Grundriss-Ideen Einfamilienhaus als Anbau mit 3 Kinderzimmern und Büro

4,90 Stern(e) 7 Votes
Zuletzt aktualisiert 19.11.2025
Sie befinden sich auf der Seite 2 der Diskussion zum Thema: Grundriss-Ideen Einfamilienhaus als Anbau mit 3 Kinderzimmern und Büro
>> Zum 1. Beitrag <<

B

Ben_des

Das verstehe ich noch. Ihr wollt aus einem Einfamilienhaus ein Doppelhaus machen. Bzw ist es ja schon ein Doppelhaus. Hinsichtlich dessen würde ich als erstes überprüfen (lassen), ob das auf dem Grundstück machbar ist. Zweite Wohneinheit, Hausnummer, eventuell Teilung des Grundstücks, Grundflächenzahl dann noch passend etc. Dafür wäre das Bauamt da. HäuslebauerFirmen überprüfen so etwas vorerst nicht, die rechnen erst einmal pauschal einen Hauspreis aus, erst viel zu spät werden die Kohlen aus dem Feuer geholt.
Mit denen bin ich schon in Kontakt. Geschossflächenzahl = 0,6, mit Zugang, etc sind es 0,8. Eine Skizze von einem Bauträger mit einem Anbau von 8,5 x 8,5 wäre auch in Ordnung.
Ich dachte eigentlich, dass Ihr die Zimmer braucht. Wieso dann _Vermietung_?
Die Wohnung ist schon seit Jahren vermietet. Der Platz wird erst jetzt mit den Kindern knapp.

Im Altbestand oder im neuen Haus?
und wie soll das im Alltag laufen? Kinder schlafen im Neubau, ihr im Altbau? Und dann immer raus zwischen zwei Eingängen und Häusern pendeln?
Keiner pendelt irgendwo. Es soll ja ein eigenständiges Haus mit eigenständigem Eingang sein, dass aufgrund der Vermeidung von Abstandsflächen nur angebaut werden soll.

Meinst Du damit das Alter des Kellers ? - das Haus an sich schätze ich wie a.a.O. gesagt jünger, und Dein skizziertes Gesamtgebäude würde eine Bautiefe von 22 Metern erreichen (!)
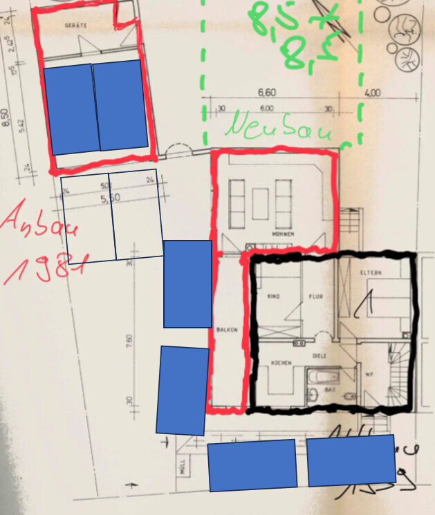
Anbei eine Skizze des Objekts. Ich hoffe daraus wird es klarer (?).
Schwarz ist die Doppelhaushälfte von 1939, rot die Anbauten von 1981 (Balkon, „Wohnzimmer“ und Doppelgarage).
Bzgl. der Tiefe hast du Recht. Ich finde aber nichts gegenteiliges im Bauplan und das Planungsamt hat sich darüber auch nicht beschwert.

2D-Grundrissplan eines Hauses mit Garage, Wohnzimmer, Küche und Elternzimmer


Wollt Ihr den Keller vom Altbestand versetzen? Altbestand abreißen? Oder wie willst Du den Bestandskeller nutzen? Da steht doch ein Haus drauf!
Nichts versetzen. Bodenplatte daneben und da das neue Haus drauf. Falls ich was in den Keller tun muss, nutze ich das Bestandsgebäude. Ist ja quasi mein Haus. Bin auch der einzige, der den „Wohnzimmerkeller“ nutzt. Dafür gibts auch einen Eingang vom Garten aus (auf obigem Plan eingezeichnet. Rechts neben dem Anbau).

