Positionierung Einfamilienhaus in zweiter Reihe auf Bauernhof

4,60 Stern(e) 5 Votes
Zuletzt aktualisiert 08.10.2025
Sie befinden sich auf der Seite 3 der Diskussion zum Thema: Positionierung Einfamilienhaus in zweiter Reihe auf Bauernhof
>> Zum 1. Beitrag <<

M

majo5254

Hallo zusammen,

nachdem nun einige Zeit vergangen ist, möchte ich mich gerne noch einmal melden und den aktuellen Status der Planung teilen.
Gerne höre ich dazu euer Feedback, hat das letzte Mal schon geholfen, einige Gedankengänge anzustoßen.

Hinsichtlich der Zufahrt gestaltet es sich schwierig, da eine Genehmigung zur Zufahrt über die Kreisstraße nicht oder nur schwierig zu erhalten ist, hier hat unser Bauplaner schon einmal vorgefühlt. Aus diesem Grund werden wir die Zufahrt am westlichen Ende des Grundstücks planen, s. Skizze.

In dem Falle könnten wir dann eine bestehende Scheune als Stellplätze für die Autos verwenden.

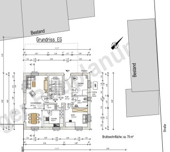
Gleichzeitig haben wir uns mit unserem Bauplaner Gedanken zum Grundriss gemacht den ich ebenfalls gerne teile. Gibt es hier von eurer Seite Gedanken dazu bzw. Punkte zur Verbesserung?

Wir haben aktuell vor noch folgende Punkte anzusprechen:
- Grundsätzlich prüfen an welchen Stellen größere Fenster sinnvoll sind (wo möglich Standardmaße)
- Schiebetür an Vorratskammer
- Luft-Wasser-Wärmepumpe Positionierung eher auf Türseite, da sonst mitten auf Hoffläche
- Prüfen, ob wir ggf. Garderobe näher an Haustür geplant bekommen.
- zwischen Elternschlafzimmer u. Kinderzimmer schallgedämmte Wände

Anbei noch die zusätzlichen Angaben, die nur auszugsweise im Ursprungspost enthalten waren.

Anforderungen der Bauherren
  • Stilrichtung, Dachform, Gebäudetyp: Keine besonderen Stilanforderungen, Satteldach mit niedriger Neigung.
  • Keller, Geschosse: Kein Keller, 2 Vollgeschosse
  • Anzahl der Personen: Zwei Personen jew. ca. 30 Jahre, 2 Kinder geplant.
  • Raumbedarf im EG, OG: EG: Wohn-Ess-Küche, Vorratsraum, Abstellraum, Gäste-Bad, Büro/Gästezimmer OG: 2x Kinderzimmer, Bad, Ankleide, Schlafzimmer
  • Büro: Familiennutzung oder Homeoffice?: Beide Personen sind überwiegend im Home-Office. Als Bürofläche für Homeoffice sollen Büro/Gästezimmer im EG sowie für ca. 10 Jahre eines der Kinderzimmer als weiteres Büro. So lange können zwei Kinder in einem Zimmer sein. Danach existiert in einem Nebengebäude noch eine Bürofläche, die bis dahin saniert werden muss.
  • Schlafgäste pro Jahr: Ungewiss, einige Male pro Jahr.
  • offene oder geschlossene Architektur: Offener Wohn-Ess-Küchen-Bereich, jedoch Abtrennung zur Treppe/Obergeschoss wg. Schallschutz
  • konservativ oder moderne Bauweise: eher modern
  • offene Küche, Kochinsel: Viel Arbeitsfläche + Kücheninsel
  • Anzahl Essplätze: mind. 4, bis zu 8
  • Kamin: Nein, nachträglich ggf. Wasserdampf Kamin als Deko
  • Musik/Stereowand: Keine gesonderten Anforderungen
  • Balkon, Dachterrasse: Nein
  • Garage, Carport: Abstellort in Scheune
  • Nutzgarten, Treibhaus: Ja, Teil des Gartens soll als Nutzgarten verwendet werden
    weitere Wünsche/Besonderheiten/Tagesablauf, gern auch Begründungen, warum dieses oder das nicht sein soll

