ᐅ Wie würdet ihr das Haus auf dem Grundstück ausrichten?
Erstellt am: 21.07.21 20:17
M
MaxiFrett21.07.21 20:17Hallo zusammen,
wir hatten wahnsinniges Glück und tatsächlich ein Grundstück in unserem Wunschort bekommen.
Unten findet ihr ein paar Ausschnitte.
Ich hänge auch den Grundriss des Hauses an. Viel verändern kann man hier nicht mehr, weil es ein fertig konzipiertes Modellhaus ist, aber noch spiegeln.
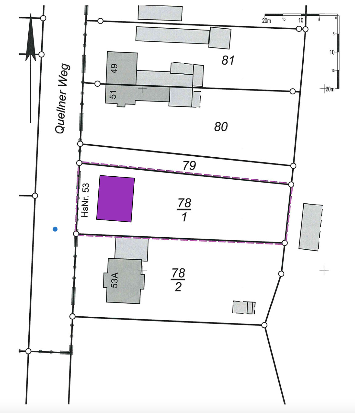
Die Fläche beträgt ungefähr 20x50m nach hinten zulaufend.
Die Maße des Hauses: 12,11x9,24m.
Flurstück 78/1.
Jetzt möchte unser Bauunternehmen die Unterlagen für den Bauantrag zusammenstellen und fragt "Wo soll denn das Haus stehen?"
Vielleicht ganz einfach – "Baust du einfach so, dass es reinpasst"– , aber vielleicht habt ihr ja noch gute Ideen und Anregungen zum Haus, Carport/Garage und Terrasse.
Unsere Überlegungen bisher:
Parallel zur Straße, wie alle anderen Gebäude auch – Allerdings haben wir neben dem Grundstück – im Norden – einen kleinen Weg der Gemeinde, daher evtl. auch um 90° gedreht möglich.
=> Vorteil parallel: Besser für Photovoltaik; kürzere Leitungen?; kürzere Wege zur Tür
Möglichst wenig Vorgarten, also möglichst weit vorne.
=> Vorteil: Mehr Fläche hinten
=> Nachteil: Nicht mehr auf einer Höhe zum Nachbarn, an dessen Garage wir anbauen dürfen; Wir gucken von der Terrasse auf Nachbars Garage
Ich schätze etwa 8m Zufahrt/Vorgarten vom angrenzenden Nachbarn im Süden.
Wenn wir das Haus parallel zur Straße stellen, haben wir ja ein kleines bisschen Spiel nach links und rechts – ca. 1,5m .
Würdet ihr das Haus eher Richtung Norden an die Grenze ausrichten, wo der kleine Feldweg der Gemeinde entlang läuft? Also im Süden ein bisschen mehr Abstand.
Oder nach Süden?
Wo würdet ihr die Terrasse platzieren? Nord/Ost, Osten Richtung Garten oder Süd/Ost?
Und wo die Garage/das Carport – wir tendieren zu Carport? Wir können an die Garage im Süden anbauen. Der Grundriss des Hauses hat den Hauswirtschaftsraum allerdings aktuell im links – dann im Norden. Also dann den Grundriss spiegeln?






wir hatten wahnsinniges Glück und tatsächlich ein Grundstück in unserem Wunschort bekommen.
Unten findet ihr ein paar Ausschnitte.
Ich hänge auch den Grundriss des Hauses an. Viel verändern kann man hier nicht mehr, weil es ein fertig konzipiertes Modellhaus ist, aber noch spiegeln.
Die Fläche beträgt ungefähr 20x50m nach hinten zulaufend.
Die Maße des Hauses: 12,11x9,24m.
Flurstück 78/1.
Jetzt möchte unser Bauunternehmen die Unterlagen für den Bauantrag zusammenstellen und fragt "Wo soll denn das Haus stehen?"
Vielleicht ganz einfach – "Baust du einfach so, dass es reinpasst"– , aber vielleicht habt ihr ja noch gute Ideen und Anregungen zum Haus, Carport/Garage und Terrasse.
Unsere Überlegungen bisher:
Parallel zur Straße, wie alle anderen Gebäude auch – Allerdings haben wir neben dem Grundstück – im Norden – einen kleinen Weg der Gemeinde, daher evtl. auch um 90° gedreht möglich.
