Grundrissplanung - Konstruktive Kritik erwünscht

4,40 Stern(e) 5 Votes
Zuletzt aktualisiert 22.12.2025
Sie befinden sich auf der Seite 4 der Diskussion zum Thema: Grundrissplanung - Konstruktive Kritik erwünscht
>> Zum 1. Beitrag <<

11ant

11ant

und Treppenende passt nicht zu EG-Zeichnung.
Gut, kopfhöhenmäßig muß man das mal nachrechnen - aber im Prinzip spricht nichts dagegen, vom Keller ins EG seitlich auszutreten und oben gerade.

Dadurch, dass Du oben planlinks neben dem Luftraum das Haus kappen und dort eine Außenwand haben willst, müsstest Du diese Wand irgendwo und irgendwie im EG halten. MM nach viel zu viel Kokolores und Kosten für wenig Gewinn.
Das sehe ich ähnlich - siehe Unterzüge-Diskussion (wegen nicht übereinanderstehender Außenwände EG/OG) bei R.Hotzenplotz.

wahrscheinlich verliert das Haus damit und dem Luftraum seine 2-Geschossigkeit?!
Da kann ich nicht ganz folgen (?)

Edit: aber die ist ja auch nicht zwingend, wie ich gesehen habe
Die Schablone (Tabellenkasten) zu erläutern, wäre aufschlußreich: wofür steht das "-" ?
Und der Lageplan mit Maßen, idealerweise das Haus mal reingesetzt,
.
bin immer noch platt, wie man anhand der Bilder den Ort erraten kann
Mit zwei Straßennamen ist das relativ banales Handwerk, wenn die nicht all zu häufig sind.
 
Zuletzt bearbeitet:
M

Manu82

Wow!!! Toll was jetzt schon alles zusammen gekommen ist!
Das mit der Statik erkenne ich jetzt auch...Mir gefällt eben die Idee einer Dachterrasse um die Abendsonne einzufangen. Mein linker Nachbar hat mit seinem Haus einen tollen Schattenspender für meinen Garten errichtet. So wie ich das sehe, ist da ab 17:00 Schatten im Garten.
Das OG ist definitiv noch Murks. Schlafzimmer zu klein, Ankleide wahrscheinlich zu schmal. Bad eher zu groß...
Ich tu mir schwer aus dem ( für mich) passenden EG Grundriss ein vernünftiges OG abzuleiten. Was wenn ich die Dachterrasse in der Länge halbieren würde?

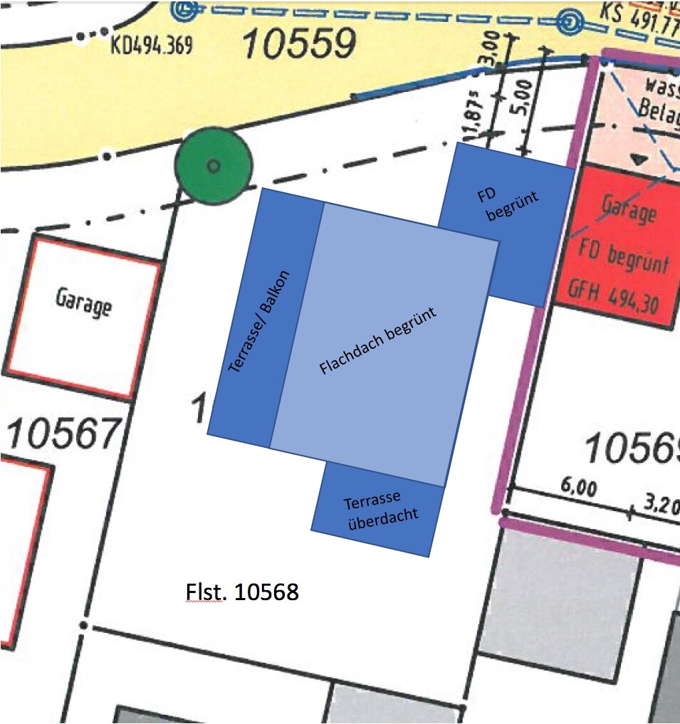
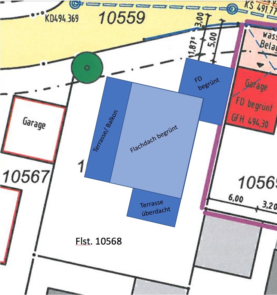
Lageplan eines Baugrundstücks mit Terrasse, Balkon, Flachdach und Garage.


Handgezeichneter Grundriss eines Hauses mit Schlaf-, Bad-, Küche- und Terrassenbereich.
 
H

haydee

Wohnkeller kosten Geld, Lichthöfe kosten Geld
Wie sieht das dann aus in Verbindung mit einer niedrigen Miete?
Möchtet ihr Fremde in eurem Haus haben wo es evtl. ein Nullsummenspiel Kosten - Einnahmen gibt.

Raumverhältnisse ist schwierig ihr könnt nicht einfach in ein Musterhaus und mal ausmessen.
Schaut euch mal jetzt eure Platzverhältnisse an, was gefällt euch, was ist zu klein. Im Internet gibt es auch Seiten die Maße vorschlagen z.B. Bettrahmen - Wand.
Tragt die Maße eurer Wunschmöbel ein z.B. die Schränke in der Ankleide. Dann überlegt gehen die Türen noch auf, wie weit stellt sich Frau vom Spiegel entfernt auf. Gehen genug Schrankmeter rein.

