M
Marvinius02.01.17 21:32Hallo liebe Teilnehmer & Teilnehmerinnen,
zunächst einmal wünschen wir allen ein Gutes Neues Jahr 2017!
Wir haben uns in den vergangenen Tagen intensiv mit der Planung der Außenanlage in unserem laufenden Hausbau beschäftigt und sehen hier noch deutliche Verbesserungsmöglichkeiten. Anbei die weiteren Informationen und unsere konkreten Fragestellungen.
Vorab schon einmal herzlichen Dank für Eure Beiträge!
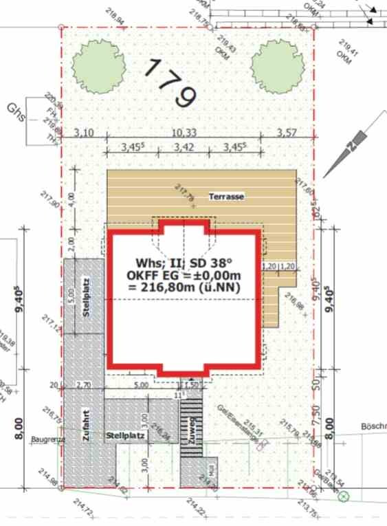
Bebauungsplan/Einschränkungen
Größe des Grundstücks: 527m2
Hang: Ja
Grundflächenzahl 0.35
Geschossflächenzahl 0.7
Baufenster, Baulinie und –grenze:
Eingezeichnet, je 3m zu allen Nachbarn und zur Straße
Randbebauung: Nein
Anzahl Stellplatz: 2
Geschossigkeit: 1,5
Dachform: Satteldach
Stilrichtung: Modern
Ausrichtung: Nordhang
Maximale Höhen/Begrenzungen: TH: 4,5m, FH 10,5m
Pläne:
Do it yourself-Mischung aus verschiedenen Massivhauskatalogen, jetzt ausgeführt von einem GU, finale Planungszeichnungen (auch derzeitige Außenanlage) hat der GU gemacht
Derzeitiger Status:
Bauvorhaben begonnen, Bodenplatte für Keller gegossen. Verfüllung Keller und Wiederherstellung Gelände ab Ende Januar 2017
Was ist mein Problem: Offene Fragen zur Gestaltung der Außenanlagen bzw. Wiederherstellung des Geländes & Verfüllung Keller
Hinweis:
Der quer liegende Stellplatz wird durch das Baufenster erzwungen.
a) Ist der Verlauf der Hauseingangstreppe so sinnvoll, was könnte man ändern? Wie sollen wir mit der Höhendifferenz zur Straße umgehen (214,22m zu 216,60m am Haus bei einer Entfernung von 6m zwischen Straße und Eingangspodest)
b) Hinweise zur Wiederherstellung der Böschung im südwestlichen Teil des Grundstücks
c) Allgemeine Hinweise zur Gestaltung des Geländes, z.B. Terrasse, Umgang mit der weiteren Höhendifferenz zum Nachbarn hinter der Terrasse? Wie sieht eine sinnvolle Entwässerung der Terrasse, aus; welche Erfahrungen habt Ihr mit Zisternen?
Ansichten aus unseren Ausführungszeichnungen
Ansicht vor Beginn der Bauarbeiten
Derzeitige Ansicht:
Die Böschung in der Südwestecke ist komplett entfernt, wie stellen wir sie wieder her?
Möglichst kostengünstig natürlich. Eine spätere Ergänzung zur Verbesserung der Optik sollte natürlich möglich sein.





zunächst einmal wünschen wir allen ein Gutes Neues Jahr 2017!
Wir haben uns in den vergangenen Tagen intensiv mit der Planung der Außenanlage in unserem laufenden Hausbau beschäftigt und sehen hier noch deutliche Verbesserungsmöglichkeiten. Anbei die weiteren Informationen und unsere konkreten Fragestellungen.