=> Vorteil parallel: Besser für Photovoltaik; kürzere Leitungen?; kürzere Wege zur Tür
Möglichst wenig Vorgarten, also möglichst weit vorne.
=> Vorteil: Mehr Fläche hinten
=> Nachteil: Nicht mehr auf einer Höhe zum Nachbarn, an dessen Garage wir anbauen dürfen; Wir gucken von der Terrasse auf Nachbars Garage
Ich schätze etwa 8m Zufahrt/Vorgarten vom angrenzenden Nachbarn im Süden.
Wenn wir das Haus parallel zur Straße stellen, haben wir ja ein kleines bisschen Spiel nach links und rechts – ca. 1,5m .
Würdet ihr das Haus eher Richtung Norden an die Grenze ausrichten, wo der kleine Feldweg der Gemeinde entlang läuft? Also im Süden ein bisschen mehr Abstand.
Oder nach Süden?
Wo würdet ihr die Terrasse platzieren? Nord/Ost, Osten Richtung Garten oder Süd/Ost?
Und wo die Garage/das Carport – wir tendieren zu Carport? Wir können an die Garage im Süden anbauen. Der Grundriss des Hauses hat den Hauswirtschaftsraum allerdings aktuell im links – dann im Norden. Also dann den Grundriss spiegeln?
Man, normalerweise würde ich jetzt ordentlich schimpfen!
Aber ich sehe eine gute Lage des Hauses, wenn die Eingangstür zum Norden geht. Dann habt ihr schönen Gartenausblick im Osten in der Küche, Terrasse im Süd und gern über Eck oder zusätzlich im Westen oder/und Osten.
Hauswirtschaftsraum kann nach außen eine Tür vertragen für den direkten Ausgang. WZ und Büro bekommt Westsonne. Kinderzimmer auch. Sehr schön. Schlafzimmer und Bad hat wieder Morgensonne.
Carport dann als Grenzbebauung im Norden.
So würde ich das machen.
Parallel ist das Haus übrigens in jedem Fall, den Du ansprichst.
Alternative wäre tatsächlich, das Haus schräg zu stellen, mit der Ecke zur Straße.
Zum Grundriss selbst: sieht gut aus. Ich würde das Schlafzimmer über die Ankleide erschließen.
Garderobe fehlt! Wohin kommen die Jacken und Schuhe für 4 Personen?
MaxiFrett schrieb:
Wo soll denn das Haus stehen?"
MaxiFrett schrieb:
Würdet ihr das Haus eher Richtung Norden an die Grenze ausrichten, wo der kleine Feldweg der Gemeinde entlang läuft? Also im Süden ein bisschen mehr Abstand.
Oder nach Süden?
MaxiFrett schrieb:
Wo würdet ihr die Terrasse platzieren? Nord/Ost, Osten Richtung Garten oder Süd/Ost?
MaxiFrett schrieb:
Und wo die Garage/das Carport – wir tendieren zu Carport?
MaxiFrett schrieb:Das, wohin Carport, wohin Terrasse, wohin und wohin, das fragt man sich selbst als Bauherr, bevor es ans planen geht. Bevor der Bleistift in die Hand genommen wird. Und dann, dass man da nichts mehr ändern kann - das könnte richtig ärgerlich werden, wenn man mit dem Grundriss oder Grundstück, was beides nicht zusammen passen mag, dasteht und unzufrieden wird, wenn einem die Augen geöffnet werden.
Der Grundriss des Hauses hat den Hauswirtschaftsraum allerdings aktuell im links – dann im Norden. Also dann den Grundriss spiegeln?
Aber ich sehe eine gute Lage des Hauses, wenn die Eingangstür zum Norden geht. Dann habt ihr schönen Gartenausblick im Osten in der Küche, Terrasse im Süd und gern über Eck oder zusätzlich im Westen oder/und Osten.
Hauswirtschaftsraum kann nach außen eine Tür vertragen für den direkten Ausgang. WZ und Büro bekommt Westsonne. Kinderzimmer auch. Sehr schön. Schlafzimmer und Bad hat wieder Morgensonne.
Carport dann als Grenzbebauung im Norden.
MaxiFrett schrieb:Ihr solltet Euch Vorgarten gönnen: hinten habt ihr mehr als genug, und ein Vorgarten dient als Puffer zur Straße. Von da kommt ja auch die schöne Westsonne.
Möglichst wenig Vorgarten, also möglichst weit vorne.