Von dem bleibt dann nicht mehr viel übrig. Den kleinen Mädels bleibt der Balkon.
Das stimmt leider. Die 3m zur Grundstücksgrenze hin. Dachterrasse auf Balkon wäre eine Option. Irgendeinen Tod muss ich leider sterben.

Warum kündigt Ihr nicht den Mietern und setzt die Kinder ins Dachgeschoss und macht innen für Euch von dem Geld eine Sanierung?
Da gibt es mehrere Gründe:
- Das ganze ist ohne eine lange Baustelle und Dreck im Haus schwer vorstellbar (meine Frau halt ultra Angst vor Asbest „und dem ganzen giftigen Zeugs“ und will da nichts „aufwirbeln“. Ich weiß dass die Problematik nicht zu groß ist. Aber ihr wisst ja, Frauen…
Die lange Baustelle im Haus wollen wir vermeiden. Wir leben und arbeiten ja drin.

- Der Mieter wäre weg und würde nichts refinanzieren
- Die „Förderungen“ (bzw. Darlehen) sind für Neubauten ja besser und es gibt mehr. Bspw. kommt neue Technik rein, neue Photovoltaik aufs Dach, Wärmepumpe, Luftaustausch).
- Das alte Haus könnte ich irgendwann mal komplett abreißen und auch was neues hinstellen. Mit einer Sanierung kann ich nur teilweise modernisieren. Es bleibt ja dennoch ein Altbau.
Beim Neubau hätte ich eine zeitlang „Ruhe“.
- Wir brauchen einen separaten Eingang. Die Problematik von Frau und eigener Mutter “fällt bei mir etwas stärker aus“. Treppenhaus sollte von uns und meiner Mutter mit Partner (EG) sowie Mieter (OG) getrennt sein.

Meinst Du damit das Alter des Kellers ? - das Haus an sich schätze ich wie a.a.O. gesagt jünger, und Dein skizziertes Gesamtgebäude würde eine Bautiefe von 22 Metern erreichen (!)
S.o.


Ich bin offen wenn ich das falsch sehe. Daher bin ich ja hier im Forum. Aber das sind erstmal die Gründe.


Schließe mich den Vorrednern an. Bevor Ihr wild irgendwelche Schnappsideen plant, nutzt doch erstmal den Bestand optimal. Wie groß ist der vermietete Bereich? Kann dem Mieter gekündigt werden oder ist das Verwandtschaft o.ä.?
Der Bereich sind 64qm. Das Klo ist in einem extra kleinen Zimmerlein. Der Dachboden darüber ist sogar ausgebaut. Die Umbauidee an sich wäre ja schön. Wenn die Kosten nicht so hoch wären, so dass ich fast ein neues Haus hinstellen kann und zudem keine „ewige“ Baustelle wäre.
Es macht ja einen Unterschied ob ich Summe x mit dem Mieter refinanzieren und im neuen Haus ohne Dreck wohnen kann oder ob ich Summe y ausgeben muss, diese komplett alleine finanziere und dann noch eine lange Baustelle mit Krach und Dreck im Haus habe.

Wie gesagt, nur unser Verständnis. Korrigiert mich gerne und bringt mich auf den Pfad der Erleuchtung. :) Dazu bin ich ja hier.


