ᐅ Carport vs. Baugrenze - Niedersachsen
Erstellt am: 21.03.23 17:31
B
Beiunszuhause21.03.23 17:31Hallo liebe Forumsmitglieder,
ich hoffe auf euer geballtes Schwarmwissen in Bezug auf die geplante Errichtung eines Carports und den Einschränkungen, die durch den Bebauungsplan vorgegeben sind.
Mir ist klar, dass hier keine Rechtsberatung geboten werden kann, würde mich aber freuen, wenn (Mehr-)Wissende auf diesem Gebiet uns ihre Einschätzung geben könnten…
Zum Hintergrund: wir haben vorletztes Jahr ein Grundstück in Niedersachsen (Gemeinde Sittensen) erworben, und ein Einfamilienhaus gebaut. Ursprünglich war geplant, den gewünschten Doppelcarport gleich in die Bauantragsunterlagen mit aufnehmen zu lassen - leider haben wir uns seinerzeit aus Zeit- und Kostengründen dagegen entschieden.
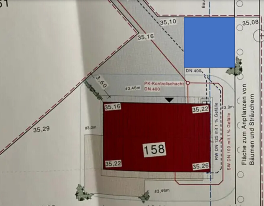
Der Bauantrag enthielt somit nur (die vorgeschriebenen) zwei Stellplätze. Wie aus der angefügten Zeichnung (Norden oben) ersichtlich, weist unser Grundstück im Osten eine Baugrenze auf (6m zur Grundstücksgrenze); das Grundstück grenzt hier an Altbestand (Wohngebiet) an.
Die Stellplätze liegen wie dargestellt teilweise außerhalb dieser Baugrenze. Dieses war kein Problem und die Baugenehmigung wurde erteilt (Grundflächenzahl wurde natürlich eingehalten).
Nun habe ich beim Bauamt informell angefragt, ob wir die Stellplätze entsprechend mittels Doppelcarport überdachen können. Im Bebauungsplan habe ich folgenden Passus ausmachen können (habe den Bebauungsplan in Teilen angehängt, dieser lässt sich aber auch unter den Stichworten „Bebauungsplan Heiddorn, Sittensen“ ergooglen):
„Garagen und Nebenanlagen
Die Errichtung von Garagen und Nebenanlagen in Form von Gebäuden gem. §§ 12/14 (1) Baunutzungsverordnung zwischen der Straßenbegrenzungslinie und den straßenseitigen Baugrenzen ist nicht zulässig.
Ausnahmen bilden Einfriedungen und Nebenanlagen i. S. von § 14 (2) Baunutzungsverordnung, der der Versorgung des Baugebietes mit Elektrizität, Gas und Wasser sowie der Entsorgung und Ableitung von Abwässern dienen.“
Die zuständige Mitarbeiterin hat zunächst kein Problem mit dem geplanten Carport gesehen, nach Rücksprache mit ihrer Vorgesetzten musste sie mir allerdings mitteilen, dass der Carport definitiv so nicht zulässig sei und die Baugrenze berücksichtigt werden müsse. Ggf. könne man ein Gesuch um Befreiung einreichen, allerdings mit ungewissem Ausgang.
Meine grundsätzliche Frage (als absoluter Laie): beziehen sich Baugrenzen grundsätzlich auch auf Garagen und Nebengebäude? Und konkret: wie ist ggf. der Passus im Bebauungsplan hinsichtlich straßenseitiger Baugrenze im vorliegenden Fall zu interpretieren (da ja die relevante Baugrenze nicht straßenseitig liegt).
Als ergänzende Info: unsere Nachbarn haben gleich im ursprünglichen Bauantrag des Hauses auch einen Doppelcarport mit Schuppen eingereicht, dieser wurde genehmigt und ragt soweit ich feststellen kann auch über besagte Baugrenze.
Vielen Dank im Voraus und sorry für den ausführlichen Text! Mir geht es wie gesagt nur darum zu verstehen, ob wir ggf. hinsichtlich Carport nachhaken sollten, oder ob das eher ein aussichtsloses Unterfangen ist. Falls relevante Infos fehlen, so werde ich mich bemühen, diese nachzuliefern.
Viele Grüße
Beiunszuhause



ich hoffe auf euer geballtes Schwarmwissen in Bezug auf die geplante Errichtung eines Carports und den Einschränkungen, die durch den Bebauungsplan vorgegeben sind.