=> Vorteil: Mehr Fläche hinten
MaxiFrett schrieb:Ach nee: wenn Ihr da eine schöne Hecke hinsetzt, schaut ihr ins Grüne. Außerdem gibt die Windschutz, die Wand. Bei 4 Meter Carport und Hausbreite bleiben 6-7 Meter, das reicht.
Wir gucken von der Terrasse auf Nachbars Garage
So würde ich das machen.
Parallel ist das Haus übrigens in jedem Fall, den Du ansprichst.
Alternative wäre tatsächlich, das Haus schräg zu stellen, mit der Ecke zur Straße.
Zum Grundriss selbst: sieht gut aus. Ich würde das Schlafzimmer über die Ankleide erschließen.
Garderobe fehlt! Wohin kommen die Jacken und Schuhe für 4 Personen?
M
Myrna_Loy21.07.21 23:08Was sagt denn der Bebauungsplan zur Ausrichtung? Wenn alle Häuser parallel zur Straße stehen klingt das nach Bauvorschrift.
Ihr müsst euch überlegen was euch wichtig ist. Ich würde die Haustür zur Strasse machen. Garage in den Norden auch als Blickschutz zum Weg. Schatten fällt so nicht auf euer Grundstück. Durchgang von /neben Garage in den Garten. So habe ich vom WZ den Blick in die Ferne und viel Privatsphäre. Terrasse nach Osten. Morgensonne und in der Nachmittagshitze Schatten. Schön windgeschützt. Zweiter, dritter Sitzplatz für Abendsonne/Schatten am Mittag. Sitzplatz an den Seiten wäre mir zu nah an den Nachbarn. Ihr habt ein wunderschön langes eher schmales Grundstück nutzt das. Schaut wo jetzt am längsten Sonne ist. Erfahrungsgemäß sitzt man je nach Wetter und Jahreszeit sehr unterschiedlich.
MaxiFrett schrieb:
Viel verändern kann man hier nicht mehr, weil es ein fertig konzipiertes Modellhaus ist, aber noch spiegeln.Etwas besseres als den Tod fänden sie überall, sagten die Bremer Stadtmusikanten.ypg schrieb:
Ihr solltet Euch Vorgarten gönnen: hinten habt ihr mehr als genug,Das kann ich nur unterschreiben.Ich sehe aber nicht so ganz sicher wirklich die volle Freiheit in dieser "Wahl". Meine Empfehlung wäre daher, das Haus in einem m.E. hier vorhandenen faktischen Baufenster an die hintere Linie der benachbarten Hauptgebäude zu schieben. Was sagt @Escroda ?
https://www.instagram.com/11antgmxde/
https://www.linkedin.com/company/bauen-jetzt/
M
MaxiFrett22.07.21 20:38Hat beides was für sich.
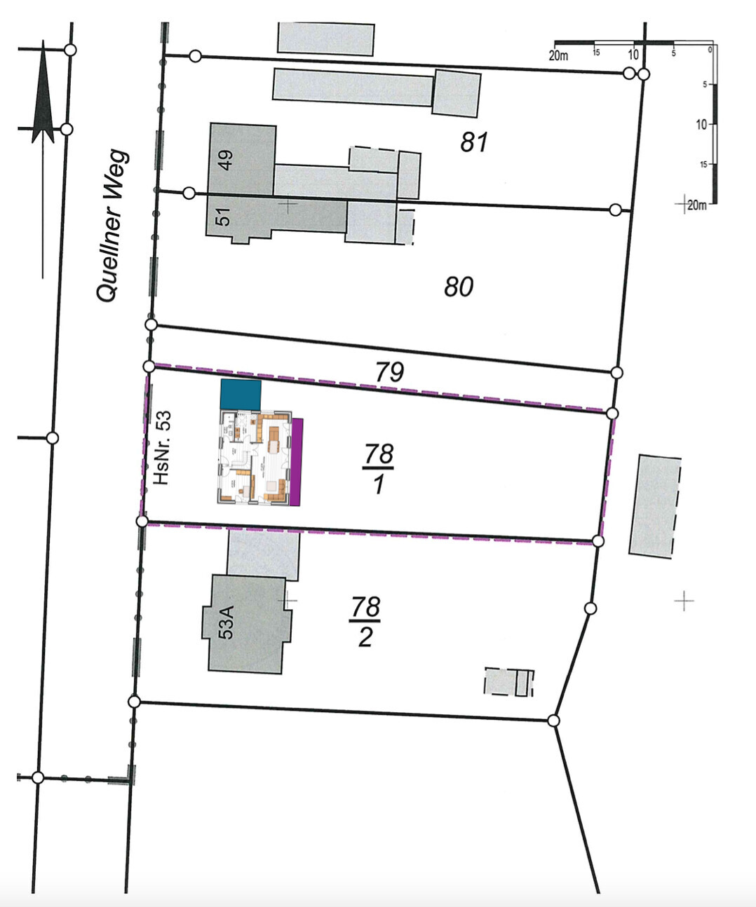
Ich habe die Vorschläge von @ypg und @Teilung mal versucht auf den Lageplan zu kopieren. Terrasse violett, Carport blau.
