ᐅ Grundrissplanung Einfamilienhaus Eigenheim mit Keller
Erstellt am: 06.01.21 22:05
Hallo zusammen,
Wir haben mittlerweile unseren zweiten Entwurf bekommen, der uns eigentlich schon ganz gut gefällt.
Was es allgemein zu sagen gibt:
- Wir sind aus der Schweiz
- Das Grundstück nordseitig ist Landwirtschaftszone
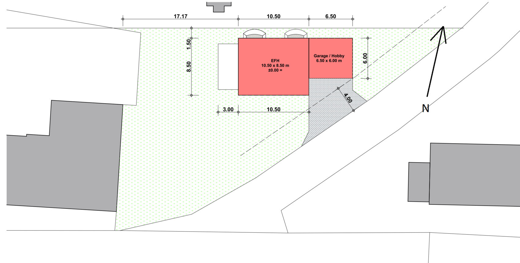
- Das Bauwerk in dieser Zone ist ein altes Bienenhaus
- Zimmer 1 UG ist wird vielseitig genutzt, je nach Lebensabschnitt
- Zimmer 2 UG ist das Büro
- Beim Keller haben wir mal darüber nachgedacht, später eine Sauna zu machen
Bebauungsplan/Einschränkungen
Land: Schweiz
Größe des Grundstücks: 860m2
Hang: Nein
Grundflächenzahl: -
Geschossflächenzahl: -
Baufenster, Baulinie und -grenze: Fenster müssten stehende Rechtecke sein
Randbebauung: -
Anzahl Stellplatz: -
Geschossigkeit: -
Dachform: Kein Flachdach
Stilrichtung: -
Ausrichtung: -
Maximale Höhen/Begrenzungen: -
weitere Vorgaben: -
Anforderungen der Bauherren
Stilrichtung, Dachform, Gebäudetyp: Wie Entwurf
Keller, Geschosse: Wie geplant, haben uns gegen EG/2OG’s entschieden
Anzahl der Personen, Alter: 2 Erwachsene (30J), 2 Kinder (1/2J) + ev. 1 Kind
Raumbedarf im EG, OG: Geplante Räume sind größer als aktuell, passt für uns
Büro: Familiennutzung oder Homeoffice? -> Homeoffice
Schlafgäste pro Jahr: 1
offene oder geschlossene Architektur: Wie Entwurf
konservativ oder moderne Bauweise: eher konservativ
offene Küche, Kochinsel: Noch nicht fix, Insellösung gefällt uns
Anzahl Essplätze: 8
Kamin: Ja, Standort noch offen
Musik/Stereowand: Nicht gewünscht
Balkon, Dachterrasse: Nicht gewünscht
Garage, Carport: Garage für 1 Auto, 2 Aussenparkplätze, ggf. Carport
Nutzgarten, Treibhaus: Nur ein Hochbeet
Hausentwurf
Von wem stammt die Planung:
-Planer eines Bauunternehmens
Was gefällt besonders? Warum?
- Reduit: weniger laufen beim Kochen
- Hobbyraum: viel Platz für meine CNC-Fräse
- Offene Küche
- Lichthof Zimmer UG (Zimmer1 / Zimmer2)
Was gefällt nicht? Warum?
-Dusche in EG wäre uns lieber als im Keller (vorbereitet)
favorisierte Heiztechnik: Aktuell ist Fernwärme geplant
Wenn Ihr verzichten müsst, auf welche Details/Ausbauten
-könnt Ihr verzichten: Als erstes müsste der Hobbyraum dran glauben
-könnt Ihr nicht verzichten: Eigentlich alles andere
Warum ist der Entwurf so geworden, wie er jetzt ist? ZB
-Gespräche mit Planer, Gegebenheiten, Bauvorschriften
Wir würde gerne allgemeine Kritik / Verbesserungsvorschläge / andere Sichtweisen hören, gerne auch bezüglich der Küche / Wohnbereich Planung. Mit der Zeit sieht man vor lauter Wände die Räume nicht mehr.
Danke euch!








Wir haben mittlerweile unseren zweiten Entwurf bekommen, der uns eigentlich schon ganz gut gefällt.
