ᐅ Lage von Haus & Garage im Baufenster planen *Vorplanung*
Erstellt am: 09.08.16 10:52
H
Häuslebau3r09.08.16 10:52Hallo zusammen,
ich lese ja schon des längeren eifrig im Forum und versuche mich so Stück für Stück an das Projekt „Hausbau“ heran zu tasten und somit das ein oder andere auch vorab zu lernen.
Dank der vielen Fachleute (Fachfrauen und Fachmänner), ist dies auch wirklich ein Genuss in dieser Art und Weise wie das hier gelebt wird. (schleimmodusaus) D
Wie in meinem ersten großen Thread bereits schon einmal erwähnt, sind wir nun gerade dabei uns über die evtl. Hausplanung bzw. Vorplanung und somit die Hausform und Ausrichtung auf dem Grundstück, schon vor dem ersten Termin bei evtl. Baufirmen, Gedanken zu machen.
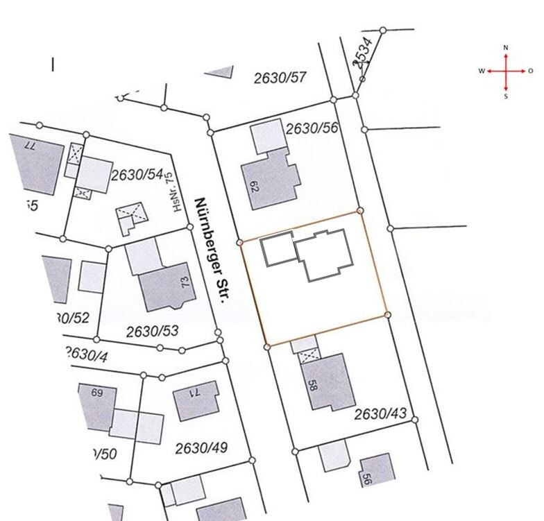
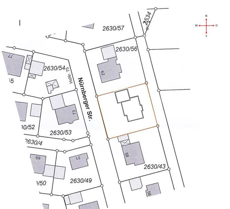
In Abwägung einiger Gesichtspunkte was das Grundstück betrifft wie zb. Preis und unbebauter Ostlage (schräg abfallend nach Osten) haben wir ein Grundstück in Mikrolage gefunden welches uns wirklich sehr gefällt. Unsere Wunschgröße konnten wir nun nicht ganz erreichen aber mit 770m² denke ich alle mal ausreichend. Hauptpunkt zum Pro des Grundstücks war uns, dass das Grundstück auch aus Eigenmitteln bezahlt werden konnte und somit heißt es nun bis Anfang 2018 (Baubeginn) weiter Eigenkapital ansparen / alle möglichen anderen Schulden tilgen.

Quelle: Auszüge aus den Bebauungsplan / selbst erstelle Bilder
Bauvoranfrage wurde bezüglich des gewünschten Baustils bereits durchgeführt bei welche ich auch eine Aufweitung des Baufenster bis hin zu 8 Meter an die Ostgrenze erhalten habe.
Die Tendenz geht aktuell zu einer eher klassischen Stadtvillen Bauweise (2 Vollgeschosse mit Walmdach 25Grad und Doppelgarage).

Quelle: Weberhaus
Aufgrund des Budget welches wir uns nun persönlich einmal gesetzt haben, planen wir nun vorab erst einmal ohne Keller. Sollte es sich im weiteren Verlauf als möglich darstellen, kann dieser Punkt ja noch mit einbezogen werden.
Musterhäuser welche vom äußeren Schnitt interessant sind, wurden zur Ideenfindung bereits angesehen was uns sogar mal von Bayern bei einem Besuch im Rheinland nach Wuppertal führte
Nun geht es uns vor den ersten Planungsgesprächen um die Findung der Best möglichen Ausrichtung des Hauses und der Garage in Verbindung mit dem Grundstück. wie zb:

Quelle: Auszüge aus den Bebauungsplan
Für mich ist ein Punkt bis dato fix und dieser ist das Treppenhaus, welches ich aufgrund der wirklich tollen Lichtverhältnisse unbedingt so haben möchte. Mich hat das beim ersten Anblick so fasziniert.

Quelle: Weberhaus
Des Weiteren sollte versucht werden, im Westen und Süden so viel Platz wie möglich zu erhalten um wie ich finde eine optimale Sonnenseite sowie Gartenfeeling zu erreichen.
Das ist aber auch der Knackpunkt, warum uns die Anordnung zwischen Haus und Garage Kopfzerbrechen breitet.
