Hausbau - Ratgeber
Bauherrenhilfe
- Bauherrenhilfe vor Vertragsabschluss
-- Warum einen unabhängigen Baubetreuer?
-- Vertragsgrundlagen
-- Bausumme
-- Zahlungsplan zur Kostenkontrolle
-- Pflichten des Bauherren vor Vertragsabschluss
-- Unterlagen beim Hausbau vor Vertragsabschluss
- Bauherrenhilfe nach Vertragsabschluss
-- Bauantrag bei Behörden
-- Bau-Genehmigungsverfahren bei Baubehörden
-- Bauspezifische Versicherungen
-- Bauzeitenplan
-- Baubeginn - die Letzten Pflichten der Bauherrschaft
- Bauherrenhilfe während der Bauzeit
- Gewährleistungsansprüche
- Bauabnahme
Baufinanzierung
- Baufinanzierung - Allgemeine Fragen
- Kreditarten
- Kredit-Konditionen
- Bausparen
- Staatliche Förderungen
- Verkehrswert
- Haushaltsrechnung und Bonität
Hausbau Planung
- Haustypen
- Hausbau Vorbereitungsarbeiten
- Das Baugrundstück
- Baugrund beim Hausbau
- Baurecht
- Gebäudeschutz
- Erdarbeiten und Wasserhaltung
- Stützmauern
- Einfriedung
- Untergeschoss
- Kanalisation
- Tragende Elemente
- Nichttragende Innenwände
- Fundation / Fundament
- Deckenkonstruktionen
- Dächer
- Kaminanlagen
- Treppen Rampen Leitern
- Dachbeläge und Spengler
- Fenster
- Sonnen und Wetterschutz
- Aussenputze
- Einbauten, Küchen, Türen
- Bodenbeläge und Unterlagsböden
- Parkett
- Gips, Wand, Decke
Haustechnik und Energie
- Heiztechnik
- Lüftung und Klimatechnik
- Sanitärtechnik
- Elektrotechnik
- Erneuerbare Energie
Whirlpools / Jacuzzi
Hausbau Magazin
- Baufinanzierung trotz Krise?
- Das Blockhaus
- Moderne Dämmstoffe im Vergleich
- Erker Vor- und Nachteile
- Glasflächen beim Hausbau
- Günstig ein Haus Bauen
- Mediterraner Hausbaustil
- Mehrgenerationenhaus
- Moderne Architektur
- Gartengestaltung leicht gemacht
- Traditioneller Ziegelbau
- Villa als höchster Traum
- Im Eigenheim Ruhestand geniessen
- Altbau sanieren
- Kauf einer Holzgarage
- Immobilienmakler
- Arbeitshandschuhe für den Winter
- Zuhause verschönern
- Outdoor-Plissees
- Schlafzimmer planen
- Terrassenüberdachung
- Wohngebäudeversicherung
- Zaunarten und Eigenschaften
- Hauseingang gestalten
- Der perfekte Grundriss
- Sparsamer heizen im Altbau
- Einfamilienhaus smart finanzieren
- Planung einer PV-Anlage
- Neues Haus
- Immobilienfinanzierung
- Installation einer Photovoltaikanlage
- Asbest erkennen und entfernen
- Gartenpflege im Frühling – worauf achten
- Sauna im Fokus - Wellness zuhause
- Erfolgreich vermieten
- Die perfekte Winterbekleidung
- Das Niedrigenergiehaus
- Der April und seine Stürme
- Architektonische Vielfalt
- Ökologisch und nachhaltig bauen
- Das perfekte Schlafzimmer
- Nachhaltige Energieversorgung
- Zukunftsorientiert bauen
- Nachhaltigkeit beim Hausbau
- Tiny Houses
- Wärmepumpen als nachhaltige Heizvariante
- Maßgeschneiderten Kleiderschrank
- Der richtige Baukredit
- Ratgeber für erfolgreichen Hausbau
- Haus als Altersvorsorge
Do-it-yourself Anleitungen
- Verlegeanleitung für Bodenbeläge und Parkett
- Bodenbeläge und Parkett reinigen und pflegen
- Malerarbeiten am Haus
- Garten Tipps
- Umzug und Reinigung

ᐅ Baugrunduntersuchung notwendig ?

