Feedback zur Grundriss-Planung 150 qm

4,60 Stern(e) 7 Votes
Zuletzt aktualisiert 22.12.2025
Sie befinden sich auf der Seite 4 der Diskussion zum Thema: Feedback zur Grundriss-Planung 150 qm
>> Zum 1. Beitrag <<

N

netuser

Aber ich glaube du hast auf den Grundrissen den Nord-Pfeil rechts oben übersehen? Hauswirtschaftsraum liegt doch im Nordosten und nicht Südwesten? Ich habe die Grundrisse nochmal mit aktualisiertem Nord-Pfeil gemäß Positionierung 1 angehängt.
Nee, da verwechselst du offensichtlich OST mit WEST!? :)
Wie YPG schon schrieb, Hauswirtschaftsraum liegt dem Plan nach im Westen und das WZ im Norden :( ....
 
RomeoZwo

RomeoZwo

Ein Nordpfeil zeigt nach Norden ...


Lageplan eines Grundstücks mit Parzellen, Straßennamen und Nordpfeil


Hier mal im Flurplan die Himmelsrichtungen dargestellt.
Die Westseite (Abendsonne) wird mit Carport und Hauswirtschaftsraum zugestellt.

Wenn der Carport nicht direkt am Haus sein muss, würde ich den evtl. sogar an die Grenze nach Süden stellen. Mittags (Süden) steht die Sonne so hoch, dass der Carport kaum verschatten dürfte.
 
RomeoZwo

RomeoZwo

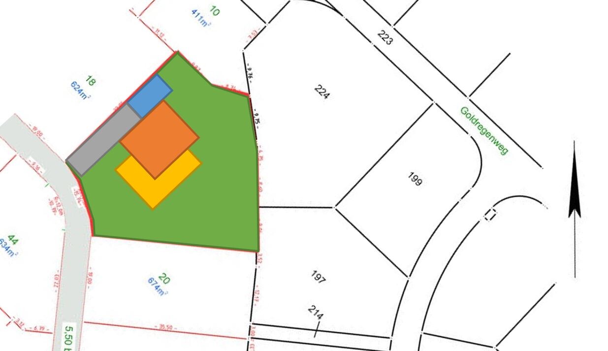
Von der Hausanordnung vielleicht etwa so in diese Richtung (jetzt doch ohne Carport im Süden, wird da zu eng).
Und dann natürlich den Hauswirtschaftsraum oben ins Eck.


Lageplan: grüne Parzelle mit farbigen Gebäuden (blau, grau, orange, gelb) nahe Goldregenweg.
 
R

RiQu2020

Danke nochmal für all eure bisherigen Antworten.

Nach sehr vielen neuen Versuchen bin ich jetzt bei folgender neuen Idee angekommen.
Die Außenmaße betragen jetzt 10,10m x 10,10m.

Die Straße ist in grau dargestellt.
Carport und Terrasse sind größentechnisch noch nicht exakt, sondern sollen nur erstmal zeigen wo sie hin sollen.
Zur Diele: hier soll auch der Raum unter der Treppe mitgenutzt werden.
Die Fenster sind teilweise mit Öffnungsdarstellung, teilweise ohne dargestellt, davon bitte nicht verwirren lassen. Die Fenster müssen noch etwas exakter und symmetrischer ausgerichtet werden, aber ich habe das Gefühl, dass es in die richtige Richtung geht.

Ich komme jetzt auf 174 m² Grundfläche, die reine Wohnfläche wird nach Abzug der Treppe und korrekten Wandstärken etc. wohl noch etwas darunter liegen.

Was sagt ihr zu:
- Raumaufteilung/-verteilung/-größe?
- Ausrichtung in Bezug auf Himmelsrichtungen?

Außerdem bin ich zu allen Hinweisen in Bezug auf Fenster dankbar (Größe, Anordnung, Form, Symmetrie etc...)


(Auf das Haus soll noch ein richtiges Dach, das kann die Software aber nicht)

Grundriss eines Wohnhauses mit zwei Kinderzimmern, Schlafzimmer, Ankleide, Abstellraum und Bad.


Grundriss eines Hauses mit mehreren Zimmern, Wohnzimmer, Küche, Bad und Garage.


3D-Modell eines zweistöckigen grauen Hauses mit Carport an der Seite und großen Fenstern


Modernes graues zweistöckiges Haus mit großen Fenstern, Eingang und Einfahrt.
 
Y

ypg

Ich denke die ganze Zeit, während ich das EG betrachte: die Treppe gehört DORT nicht hin. Was sollen diese Extraflure? Das macht man, wenn man wegen eines Mist-Grundstückes einen Salto und zig Pirouetten drehen muss.
Ich würde eh Büro und Küche tauschen, bzw WZ dort, wo Büro ist und Büro dort, wo Küche ist.
Dann sehe ich das OG und das Dilemma mit dem Reihenhaus-Kinderzimmer. Das muss ja wohl wirklcih nicht sein. Daran sieht man: die Treppe ist willkürlich platziert.
 
Zuletzt aktualisiert 22.12.2025
Im Forum Grundrissplanung / Grundstücksplanung gibt es 2554 Themen mit insgesamt 88557 Beiträgen


Ähnliche Themen zu Feedback zur Grundriss-Planung 150 qm
Nr.ErgebnisBeiträge
1Grundrissfrage, Treppe, Fenster, Ausrichtung 12
2 2 Vollgeschosse, Durchgang Garage, Hauswirtschaftsraum unter Treppe 25
3Grundriss 120 m², Einfamilienhaus 1,5, Carport. Meinungen, Ideen, Vorschläge 42
4OG Stadtville optimieren. Fenster Bodentief - Seite 13104
5Haus ohne Garage und Keller? Ausbau Dachboden? Fresswarze? - Seite 585
6Kleinstmögliches Fenster für Lüftung Hauswirtschaftsraum 22
7Hauswirtschaftsraum Raum ohne Fenster - Lüftungsanlage ausreichend? 26
8Speisekammer vs. größere Küche vs. Hauswirtschaftsraum 13
9Geschlossene Küche planen mit Durchgang zum Hauswirtschaftsraum - Seite 318
10Aufmusterung Elektro, Q2, Badfliesen, Drempel, bodentiefe Fenster - Seite 223
11Grobe Schnitzer im Grundriss? Küche zu klein? 39
12Haus, Garage / Carport auf dem Grundstück platzieren - Seite 493
13Nordterrasse und Küche im Süden? Feedback erwünscht 37
14Grundrissplanung für Einfamilienhaus mit Keller und Garage/Carport - Seite 321
15Planung HAR/Hauswirtschaftsraum - Technikpläne unbekannt 12
16Grundriss-Änderung Einfamilienhaus 150 m² aufgrund von Treppe 36
17Grundriss Einfamilienhaus 150qm - Fenster- und Badplanung - Seite 218
18Grundriss EFH 230qm mit Carport quadratisches Eckgrundstück 47
19 Küchenplanung mit tiefen Fenster 43
20Grundrissfrage, Garage, Treppe - Seite 533

Oben