Fragen über Fragen, wie zb. sollte die Garage vor das Haus gelegt werden um somit im Süden wieder mehr Platz zu erhalten, oder doch lieber seitlich ans Haus (somit mit überdachtem Hauseingang) gelegt werden. (Durchgang von Garage ins Haus wäre auch angedacht). Oder doch Lieber der Hauseingang im Westen und dafür nicht so übderacht?

Quelle überdachter Hauseingang: Weberhaus
Gerne poste ich im Verlauf des Threads dann noch weitere Eckdaten welche benötigt werden würden, sollte ich nun auch noch etwas wichtiges vergessen haben.
Vorab müssten die oben stehenden Punkte wohl aber erst einmal geklärt sein, um dann die weiter Planung bezüglich der Positionierung Ess-,Wohn- und Küchenbereich usw. zu vollziehen. (Tendenz natürlich immer in Richtung Süd/West wie ich finde.
Über Infos und rege Diskussionen wäre ich euch dankbar.
Gruß Andreas, und vielen Dank vorab!
ich lese ja schon des längeren eifrig im Forum und versuche mich so Stück für Stück an das Projekt „Hausbau“ heran zu tasten und somit das ein oder andere auch vorab zu lernen.
Dank der vielen Fachleute (Fachfrauen und Fachmänner), ist dies auch wirklich ein Genuss in dieser Art und Weise wie das hier gelebt wird. (schleimmodusaus) D
Wie in meinem ersten großen Thread bereits schon einmal erwähnt, sind wir nun gerade dabei uns über die evtl. Hausplanung bzw. Vorplanung und somit die Hausform und Ausrichtung auf dem Grundstück, schon vor dem ersten Termin bei evtl. Baufirmen, Gedanken zu machen.
In Abwägung einiger Gesichtspunkte was das Grundstück betrifft wie zb. Preis und unbebauter Ostlage (schräg abfallend nach Osten) haben wir ein Grundstück in Mikrolage gefunden welches uns wirklich sehr gefällt. Unsere Wunschgröße konnten wir nun nicht ganz erreichen aber mit 770m² denke ich alle mal ausreichend. Hauptpunkt zum Pro des Grundstücks war uns, dass das Grundstück auch aus Eigenmitteln bezahlt werden konnte und somit heißt es nun bis Anfang 2018 (Baubeginn) weiter Eigenkapital ansparen / alle möglichen anderen Schulden tilgen.
Quelle: Auszüge aus den Bebauungsplan / selbst erstelle Bilder
Bauvoranfrage wurde bezüglich des gewünschten Baustils bereits durchgeführt bei welche ich auch eine Aufweitung des Baufenster bis hin zu 8 Meter an die Ostgrenze erhalten habe.
Die Tendenz geht aktuell zu einer eher klassischen Stadtvillen Bauweise (2 Vollgeschosse mit Walmdach 25Grad und Doppelgarage).
Quelle: Weberhaus
Aufgrund des Budget welches wir uns nun persönlich einmal gesetzt haben, planen wir nun vorab erst einmal ohne Keller. Sollte es sich im weiteren Verlauf als möglich darstellen, kann dieser Punkt ja noch mit einbezogen werden.
Musterhäuser welche vom äußeren Schnitt interessant sind, wurden zur Ideenfindung bereits angesehen was uns sogar mal von Bayern bei einem Besuch im Rheinland nach Wuppertal führte
Nun geht es uns vor den ersten Planungsgesprächen um die Findung der Best möglichen Ausrichtung des Hauses und der Garage in Verbindung mit dem Grundstück. wie zb:
Quelle: Auszüge aus den Bebauungsplan
Für mich ist ein Punkt bis dato fix und dieser ist das Treppenhaus, welches ich aufgrund der wirklich tollen Lichtverhältnisse unbedingt so haben möchte. Mich hat das beim ersten Anblick so fasziniert.
Quelle: Weberhaus
Des Weiteren sollte versucht werden, im Westen und Süden so viel Platz wie möglich zu erhalten um wie ich finde eine optimale Sonnenseite sowie Gartenfeeling zu erreichen.
Das ist aber auch der Knackpunkt, warum uns die Anordnung zwischen Haus und Garage Kopfzerbrechen breitet.
Fragen über Fragen, wie zb. sollte die Garage vor das Haus gelegt werden um somit im Süden wieder mehr Platz zu erhalten, oder doch lieber seitlich ans Haus (somit mit überdachtem Hauseingang) gelegt werden. (Durchgang von Garage ins Haus wäre auch angedacht). Oder doch Lieber der Hauseingang im Westen und dafür nicht so übderacht?
