Grundstück vorhanden - wie nutzen?

4,00 Stern(e) 11 Votes
Zuletzt aktualisiert 26.11.2025
Sie befinden sich auf der Seite 8 der Diskussion zum Thema: Grundstück vorhanden - wie nutzen?
>> Zum 1. Beitrag <<

Yaso2.0

Yaso2.0

Ich hätte die Grenze weiter östlich vermutet, so dass der Baum an der Straße auf dem Nachbargrundstück steht und er damit ohne Nachbarzustimmung tabu ist.
Ne, der eine Baum steht auf meinem Grundstück, direkt daneben ist die Grenze. habe wohl die Linie etwas unruhig eingezeichnet. Sorry hatte es auf die schnell so eingezeichnet.

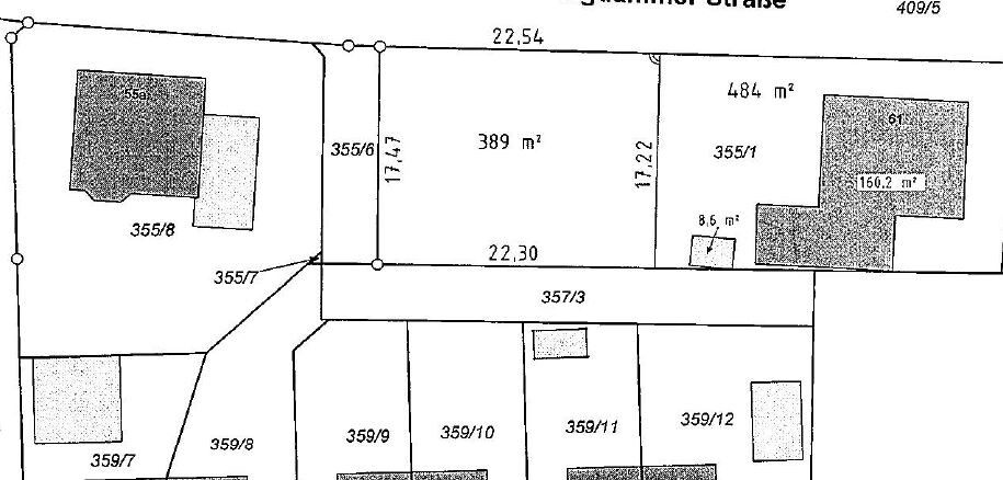
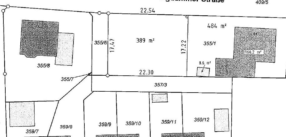
Lageplan: Parzellen 355/6, 355/7, 355/8; 389 m²; Gebäude markiert.
 
kaho674

kaho674

Und wieso soll der weichen müssen?
Bäume sind ein wertvolles Gut. Sie gedankenlos umzuhacken, ist eine Sünde. Einmal gefällt, braucht es mehrere Jahrzehnte, bis wieder etwas Vergleichbares dort steht. Bei der immer länger anhaltenden Hitze freut man sich doch, wenn man darunter ein Schattenplätzchen findet.
Wir versuchen gerade mit extremsten Aufwand unsere Neupflanzungen aufzupeppeln. Jedes Blatt wird bejubelt. Da kannst Du Dir vielleicht vorstellen, wie einem das Herz blutet, wenn jemand irgendwo die Säge ansetzt.
Bau doch drumrum. Häuser mit Baum sind total in. Frag mal @Oakland.
 
Yaso2.0

Yaso2.0

Und wieso soll der weichen müssen?
Bäume sind ein wertvolles Gut.
der Baum soll nicht weichen, er steht auf meinem Grundstück. Es geht mehr um diesen Riesen „Busch“ der zu einem Teil auf meinem Grundstück steht und zu einem Teil auf dem anderen.

Ich geh gleich mal los und mach ein Bild, ich weiß nicht mal um welches Gewächs es sich handelt..
 
Yaso2.0

Yaso2.0

So, haben uns das ganze "gestüpp" noch mal genauer angesehen.. ziemlich dicht und verwuchert..

Aber unsere Erkenntnis, gepflanzt wurde das ganze auf unserem Grundstück. Das müsste ja bedeuten, ich könnte/dürfte es entfernen, richtig?
 
Zuletzt aktualisiert 26.11.2025
Im Forum Bauplanung gibt es 5072 Themen mit insgesamt 100818 Beiträgen


Ähnliche Themen zu Grundstück vorhanden - wie nutzen?
Nr.ErgebnisBeiträge
1Wert Grundstück und Bungalow B55 11
2Angebot für eine Doppelhaushälfte mit Grundstück ok? 11
3Finanzierung Grundstück jetzt, Haus in 6 Monaten? 17
4Eigenheim Bauen? Grundstück in Aussicht 19
5Grundstück jetzt-Hausbau nächstes Jahr 23
6Finanzierung des Grundstück: Muss die gesamte Finanzierung stehen? 11
7Grundstück bezahlt - Bauen mit zusätzlich Darlehen? - Seite 216
8Winkelbungalow auf Grundstück 800m2 - Finanziell machbar? 16
9Was haltet Ihr von diesem Grundstück? 11
10Grundstück bekomme ich geschenkt. Wie den Bau finanzieren? 16
11Grundstück von Vater kaufen - Hausbau ja oder nein? 11
12Ist das Grundstück das richtige für uns? - Seite 215
13Grundstück für Haus kaufen bitte um Rat ! - Seite 246
14Kosten/Planung Grundstück, Baunebenkosten Schlüsselfertig usw. 27
15Grundstück - Entscheidung? 14
16Grundstück trennen und Bauland generieren? Wo anfragen? 14
17Unser Grundriss von 120qm auf 469qm Grundstück - Seite 673
18Grundstück reserviert, Baufinanzierung Plan, Architekt/Bauantrag 21
19Wieviel Grundstück und Haus können wir uns leisten? 25
20Meinungen zum Grundstück am Hang. 22

Oben