Vorab schon einmal herzlichen Dank für Eure Beiträge!
Bebauungsplan/Einschränkungen
Größe des Grundstücks: 527m2
Hang: Ja
Grundflächenzahl 0.35
Geschossflächenzahl 0.7
Baufenster, Baulinie und –grenze:
Eingezeichnet, je 3m zu allen Nachbarn und zur Straße
Randbebauung: Nein
Anzahl Stellplatz: 2
Geschossigkeit: 1,5
Dachform: Satteldach
Stilrichtung: Modern
Ausrichtung: Nordhang
Maximale Höhen/Begrenzungen: TH: 4,5m, FH 10,5m
Pläne:
Do it yourself-Mischung aus verschiedenen Massivhauskatalogen, jetzt ausgeführt von einem GU, finale Planungszeichnungen (auch derzeitige Außenanlage) hat der GU gemacht
Derzeitiger Status:
Bauvorhaben begonnen, Bodenplatte für Keller gegossen. Verfüllung Keller und Wiederherstellung Gelände ab Ende Januar 2017
Was ist mein Problem: Offene Fragen zur Gestaltung der Außenanlagen bzw. Wiederherstellung des Geländes & Verfüllung Keller
Hinweis:
Der quer liegende Stellplatz wird durch das Baufenster erzwungen.
a) Ist der Verlauf der Hauseingangstreppe so sinnvoll, was könnte man ändern? Wie sollen wir mit der Höhendifferenz zur Straße umgehen (214,22m zu 216,60m am Haus bei einer Entfernung von 6m zwischen Straße und Eingangspodest)
b) Hinweise zur Wiederherstellung der Böschung im südwestlichen Teil des Grundstücks
c) Allgemeine Hinweise zur Gestaltung des Geländes, z.B. Terrasse, Umgang mit der weiteren Höhendifferenz zum Nachbarn hinter der Terrasse? Wie sieht eine sinnvolle Entwässerung der Terrasse, aus; welche Erfahrungen habt Ihr mit Zisternen?
Ansichten aus unseren Ausführungszeichnungen
Ansicht vor Beginn der Bauarbeiten
Derzeitige Ansicht:
Die Böschung in der Südwestecke ist komplett entfernt, wie stellen wir sie wieder her?
Möglichst kostengünstig natürlich. Eine spätere Ergänzung zur Verbesserung der Optik sollte natürlich möglich sein.
Anzeige
Hallo Marvinius,
schau mal hier: Gestaltung der Außenanlage, Laufendes Bauvorhaben. Da wird jeder fündig!
schau mal hier: Gestaltung der Außenanlage, Laufendes Bauvorhaben. Da wird jeder fündig!
mhh, warum lasst ihr nicht die Südwest-Ecke des Gebäudes frei stehen, mit ebenerdiger Türe und richtigem Fenster? Zur Terrasse hin, dann eine Stützmauer (entweder Eigenleistung aus zu verfüllenden Pflanzsteinen oder Gabionen oder so, oder halt Betonmauer). So hättet ihr einen ebenerdingen Stellplatz und ebenerdigen Hauszugang - was für Wartungsarbeiten im Technikraum sowie Austausch von Boilern, Waschmaschinen etc. praktisch ist; sowie einen Raum mit Tageslicht, der gut als Werkstatt, Fitnessraum oder Spielzimmer nutzbar wäre.
Am oberen Rand des Grundstückes würde ich das Gelände terrassieren - und leicht abgerundet anlegen; die Böschung entweder als Naturböschung mit Pflanzen und Matten befestigen oder steil ebenfalls mit Pflanzsteinen / Gabionen etc. je nach Geschmack halt.
Am oberen Rand des Grundstückes würde ich das Gelände terrassieren - und leicht abgerundet anlegen; die Böschung entweder als Naturböschung mit Pflanzen und Matten befestigen oder steil ebenfalls mit Pflanzsteinen / Gabionen etc. je nach Geschmack halt.
Ähnliche Themen