neues Doppelhaus anstelle eines alten Einfamilienhaus. Wir haben die Planung bereits abgeschlossen und die Baugenehmigung erhalten.
Da https://www.hausbau-forum.de/threads/die-alte-garage-renovieren-oder-eine-neue-garage-bauen.45329/ wäre zumindest ´mal ein Lageplanausschnitt zu sehen, und weitere Umgebungsbilder gibt es hier: https://www.hausbau-forum.de/threads/teilweise-beschaedigung-des-alten-hauszauns.45331/

Schade, daß manche TE mit den beratungsnotwendigen Einblicken geizen und erst wieder angekleckert kommen, wenn das Tretboot schon in Seenot geraten ist. Hier wäre durchaus genügend Kompetenz versammelt, um sprechenden Menschen früh genug helfen zu können.
 
H

hanghaus2023

Ich antworte mal in Deinem Text.


Hallo zusammen,

Bei unserem Bauprojekt gibt es mehrere Probleme mit der Baugrube.

Das sehe ich auch so.

GU sagt, das geplante Haus ist groß (2 DHHs, je 11*7) Das sind dann 11*14 m

das ist eher normal nicht gross. Mein Einfamilienhaus hat 10 * 15 m


und das Grundstück ist klein (~450 m2), was einige technische Schwierigkeiten mit sich bringt.

Das ist nichts Besonderes. Zeig uns doch mal einen Plan der Baugrube im Grundstück.

Das Schlimme daran ist, dass wir all diese Probleme erst nach und nach entdecken und nicht wie bei der ursprünglichen Planung erwartet:

Das ist wirklich schlimm. Was sagt denn Eure Bauleitung dazu?

1) Zunächst stellte sich heraus, dass die Baugrubenränder schwach sind und wir eine Stütze für den Kran benötigen, weshalb ein Kranfundament gebaut wurde.

Das stellt der Unternehmer erst fest wenn der Keller weg ist?

2- Zweitens wurde festgestellt, dass das Grundstück für den Kran noch zu klein ist, und es wurde eine Genehmigung benötigt, um den Kran (teilweise) auf dem Fußgängerweg aufzustellen.

dito. das ist die Folge von Planlosigkeit.

Die ersten beiden Schritte waren Ende Juni abgeschlossen, und dann wurden die Arbeiten komplett eingestellt (mit Ausnahme der Aufstellung des Krans).

Eine Baugrube länger offen stehen zu lassen ist kontraproduktiv.

Ende August meldeten sich meine neuen Nachbarn bei mir und waren besorgt, weil sie sehen, dass die Seiten der Grube immer mehr abrutschen, so dass die Grube in Richtung ihres Grundstücks ansteigt und die Stabilität des Hangs nicht mehr gewährleistet ist.

So lange hätte ich als Nachbar nicht gewartet. Als Bauherr erst recht nicht.

Zu diesem Zeitpunkt sagt die GU, dass sie dieses Problem bereits mit den verschiedenen Ämtern besprochen hat. Sie schlugen vor, das Gefälle der Grube zu erhöhen, aber dieser Vorschlag wurde abgelehnt, da dies den Fußgängerweg beeinträchtigen würde.

Das klingt logisch.

Die einzige verbleibende Lösung war dann, eine Bürgschaft zu machen, um die Haltbarkeit des Gehwegs zu erhalten.

Das ist Unsinn. Die Bürgschaft überträgt Dir (Deinem Unternehmer) lediglich die Risiken.

Nach einer zusätzlichen Baugrunduntersuchung wurde festgestellt, dass die Spundwand auf allen Seiten erforderlich ist und nicht nur auf dem Gehweg.

Das kann durchaus sein. Was denn nun Bertliner Verbau oder Spundwand?

Meine Fragen sind:
Macht das alles Sinn?

Das kann man mit so wenig Informationen nicht beurteilen.

Macht es Sinn, diese Probleme so spät herauszufinden? Braucht es wirklich ~3 Monate, um zu diesem Ergebnis zu kommen? Sollte ich die GU für diese Verzögerungen zur Rechenschaft ziehen?