Was es allgemein zu sagen gibt:
- Wir sind aus der Schweiz
- Das Grundstück nordseitig ist Landwirtschaftszone
- Das Bauwerk in dieser Zone ist ein altes Bienenhaus
- Zimmer 1 UG ist wird vielseitig genutzt, je nach Lebensabschnitt
- Zimmer 2 UG ist das Büro
- Beim Keller haben wir mal darüber nachgedacht, später eine Sauna zu machen
Bebauungsplan/Einschränkungen
Land: Schweiz
Größe des Grundstücks: 860m2
Hang: Nein
Grundflächenzahl: -
Geschossflächenzahl: -
Baufenster, Baulinie und -grenze: Fenster müssten stehende Rechtecke sein
Randbebauung: -
Anzahl Stellplatz: -
Geschossigkeit: -
Dachform: Kein Flachdach
Stilrichtung: -
Ausrichtung: -
Maximale Höhen/Begrenzungen: -
weitere Vorgaben: -
Anforderungen der Bauherren
Stilrichtung, Dachform, Gebäudetyp: Wie Entwurf
Keller, Geschosse: Wie geplant, haben uns gegen EG/2OG’s entschieden
Anzahl der Personen, Alter: 2 Erwachsene (30J), 2 Kinder (1/2J) + ev. 1 Kind
Raumbedarf im EG, OG: Geplante Räume sind größer als aktuell, passt für uns
Büro: Familiennutzung oder Homeoffice? -> Homeoffice
Schlafgäste pro Jahr: 1
offene oder geschlossene Architektur: Wie Entwurf
konservativ oder moderne Bauweise: eher konservativ
offene Küche, Kochinsel: Noch nicht fix, Insellösung gefällt uns
Anzahl Essplätze: 8
Kamin: Ja, Standort noch offen
Musik/Stereowand: Nicht gewünscht
Balkon, Dachterrasse: Nicht gewünscht
Garage, Carport: Garage für 1 Auto, 2 Aussenparkplätze, ggf. Carport
Nutzgarten, Treibhaus: Nur ein Hochbeet
Hausentwurf
Von wem stammt die Planung:
-Planer eines Bauunternehmens
Was gefällt besonders? Warum?
- Reduit: weniger laufen beim Kochen
- Hobbyraum: viel Platz für meine CNC-Fräse
- Offene Küche
- Lichthof Zimmer UG (Zimmer1 / Zimmer2)
Was gefällt nicht? Warum?
-Dusche in EG wäre uns lieber als im Keller (vorbereitet)
favorisierte Heiztechnik: Aktuell ist Fernwärme geplant
Wenn Ihr verzichten müsst, auf welche Details/Ausbauten
-könnt Ihr verzichten: Als erstes müsste der Hobbyraum dran glauben
-könnt Ihr nicht verzichten: Eigentlich alles andere
Warum ist der Entwurf so geworden, wie er jetzt ist? ZB
-Gespräche mit Planer, Gegebenheiten, Bauvorschriften
Wir würde gerne allgemeine Kritik / Verbesserungsvorschläge / andere Sichtweisen hören, gerne auch bezüglich der Küche / Wohnbereich Planung. Mit der Zeit sieht man vor lauter Wände die Räume nicht mehr.
Danke euch!
Ich finde den Entwurf eigentlich ganz nett. Auch den Hausstil, erinnert mich an Schweden 🙂
Aber einige Dinge stören mich, also mich, wenn es mein Haus wäre:
Maßkontrolle: das Schlafzimmer wirkt größer als es ist, bei Ankleide und Bad würde ich auf mind. 3,10 achten.
Treppe finde ich zu winzig. Bei dem Platzbedarf denke ich an ein platzsparendes DH oder RH. Küche finde ich ok, ich mag aber diese schmalen Durchgänge nicht, wo kaum ein gestandener Mann durch kann oder eine schmale Frau mit einem Backblech. Letztendlich wird der Tresen vollgemüllt, weil nicht genug erreichbare Stellfläche vorhanden ist.
Terrasse sehe ich eher an der Südseite und Küche. Dort liegen leider Kellerfenster.
Sind bei Euch in CH Kellerausgrabungen innerhalb des Grenzabstandes erlaubt?
OG: ich würde Never eine gefangene Ankleide planen, weil der ruhende Partner vom schon aktiven Partner gestört wird. Licht an, Licht aus.
Deshalb würde ich wohl Bad, Schlafzimmer und Ankleide rotieren -> Platzwechsel.