Danwood liefert für Standardlösungen ordentliche Qualität, und ist schwer zu schlagen wenn es um Preis/Leistung für vollständig schlüsselfertige Lösungen ohne Luxusansprüche angeht. Aber bei dir wird ganz bestimmt keine Standardlösung möglich sein (Brandschutz usw.), daher denke ich nicht dass Danwood da unbedingt Ansprechpartner Nr. 1 sein soll.
Da hast du vollkommen Recht. Standardlösung kann es ja allein wegen der Kommunwand nicht. Die Seite ist ja quasi dunkel und ich benötige dann das Licht durch andere Fenster oder Öffnungen.
Wir hatten bereits Termine mit Fertighausanbietern (Schwörerhaus, Allkauf Haus, Hanse Haus) und am Freitag wieder zwei (Bien-Zenker, Fingerhut Haus). Mit weiteren hatte ich zumindest telefonischen Kontakt. Ein Bauträger war auch schon da. Die kennen immer die Problematik. Konkrete Angebote gibt es aber noch keine.
Laut den Herstellern kommt man da schon mit Kran hin. Die Straße der Nordseite ist eine große Durchgangsstraße und müsste dafür teilweise gesperrt werden.


Was sagt der Bebauungsplan zum Baufenster? So ein riesen Baufenster kann ich mir nicht wirklich vorstellen. Ist die Grundflächenzahl nicht schon ausgereizt?
Laut Planungsamt passt es. Ich dürfte nur nicht noch mehr zubauen, denn dann wirds kritisch. 8,5 x 8,5 soll ok sein.
Das größere Problem sind wohl die Stellplätze. Wenn ich aufs bestehende Gelände insgesamt irgendwie 6 bekomme, ist es ok.
Aber da wirds wohl schwer.

Ich hoffe das Ganze ist nun verständlicher?
 
H

Harakiri

Die reine Förderungen für Altbau, insbesonders falls du alles als energetische Sanierung & altersgerechten Umbauen einplanen kannst (ggf. auch abschnittsweise umsetzen), sind eigentlich noch viel, viel besser als für Neubau.

Und auch in Altbau kann man viel erreichen - inkl. Photovoltaik (sofern Dachform überhaupt hergibt), Wärmepumpe usw.
 
H

hanghaus2023

Laut Planungsamt passt es. Ich dürfte nur nicht noch mehr zubauen, denn dann wirds kritisch. 8,5 x 8,5 soll ok sein.
Das größere Problem sind wohl die Stellplätze. Wenn ich aufs bestehende Gelände insgesamt irgendwie 6 bekomme, ist es ok.
Aber da wirds wohl schwer.
Die Aussage des Amtes ist nix wert. Dein Bauantrag sollte nachweisen, das die Geschossflächenzahl eingehalten wird. Ebenso die EInhaltung der Anzahl der Stellplätze.
 
Y

ypg

Es soll ja ein eigenständiges Haus mit eigenständigem Eingang sein, dass aufgrund der Vermeidung von Abstandsflächen nur angebaut werden soll.
Das war so nicht rauszulesen: Du hattest nur 3 Kinderzimmer, Küche und 2 Bäder und Büro erwähnt, nicht aber Wohn- und Schlafzimmer ( deshalb die Nachfrage und Unverständnis)
Du willst noch nicht einmal einen Technikraum einplanen… insofern wird das neue Haus ja nicht eigenständig funktionieren.

Vermietung und damit Refinanzierung des Hauses möglich
Was meintest Du denn damit?

Das Problem liegt auf der Hand und in Deiner Planung, dass Du vieles vermischst. Während ein Anbau einer Wohneinheit zugehörig ist, möchtest Du ein eigenständiges Haus anbauen. Wenn man die Eigenständigkeit genau nimmt, müsste man wohl das Grundstück teilen, ggf ideell teilen. Es gehört Abstellfläche zu einem Haus wie auch Technik. Anschlüsse werden an das Haus gelegt. Natürlich kannst Du privat noch den alten Keller Deines alten Hauses nutzen, aber wirtschaftlich ergibt sich dann eine Abhängigkeit. Einfach mal so Technik vom Altbestand nutzen und später Altbestand abreißen, ist nicht. Ein Neubau muss sich den neuen Erneuerbare-Energien-Gesetz-Bestimmungen unterordnen. Ein Haus sollte auch für eine spätere Abspaltung (Verkauf, Vermietung… ob alt oder neu) funktionieren.