Der Baugrund gehört dem Bauherrn. Wer die Fehlplanung zu verantworten hat kann mit den hier zur Verfügung gestellten Angaben nicht beurteilt werden.

Hinweis: Ende Juni habe ich mit dem GU vereinbart, dass das Haus bis Ende Februar 24 fertig sein sollte, da in unserem Vertrag steht: "Der Auftragnehmer verpflichtet sich, das Vertragsobjekt innerhalb von 8 Monaten ab Baugrubenaushub bezugsfertig zu erstellen, soweit es die Witterung zulässt."

Die Bauzeit ist mMn nicht mehr einzuhalten. Ob der Unternehmer dafür verantwortlich ist, sagt Dir ein Fachanwalt.


Zuletzt, mit wie viel Zeit muss ich rechnen, um diesen Berliener Verbau fertigzustellen und endlich mit dem Bau zu beginnen?

Das kann man schwer sagen. Erstmal mus das ganze geplant werden und vom Statiker abgesegnet werden.

Ich habe online gelesen, dass die Kosten mehrere zehntausend betragen könnten, ist das realistisch?

Das wird Dir der Unternehmer sagen. Spundwand ist mMn teurer als Berliner Verbau. Grundlage ist hier eine fundierte Planung.

20-50k sind schon möglich.


Vielen Dank

Bitte.
Mit freundlichen Grüßen
Hoffentlich geht es hier in Zukunft etwas besser geplant weiter.
 
B

Bayernbors

Vielen Dank für das Feedback. Ich war auf einer Auslandsreise. Die Fotos, die ich geschickt habe, waren ein bisschen alt, also habe ich jetzt neue gemacht. Der GU hat bisher eine Seite der Baugrube abgedeckt, ich bin nicht sicher, ob das wirklich nützlich ist.

Ich hänge hier die neuen Fotos und Teile des Berichts an, da ich hier keine PDF-Datei anhängen kann.



Die Abstände zu den Nachbarn sehen eigentlich noch ganz gut aus.
Gilt das auch für die 2 Nachbarn? Wenn ich nochmal nachschaue, scheint die Baugrube das Fundament des Nachbarn im Osten freigelegt zu haben (scheint keinen Keller zu haben).
Der nördliche Nachbar war der besorgte, und ich denke, das liegt daran, dass er eine Garage an der Grenze hat.

Das ist wirklich schlimm. Was sagt denn Eure Bauleitung dazu?
Sie sagt nur, dass das Grundstück sehr schwierig ist und so etwas wie: "Wer hätte all diese Probleme von Anfang an wissen können"!


Das stellt der Unternehmer erst fest wenn der Keller weg ist?
Ja, nur als sie versuchten, den Kran aufzustellen.


Das ist Unsinn. Die Bürgschaft überträgt Dir (Deinem Unternehmer) lediglich die Risiken.
Das ist nicht ganz klar. Was hätte aus Ihrer Sicht in diesem Fall getan werden müssen?
Die Gemeinde hat auch die Straßen ( voll oder teilweise) gesperrt, weil die Stabilität der Straße nicht mehr gewährleistet ist (das ist zumindest ihr Standpunkt).




Baugrube mit schwarzer Abdichtfolie, Kies und Erde; Gebäude im Hintergrund




Baustelle mit Erdhügel, Kran und Betonblöcken, Hochhaus im Hintergrund.




Rostige Baumaschine mit Hebearm im Vordergrund, Baugrube mit schwarzer Folie dahinter, Garten hinter Zaun.




Große Baugrube im Wohngebiet, davor Kies- und Geröllhaufen, angrenzende Wohnhäuser.




