ᐅ Grundstückswahl für Doppelhaushälfte - Welches würdet ihr nehmen?
Erstellt am: 18.06.18 13:27
O
OccorimHallo zusammen,
endlich ist es auch bei uns so weit!
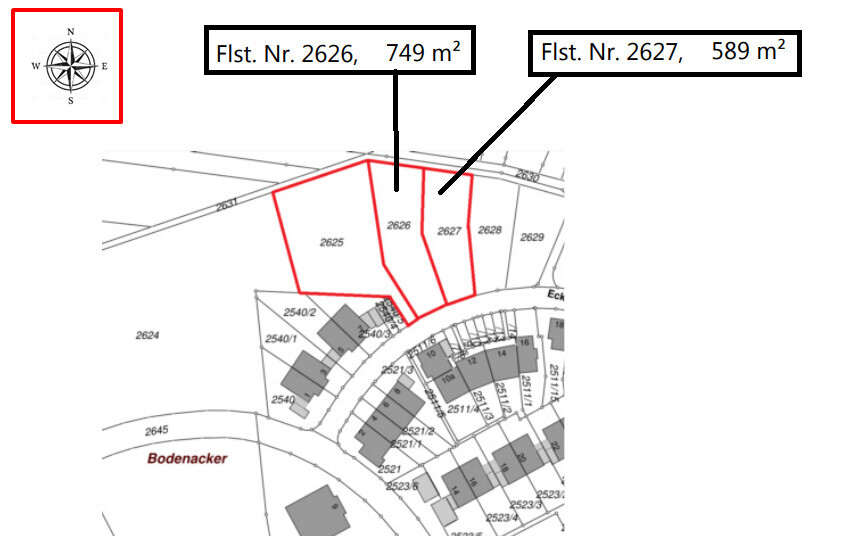
In unserer Stadt entsteht ein Neubaugebiet, wo wir uns auf ein Grundstück bewerben möchten. Aktuell stehen 2 Grundstücke in der engeren Auswahl, siehe dazu die Bilder im Anhang (Flurstück 2626 und 2627). Die Grundstücke sollen mit einem Doppelhaus bebaut werden. Nun hätte ich einige Fragen an euch, bzw. würde gerne euren Rat dazu einholen.
1. Welches Grundstück würdet ihr bevorzugen und aus welchem Grund?
2. Wie seht ihr die Abschattung insbesondere nachmittags/abends, wenn die Nachbarbebauung fertiggestellt ist? Wir sitzen gerade abends (nach der Arbeit) noch gerne im Garten.
3. Seht ihr in dem langen "schlauchartigen" Grundstück etwaige Nachteile?
Gibt es weitere Punkte, die wir beachten sollten?
Vielen Dank schon mal für eure Hilfe!


endlich ist es auch bei uns so weit!
In unserer Stadt entsteht ein Neubaugebiet, wo wir uns auf ein Grundstück bewerben möchten. Aktuell stehen 2 Grundstücke in der engeren Auswahl, siehe dazu die Bilder im Anhang (Flurstück 2626 und 2627). Die Grundstücke sollen mit einem Doppelhaus bebaut werden. Nun hätte ich einige Fragen an euch, bzw. würde gerne euren Rat dazu einholen.
1. Welches Grundstück würdet ihr bevorzugen und aus welchem Grund?
2. Wie seht ihr die Abschattung insbesondere nachmittags/abends, wenn die Nachbarbebauung fertiggestellt ist? Wir sitzen gerade abends (nach der Arbeit) noch gerne im Garten.
3. Seht ihr in dem langen "schlauchartigen" Grundstück etwaige Nachteile?
Gibt es weitere Punkte, die wir beachten sollten?
Vielen Dank schon mal für eure Hilfe!
Ich sehe hier keine Wahl zwischen zwei Grundstücken, sondern nur zwischen links oder rechts desselben Doppelhauses.
https://www.instagram.com/11antgmxde/
https://www.linkedin.com/company/bauen-jetzt/
Occorim schrieb:Nicht weitere, sondern ganz andere: erstens, der Partner muß stimmen. Ihr mit und der Zwillingspartner ohne Keller aber vor Euch bauend wäre die größte Niete. Zweitens, ich würde auch meinem ärgsten Feind nicht empfehlen, ein Doppelhaus mit "jeder sucht sich seinen Architekten selber" zu planen.