Quelle überdachter Hauseingang: Weberhaus
Gerne poste ich im Verlauf des Threads dann noch weitere Eckdaten welche benötigt werden würden, sollte ich nun auch noch etwas wichtiges vergessen haben.
Vorab müssten die oben stehenden Punkte wohl aber erst einmal geklärt sein, um dann die weiter Planung bezüglich der Positionierung Ess-,Wohn- und Küchenbereich usw. zu vollziehen. (Tendenz natürlich immer in Richtung Süd/West wie ich finde.
Über Infos und rege Diskussionen wäre ich euch dankbar.
Gruß Andreas, und vielen Dank vorab!
J
Jochen10409.08.16 11:02Hallo,
ich denke die Ausrichtung auf dem Grundstück hängt auch wesentlich von deinen Anforderungen (insb. Raumprogramm) ab.
Welche Räume hättest du gern wo? Frühstückt ihr gern im Sommer draußen oder seit ihr eher in den Abendstunden zuhause usw.
ich denke die Ausrichtung auf dem Grundstück hängt auch wesentlich von deinen Anforderungen (insb. Raumprogramm) ab.
Welche Räume hättest du gern wo? Frühstückt ihr gern im Sommer draußen oder seit ihr eher in den Abendstunden zuhause usw.
H
Häuslebau3r09.08.16 11:30Jochen104 schrieb:
Hallo,
ich denke die Ausrichtung auf dem Grundstück hängt auch wesentlich von deinen Anforderungen (insb. Raumprogramm) ab.
Welche Räume hättest du gern wo? Frühstückt ihr gern im Sommer draußen oder seit ihr eher in den Abendstunden zuhause usw.Servus Jochen,
danke für deine schnelles Einhaken zu den Punkten. Ich war mir nicht sicher, ob man diese denn schon anbringen muss bzw. sollte.
Für mich stellt sich die Frage einerseits schwierig aufgrund der Anordnung des Treppenhauses. (Also kommt der Westen und Süden dafür eigentlich nicht in Betracht)
Aufteilung der wichtigen Räumlichkeiten wäre im EG wie folgt angedacht. Eine L-Form des Küchen-, Wohn- und Essbereiches wäre bevorzugt. Mit Ausrichtung Südwest bzw. evtl. auch Ost/ Süd/ West.
Wollte die ersten Versuche eigentlich nicht posten, da diese nicht Maßstabsgetreu sind. Diese dienen lediglich nur als eine erste Kopfstütze bzw. wurde hier mal gesponnen wie man etwas anordnen kann. Zu sehen ist auch bis dato nur eine Darstellung bei der der Hauseingang immer im Norden ist. Wir wären aber bezüglich einer Änderung der Räumlichkeiten natürlich offen.
Also bitte, diese nicht im Detail Bewerten oder auf die Waagschale legen. Danke
zu deinen Fragen @Jochen104 :
Ja wir sitzen viel und gerne draußen und Frühstücken im Sommer auch oft dort (aktuell) sowie sitzen dort auch Abends gerne, viel und lange. Ja wir sind Abends auch meist zuhause (Arbeiten keine Schicht oder ähnliches).
Darum auch die eigentliche Herangehensweise das die Bereiche Süd und West im EG bevorzugt Betracht werden sollten. Da kommt dann aber wieder die Aussicht im Osten ins Spiel, welche evtl. durchs Treppenhaus oder obenliegende Fenster im OG auch nicht vernachlässigt werden sollte. Dann müsste auch der Punkt einer evtl. angedachten Galerie schon mit betrachtet werden.
J
Jochen10409.08.16 11:57Ok, das gibt mir mal einen kleinen Einblick was du dir vorstellst. Das Raumprogramm im OG wäre aber auch noch wichtig.
Im groben gesagt empfinde ich die Außenform deines Grundrisses mit sehr vielen Ecken und Winkeln nicht schön (das ist aber subjektiv) und wird in der Form vermutlich auch nicht günstig. Die zurückgesetzten Fenster lassen auch weniger Licht hinein, daher solltest du das überdenken.
Bezüglich der Positionierung auf dem Grundstück solltest du dir auch mal überlegen, ob du nicht zwei Terrassen anlegst. Eine kleine Frühstücksterrasse (Osten) und eine etwas größere um die Abendstunden zu genießen (Westen). Letztere kannst du auch mit einer geschickten Bepflanzung von der Straße abkapseln.
