ᐅ Planung Anbau für Haus der 60er
Erstellt am: 12.06.19 14:37
L
LordNibbler12.06.19 14:37Hallo,
wir planen mittelfristig bei unserem Haus den vorhandenen Wintergarten durch einen neuen Anbau zu ersetzen. Bisher haben wir schon ein paar Ideen, aber wir noch Zeit haben. Jedoch wollen wir das Ziel vor Augen haben, um z.B. nötige Vorleistungen zu erledigen bzw. uns auch nichts zu verbauen.
Zur Einleitung nutze so weit wie möglich ich den Fragebogen für die normale Grundrissplanung, wobei viele Antworten natürlich den Ist-Zustand wiedergeben:
Bebauungsplan/Einschränkungen

Anforderungen der Bauherren
Hausentwurf
Reiehenfolge: Kellergeschoss, Erdgeschoss, Obergeschoss, Schnittzeichnung

Außenansichten:

3D-Zeichnung mit Vergleich Original (mit alter Terrasse) und Wintergartenanbau (inkl. neuer Terrasse):

(dunkelgrüner Rasen = Baufenster)
Wie anfangs erwähnt planen wir mittelfristig den Wintergarten durch eine bessere Lösung zu ersetzen.
Ziel ist es einen Raum zu haben, der eine ähnliche Funktion hat. D.h. ein sonniger Raum, in dem man einen schönen Blick auf den Garten hat, z.B. durch große Hebeschiebetüren. Jedoch soll er auch die Ansprüche an einen Wohnraum gerecht werden (also vernünftige Wärmedämmung, massive Wände statt Aluprofile, ordentliche Heizung, dichtes Dach)
Wir sind uns aber noch nicht bei einigen grundlegenden Dingen sicher:

Variante 2:
Variante 3:
Bisherige Nutzung:
Im Obergeschoss wird das Schlafzimmer genau für diesen Zweck genutzt. D.h. es muss auch nicht größer sein, da wir ja die meiste Zeit woanders sind. Auch ein begehbarer kleiderschrank ist unnötig oder ein Waschtempel.
Das Bad ist von der Größe ausreichend, da wird nach Umbau ohne Probleme Dusche + Badewanne + WC + waschbecken reinpassen. Die Extra-Dusche wird entfallen, das wird ein Abstellraum - u.U. wandert das WC aus dem Bad dort hin).
Das andere Zimmer ist Arbeits- und Gästezimmer. Es scheint so, dass es nun doch noch mit Nachwuchs klappt, also könnte das bald zum Kinderzimmer werden. Gäste können problemlos im Wohnzimmer schlafen und Homeoffice ließe sich auch anderswo erledigen (ist ja nur mobiles Arbeiten bei Bedarf und kein Außendienst).
Es wäre natürlich interessant, was ein Anbau für grundsätzliche Möglichkeiten bietet aus dem Erdgeschoss mehr rauszuholen. Ungerne würde ich die Küche versetzen, sie hat jetzt gerade nagelneue Strom, Wasser- und Abwasserleierungen und muss nur noch renoviert neu möbliert werden. Die Größe ist ausreichend und auf eine offene Küche verzichten wir gerne.
Eventuell gibt es noch eine ganz andere bzw. ergänzende Variante:
Laut Bebauungsplan ist das Grundstück das einzige, bei dem die Garagenfläche mit zum Baufenster gehört. D.h. hier darf scheinbar auch eine Wohnbebauung erfolgen. Jedoch ist die Ecke durch die Nachbarbebauung etwas schattig, sodass das EG kaum für Wohnzwecke geeignet wäre (aber vielleicht Garage mit Arbeits-/Gästezimmer im OG).
Welche Variante würdet ihr am ehesten bevorzugen oder sehe ich den Wald vor lauter Bäumen nicht?
Was mag solch ein Anbau (voll-unterkellert!) ungefähr kosten?
Ich danke vorab an die Runde und beantworte gerne Nachfragen.
wir planen mittelfristig bei unserem Haus den vorhandenen Wintergarten durch einen neuen Anbau zu ersetzen. Bisher haben wir schon ein paar Ideen, aber wir noch Zeit haben. Jedoch wollen wir das Ziel vor Augen haben, um z.B. nötige Vorleistungen zu erledigen bzw. uns auch nichts zu verbauen.
Zur Einleitung nutze so weit wie möglich ich den Fragebogen für die normale Grundrissplanung, wobei viele Antworten natürlich den Ist-Zustand wiedergeben:
Bebauungsplan/Einschränkungen
- Größe des Grundstücks: 787m²
- Hang: nein, nur leichtes Gefälle
- Grundflächenzahl: 0,2
- Geschossflächenzahl: 0,3
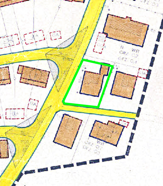
- Baufenster, Baulinie und -grenze: siehe Bebauungsplan, die Nordseite vom Gebäude ist Baulinie, sonst darf ca. noch 2x soviel bebaut werden
- Bebauungsplan (1. Änderung) (farbig)
- Bebauungsplan (2. Änderung) (Änderungen nicht relevant, aber etwas besser lesbar, schwarz-weiß)
- Auszug Bebauungsplan (genordet):
- Randbebauung: eigentlich nicht, jedoch ist die gesamte Garage/Freistz laut Bebauungsplan im Baufenster und darf als I WR voll bebaut werden
- Anzahl Stellplatz: Ist: Einfahrt bietet Platz für 2x2 PKW und 1x Garage, Soll: 2 Stellplätze (in Doppelgarage)
- Geschossigkeit: 1 (I WR)
- Dachform: Satteldach, Kniestock 108cm
- Stilrichtung: im Originalzustand Elemente des Heimatstils, abgewandeltes Standardmodell der Niedersächsische Heimstätte in verbesserter Ausführung/Ausstattung
- Ausrichtung: Balkon/Terrasse im Süden
- Maximale Höhen/Begrenzungen: keine Vorgaben
- weitere Vorgaben: Bebauungsplan macht keine Einschränkungen
Anforderungen der Bauherren
- Keller, Geschosse: 1 KG, 1 EG, 1 OG (teilweise Schrägen), 1 Spitzboden
- Anzahl der Personen, Alter: 2 (35 + 37)
- Raumbedarf im EG, OG
- Büro: Homeoffice + Gästezimmer
- Schlafgäste pro Jahr: 4 x je 2-3 Personen
- geschlossene Architektur
- konservative Bauweise mit modernen Elementen (zum Haustyp passend)
- geschlossene Küche
- Anzahl Essplätze: Frühstücksplatz in Küche, Essbereich im Wohnzimmer
- Kamin: für Wohnzimmer geplant
- Musik/Stereowand: TV mit 7.1-Sound vorhanden
- Balkon: vorhanden, aber unnötig
- Dachterrasse: nein
- Garage: vorhanden, zu klein, Ziel: Doppelgarage
- Carport: nein
- Nutzgarten: ja
- Treibhaus: nein
Hausentwurf
- Von wem stammt die Planung:
- Original ist ein Typenhaus der Niedersächsischen Heimstätte
- jedoch Bau in Wolfsburg für die Mittelschicht der 60er
- mit Abwandlung gegenüber Standard (Bad mit Bidet [sonst Kinderzimmer], zus. Dusche im OG [sonst Bad], zus. WC im EG, nur ein Kaminzug wegen Fernwärmeversorgung, Echtholzparkett)
- auf die Terrasse wurde ca 1995 ein Wintergarten gesetzt (Balkon mit Bittumendach verlängert)
- Freisitzdach wurde verlängert und Front mit Glasschiebetüren verschlossen
- Klinkerriemchen an zwei Hausseiten, WDVS an zwei anderen Hausseiten
- Was gefällt besonders? Warum? Kompakt und nicht zu groß, noch etwas 60er-Flair aber nicht altbacken
- Was gefällt nicht? Warum? Wohnzimmer durch Wintergarten zu dunkel, teilweise zu schmal für sinnvolle Einrichtung
- Preisschätzung lt Architekt/Planer: n/v
- Persönliches Preislimit fürs Haus, inkl Ausstattung: n/v