Aber einige Dinge stören mich, also mich, wenn es mein Haus wäre:
Maßkontrolle: das Schlafzimmer wirkt größer als es ist, bei Ankleide und Bad würde ich auf mind. 3,10 achten.
Treppe finde ich zu winzig. Bei dem Platzbedarf denke ich an ein platzsparendes DH oder RH. Küche finde ich ok, ich mag aber diese schmalen Durchgänge nicht, wo kaum ein gestandener Mann durch kann oder eine schmale Frau mit einem Backblech. Letztendlich wird der Tresen vollgemüllt, weil nicht genug erreichbare Stellfläche vorhanden ist.
Terrasse sehe ich eher an der Südseite und Küche. Dort liegen leider Kellerfenster.
Sind bei Euch in CH Kellerausgrabungen innerhalb des Grenzabstandes erlaubt?
OG: ich würde Never eine gefangene Ankleide planen, weil der ruhende Partner vom schon aktiven Partner gestört wird. Licht an, Licht aus.
Deshalb würde ich wohl Bad, Schlafzimmer und Ankleide rotieren -> Platzwechsel.
Renditon schrieb:Wieso? Wohin läufst Du beim Kochen? Was muss man da hinten machen? Zu diesem Nischenraum: immer überlegen, was so darin gelagert werden soll und ob man das in Kürze auch dort hin bekommt.
Reduit: weniger laufen beim Kochen
Renditon schrieb:Bedeutet das Metallstaub?
Hobbyraum: viel Platz für meine CNC-Fräse
Hallo ypg
Vielen Dank für deine Inputs.
Ja, da das Land auch meinen Schiegereltern gehört, können wir näher an die Grenze bauen.
Vielen Dank für deine Inputs.
ypg schrieb:Du hast recht, die Räume/Flure sind (bis auf den Hobbyraum) nicht grosszügig. 9,5 m anstelle der 8,5 täten der Aufteilung gut...
Maßkontrolle: das Schlafzimmer wirkt größer als es ist, bei Ankleide und Bad würde ich auf mind. 3,10 achten.
Treppe finde ich zu winzig. Bei dem Platzbedarf denke ich an ein platzsparendes DH oder RH. Küche finde ich ok, ich mag aber diese schmalen Durchgänge nicht, wo kaum ein gestandener Mann durch kann oder eine schmale Frau mit einem Backblech. Letztendlich wird der Tresen vollgemüllt, weil nicht genug erreichbare Stellfläche vorhanden ist.
ypg schrieb:Habe ich mir auch mal überlegt, oder den Sitzplatz über die Ecke machen.
Terrasse sehe ich eher an der Südseite und Küche. Dort liegen leider Kellerfenster.
Sind bei Euch in CH Kellerausgrabungen innerhalb des Grenzabstandes erlaubt?
Ja, da das Land auch meinen Schiegereltern gehört, können wir näher an die Grenze bauen.
ypg schrieb:Das war im ersten Entwurf so. Die Ausrichtung des Schlafzimmers gegen die Landwirtschaftszone war uns aber wichtiger (kein Licht von Strassenlaternen, weniger Lärm)
OG: ich würde Never eine gefangene Ankleide planen, weil der ruhende Partner vom schon aktiven Partner gestört wird. Licht an, Licht aus.
Deshalb würde ich wohl Bad, Schlafzimmer und Ankleide rotieren -> Platzwechsel.
ypg schrieb:Aktuell haben wir nicht viel Platz in der Küche, der meiste Vorrat ist im Keller. Grundsätzich ist gedacht, dass der Gefrierschrank auch im Reduit ist.
Wieso? Wohin läufst Du beim Kochen? Was muss man da hinten machen? Zu diesem Nischenraum: immer überlegen, was so darin gelagert werden soll und ob man das in Kürze auch dort hin bekommt.
ypg schrieb:Nein, "nur" Holzstaub
Bedeutet das Metallstaub?
Renditon schrieb:
kein Licht von Strassenlaternen, weniger Lärm)Ja, dann doch lieber das Licht und den Lärm im Raum statt ihn draußen zu haben. Verstehe ich nicht: Rollladen macht dunkel und gibt Ruhe...Renditon schrieb:
Aktuell haben wir nicht viel Platz in der Küche, der meiste Vorrat ist im Keller. Grundsätzich ist gedacht, dass der Gefrierschrank auch im Reduit ist.Und der passt dann durch die 60er Tür?Ähnliche Themen