Treppe würde ich schon richtig einzeichnen. Gibt auch hier einen angepinnten Beitrag. Andere Treppenmaße und schon passen die Räume nicht mehr.

Dachterrasse ist sicherlich ganz nett - wir planen auch mit einer zweiten Terrasse, gibt der Hang her.
Nur mal in Realität gedacht, im EG ist der Kühlschrank mit dem kühlen Bier, die Speisekammer mit dem Rotwein, der Flaschenöffner und die Gläser. Wie oft trägt man alles rauf und wieder runter?
Bei uns im Ort baut auch gerade jemand ein Haus im Bauhaus. EG, 1. OG mit Dachterrasse wie ihr, 2. OG mit Dachterrasse an 3 Seiten. Wird bestimmt traumhaft vor allem die Aussicht.

Ich würde die Kinderzimmer nach Süden ausrichten. Finde die Lufträume auch nicht so toll - das ist allerdings Geschmackssache. Sie übertragen Gerüche (kommt das bei einer Lüftungsanlage überhaupt noch zum Tragen?) und Lärm aller Art und belegen wie in eurem Fall die Schokoladenseite.

Schwierig für euch ein Haus aus der Ferne zu planen.
 
M

Manu82

@11ant: Hast recht. Mit den zwei Strassen hab ich den Ort jetzt auch gleich gefunden :)
Die Treppe wollte ich im OG gerade auslaufen lassen, da man dann direkt auf die Galerie tritt und dann nach unten und draußen sieht.
 
11ant

11ant

Die Treppe wollte ich im OG gerade auslaufen lassen, da man dann direkt auf die Galerie tritt und dann nach unten und draußen sieht.
Das wohl auch - ich dachte vor allem umgekehrt, meist mögen die Bauherren die Kellertreppe nicht im Wohnzimmer enden lassen.

Das OG ist definitiv noch Murks. Schlafzimmer zu klein, Ankleide wahrscheinlich zu schmal. Bad eher zu groß...
Heilbarer Murks. Ankleide gewiß unbequem schmal. Auf Details gehe ich da aber nicht weiter ein, das wird als erstes "umgebaut". Eben schon statikbedingt.

Ich tu mir schwer aus dem ( für mich) passenden EG Grundriss ein vernünftiges OG abzuleiten.
Deswegen schlage ich gerne vor, mit dem OG zu beginnen und das EG abzuleiten (weil es meist weniger "anspruchsvoll" ist, zumindest für Anfänger).

Was wenn ich die Dachterrasse in der Länge halbieren würde?
Für die Vereinfachung der Statik wohl eher ein Pyrrhussieg.

Finde die Lufträume auch nicht so toll
Diese Inhouse-Balkone reißen ein Riesenloch in die ansonsten dick gedämmte Decke und sind klimabauerisch eine Komplikation - aber erstens wieder gefragt und zweitens wohl beherrschbar. Für mich persönlich gehören die Lufträume und Galerien wie asymmetrische Satteldächer, Faltenröcke, Dauerwellen und Opel Asconas in die 80er (und dürfen dort in Frieden ruhen).

Möchtet ihr Fremde in eurem Haus haben wo es evtl. ein Nullsummenspiel Kosten - Einnahmen gibt.
Nullsummenspiel reicht nicht. Das gibt Tüftelei für den Eingang und die Abböschungen.
 
Zuletzt aktualisiert 22.12.2025
Im Forum Grundrissplanung / Grundstücksplanung gibt es 2554 Themen mit insgesamt 88554 Beiträgen


Ähnliche Themen zu Grundrissplanung - Konstruktive Kritik erwünscht
Nr.ErgebnisBeiträge
1Bodenbelag für Dachterrasse festlegen Garten-Landschaftsbauer oder Dachdecker? 10
2Einfamilienhaus mit großem Luftraum - Meinungen erbeten - Seite 242
3Haus mit Dachterrasse in Passau - Seite 571
4Dachterrasse auf Garagen 10
5Dachterrasse im 7. OG ausstatten - Seite 447
63. Grundriss-Entwurf Neubau Einfamilienhaus 220qm 2 Vollgeschosse Dachterrasse - Seite 361
7Grundriss Einfamilienhaus Hanggrundstück mit Terrasse / Dachterrasse 18
8Grundriss Stadtvilla / Feedback Statik, Anordnung 28
9Treppe Grundriss Planung, Auftritt und Unterzug - Seite 221
10Einfamilienhaus ca. 150 qm Grundriss - Treppe wie planen? 65
11Stadtvilla mit gerader Treppe, offene moderne Bauweise, 140m² 18
12Treppe im Wohnzimmer als Hype - Pro & Contra? - Seite 426
13Grundrissfrage: Tausch gerader Treppe durch L-Treppe 31
14Wie Hang sichern und Aufgang Garten kostengünstig gestalten? 27
15Stadtvilla 190m² mit Einfahrt & Garten zur Südseite 30
16Garten an Hanglage sinnvoll gestalten 57
17Kosten Bungalow (220m^2) mit Dachterrasse - Seite 423
18Baukosten 200m² + 30m² Dachterrasse + Keller (inkl. Garage) 20
19150 kg/m² Nutzlast für Garagendach mit Option zur Dachterrasse? 13
20Planung Dachterrasse - Welche Kosten entstehen? 17

Oben