Welches Grundstück würdet ihr nehmen?

4,40 Stern(e) 5 Votes
Zuletzt aktualisiert 09.10.2025
Sie befinden sich auf der Seite 3 der Diskussion zum Thema: Welches Grundstück würdet ihr nehmen?
>> Zum 1. Beitrag <<

Z

zr10r

@Neubi-BY

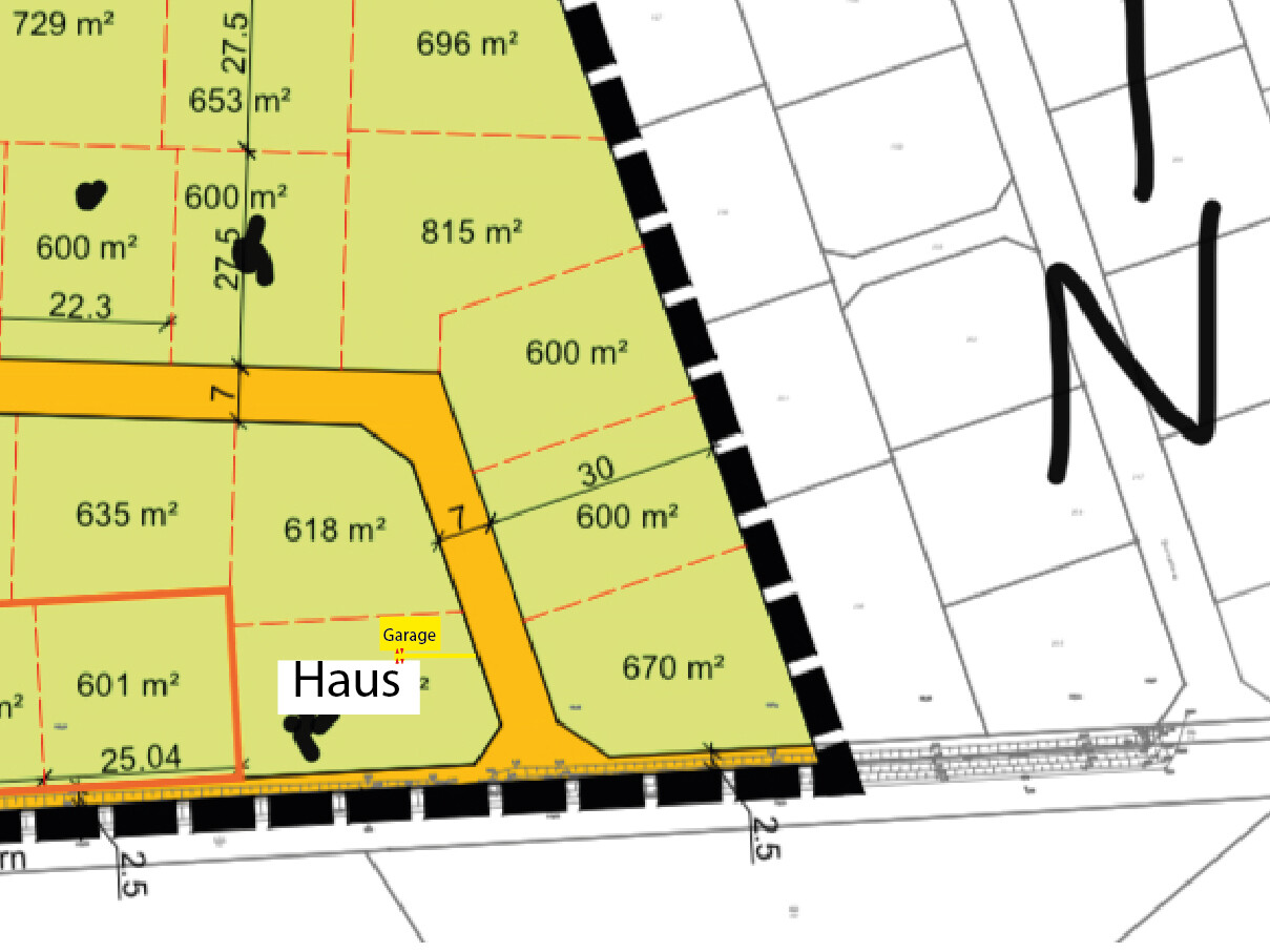
auch ein guter Einwand. Aber wie willst du beim 615er den Eingang in den Norden legen? Der Eingang geht doch nur von der Straße, also von Süden. Wie meinst du das mit der Garage im Osten?
 
Zuletzt aktualisiert 09.10.2025
Im Forum Grundrissplanung / Grundstücksplanung gibt es 2513 Themen mit insgesamt 87219 Beiträgen


Ähnliche Themen zu Welches Grundstück würdet ihr nehmen?
Nr.ErgebnisBeiträge
1Bau Garage auf Grenze geht lt. Architekt nicht. - Seite 211
2Grundriss Einfamilienhaus mit Garage, eigenplanung 17
3Grundstück - Baufenster - Lage von Haus und Garage 44
4Stadtvilla 160-170 m², Problematik Anschluss Windfang mit Garage - Seite 332
5Zugang von der Garage in den Hauswirtschaftsraum - Seite 449
6Einfamilienhaus mit seitlichem Eingang -Grundrissdiskussion? 17
7Vordach über Eingang zu dunkel? - Seite 220
8Eingang Grundriss welche Treppenvariante - Seite 231
9Knifflige Grundstücksplanung: Garage + Eingang nach SW oder NO? 21
10Rückspringender Eingang beim Fertighaus: mit Bodenplatte oder ohne 11
11Garage direkt an Einfamilienhaus. Fundament ausreichend? 20
12Hausfinanzierung - Haus, Garage und Bodenplatte ca. 290.000 EUR 11
13Technikraum in Garage einbauen? Ist dies möglich? 35
14Beheizung Garage. Was ist die beste / günstigste Lösung? 10
15Wo stellen wir Haus und Garage hin? 10
16Kostenschätzung Einfamilienhaus mit Garage 11
17Bungalow mit 140qm und Garage im Grundriss 13
18Erstes Angebot, 157m2 mit Keller, KFW 70, Garage 14
19Grundrissentwurf eines Passivhauses 170m² mit Garage - Seite 218
20Garage: Gestaltungsmöglichkeit des Daches, Erscheinungsbild 14

Oben