Hausentwurf
  • Von wem stammt die Planung: Bauplaner
  • Was gefällt besonders? Warum? Alle Raumanforderungen sind untergebracht
  • Was gefällt nicht? Warum? a) Garderobe zu weit vom Eingang weg b) Kinderzimmer (nach 10 Jahre Büro) direkt an Elternzimmer
  • Preisschätzung laut Architekt/Planer: ca. 3000€ je qm, genaue Kostenschätzung noch ausstehend
  • Persönliches Preislimit fürs Haus, inkl. Ausstattung: Kein speziell definiertes Limit, so kosteneffizient wie möglich, lieber weniger Luxus, dafür ein paar qm mehr Wohnfläche.
  • favorisierte Heiztechnik: Monoblock Luft-Wasser-Wärmepumpe
Wenn Ihr verzichten müsst, auf welche Details/Ausbauten
  • könnt Ihr verzichten: zur Not auf Vorratsraum, Hebeschiebetür
  • könnt Ihr nicht verzichten: Anzahl der Räume, Arbeitsfläche in der Küche

    Warum ist der Entwurf so geworden, wie er jetzt ist?
  • ZB Standardentwurf vom Planer?
    1. Basis war Fertighaus Grundriss
  • 2. Anpassung des Entwurfs durch Fertighaus-Mitarbeiter
  • 3. Anpassung des Entwurfs von Bauplaner auf Massivhaus-Bauweise
  • 4. Anpassung des Entwurfs von Bauplaner auf unsere Wünsche sowie Beschränkungen des Grundstücks
  • Entsprechende/Welche Wünsche wurden vom Architekten umgesetzt? Hellerer Flur, größeres Büro/Gästezimmer, Podesttreppe, Garderobe
Grundriss EG: Wohn-/Esszimmer, Küche, Büro, Flur; Brutto ~79 m², Bestandsgebäude ringsum.

Grundriss OG eines Hauses: Schlafzimmer, zwei Kinderzimmer, Bad, Flur; ca. 77 m².

Grundriss eines Geländes mit elektrischen Toren, Autostellplätzen, Terrasse und Grünflächen.
 
Zuletzt aktualisiert 08.10.2025
Im Forum Grundrissplanung / Grundstücksplanung gibt es 2511 Themen mit insgesamt 87191 Beiträgen


Ähnliche Themen zu Positionierung Einfamilienhaus in zweiter Reihe auf Bauernhof
Nr.ErgebnisBeiträge
1Grundriss Einfamilienhaus ohne Keller, 3 Kinderzimmer und Büro 18
2Grundriss Einfamilienhaus 155m², ohne Keller, 3 Kinderzimmer, 1 Büro 38
3Grundriss Doppelhaushälfte mit Gästezimmer 53
4Grundriss Einfamilienhaus Hanglage mit Keller 19
5Fußbodenheizung in Kinderzimmer? Einige Räume ohne Fußbodenheizung geplant? Luft-Wasser-Wärmepumpe raus? 48
6Grundriss für Einfamilienhaus 210 m² + Keller - Eure Meinungen 16
7Grundriss 165 m² mit Keller eure Meinung - Seite 352
8Grundriss-Umbau Teil einer Scheune zu Einfamilienhaus mit Option zu Zweifamilienhaus 33
9Grundriss Einfamilienhaus ca. 200qm mit Keller - Hinterbebauung 20
10Grundriss Einfamilienhaus 190m2 mit Keller Feedback? 41
11Besonderer Grundriss oder langweilig mit Keller? - Seite 320
12Grundriss Einfamilienhaus in Hanglage mit Keller - Seite 651
13Einfamilienhaus ohne Keller - Diskussion Grundriss 19
14Kritik an Einfamilienhaus-Grundriss erwünscht (~175m2/0,9m Kniestock/Keller) 16
15Unser anvisierter Grundriss - bitte um Einschätzungen 67
16Grundrissentwurf Einfamilienhaus mit Keller und Doppelgarage auf 540qm - Seite 226
17Grundrissoptimierung Stadtvilla ca. 180qm mit Keller in Berlin 40
18Finanzierung Bauvorhaben Einfamilienhaus 140qm + Keller (Bayern) - Seite 234
19Grundriss Stadtvilla 180m², Keller, 3 Kinder - Eure Meinungen dazu? - Seite 851
20Detailplanung Grundriss Einfamilienhaus mit Keller und Einliegerwohnung 28

Oben