Grundstücksplanung mit Waldschutzstreifen

4,80 Stern(e) 6 Votes
Zuletzt aktualisiert 28.11.2025
Sie befinden sich auf der Seite 2 der Diskussion zum Thema: Grundstücksplanung mit Waldschutzstreifen
>> Zum 1. Beitrag <<

kbt09

kbt09

Die rechte Variante mit der Zufahrt etwas weiter westlich ist mMn besser.
Meinst du, in der rechten Variante den Weg weiter nach planlinks zu legen? Hatte ich auch kurz überlegt, denke aber, dass man so den Bogen in den Carport besser bekommt.

Würde auf jeden Fall auch den Carport eher vorm Haus haben wollen. Es scheint ja schon einen Grundriss zu geben .. wo ist denn da der Eingang gedacht?

Sinnvoll wäre wirklich mal ein Lagebild, wo man auch erkennen kann, wie der Nachbar im Westen baut.
 
T

TSven1979

Meinst du, in der rechten Variante den Weg weiter nach planlinks zu legen? Hatte ich auch kurz überlegt, denke aber, dass man so den Bogen in den Carport besser bekommt.

Würde auf jeden Fall auch den Carport eher vorm Haus haben wollen. Es scheint ja schon einen Grundriss zu geben .. wo ist denn da der Eingang gedacht?

Sinnvoll wäre wirklich mal ein Lagebild, wo man auch erkennen kann, wie der Nachbar im Westen baut.
Das wüssten wir auch gern, wie der Nachbar bauen wird :). Aber er wird wahrscheinlich auf gleicher Höhe mit 3 Metern Abstand zur Grenze bauen. Also im Westen der Nachbar, im Osten ein 9 Meter breiter Baumschutzstreifen. Der Eingang ist im Norden.
 
T

TSven1979

Das wüssten wir auch gern, wie der Nachbar bauen wird :). Aber er wird wahrscheinlich auf gleicher Höhe mit 3 Metern Abstand zur Grenze bauen. Also im Westen der Nachbar, im Osten ein 9 Meter breiter Baumschutzstreifen. Der Eingang ist im Norden.
Das Haus ist fertig geplant, wir hatten erst mit Stellplätzen und Wendeplatz auf dem Baumschutzstreifen geplant, weil es eine mündliche positive Vorbesprechung mit dem Bauamt dazu gab und jetzt, 6 Wochen vor Baubeginn, kann sich das Bauamt nicht mehr an das Gespräch „erinnern“. Also alles neu ausrichten:(
 