Der "Weg" im Norden ist wirklich nur ein Stück Feldweg und wird nur von einem Nachbarn genutzt, der angrenzend im Osten ein Stück Weide für seine Pferde gepachtet hat.
Die Straße im Westen ist eine 30er Zone mit vielleicht 5-10 Autos / Stunde.
Einen Bebauungsplan gibt es – noch – nicht. Das Bauamt hat aber einen angekündigt, weil es in der Gegend die Möglichkeit zur Teilung und Nachverdichtung schaffen möchte.
Nach Teilungs Vorschlag würde man noch 1-2 Sitzplätze im Garten verteilen. So ist auch unsere Idee. Unter einem schönen Baum, an einem kleinen Teich, hinten zum Feld hin,...
Das Haus habe ich jetzt an die hintere Linie vom Nachbargebäude im Süden gschoben.
Noch weiter schieben könnte man vielleicht. -> Wie bei Flurstück 86.
Aber so finde ich es eigentlich Ok.
Die Ankleide wollten wir als kleines Home Office Büro nutzen. Dort kann man aber natürlich bestimmt auch die Tür einbauen.
Stören würde es uns allerdings nicht, wenn sie so bliebe.
An der Garderobe rätsel ich noch. Auf jeden Fall ist unter der Treppe ein wenig Platz.
Am liebsten würde ich die ja schließen und eine kleine Abstellkammer / Einbauschrank darunter haben. Weiß aber noch nicht ob das möglich ist und wie teuer sowas wäre. Bilder davon gibts hier: Suchmaschine der Wahl – Mittelstädt Goldstück


Ich habe die Vorschläge von @ypg und @Teilung mal versucht auf den Lageplan zu kopieren. Terrasse violett, Carport blau.
Der "Weg" im Norden ist wirklich nur ein Stück Feldweg und wird nur von einem Nachbarn genutzt, der angrenzend im Osten ein Stück Weide für seine Pferde gepachtet hat.
Die Straße im Westen ist eine 30er Zone mit vielleicht 5-10 Autos / Stunde.
Einen Bebauungsplan gibt es – noch – nicht. Das Bauamt hat aber einen angekündigt, weil es in der Gegend die Möglichkeit zur Teilung und Nachverdichtung schaffen möchte.
Nach Teilungs Vorschlag würde man noch 1-2 Sitzplätze im Garten verteilen. So ist auch unsere Idee. Unter einem schönen Baum, an einem kleinen Teich, hinten zum Feld hin,...
Das Haus habe ich jetzt an die hintere Linie vom Nachbargebäude im Süden gschoben.
Noch weiter schieben könnte man vielleicht. -> Wie bei Flurstück 86.
Aber so finde ich es eigentlich Ok.
ypg schrieb:
Zum Grundriss selbst: sieht gut aus. Ich würde das Schlafzimmer über die Ankleide erschließen.
Garderobe fehlt! Wohin kommen die Jacken und Schuhe für 4 Personen?
Die Ankleide wollten wir als kleines Home Office Büro nutzen. Dort kann man aber natürlich bestimmt auch die Tür einbauen.
Stören würde es uns allerdings nicht, wenn sie so bliebe.
An der Garderobe rätsel ich noch. Auf jeden Fall ist unter der Treppe ein wenig Platz.
Am liebsten würde ich die ja schließen und eine kleine Abstellkammer / Einbauschrank darunter haben. Weiß aber noch nicht ob das möglich ist und wie teuer sowas wäre. Bilder davon gibts hier: Suchmaschine der Wahl – Mittelstädt Goldstück
Ähnliche Themen