Grundriss Haus auf 2 Etagen mit leichter Hanglage

4,50 Stern(e) 6 Votes
Zuletzt aktualisiert 19.11.2025
Sie befinden sich auf der Seite 11 der Diskussion zum Thema: Grundriss Haus auf 2 Etagen mit leichter Hanglage
>> Zum 1. Beitrag <<

R

Ralf1980

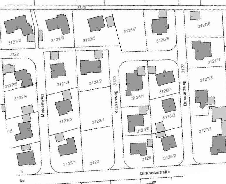
Ich habe mal versucht die Baufenster unter das Bild zu legen.

Dabei ist mir aufgefallen, das das Grundstück rechts daneben einen anderen Grenzverlauf im Bebauungsplan hat, früher war das mal ein größeres Grundstück.

Das Haus rechts daneben hält sich auch nicht an das Baufenster, ich weiß aber nicht wie die Chancen stehen.

Zugunsten der Photovoltaik Anlagen der Nachbarn würde ich das Haus etwas weiter nach hinten setzen.



Die Planer bei den GÜs sind schon auch Kompetent meiner Meinung nach (mehr oder weniger), aber ich möchte mir halt vor dem nächsten Termin noch Gedanken dazu machen. Was ich in Version C noch ändern könnte.


Das Haus Planen schon die GÜ, aber die innere Einteilung möchte ich noch optimieren.

@katja, was würdest du denn ändern?



Vielleicht hat jemand das Photoshop-Talent und kann die tatsächliche Bebauung und die Baufenster übereinander legen, um zu schauen, inwieweit die anderen Bauwerke sich daran halten mussten. Die Tatsächliche Bebauung hat einen weißen Hintergrund den man evlt auf Transparent setzen könnte und dann über den Baufenster Bebauungsplan legen könnte.


Danke !

Grundriss eines Hausgrundstücks mit Gebäude, Zufahrt und Maßlinien

Lageplan eines Wohnviertels: gelbe Straßen, blaue Gebäudeumrisse; roter Pfeil markiert eine Stelle.

Lageplan eines Wohngebiets mit Parzellen, grauen Gebäuden und Straßennamen Meisenweg, Krähenweg.

Grundrissplan eines Hauses auf Grundstück mit EG-Layout und Zufahrt
 
H

hanghaus2023

Ich habe mal versucht die Baufenster unter das Bild zu legen.
Das habe ich Dir ja nun schon vor einigen Beiträgen aufgezeigt.

Dabei ist mir aufgefallen, das das Grundstück rechts daneben einen anderen Grenzverlauf im Bebauungsplan hat, früher war das mal ein größeres Grundstück.
Das ist mir auch schon lange aufgefallen. Nur ignorierst Du wichtige Hinweise.
Das Haus rechts daneben hält sich auch nicht an das Baufenster, ich weiß aber nicht wie die Chancen stehen.
Es gibt noch einige Andere Abweichungen vom Bebauungsplan in der Umgebung. Das bedeutet aber nicht das Du einfach dem Bebauungsplan nicht einhalten must. Abweichungen vom Bebauungsplan sind mit einer Bauvoranfrage zu genehmigen. Du solltest sehr gute Argumente haben. Die Chancen stehem mMn recht gut.

Zugunsten der Photovoltaik Anlagen der Nachbarn würde ich das Haus etwas weiter nach hinten setzen.
Das ist löblich. Aber kein Grund für eine Abweichung vom Bebauungsplan. Ich würde mir eher Gedanken zu meiner eigenen PV Anlage machen.

Dir ist aber schon bewust, das damit für Dich Nachteile im 5 stelligen Bereich entstehen.
 
Zuletzt aktualisiert 19.11.2025
Im Forum Grundrissplanung / Grundstücksplanung gibt es 2536 Themen mit insgesamt 87981 Beiträgen


Ähnliche Themen zu Grundriss Haus auf 2 Etagen mit leichter Hanglage
Nr.ErgebnisBeiträge
1Grundstück / Bebauungsplan / Stützmauern / Abgrabungen - Seite 217
2Grundflächenzahl/Geschossflächenzahl bei Grundstück ohne Bebauungsplan: Wie kalkulieren? Erfahrungen? 18
3Grundstück 4500 m² (Gärtnerei) - Erstellung Bebauungsplan in Eigenregie 16
4Position Garage auf Grundstück, Vorgabe im Bebauungsplan 22
5Nettes Grundstück, aber Bebauungsplan zu einschränkend? 21
6Grundstück - Baufenster - Lage von Haus und Garage - Seite 244
7Fragen/vernachlässigtes Grundstück/Wiese, Baumaßnahmen eruieren - Seite 344
8Bauland um Gartenland erweitern - Auswirkungen auf Baufenster - Seite 220
9Baufenster auf der Flurkarte - Genehmigung - Seite 539
10bevorstehender Grundstückskauf - Fragen zum Bebauungsplan - Seite 220
11Bebauungsplan - Vergrößerung Wohnfläche möglich? 112
12Preisbewertung Grundstück für Reihenendhaus - Seite 219
13Grundriss-Entwurf: Einfamilienhaus; mit Keller; 800qm Grundstück 10
14Doppelhaus in Baufenster 8,5m x 15m (BxT) 76
15Geländehöhen im Bebauungsplan sind falsch 12
16Meinungen zum Grundstück am Hang. - Seite 222
17Unwirtschaftlicher Bebauungsplan 31
18Bebauungsplan - 1,5 geschossige Bebauung? 16
19Regelungen bei Bebauungsplan Erfahrungen? 22
20langes, schmales Grundstück teilen - Seite 212

Oben