kbt09

kbt09

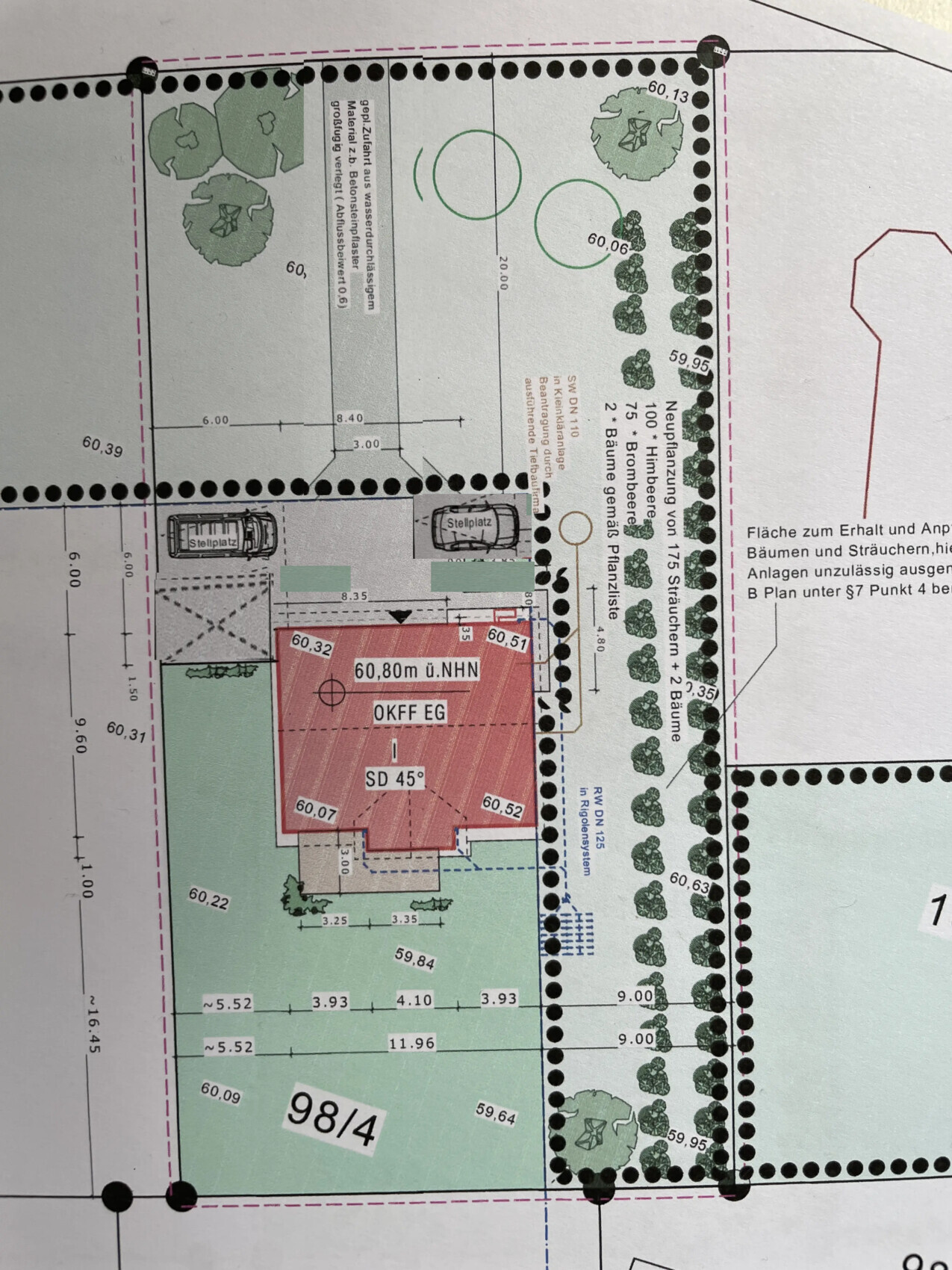
Ich würde diese Variante bevorzugen

Lageplan eines Baugrundstücks mit Gebäudegrundriss, Parkplatz und Gartenbereich


Allerdings würde ich auch den Carport genau planen, das Haus evtl. noch bis zu einen Meter südlich schieben, um den Carport-Anbau so zu gestalten, dass da auch gut Fahrräder untergebracht werden können.

Oder Carport nur für ein Auto, dafür größerer integrierter Abstellraum für Fahrräder etc. mit Zugang von Vorderfront des Hauses und vom Garten

Lageplan eines Grundstücks: rotes Haus mit Stellplaetzen, Baumreihen und Grenzlinien.


Küche wäre bei mir im Südwesten, Wohnen eher im Südosten oder Nordwesten. Ansonsten müsste man mal den Grundriss sehen.
 
T

TSven1979

Ich würde diese Variante bevorzugen
Anhang anzeigen 81143

Allerdings würde ich auch den Carport genau planen, das Haus evtl. noch bis zu einen Meter südlich schieben, um den Carport-Anbau so zu gestalten, dass da auch gut Fahrräder untergebracht werden können.

Oder Carport nur für ein Auto, dafür größerer integrierter Abstellraum für Fahrräder etc. mit Zugang von Vorderfront des Hauses und vom Garten
Anhang anzeigen 81146

Küche wäre bei mir im Südwesten, Wohnen eher im Südosten oder Nordwesten. Ansonsten müsste man mal den Grundriss sehen.
Ohh danke für die Arbeit!
Also, wenn das Carport an der West-Seite ist, dann ist Wohnen im Südosten, also rechts in der Ecke. Der Wohnbereich hat ein bodentiefes Eckfenster. Küche wäre dann zum Carport.
Wenn das Carport vor dem Haus ist, würde das Wohnzimmer Richtung Südwesten ausgerichtet sein (gespiegelt). Das wird ja meistens wegen der Lichtausbeute empfohlen. Hat es einen Grund, dass du das Wohnzimmer in den Südosten legen würdest? Dann wären leider auch die Kinderzimmer im OG im Osten.
 
Zuletzt aktualisiert 28.11.2025
Im Forum Grundrissplanung / Grundstücksplanung gibt es 2539 Themen mit insgesamt 88071 Beiträgen


Ähnliche Themen zu Grundstücksplanung mit Waldschutzstreifen
Nr.ErgebnisBeiträge
1Grundriss ca. 170 m² Einfamilienhaus, ohne Keller mit Carport - Seite 489
2Grundriss für 150qm Einfamilienhaus mit Wohnzimmer nach Norden 21
3Grundriss: Offenes Wohnzimmer inkl. Kamin - Feedback 11
4Grundriss Satteldachhaus 172 qm - Bitte um eure Meinungen - Seite 323
5Grundriss 160qm Einfamilienhaus - Verbesserungsideen? - Seite 1067
6Grundriss Einfamilienhaus 170qm Tipps und meinungen 21
7Stadtvilla Grundriss - Änderungsvorschläge? 192
8Grundriss-Entwurf Erfahrungen - Kritik? 166
9Entwurf Grundriss Neubau Stadtvilla >160 m² 14
10Grundriss Einfamilienhaus 147m2 - Meinungen, Kritik, Verbesserungsvorschläge? - Seite 343
11Vorplanung mit dem Architekten - eigener Grundriss sinnvoll? 18
12Grundriss Erstskizze - Verbesserungswürdig? - Seite 542
13Grundriss klassisches Einfamilienhaus 5Z Südanfahrt - Seite 318
14Erste Grundriss-Planung Einfamilienhaus 190m2 - Seite 664
15Grundriss-Planung, 2 Vollgeschosse, ca. 130-140 qm ohne Keller - Seite 12192
16Grundriss-Tipps Einfamilienhaus mit Einliegerwohnung gewünscht 49
17Grundriss Vorteile und Nachteile auf Basis von Satteldach 229m² 25
18Wohnbereich Grundriss einplanen - Seite 462
19Neubau Doppelhaus 155qm - Ausrichtung & Grundriss dementsprechend 59
20Eure Meinung zum Grundriss für das EG - Seite 228

Oben