Ich gehe mal davon aus, dass die 8,5 x 8,5 sich aus der Rechnung aus der Grundflächenzahl bzw Geschossflächenzahl ergeben haben?
Bei 8,5 x 8,5 bist Du ca. bei 55-60qm Wohnfläche eines Geschosses. Hast Du mal ausgerechnet, was da rauskommt an Raumflächen, wenn man davon ausgeht, dass Du keinen 3-geschossigen Turm bauen willst? Nicht dass man 50qm Allraum braucht. Aber 4 Schlafzimmer je 12qm, kleines Wannen und kleines Duschbad zusammen 12qm, TK von 8qm, AB von 2qm, Büro von 8qm und Flure inkl Treppe von 20qm bin ich für den Rest (Küche, Ess und WZ) bei 22qm. …

Zudem wird das Grundstück vergewaltigt, sodass man Garten schon gar nicht mehr findet. Wo wäre also da der Mehrwert?

Der Bereich sind 64qm. Das Klo ist in einem extra kleinen Zimmerlein. Der Dachboden darüber ist sogar ausgebaut. Die Umbauidee an sich wäre ja schön. Wenn die Kosten nicht so hoch wären, so dass ich fast ein neues Haus hinstellen kann und zudem keine „ewige“ Baustelle wäre.
Das liest sich doch ideal: von der Fläche her ideal für 3 Kinderzimmer. Es ist das Nachvollziehendste, Ökologischste und mit den Förderungen das Wirtschaftlichste und letztendlich das Naheliegendste, die Räume oben für die Kinder ausbauen zu lassen, selbst für ein halbes Jahr mal raus in eine Ferienwohnung und währenddessen alles Schicki zu machen.
Ich hätte schon mit zwei Personen keine Lust auf diese beengte Wohnfläche, ja und auch Garten ist ist nach Definition mehr als ein 3-Meter-Streifen.
Ihr habt, so denke ich, derzeit zu viele Nachteile durch die Altimmobilie und Euch in den Gedanken des Neubaus verschossen. Die Folgen sollte man absehen können.
Ich rate deshalb ab von der Maträtierung eines schönen Wohngrundstückes.

Aber ihr wisst ja, Frauen…
Nein, was meinst Du denn?
 
Zuletzt aktualisiert 19.11.2025
Im Forum Grundrissplanung / Grundstücksplanung gibt es 2536 Themen mit insgesamt 87979 Beiträgen


Ähnliche Themen zu Grundriss-Ideen Einfamilienhaus als Anbau mit 3 Kinderzimmern und Büro
Nr.ErgebnisBeiträge
1Erfahrungen Fertighäuser 10
2Hanse Haus oder Rensch-Haus Niederbayern 34
3Hanse Haus Erfahrungen, Hanse Haus Preise, Zufriedenheit? 11
4Hanse Haus - Erfahrungsbericht, von Planung bis Fertigstellung 23
5Allkauf Haus bietet Vollkeller für 9999€?! - Seite 218
6Allkauf Haus Finanzierungsvorbehalt 50
7Allkauf Haus Fertighaus-Werkvertrag nicht änderbar - Rechtlich ok? 11
8Erfahrungen mit Allkauf Haus im Raum BaWü 17
9Allkauf Haus Erfahrungen - Wer kann über die Firma berichten? - Seite 210
10Absage des Montagetermins bei Allkauf Haus - Kosten oder Schadenersatz? 36
11Allkauf Haus. Erfahrung zum Thema Rücktritte 18
123D Hausmodell vom Architekten von Allkauf Haus 20
13Herangehensweise Fertigbauhäuser 14
14Anbieterempfehlung Raum Düsseldorf 11
15Schwörerhaus Erfahrungen, Preise? 11
16Haus bauen, Haus kaufen oder...? - Seite 570
17Grundriss, Bauen mit Baum, Einliegerwohnung und Altbestand 105
18Mehldorfer Flachverblender vs. „richtige“ Klinker - Seite 211
19 Wie lange dauert die Findungsphase? Ansprüche bei Baufirmen 15
20Bauträger oder freier Architekt 26

Oben