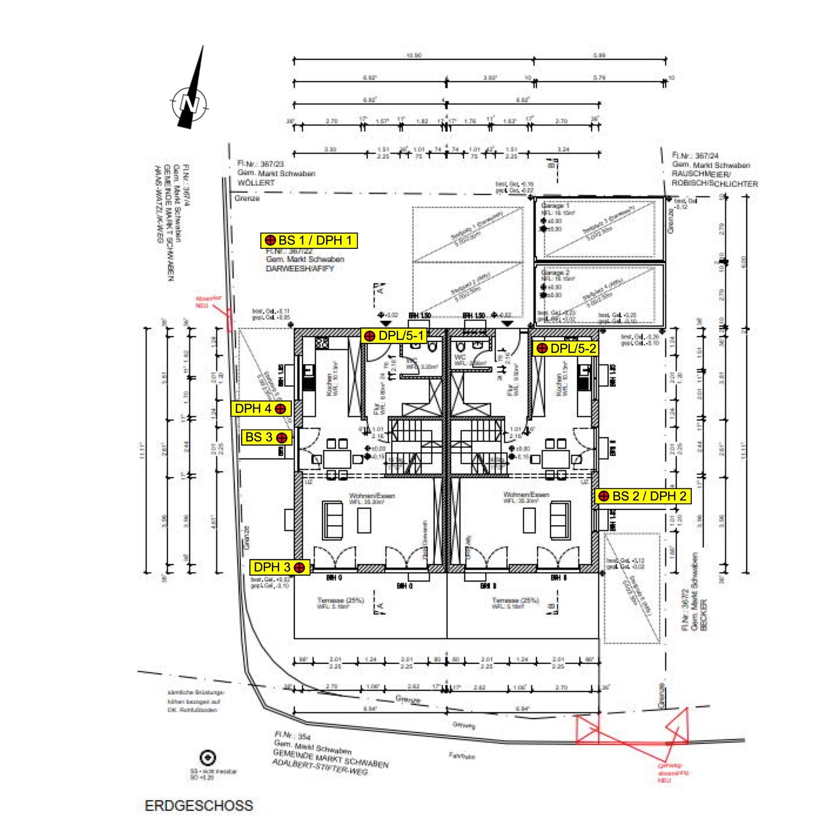
Lageplan des Grundstücks: rot schraffierter Gebäudeteil innerhalb des Randbereichs mit Maßlinien.









Anhang anzeigen erdgeschoss-grundriss-duplex-hausbau-plan-detailiert.jpg


Anhang anzeigen bodenprofil-din-4023-sand-kies-schichten-untergrund-analyse.jpeg



Anhang anzeigen bodenprofil-din-4023-grundbau-fundament-kiesig-sandig-schluffig.jpg
Anhang anzeigen bodenprofil-din-4023-sand-kies-schichten.jpg
 
Zuletzt aktualisiert 12.12.2025
Im Forum Bauplanung gibt es 5073 Themen mit insgesamt 100817 Beiträgen


Ähnliche Themen zu Berliener Vorbau zur Sicherung der Baugrube
Nr.ErgebnisBeiträge
1Kran vom Nachbarn auf meinem Grundstück - Seite 367
2Bodengutachten auch wenn ich keinen Keller baue? 13
3Budget Grundstück und bauen mit Keller 21
4200m2 Einfamilienhaus für 4-5 Personen ohne Keller auf schmalem Grundstück 67
5Grundrissoptimierung Einfamilienhaus mit Keller auf kleinem Grundstück - Seite 3178
6Vorvertrag Grundstück wegen Bodengutachten 17
7Keller oder Grundstück begradigen? 43
8Einfamilienhaus bauen mit/ohne Keller bei kleinem Grundstück - Seite 765
9Einfamilienhaus 160m2 mit Keller, 500m2 Grundstück 108
10Einfamilienhaus 220qm mit Keller auf 700qm Grundstück 41
11Straße ca. 50cm über Grundstück - Auffüllen oder Keller 24
12Teures Grundstück + Einfamilienhaus 155 qm + Keller KFW40+, finanzierbar? - Seite 260
13Bebauung Grundstück - Keller ja oder nein? 75
14Grundriss-Entwurf: Einfamilienhaus mit Keller; 560qm Grundstück - Seite 365
15Grundriss-Entwurf: Einfamilienhaus; mit Keller; 800qm Grundstück 10
16Bodenaustausch bis 1,20m Tiefe - aufschütten oder Keller? 11
17Welcher Platzbedarf für Erdarbeiten bei Bau mit Keller? 10
18Platzierung Stellplätze / Carport auf dem Grundstück - Seite 542
19Grundstück vorbereiten für Bodenplatte bei leichter Hanglage 15
20Positionierung Kran: Straße/Nachbar/Bahnmast 29

Oben