ᐅ Grundriss Einfamilienhaus ca. 150-160 qm auf 480 qm Grundstück in Mittelfranken
Erstellt am: 18.03.22 00:49
R
RufusJWBHallo!
Anbei unsere ersten Gedanken bzgl. unseres Einfamilienhauses. Über eure Kommentare (gerne auch kritische) würde ich mich sehr freuen. Ich werde versuchen, alle Fragen zeitnahe zu beantworten.
Bebauungsplan/Einschränkungen
Größe des Grundstücks: 481 qm
Hang: nein
Grundflächenzahl: 0,4
Geschossflächenzahl: keine
Baufenster, Baulinie und -grenze: ca. 19 (Nord-Süd) x 24 meter (Ost-West), siehe Kataster
Randbebauung: nur Carport / Garage
Anzahl Stellplatz: 2
Geschossigkeit: 2 + Spitzdach
Dachform: Spitz, Flach, Pult
Stilrichtung: keine Angaben
Ausrichtung: keine Angaben
Maximale Höhen/Begrenzungen: Giebel 9 m, Traufe 6,5m
weitere Vorgaben: keine
Anforderungen der Bauherren
Stilrichtung, Dachform, Gebäudetyp: modern/fränkisch, Spitz oder Pult,
Keller, Geschosse: ja, EG + DG
Anzahl der Personen, Alter: 4 Personen, 2 Erw, 2 Kinder 1 & 4 Jahre
Raumbedarf im EG, OG: siehe Raumprogramm
Büro: Familiennutzung oder Homeoffice?: Homeoffice & Musikzimmer (für Musiklehrerin) (siehe Raumprogramm)
Schlafgäste pro Jahr: typischerweise 1-2, bis zu 4
offene oder geschlossene Architektur: offen
konservativ oder moderne Bauweise: modern
offene Küche, Kochinsel: ja
Anzahl Essplätze: 4 (6)
Kamin: möglichst ja, ggfs. als Pelletofen im Wohnzimmer
Musik/Stereowand: nicht notwendig
Balkon, Dachterrasse: nein
Garage, Carport: Carport vor der Haustür
Nutzgarten, Treibhaus: nein
weitere Wünsche/Besonderheiten/Tagesablauf, gern auch Begründungen, warum dieses oder das nicht sein soll: Das Musikzimmer soll, wenn es nicht zum Unterrichten genutzt wird, zu einem Bestandteil des Wohnzimmers werden, da dort auch das Klavier steht
Hausentwurf
Von wem stammt die Planung:
-Planer eines Bauunternehmens
-Architekt: viele Anregungen aus Bildbänden
-Do-it-Yourself: und wurde von uns dann nach unseren Bedürfnissen ergänzt
Was gefällt besonders? Warum?: Die offene und transparente Architektur im EG, die klare Südausrichtung
Was gefällt nicht? Warum?: Vielleicht ist es ein Tick zu klein und wir machen es einen Meter länger. Das Homeoffice & Gästetzimmer bekommen wir nur im Keller unter
Preisschätzung lt Architekt/Planer: wir haben den Bauunternehmen als Limit für das Haus 500 k€ gesagt und bisher wurde nicht abgewunken. Wir haben aber noch keine festen Angebote
Persönliches Preislimit fürs Haus, inkl Ausstattung: 550 k€ + Carport + Hausanschluss + etc ==> max. 700 k€
favorisierte Heiztechnik: Pellet oder Wärmepumpe
--> Vielleicht wäre eine 1/4-gewendelte Treppe besser, da wir dadurch im EG zusätzlichen Platz für das Musikzimmer gewinnen würden und im DB die Spieldiele mit einer Brüstung von der Treppe trennen könnten
--> Der Keller ist noch nicht zu Ende geplant
Wenn Ihr verzichten müsst, auf welche Details/Ausbauten
-könnt Ihr verzichten: der Entwurf ist bereits sehr schlicht, Notfalls auf das Gästebad im Keller und die Kücheninsel. Eine L-förmige Küche würde es wohl auch tun
-könnt Ihr nicht verzichten: Das Musikzimmer und das WC im EG
Warum ist der Entwurf so geworden, wie er jetzt ist? ZB
Standardentwurf vom Planer?
Entsprechende/Welche Wünsche wurden vom Architekten umgesetzt? --> die Planer von den Bauunternehmen tun sich etwas schwer unsere Ideen umzusetzen
Ein Gemisch aus vielen Beispielen aus div. Magazinen... --> Ja
Was macht ihn in Euren Augen besonders gut oder schlecht? --> Die offene Architektur im EG und die (nahezu) gleichwertigen Zimmer im DG.