- favorisierte Heiztechnik: zur Zeit Fernwärme für Heizung (Hochdruck, direkt ohne Wärmetauscher), Warmwasser Durchlauferhitzer/Boiler. Geplant: Fernwärme für Heizung und Warmwasser mit Pufferspeicher mit Anschlussmöglichkeit für zusätzliche alternative Energiearten (Solarthermie, Geothermie [nur Flachgründung erlaubt!]). Luftwärmepumpe vermutlich ungeeignet, da keine Fußbodenheizung, evtl nach Sanierung in Bad/Küche möglich.
Reiehenfolge: Kellergeschoss, Erdgeschoss, Obergeschoss, Schnittzeichnung
Außenansichten:
3D-Zeichnung mit Vergleich Original (mit alter Terrasse) und Wintergartenanbau (inkl. neuer Terrasse):
(dunkelgrüner Rasen = Baufenster)
Wie anfangs erwähnt planen wir mittelfristig den Wintergarten durch eine bessere Lösung zu ersetzen.
Ziel ist es einen Raum zu haben, der eine ähnliche Funktion hat. D.h. ein sonniger Raum, in dem man einen schönen Blick auf den Garten hat, z.B. durch große Hebeschiebetüren. Jedoch soll er auch die Ansprüche an einen Wohnraum gerecht werden (also vernünftige Wärmedämmung, massive Wände statt Aluprofile, ordentliche Heizung, dichtes Dach)
Wir sind uns aber noch nicht bei einigen grundlegenden Dingen sicher:
- eigenständiger Raum oder große Öffnung zum Wohnzimmer (und ggf. dort Abtrennung - also "Drehung des Wohnzimmers")
- was passiert mit dem Schlafzimmer (Balkon ist nicht nötig, bisher keine Dachschräge, entsteht ein toter Raum oder ein Durchgangszimmer)
- welche Dachform (bestehendes verlängern, neues Dach mit flacherer Neigung davor, Seitenflügel mit eigener Firstrichtung, jedoch kein Flachdach oder Kubus)
- "Eigenständiger" Anbau mit eigenem First
- Vorteil: Tiefe variabel nach Flächenbedarf, solang die Proportionen zum Haupthaus i.O. sind
- Nachteil: Schlafzimmer wird zum Durchgangszimmer mit wenig Licht und welchen Zweck hat daszusätzliche Zimmer im OG (2m-Linie beachten)?
Variante 2:
- eigenes Dach mit flacherem Winkel
- Vorteil: Größe weiterhin variabel, Licht im Schlafzimmer (Balkontür wird zu Fenster)
- Nachteil: Optik und Proportionen, zu flaches Dach
Variante 3:
- Verlängerung bestehendes Dach,
- Vorteil: beste optische Lösung, dezente moderne Elemente möglich (z.B. großes Fenster), dadurch Licht im Schlafzimmer da Balkontür als bodentiefes Fenster mit Brüstung bestehen bleibt
- Nachteil: Schlafzimmerfenster (ehm. Balkontür) ins Zimmer, Raumtiefe durch Schnittpunkt mit Dach exakt definiert.
Bisherige Nutzung:
Im Obergeschoss wird das Schlafzimmer genau für diesen Zweck genutzt. D.h. es muss auch nicht größer sein, da wir ja die meiste Zeit woanders sind. Auch ein begehbarer kleiderschrank ist unnötig oder ein Waschtempel.
Das Bad ist von der Größe ausreichend, da wird nach Umbau ohne Probleme Dusche + Badewanne + WC + waschbecken reinpassen. Die Extra-Dusche wird entfallen, das wird ein Abstellraum - u.U. wandert das WC aus dem Bad dort hin).
Das andere Zimmer ist Arbeits- und Gästezimmer. Es scheint so, dass es nun doch noch mit Nachwuchs klappt, also könnte das bald zum Kinderzimmer werden. Gäste können problemlos im Wohnzimmer schlafen und Homeoffice ließe sich auch anderswo erledigen (ist ja nur mobiles Arbeiten bei Bedarf und kein Außendienst).
Es wäre natürlich interessant, was ein Anbau für grundsätzliche Möglichkeiten bietet aus dem Erdgeschoss mehr rauszuholen. Ungerne würde ich die Küche versetzen, sie hat jetzt gerade nagelneue Strom, Wasser- und Abwasserleierungen und muss nur noch renoviert neu möbliert werden. Die Größe ist ausreichend und auf eine offene Küche verzichten wir gerne.
Eventuell gibt es noch eine ganz andere bzw. ergänzende Variante:
Laut Bebauungsplan ist das Grundstück das einzige, bei dem die Garagenfläche mit zum Baufenster gehört. D.h. hier darf scheinbar auch eine Wohnbebauung erfolgen. Jedoch ist die Ecke durch die Nachbarbebauung etwas schattig, sodass das EG kaum für Wohnzwecke geeignet wäre (aber vielleicht Garage mit Arbeits-/Gästezimmer im OG).
Welche Variante würdet ihr am ehesten bevorzugen oder sehe ich den Wald vor lauter Bäumen nicht?
Was mag solch ein Anbau (voll-unterkellert!) ungefähr kosten?
Ich danke vorab an die Runde und beantworte gerne Nachfragen.
L
LordNibbler12.06.19 14:38LordNibbler schrieb:
Laut Bebauungsplan ist das Grundstück das einzige, bei dem die Garagenfläche mit zum Baufenster gehört. D.h. hier darf scheinbar auch eine Wohnbebauung erfolgen.Wohnraum ohne Grenzabstand sehe ich hier eher nicht, es ist ja kein Doppelhaus.Mir fällt bislang nichts ein, daher sage ich hier nach dem ersten Lesen zunächst nur: Danke für das interessante Projekt und die anschauliche Aufbereitung der Grundlagen.
LordNibbler schrieb:
(dunkelgrüner Rasen = Baufenster)... noch schöner wären farbliche Unterschiede, wo "Anbau" bzw. "Änderungen" beginnen.https://www.instagram.com/11antgmxde/
https://www.linkedin.com/company/bauen-jetzt/
L
LordNibbler03.12.19 11:41Ich möchte diesen Thread wiederbeleben und reiche die colorierten Bilder nach.
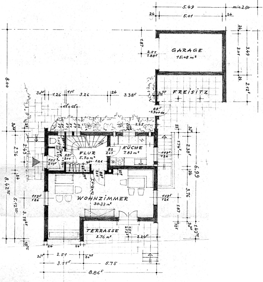
Zuerst der Bestand: Hier gelb markiert der Wintergarten und die Balkonplatte des Obergeschosses sowie die derzeitige Terrasse. Das alles ist in keinem guten Zustand, verdunkelt das Wohnzimmer und soll deswegen ersetzt werden.