Erstellt am: 17.02.16 19:39
F
Freund_User3
F
Freund_User3
17.02.16 19:39
Hallo zusammen,

erst mal vielen Dank für die vielen Informationen, die ich schon als stiller Mitleser dem Forum entnommen durfte.

Kurz zu uns:
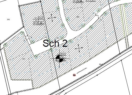
Meine Frau und ich haben ein Grundstück (das rechts von "Sch2", mit dem Kreuz in der Mitte) von der Stadt gekauft sowie einen Bauvertrag für ein Einfamilienhaus-Haus ohne Keller mit einem GÜ abgeschlossen.
Nun geht es um das Bodengutachten.

Im Bauvertrag steht:
"Eventuell erforderliche Bodengutachten gehen zu Lasen des Bauherren. Es wird vorausgesetzt, dass auf Höhe der planmäßigen Gründungssohle tragfähiger, gewachsener und gleichmäßiger Baugrund vorhanden ist. Zulässige Bodenpressung mindestens 25 N / cm²"

"Streifenfundamente 40cm tief in Beton/Stahlbeton, entsprechend statischer Erfordernis.
Sondergründungen bei Fels, Grundwasser, Hanglage,(.....),sind nicht enthalten.
Fundamenterder nach den VDE-Vorschriften. Mindest zulässige Bodenpressung > 0,25MN / m².
Bei besonderen Grundstückssituationen geht der erforderliche Mehraufwand zu Lasten des Bauherren."

Auf die eventuellen Mehrkosten für ein Schotterpolster wurden wir vom GÜ auch hingewiesen und es wurde auch von uns ein Puffer mit eingerechnet.

Nun zu meiner Frage:
Es gibt ein Hydrogeologisches Gutachten der Stadt, in dem 3 Bohrproben entnommen wurden. Eine davon ist genau auf dem Grundstück neben uns (20m Versatz) entnommen. Dieses Gutachten liegt uns auch vor.
Dass dieses Gutachten haftungsrechtlich kein Ersatz für uns ist, ist mir bewusst. Es geht nun darum, ob wir trotzdem die vom GÜ überschlagenen Kosten von 2.500 € für einen externen Geologen ausgeben oder nicht.

Unser Grundstück liegt in einem kleinen Baugebiet, in dem auch schon mehrere Häuser auf gleicher Ebene gebaut wurden. Auf Nachfrage bei den einzelnen Bauherren haben wir erfahren, das bisher keiner von Ihnen ein Bodengutachten hat machen lassen.

Was passiert, wenn wir kein externen Geologen beauftragen ?
Für mich als Bauherr (Laie) würde das Gutachten der Gemeinde ausreichen. Oder Irre ich mich da ?

Vielen Dank schon mal im Voraus,
Freund_User3

Lageplan mit parzelliertem Gebiet, Straßen, Bäumen und großem Text Seh 2.


Vertikale Bodentönen-Tafel mit Schicht 2 Beschreibungen dunkler Bodenfarben.
T
taxpayer
17.02.16 20:53
aus meiner Sicht hängt das vom GÜ ab, dein GÜ muss dir sagen ob er das von dir vorgelegte Bodengutachten akzeptiert, weil er ja dann auch entsprechend haftet.

Ich würde es nicht machen...

Was du aber machen kannst, schreib einfach zwei Gutachter aus deiner Region per Mail an und bitte um ein Angebot. Das sollte bei einem Haus ohne Keller für deutlich weniger als die 2,5T€ zu haben sein

Nur meine Meinung.
P
Punica
17.02.16 22:35
Hallo User3.

Ich denke die 2500€ für das geologische Gutachten sind arg teuer.
Bei uns in der Gegend sind solche Gutachten ( Gründungsberatung - Ermittlung der Bodenmechanischen Kennwerte ) - für 400-600€ brutto zu haben.

Auch wenn ihr in Württemberg baut, ( teure Region ) ist das immerhin noch das 4 fache !!

Auch wenn die Stadt solch ein Gutachten bereits 20m neben eurem Grundstück gemacht hat, würde ich aus Eigeninteresse dennoch ein weiteres auf eurem Baufenster erstellen lassen.

Der GU wird mit großer Wahrscheinlichkeit einen Passus einbauen, um im Fall der Fälle nicht haftbar zu sein.
Alles andere würde mich wundern.