Mir ist klar, dass hier keine Rechtsberatung geboten werden kann, würde mich aber freuen, wenn (Mehr-)Wissende auf diesem Gebiet uns ihre Einschätzung geben könnten…
Zum Hintergrund: wir haben vorletztes Jahr ein Grundstück in Niedersachsen (Gemeinde Sittensen) erworben, und ein Einfamilienhaus gebaut. Ursprünglich war geplant, den gewünschten Doppelcarport gleich in die Bauantragsunterlagen mit aufnehmen zu lassen - leider haben wir uns seinerzeit aus Zeit- und Kostengründen dagegen entschieden.
Der Bauantrag enthielt somit nur (die vorgeschriebenen) zwei Stellplätze. Wie aus der angefügten Zeichnung (Norden oben) ersichtlich, weist unser Grundstück im Osten eine Baugrenze auf (6m zur Grundstücksgrenze); das Grundstück grenzt hier an Altbestand (Wohngebiet) an.
Die Stellplätze liegen wie dargestellt teilweise außerhalb dieser Baugrenze. Dieses war kein Problem und die Baugenehmigung wurde erteilt (Grundflächenzahl wurde natürlich eingehalten).
Nun habe ich beim Bauamt informell angefragt, ob wir die Stellplätze entsprechend mittels Doppelcarport überdachen können. Im Bebauungsplan habe ich folgenden Passus ausmachen können (habe den Bebauungsplan in Teilen angehängt, dieser lässt sich aber auch unter den Stichworten „Bebauungsplan Heiddorn, Sittensen“ ergooglen):
„Garagen und Nebenanlagen
Die Errichtung von Garagen und Nebenanlagen in Form von Gebäuden gem. §§ 12/14 (1) Baunutzungsverordnung zwischen der Straßenbegrenzungslinie und den straßenseitigen Baugrenzen ist nicht zulässig.
Ausnahmen bilden Einfriedungen und Nebenanlagen i. S. von § 14 (2) Baunutzungsverordnung, der der Versorgung des Baugebietes mit Elektrizität, Gas und Wasser sowie der Entsorgung und Ableitung von Abwässern dienen.“
Die zuständige Mitarbeiterin hat zunächst kein Problem mit dem geplanten Carport gesehen, nach Rücksprache mit ihrer Vorgesetzten musste sie mir allerdings mitteilen, dass der Carport definitiv so nicht zulässig sei und die Baugrenze berücksichtigt werden müsse. Ggf. könne man ein Gesuch um Befreiung einreichen, allerdings mit ungewissem Ausgang.
Meine grundsätzliche Frage (als absoluter Laie): beziehen sich Baugrenzen grundsätzlich auch auf Garagen und Nebengebäude? Und konkret: wie ist ggf. der Passus im Bebauungsplan hinsichtlich straßenseitiger Baugrenze im vorliegenden Fall zu interpretieren (da ja die relevante Baugrenze nicht straßenseitig liegt).
Als ergänzende Info: unsere Nachbarn haben gleich im ursprünglichen Bauantrag des Hauses auch einen Doppelcarport mit Schuppen eingereicht, dieser wurde genehmigt und ragt soweit ich feststellen kann auch über besagte Baugrenze.
Vielen Dank im Voraus und sorry für den ausführlichen Text! Mir geht es wie gesagt nur darum zu verstehen, ob wir ggf. hinsichtlich Carport nachhaken sollten, oder ob das eher ein aussichtsloses Unterfangen ist. Falls relevante Infos fehlen, so werde ich mich bemühen, diese nachzuliefern.
Viele Grüße
Beiunszuhause
H
hanghaus202321.03.23 20:09Sehe ich das richtig? Da gibt es doch keine Straßenseitige Baugrenze.
Du must natürlich die 3 m Grünstreifen einhalten.

Die Genehmigung kann dauern wird aber vermutlich nur Kosten verursachen. Die Gemeinden sind immer knapp bei Kasse.
Ist in Niedersachsen für die Errichtung eines Carports eine Baugenehmigung erforderlich?
Du must natürlich die 3 m Grünstreifen einhalten.
Die Genehmigung kann dauern wird aber vermutlich nur Kosten verursachen. Die Gemeinden sind immer knapp bei Kasse.
Ist in Niedersachsen für die Errichtung eines Carports eine Baugenehmigung erforderlich?
H
hanghaus202321.03.23 20:17Hier mal ein Auszug von NS.
Voraussetzungen
In den meisten Gemeinden und Städten sind Carports genehmigungsfrei, wenn sie die folgenden Regeln einhalten:
Dann machst den CP 5,5m * 5,45m
Voraussetzungen
In den meisten Gemeinden und Städten sind Carports genehmigungsfrei, wenn sie die folgenden Regeln einhalten:
- Grundfläche bis 30 Quadratmeter und maximal eine mittlere Wandhöhe von 3 Meter
- die Länge mindestens 5 Meter beträgt.