Die Idee ist es, an gleicher Stelle einen vollunterkellerten Anbau zu setzen. Die Frage ist, ob ein- oder zweigeschossig und in welcher Ausführung.
Die erste Variante wäre ein "normaler" Anbau, der einen größeren Eingriff ins Dach erfordert:

Die zweite Variante nur eingeschossig, jedoch mit mehr Raumhöhe. Dafür wird aus der Balkontür im OB ein Fenster:

Die dritte Variante eine Fortführung der Dachfläche und ein Galeriefenster vom Schlafzimmer in den neuen Raum.

Die zweite und dritte Variante sind von der Größe limitiert, da diese von anderen Bestandsobjekten (Dach, Fenster) abhängig ist. Die erste Variante bietet die meiste Flexibilität. Im folgenden ein paar Grundrissideen zur 1. Variante.
Da inzwischen Nachwuchs ansteht, geht das bisherige Gäste- und Arbeitszimmer verloren. Zumindest fürs Homeoffice wird es erst mal eine Lösung im Abstellraum OG westlich geben. Auf Dauer wäre aber wieder ein Gäste- und Arbeitszimmer besser, vor allem auch als Reserve falls doch noch ein Nachwuchs #2 kommen sollte.
Die Idee wäre im EG das Wohnzimmer durch den Anbau zu vergrößern. Zur Zeit ist der westliche Bereich die Wohnecke und östlich der Essbereich. Durch Vergrößerung der Tür zum derzeitigen Wintergarten könnte die östliche Seite von mehr Licht profitieren. Jedoch wäre ich mir unsicher über die Gestaltung und Anordnung der Möbel. Schon jetzt war es nicht einfach die Couch in Zusammenhang mit dem TV sinnvoll zu positionieren.
Alternativ könnte die Öffnung noch größer ausfallen und östlich ein eigenständiger Raum entstehen und der westliche Bereich auf Höhe des Trägers mit einer Wand abgetrennt werden.

Im OG stellt sich die Frage der langfristigen Nutzung. Würde der neue Raum nur an das jetzige Schlafzimmer angebaut werden, würde dieses zum Durchgangszimmer werden. Damit wäre eine Nutzung durch Gast oder Kind unmöglich. Daher die Idee einen Teil als Flur abzutrennen. Die Frage ist, ob sich das mit der Raumhöhe durch die Dachneigung im Seitenbereich des Anbaus sinnvoll umsetzen lässt.