Garage im Norden ist natürlich in Ordnung. Deinen Abstellraum in der Garage könntest du aber auch ggf. hinter die Garage (und nicht nebendran zum Haus) anordnen. Da solltest du aber vorab prüfen, wie breit du laut Landesbauordnung auf die Grundstücksgrenze bauen darfst.
Ist für das Haus ein Keller geplant? Oder wo soll die Haustechnik (Heizung, Lüftung usw.) hin? Den Speiseschlauch würde ich auch weg lassen. Der bringt so leider nicht viel nutzbare Stellfläche.
Das mal als erster Input
Im groben gesagt empfinde ich die Außenform deines Grundrisses mit sehr vielen Ecken und Winkeln nicht schön (das ist aber subjektiv) und wird in der Form vermutlich auch nicht günstig. Die zurückgesetzten Fenster lassen auch weniger Licht hinein, daher solltest du das überdenken.
Bezüglich der Positionierung auf dem Grundstück solltest du dir auch mal überlegen, ob du nicht zwei Terrassen anlegst. Eine kleine Frühstücksterrasse (Osten) und eine etwas größere um die Abendstunden zu genießen (Westen). Letztere kannst du auch mit einer geschickten Bepflanzung von der Straße abkapseln.
Garage im Norden ist natürlich in Ordnung. Deinen Abstellraum in der Garage könntest du aber auch ggf. hinter die Garage (und nicht nebendran zum Haus) anordnen. Da solltest du aber vorab prüfen, wie breit du laut Landesbauordnung auf die Grundstücksgrenze bauen darfst.
Ist für das Haus ein Keller geplant? Oder wo soll die Haustechnik (Heizung, Lüftung usw.) hin? Den Speiseschlauch würde ich auch weg lassen. Der bringt so leider nicht viel nutzbare Stellfläche.
Das mal als erster Input
H
Häuslebau3r09.08.16 12:18Zu den Raumprogrammen stammen die Gedanken / Zeichnungen noch aus dem letzten bzw. Anfang diesen Jahres. Mittlerweile würde ich das ein oder andere jedenfalls anders planen wie du zb. schon sagtest zu viele Winkel und Ecken. Darum wollte ich diese veralteten Gedanken „eigentlich“ nicht mehr online stellen. Auch die Galerie ist nicht mehr richtig und total bekloppt eingebaut.
Also bitte nicht dran aufhängen. Werde die Tage sobald ich schlauer bin, mal aktuelle Zeichnungen erstellen.

Aber sehe schon ein, dass es euch etwas hilft das Ganze bzw. unsere Gedanken zu verstehen.
Das mit den 2 kleinen Terrassen wäre auch keine schlechte Idee. Letztendlich, würde man annehmen die Küche wäre auf der Ostseite darunter käme der Essbereich hätte man dort in Ost-/Südausrichtung einen Platz und im Wohnbereich auf der Süd-/Westseite.
Bezüglich der Garagenanordnung hatte ich wie im untenstehenden Bild auch schon mal ein Beispiel gesehen, was eine evtl. Möglichkeit darstellen würde. Hauseingang wäre dann eben nach hinten auf Richtung Westen versetzt und es müsste ein Durchgang von der Garage ins Haus vorhanden sein. Denke mit dieser Form, würde man wieder etwas im Süden an Platz sparen, weil das Haus etwas mehr in den Norden rutschen würde. In diesem Fall würde dann das Treppenhaus evtl. auch in den Norden passen. Hm..

Was ich ganz vergessen hatte, die Maße des Grundstücks 29m von West nach Ost und 27m von Nord nach Süd.
Bezüglich Keller, ging das wohl oben etwas unter.
Aufgrund des von uns aktuell angedachten Budget (welches wir uns nun selbst einmal errechnet haben), planen wir nun erstmals ohne Keller. Sollte sich in der ersten / weiteren Planungsphase zeigen, dass es doch möglich wäre, dann würde das natürlich dennoch mit betrachtet werden. Aber ich weiß worauf du hinaus wolltest, da noch kein Hauswirtschaftsraum im EG der ersten Entwürfe ersichtlich ist.
Danke dir schon mal für deine Einschätzungen Jochen. *Daumen hoch Smily*
Also bitte nicht dran aufhängen. Werde die Tage sobald ich schlauer bin, mal aktuelle Zeichnungen erstellen.