- bei einer Grenzbebauung darf das Carport maximal 9 Meter auf einer Grenze und 15 Meter auf allen Grenzen stehen.
- die Breite ist mit 2,5 Meter vorgegeben, bei Carports mit einer Seitenwand 2,4 Meter
- Zwischen Carport und der Straße müssen 3 Meter liegen.
- Auf der Grundstücksgrenze selbst und innerhalb von einem Meter zur Grenze, darf nur gebaut werden, wenn die Stellfläche kleiner als 36 m² ist. Die Länge darf nicht mehr als 9 Meter betragen. Das Carport darf an seinem Höhepunkt nicht größer als 3 Meter sein.
Dann machst den CP 5,5m * 5,45m
Beiunszuhause schrieb:
leider haben wir uns seinerzeit aus Zeit- und Kostengründen dagegen entschieden.Ja, schade. Es kostet kaum etwas mehr, es gleich mit zu beantragen. Aber der Zug ist ja abgefahren.Beiunszuhause schrieb:
beziehen sich Baugrenzen grundsätzlich auch auf Garagen und Nebengebäude?nicht grundsätzlich. Dafür ist ja der Bebauungsplan da. Der regelt die Ausnahmen zur Landesbauordnung.Ich sehe jetzt auch keine für Euch relevante strassenseitige Baugrenze. Die ist weiter oben an der Heinrich-Heine-Str. und betrifft mM Euren Carport nicht.
Hat der Nachbar schon gebaut?
B
Beiunszuhause21.03.23 23:47Hallo zusammen,
erstmal danke für die bisherigen Antworten!
Ja, in der Tat… Wir ärgern uns da im Nachhinein selbst drüber, aber wie Du schon schreibst ist der Zug ja abgefahren…
Genau das ist der Punkt, an dem ich auch hänge. So wie ich den Passus im Bebauungsplan verstehe, bezieht er sich auf die „vordere“ Baugrenze zur Heinrich-Heine-Straße; die hintere Baugrenze im Osten ist ja mitnichten straßenseitig… Daher meine Frage hier - schon mal gut zu sehen, dass ich mit meinem Verständnis nicht alleine bin
Der Nachbar hat im Übrigen schon (sogar noch vor uns) gebaut.
Danke und Grüße
Beiunszuhause
erstmal danke für die bisherigen Antworten!
ypg schrieb:
Ja, schade. Es kostet kaum etwas mehr, es gleich mit zu beantragen. Aber der Zug ist ja abgefahren.
Ja, in der Tat… Wir ärgern uns da im Nachhinein selbst drüber, aber wie Du schon schreibst ist der Zug ja abgefahren…
ypg schrieb:
nicht grundsätzlich. Dafür ist ja der Bebauungsplan da. Der regelt die Ausnahmen zur Landesbauordnung.
Ich sehe jetzt auch keine für Euch relevante strassenseitige Baugrenze. Die ist weiter oben an der Heinrich-Heine-Str. und betrifft mM Euren Carport nicht.
Hat der Nachbar schon gebaut?
Genau das ist der Punkt, an dem ich auch hänge. So wie ich den Passus im Bebauungsplan verstehe, bezieht er sich auf die „vordere“ Baugrenze zur Heinrich-Heine-Straße; die hintere Baugrenze im Osten ist ja mitnichten straßenseitig… Daher meine Frage hier - schon mal gut zu sehen, dass ich mit meinem Verständnis nicht alleine bin
Der Nachbar hat im Übrigen schon (sogar noch vor uns) gebaut.
Danke und Grüße
Beiunszuhause
Beiunszuhause schrieb:
Der Nachbar hat im Übrigen schon (sogar noch vor uns) gebaut.Ich bin nicht rechtssicher. Gewiss würde ich jetzt ohne Baugenehmigung an Eurer Stelle nicht den Carport bauen. Auch habt ihr ja eine „größere“ Möglichkeit mit Baugenehmigung.Insofern würde ich tatsächlich einen Architekt oder so das beantragen lassen. Fachlich kompetent kann er gleich den Anschluss an den Carport der Nachbarn (ihr baut doch dort an?) mit zeichnen bzw darstellen.
Damalige Negativaussagen vom Bauamt würde ich ignorieren und unter Corona-Verwirrungen ablegen.
Ähnliche Themen