Was ist die wichtigste/grundlegende Frage zum Grundriss in 130 Zeichen zusammengefasst?
Was ist eure kritisch-konstruktive Meinung zu unserem Entwurf? Was würdet ihr anders machen?
Raumprogramm:
Erdgeschoss
Küche
Esszimmer (idealerweise mit direktem Übergang zur Küche)
Wohnzimmer (mit fließendem Übergang zum Esszimmer)
Musikzimmer (mit großer Schiebetür zum Wohnzimmer, wenn Schiebetür geöffnet, dann Bestandteil des Wohnzimmers, Zugang direkt vom Flur)
Flur
Gäste- / Schülertoilette
Keller
Haustechnikraum
Lagerraum / Hauswirtschaftsraum
Gästezimmer
Gästebad
Homeoffice
Obergeschoss
Kinderzimmer 1&2
Elternschlafzimmer
Familienbad
Außenräume
Carport
Gartenhäuschen / Schuppen
Müllhäuschen



Anbei unsere ersten Gedanken bzgl. unseres Einfamilienhauses. Über eure Kommentare (gerne auch kritische) würde ich mich sehr freuen. Ich werde versuchen, alle Fragen zeitnahe zu beantworten.
Bebauungsplan/Einschränkungen
Größe des Grundstücks: 481 qm
Hang: nein
Grundflächenzahl: 0,4
Geschossflächenzahl: keine
Baufenster, Baulinie und -grenze: ca. 19 (Nord-Süd) x 24 meter (Ost-West), siehe Kataster
Randbebauung: nur Carport / Garage
Anzahl Stellplatz: 2
Geschossigkeit: 2 + Spitzdach
Dachform: Spitz, Flach, Pult
Stilrichtung: keine Angaben
Ausrichtung: keine Angaben
Maximale Höhen/Begrenzungen: Giebel 9 m, Traufe 6,5m
weitere Vorgaben: keine
Anforderungen der Bauherren
Stilrichtung, Dachform, Gebäudetyp: modern/fränkisch, Spitz oder Pult,
Keller, Geschosse: ja, EG + DG
Anzahl der Personen, Alter: 4 Personen, 2 Erw, 2 Kinder 1 & 4 Jahre
Raumbedarf im EG, OG: siehe Raumprogramm
Büro: Familiennutzung oder Homeoffice?: Homeoffice & Musikzimmer (für Musiklehrerin) (siehe Raumprogramm)
Schlafgäste pro Jahr: typischerweise 1-2, bis zu 4
offene oder geschlossene Architektur: offen
konservativ oder moderne Bauweise: modern
offene Küche, Kochinsel: ja
Anzahl Essplätze: 4 (6)
Kamin: möglichst ja, ggfs. als Pelletofen im Wohnzimmer
Musik/Stereowand: nicht notwendig
Balkon, Dachterrasse: nein
Garage, Carport: Carport vor der Haustür
Nutzgarten, Treibhaus: nein
weitere Wünsche/Besonderheiten/Tagesablauf, gern auch Begründungen, warum dieses oder das nicht sein soll: Das Musikzimmer soll, wenn es nicht zum Unterrichten genutzt wird, zu einem Bestandteil des Wohnzimmers werden, da dort auch das Klavier steht
Hausentwurf
Von wem stammt die Planung:
-Planer eines Bauunternehmens
-Architekt: viele Anregungen aus Bildbänden
-Do-it-Yourself: und wurde von uns dann nach unseren Bedürfnissen ergänzt
Was gefällt besonders? Warum?: Die offene und transparente Architektur im EG, die klare Südausrichtung
Was gefällt nicht? Warum?: Vielleicht ist es ein Tick zu klein und wir machen es einen Meter länger. Das Homeoffice & Gästetzimmer bekommen wir nur im Keller unter
Preisschätzung lt Architekt/Planer: wir haben den Bauunternehmen als Limit für das Haus 500 k€ gesagt und bisher wurde nicht abgewunken. Wir haben aber noch keine festen Angebote
Persönliches Preislimit fürs Haus, inkl Ausstattung: 550 k€ + Carport + Hausanschluss + etc ==> max. 700 k€
favorisierte Heiztechnik: Pellet oder Wärmepumpe
--> Vielleicht wäre eine 1/4-gewendelte Treppe besser, da wir dadurch im EG zusätzlichen Platz für das Musikzimmer gewinnen würden und im DB die Spieldiele mit einer Brüstung von der Treppe trennen könnten
--> Der Keller ist noch nicht zu Ende geplant
Wenn Ihr verzichten müsst, auf welche Details/Ausbauten
-könnt Ihr verzichten: der Entwurf ist bereits sehr schlicht, Notfalls auf das Gästebad im Keller und die Kücheninsel. Eine L-förmige Küche würde es wohl auch tun
-könnt Ihr nicht verzichten: Das Musikzimmer und das WC im EG
Warum ist der Entwurf so geworden, wie er jetzt ist? ZB
Standardentwurf vom Planer?