Gibt es weitere Punkte, die wir beachten sollten?
https://www.instagram.com/11antgmxde/
https://www.linkedin.com/company/bauen-jetzt/
ich würde da keines von nehmen, weil das Baufenster so beknackt ist, dass es den ganzen Garten zerschießt....
an sich find ich die Grundstücksform ok, ich würde wohl das linke nehmen, aber das Haus müßte mM nach direkt an den Stellplatz dran, sonst bleibt ja gar kein Garten hinten mehr über... echt doof.
an sich find ich die Grundstücksform ok, ich würde wohl das linke nehmen, aber das Haus müßte mM nach direkt an den Stellplatz dran, sonst bleibt ja gar kein Garten hinten mehr über... echt doof.
11ant schrieb:
Nicht weitere, sondern ganz andere: erstens, der Partner muß stimmen. Ihr mit und der Zwillingspartner ohne Keller aber vor Euch bauend wäre die größte Niete. Zweitens, ich würde auch meinem ärgsten Feind nicht empfehlen, ein Doppelhaus mit "jeder sucht sich seinen Architekten selber" zu planen.Die Grundstücke werden nach Höchstgebot verkauft und da wir niemanden kennen, der sich für die zweite Hälfte bewerben könnte, wissen wir vorher nicht, wer im Falle des Zuschlags gegenüber wohnen wird.
Ich habe mir das so vorgestellt, dass man mit den Käufern der anderen Hälfte nach dem Kauf gemeinsam einen Architekten auswählt, mit dem beide Seiten gut leben können. Ist das tatsächlich so problematisch?
apokolok schrieb:
Ich würde 2626 wählen, da hat man mehr Optionen bezüglich Terrasse.
Zugang erfolgt über den Eckenbachweg?
Finde dann die Einteilung überhaupt etwas unglücklich, langer Weg und irgendwie Platzverschwendung mit der Garage / Stellplatz alleine stehend da vorne.Der Zugang wäre über den Eckenbachweg, genau. Dein Argument kann ich nachvollziehen. Ist es möglich, eine solche Planung nachträglich abändern zu lassen (also z. B. ein Versetzen der Stellplätze)?
Occorim schrieb:
Ich habe mir das so vorgestellt, dass man mit den Käufern der anderen Hälfte nach dem Kauf gemeinsam einen Architekten auswählt, mit dem beide Seiten gut leben können. Ist das tatsächlich so problematisch?Ja, ist es. Doppelhaushälfte-Bauherren sind heutzutage nur ganz selten Leute, denen diese Bauform klar ist. Sondern eher Individualbauherren mit einfach bloß zu wenig Geld für beidseitig Grenzabstands-Grundstücksfläche. In mindestens einer von zwei Dimensionen (mit oder ohne Keller, massiv oder Holzständer) ist eine unterschiedliche Meinung wahrscheinlich. Und viele wollen aus Prinzip ihr eigenes Ding durchziehen.Schon ob man überhaupt einen Architekten nimmt, ist ja ein Streitpunkt. Lies´ mal in Bauherrenforen herum: die Mehrheit (gerade der Leute mit knappem Grundstücksbudget) denkt, der Architekt würde per Saldo das Geld kosten, was sie in irgendein Extra investieren möchten (und glauben, der Bauunternehmer-Planer würde einem geschenkt).
Müllerin schrieb:
aber das Haus müßte mM nach direkt an den Stellplatz dran, sonst bleibt ja gar kein Garten hinten mehr über...Occorim schrieb:
Ist es möglich, eine solche Planung nachträglich abändern zu lassen (also z. B. ein Versetzen der Stellplätze)?Das Baufenster wird gewiß nicht verschoben. Man hüte sich übrigens vor dem Traum, bei Carport / Stellplatz / Nebenanlage könne letzteres eine Garage bedeuten.Mehr "Wahl" als zwischen Pest und Cholera sehe ich hier nicht, und empfehle klar ein Weitersuchen. Lest auch mal bewußt die Nutzungsschablone !
Am besten geht man davor noch einmal in sich, was eine Doppelhaushälfte eigentlich bedeutet. Das ist m.E. klar eine Bauträger-Hausform.
https://www.instagram.com/11antgmxde/
https://www.linkedin.com/company/bauen-jetzt/
Ähnliche Themen