Viel Glück.
Y
ypg
17.02.16 23:37
Freund_User3 schrieb:
Dass dieses Gutachten haftungsrechtlich kein Ersatz für uns ist, ist mir bewusst.
Freund_User3 schrieb:
Für mich als Bauherr (Laie) würde das Gutachten der Gemeinde ausreichen.

Das widerspricht sich!

Nur auf ein auf Euer Grundstück und Bauvorhaben angepasstes Bodengrundgutachten kann der BU Gewährleistung auf Statik und co geben.
Wie @Punica es schön schreibt: ein Passus, die man als solches nicht erkennen kann, kann Euch den Ruin bringen, da Ihr dann selbst für eventuelle Baufehler haftet (auch wenn das Haus einstürzt)

Dich werden noch mehr solcher nötigen Ausgaben während des Hausbaus begegnen - das Bodengrundgutachten ist eines der günstigsten Ausgaben mit unter 1000 €
U
Uwe82
18.02.16 08:41
Ich würde ein Gutachten machen lassen. Bei uns war es so, dass beim Nachbarn alles einwandfrei war, bei unserem Gutachten dann aber (wegen Hanglage) am hangabwärtigen Ende nicht ausreichend tragfähiger Boden diagnostiziert wurde. Das hätte dann einen teilweisen Bodenaustausch bedeutet. Am Ende konnte man es anders lösen, aber trotzdem sind 20m sehr viel.

Unser Gutachten kostete knapp 900€. Dazu kam dann noch die Abnahme des Bodengutachters von 400€ (aufgrund der Situation empfohlen und hat sich auch gelohnt). Gut, wir haben noch ein Standfestigkeitsgutachten machen lassen für 1250€, aber das ist eine andere Geschichte .

In dem Gutachten wurden 2 Bohrungen und 2 Rammkernsondierungen durchgeführt.
B
Bauexperte
18.02.16 10:16
Hallo,
Freund_User3 schrieb:

Nun zu meiner Frage:
Es gibt ein Hydrogeologisches Gutachten der Stadt, in dem 3 Bohrproben entnommen wurden. Eine davon ist genau auf dem Grundstück neben uns (20m Versatz) entnommen. Dieses Gutachten liegt uns auch vor.
Dass dieses Gutachten haftungsrechtlich kein Ersatz für uns ist, ist mir bewusst. Es geht nun darum, ob wir trotzdem die vom GÜ überschlagenen Kosten von 2.500 € für einen externen Geologen ausgeben oder nicht.
Mir fehlt stets das Verständnis dafür, daß an signifikant wichtiger Stelle beim Hausbau Geld eingespart werden soll, welches im worst case ein oder mehrere Leben ruinieren kann

Selbst, wenn das Gutachten tatsächlich € 2.500,00 kosten wird - wobei Du klären solltest, was mit diesem Obolus genau geschuldet sein wird - ist es gut investiertes Geld. Es passiert nicht so selten, daß selbst bei einem DH-Grundstück unterschiedliche Bodenverhältnisse, Wasseradern etc. angetroffen werden.
Freund_User3 schrieb:

Auf Nachfrage bei den einzelnen Bauherren haben wir erfahren, das bisher keiner von Ihnen ein Bodengutachten hat machen lassen.
Ich frage anders: "wenn alle von einer Brücke springen, springst Du dann auch?"
Freund_User3 schrieb:

Was passiert, wenn wir kein externen Geologen beauftragen ?
Ich nehme an, daß Dein Anbieter dann vom Vertrag zurücktreten wird ... jedenfalls dann, wenn er klug ist. "Frei schreiben lassen" kann er sich zwar augenscheinlich auch, im worst case muß er sich aber vom Gericht vorhalten lassen, daß er es "hätte besser wissen müssen".
Freund_User3 schrieb:

Für mich als Bauherr (Laie) würde das Gutachten der Gemeinde ausreichen. Oder Irre ich mich da ?
Ja, Du irrst. Das vorgelegte Gutachten der Gemeinde bezieht sich auf die Planstraßen; ggf.. noch einige, für die Gemeinde, interessante Ecken des Neubaugebietes. Ganz sicher aber nicht auf die einzelnen Flurstücke, welche später bebaut werden sollen.

Grüße, Bauexperte
bodengrundgutachtengrundstückbodengutachtenbauvertragkellerbodenpressunghanglagegeologen