Aber sehe schon ein, dass es euch etwas hilft das Ganze bzw. unsere Gedanken zu verstehen.
Das mit den 2 kleinen Terrassen wäre auch keine schlechte Idee. Letztendlich, würde man annehmen die Küche wäre auf der Ostseite darunter käme der Essbereich hätte man dort in Ost-/Südausrichtung einen Platz und im Wohnbereich auf der Süd-/Westseite.
Bezüglich der Garagenanordnung hatte ich wie im untenstehenden Bild auch schon mal ein Beispiel gesehen, was eine evtl. Möglichkeit darstellen würde. Hauseingang wäre dann eben nach hinten auf Richtung Westen versetzt und es müsste ein Durchgang von der Garage ins Haus vorhanden sein. Denke mit dieser Form, würde man wieder etwas im Süden an Platz sparen, weil das Haus etwas mehr in den Norden rutschen würde. In diesem Fall würde dann das Treppenhaus evtl. auch in den Norden passen. Hm..
Was ich ganz vergessen hatte, die Maße des Grundstücks 29m von West nach Ost und 27m von Nord nach Süd.
Bezüglich Keller, ging das wohl oben etwas unter.
Aufgrund des von uns aktuell angedachten Budget (welches wir uns nun selbst einmal errechnet haben), planen wir nun erstmals ohne Keller. Sollte sich in der ersten / weiteren Planungsphase zeigen, dass es doch möglich wäre, dann würde das natürlich dennoch mit betrachtet werden. Aber ich weiß worauf du hinaus wolltest, da noch kein Hauswirtschaftsraum im EG der ersten Entwürfe ersichtlich ist.
Danke dir schon mal für deine Einschätzungen Jochen. *Daumen hoch Smily*
J
Jochen10409.08.16 13:05Meine Empfehlung für euer aktuelles Stadium:
Nehmt euch Abends mal bei einem Gläschen Wein (oder auch Bier) ein paar Minuten, ein paar leere Blätter Papier und einen Stift. Dann malt einfach mal grob ein paar Räume auf das Blatt. "Euer" Grundstück habt ihr ja im Hinterkopf, eure Wünsche auch. Dann legt ihr das neben hin, nehmt das nächste Blatt und malt die nächste Anordnung oder Optimierung des vorhergehenden. Usw. Werft die alten Blätter aber nicht weg. Wenn euch die Ideen ausgehen, ihr keine Lust mehr habt oder ihr euch in heftigere Diskussionen verwickelt, legt die Blätter auf die Seite und beschäftigt euch den Rest des Abends nur noch mit dem Rest der Flasche Wein.
Am nächsten Abend (wenn ihr dazu Lust habt), nehmt ihr wieder eure Blätter (und natürlich eine neue Flasche Wein) und macht das Ganze von vorne.
Wenn ihr dann irgendwann nur noch Blätter nehmt, um einen Grund für eine Flasche Wein zu haben, seid ihr wohl zu Alkoholikern geworden.
Im besseren Fall kommt irgendwann ein Grundriss (oder auch zwei) dabei heraus, den ihr gut findet und der zu eurem Grundstück passt. Den solltest du dann vielleicht wieder hier einstellen.
Nehmt euch Abends mal bei einem Gläschen Wein (oder auch Bier) ein paar Minuten, ein paar leere Blätter Papier und einen Stift. Dann malt einfach mal grob ein paar Räume auf das Blatt. "Euer" Grundstück habt ihr ja im Hinterkopf, eure Wünsche auch. Dann legt ihr das neben hin, nehmt das nächste Blatt und malt die nächste Anordnung oder Optimierung des vorhergehenden. Usw. Werft die alten Blätter aber nicht weg. Wenn euch die Ideen ausgehen, ihr keine Lust mehr habt oder ihr euch in heftigere Diskussionen verwickelt, legt die Blätter auf die Seite und beschäftigt euch den Rest des Abends nur noch mit dem Rest der Flasche Wein.
Am nächsten Abend (wenn ihr dazu Lust habt), nehmt ihr wieder eure Blätter (und natürlich eine neue Flasche Wein) und macht das Ganze von vorne.
Wenn ihr dann irgendwann nur noch Blätter nehmt, um einen Grund für eine Flasche Wein zu haben, seid ihr wohl zu Alkoholikern geworden.
Im besseren Fall kommt irgendwann ein Grundriss (oder auch zwei) dabei heraus, den ihr gut findet und der zu eurem Grundstück passt. Den solltest du dann vielleicht wieder hier einstellen.
Ähnliche Themen