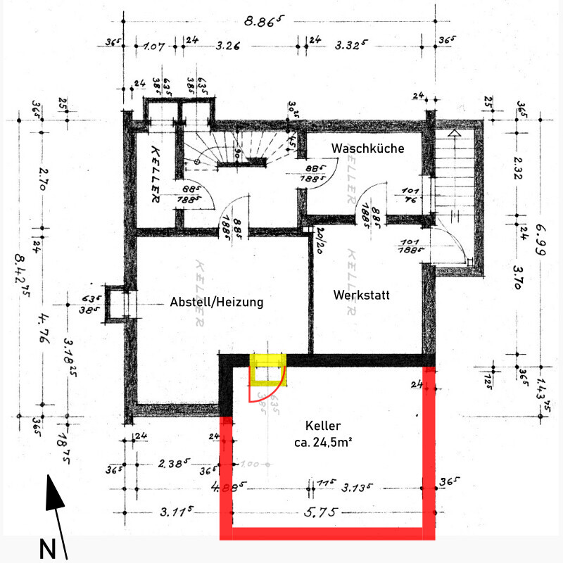
Im Keller passiert nichts ausgewöhnliches. Zwecks Erreichbarkeit der Drainage (die muss sowieso erneuert werden und ist zur Zeit unerreichbar unter dem Wintergarten) planen wir den Anbau auch unterkellert.

Gibt es Anregungen und Kritik zu den ersten Ideen? Alternativ wäre statt Erweiterung in den Süden auch ein Anbau an die Ostseite möglich. Das Baufenster ist in den 3D-Ansichten als abweichender Grünton erkennbar. Wo bekomme ich die genaue Bemaßung her? Im Bebauungsplan aus den 60ern ist es nur ungefähr erkennbar.
Zuerst der Bestand: Hier gelb markiert der Wintergarten und die Balkonplatte des Obergeschosses sowie die derzeitige Terrasse. Das alles ist in keinem guten Zustand, verdunkelt das Wohnzimmer und soll deswegen ersetzt werden.
Die Idee ist es, an gleicher Stelle einen vollunterkellerten Anbau zu setzen. Die Frage ist, ob ein- oder zweigeschossig und in welcher Ausführung.
Die erste Variante wäre ein "normaler" Anbau, der einen größeren Eingriff ins Dach erfordert:
Die zweite Variante nur eingeschossig, jedoch mit mehr Raumhöhe. Dafür wird aus der Balkontür im OB ein Fenster:
Die dritte Variante eine Fortführung der Dachfläche und ein Galeriefenster vom Schlafzimmer in den neuen Raum.
Die zweite und dritte Variante sind von der Größe limitiert, da diese von anderen Bestandsobjekten (Dach, Fenster) abhängig ist. Die erste Variante bietet die meiste Flexibilität. Im folgenden ein paar Grundrissideen zur 1. Variante.
Da inzwischen Nachwuchs ansteht, geht das bisherige Gäste- und Arbeitszimmer verloren. Zumindest fürs Homeoffice wird es erst mal eine Lösung im Abstellraum OG westlich geben. Auf Dauer wäre aber wieder ein Gäste- und Arbeitszimmer besser, vor allem auch als Reserve falls doch noch ein Nachwuchs #2 kommen sollte.
Die Idee wäre im EG das Wohnzimmer durch den Anbau zu vergrößern. Zur Zeit ist der westliche Bereich die Wohnecke und östlich der Essbereich. Durch Vergrößerung der Tür zum derzeitigen Wintergarten könnte die östliche Seite von mehr Licht profitieren. Jedoch wäre ich mir unsicher über die Gestaltung und Anordnung der Möbel. Schon jetzt war es nicht einfach die Couch in Zusammenhang mit dem TV sinnvoll zu positionieren.
Alternativ könnte die Öffnung noch größer ausfallen und östlich ein eigenständiger Raum entstehen und der westliche Bereich auf Höhe des Trägers mit einer Wand abgetrennt werden.
Im OG stellt sich die Frage der langfristigen Nutzung. Würde der neue Raum nur an das jetzige Schlafzimmer angebaut werden, würde dieses zum Durchgangszimmer werden. Damit wäre eine Nutzung durch Gast oder Kind unmöglich. Daher die Idee einen Teil als Flur abzutrennen. Die Frage ist, ob sich das mit der Raumhöhe durch die Dachneigung im Seitenbereich des Anbaus sinnvoll umsetzen lässt.
Im Keller passiert nichts ausgewöhnliches. Zwecks Erreichbarkeit der Drainage (die muss sowieso erneuert werden und ist zur Zeit unerreichbar unter dem Wintergarten) planen wir den Anbau auch unterkellert.
Gibt es Anregungen und Kritik zu den ersten Ideen? Alternativ wäre statt Erweiterung in den Süden auch ein Anbau an die Ostseite möglich. Das Baufenster ist in den 3D-Ansichten als abweichender Grünton erkennbar. Wo bekomme ich die genaue Bemaßung her? Im Bebauungsplan aus den 60ern ist es nur ungefähr erkennbar.
L
LordNibbler03.12.19 11:52Ähnliche Themen