Entsprechende/Welche Wünsche wurden vom Architekten umgesetzt? --> die Planer von den Bauunternehmen tun sich etwas schwer unsere Ideen umzusetzen
Ein Gemisch aus vielen Beispielen aus div. Magazinen... --> Ja
Was macht ihn in Euren Augen besonders gut oder schlecht? --> Die offene Architektur im EG und die (nahezu) gleichwertigen Zimmer im DG.
Was ist die wichtigste/grundlegende Frage zum Grundriss in 130 Zeichen zusammengefasst?
Was ist eure kritisch-konstruktive Meinung zu unserem Entwurf? Was würdet ihr anders machen?
Raumprogramm:
Erdgeschoss
Küche
Esszimmer (idealerweise mit direktem Übergang zur Küche)
Wohnzimmer (mit fließendem Übergang zum Esszimmer)
Musikzimmer (mit großer Schiebetür zum Wohnzimmer, wenn Schiebetür geöffnet, dann Bestandteil des Wohnzimmers, Zugang direkt vom Flur)
Flur
Gäste- / Schülertoilette
Keller
Haustechnikraum
Lagerraum / Hauswirtschaftsraum
Gästezimmer
Gästebad
Homeoffice
Obergeschoss
Kinderzimmer 1&2
Elternschlafzimmer
Familienbad
Außenräume
Carport
Gartenhäuschen / Schuppen
Müllhäuschen
Nida35a schrieb:
Hallo @RufusJWB ,
Willkommen im Forum, und viel Erfolg für euren Plan.
Links sind hier keine erwünscht und werden wohl entfernt.Ich kann den Beitrag anscheinend nicht mehr bearbeiten. Da muss ich auf einen gnädigen Moderator hoffen.
Nida35a schrieb:
Zeigt bitte auch Grundstück mit geplantem Haus darauf,
Keller und OG,
NordpfeilKeller ist nicht nicht geplant. Der hängt sehr stark von Lage und Form der Treppe ab, daher habe ich darauf verzichtet ihn auszuplanen. Die Pläne für EG und DG/OG sollten an dem Post bereits dran hängen. Das Dach wird nicht ausgebaut werden.
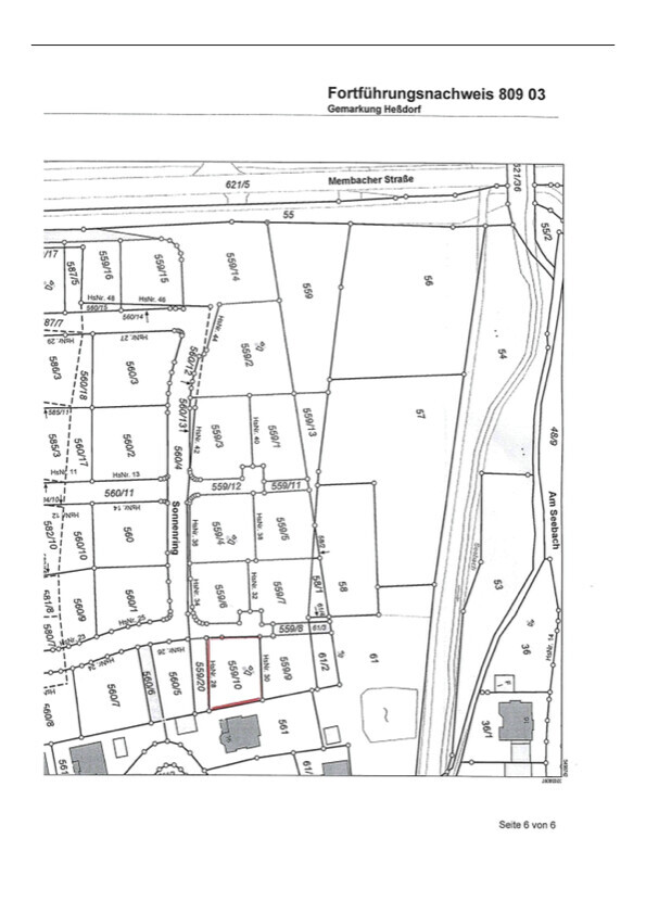
Das Grundstück ist in dem Kataster in rot eingezeichnet. Anliegend noch einmal eine Detailsicht des Grundstücks mit Baufenster. Norden ist bei allen Plänen rechts.
Moin,
Ich denke, dass Euer Budget knapp wird, wenn Ihr mit Keller baut. Nicht unmöglich, aber knapp.
Ich finde bemaßte digitale Pläne um Welten besser, da muss ich mir das Abzählen vom Kästchen am Bildschirm nicht antun. Ich glaube, dass ihr mit digitalen Plänen mehr Resonanz erhaltet.
Was mir nach viel Abzählen auffällt:
- Bitte ladet einen Grundriss des Kellers hoch
- Ihr habt eine Dusche zu wenig für 4 Personen, sobald die Kinder größer sind und länger im Bad brauchen
- Sparsamkeit und "offene und transparente Architektur" in Ehren, aber für Fenster im OG sollte es schon noch reichen. Bitte zeichnet die ein.
- Gleiches gilt für das EG, WC, Diele und Musikzimmer sind fensterlos lt. Plan. Ich bezweifle, dass das korrekt ist.
- Die Diele ist mit Glaselementen vom Wohnbereich getrennt, wenn ich das richtig interpretiere? Das ist weder schlicht, noch günstig.
- Die Kinderzimmer sind schlauchförmig, dadurch schlechter nutzbar, als die 15 qm (wenn ich richtig abgezählt habe: 2,5m × 5m + 1m × 2,5m?) vermuten lassen. Da hilft auch ein gut gemeinter Spielflur nichts mehr.
- Dafür habt ihr beim Schlafzimmer nen großen Schluck aus der Pulle genommen mit > 21qm. Die Kinder verbringen in ihren Zimmern deutlich mehr Zeit, als die Erwachsenen im Schlafzimmer, überlegt, ob das in Euren Relationen und Planungen berücksichtigt wurde / werden soll.
Insgesamt mag ich die Ideen des EG, finde das OG aber von den Räumen und den Relationen zwischen den Räumen unpassend und nicht durchdacht.
Viele Grüße
SoL
Ich denke, dass Euer Budget knapp wird, wenn Ihr mit Keller baut. Nicht unmöglich, aber knapp.
Ich finde bemaßte digitale Pläne um Welten besser, da muss ich mir das Abzählen vom Kästchen am Bildschirm nicht antun. Ich glaube, dass ihr mit digitalen Plänen mehr Resonanz erhaltet.
Was mir nach viel Abzählen auffällt:
- Bitte ladet einen Grundriss des Kellers hoch
- Ihr habt eine Dusche zu wenig für 4 Personen, sobald die Kinder größer sind und länger im Bad brauchen
- Sparsamkeit und "offene und transparente Architektur" in Ehren, aber für Fenster im OG sollte es schon noch reichen. Bitte zeichnet die ein.
- Gleiches gilt für das EG, WC, Diele und Musikzimmer sind fensterlos lt. Plan. Ich bezweifle, dass das korrekt ist.
- Die Diele ist mit Glaselementen vom Wohnbereich getrennt, wenn ich das richtig interpretiere? Das ist weder schlicht, noch günstig.
- Die Kinderzimmer sind schlauchförmig, dadurch schlechter nutzbar, als die 15 qm (wenn ich richtig abgezählt habe: 2,5m × 5m + 1m × 2,5m?) vermuten lassen. Da hilft auch ein gut gemeinter Spielflur nichts mehr.
- Dafür habt ihr beim Schlafzimmer nen großen Schluck aus der Pulle genommen mit > 21qm. Die Kinder verbringen in ihren Zimmern deutlich mehr Zeit, als die Erwachsenen im Schlafzimmer, überlegt, ob das in Euren Relationen und Planungen berücksichtigt wurde / werden soll.
Insgesamt mag ich die Ideen des EG, finde das OG aber von den Räumen und den Relationen zwischen den Räumen unpassend und nicht durchdacht.
Viele Grüße
SoL
K
K a t j a18.03.22 07:46Kannst Du die Außenmaße, die Geschosshöhen und die Wandstärke der Außenwand angeben?
Ähnliche Themen