Hallo zusammen,
ich plane in 2016 ein Haus auf einem etwas schwierigen Grundstück zu bauen.
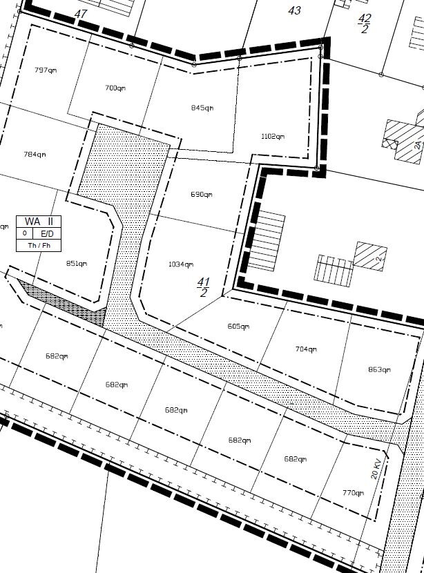
Hier mal das Baugebiet, es handelt sich um das 1102qm Grundstück oben rechts.
Zufahrt über die kleine Stichstrasse, aus Richtung Westen.
Ich frage mich jetzt schon seit Wochen, wie und wo ich idealerweise ein Haus aufstelle.
Der Plan ist genordet, meine erste Idee war das Haus möglichst weit Richtung Norden aufzustellen.
Zielsetzung: großer Garten im Süden, wenig "nutzloser Raum" nördlich des Hauses.
Allerdings stört mich hier die lange Auffahrt, vorausgesetzt ich würde westlich des Hauses eine Garage/Carport bauen und weiterhin fehlt mir dann eine vernünftige Wendefläche, bzw. 2 Besucherparkplätze.
Ok, Besucher können auch im Wendehammer parken, das ist verkraftbar. Aber mein Auto möchte schon auf meinem Grundstück wenden können...
Anbei ein Screenshot meiner ersten Idee, bitte nicht über die Qualität aufregen, habe das nur mit Visio dargestellt um ein Gefühl für die Flächenverhältnisse zu bekommen. Das Haus würde eine Grundfläche von Max. 12x10 Meter bekommen WZ/EssZ/Küche Richtung Süden, Eingang von West.
Irgendwie gefällt mir das alles nicht.
Viel Verkehrswege, wenig praktischer Nutzen.
Haus und Carport müsste man sicherlich noch aufeinander abstimmen, evtl. setzt man das Carport auch mittels Pultdach ans Haus? Fragen über Fragen...
Über Tipps und Anregungen würde ich mich daher freuen!
Vielen Dank im voraus!
Beste Grüße
Paule
ich plane in 2016 ein Haus auf einem etwas schwierigen Grundstück zu bauen.
Hier mal das Baugebiet, es handelt sich um das 1102qm Grundstück oben rechts.
Zufahrt über die kleine Stichstrasse, aus Richtung Westen.
Ich frage mich jetzt schon seit Wochen, wie und wo ich idealerweise ein Haus aufstelle.
Der Plan ist genordet, meine erste Idee war das Haus möglichst weit Richtung Norden aufzustellen.
Zielsetzung: großer Garten im Süden, wenig "nutzloser Raum" nördlich des Hauses.
Allerdings stört mich hier die lange Auffahrt, vorausgesetzt ich würde westlich des Hauses eine Garage/Carport bauen und weiterhin fehlt mir dann eine vernünftige Wendefläche, bzw. 2 Besucherparkplätze.
Ok, Besucher können auch im Wendehammer parken, das ist verkraftbar. Aber mein Auto möchte schon auf meinem Grundstück wenden können...
Anbei ein Screenshot meiner ersten Idee, bitte nicht über die Qualität aufregen, habe das nur mit Visio dargestellt um ein Gefühl für die Flächenverhältnisse zu bekommen. Das Haus würde eine Grundfläche von Max. 12x10 Meter bekommen WZ/EssZ/Küche Richtung Süden, Eingang von West.
Irgendwie gefällt mir das alles nicht.
Viel Verkehrswege, wenig praktischer Nutzen.
Haus und Carport müsste man sicherlich noch aufeinander abstimmen, evtl. setzt man das Carport auch mittels Pultdach ans Haus? Fragen über Fragen...
Über Tipps und Anregungen würde ich mich daher freuen!
Vielen Dank im voraus!
Beste Grüße
Paule
paulcom schrieb:
Der Plan ist genordet, meine erste Idee war das Haus möglichst weit Richtung Norden aufzustellen.
Zielsetzung: großer Garten im Süden, wenig "nutzloser Raum" nördlich des Hauses.Vielleicht schon mal ein falscher Ansatz? Könntest Du auch selbst darauf kommen, wenn man das da im Norden auf dem Grundstück anschaut.
Da ich vor Kurzem etwas über Gartengestaltung und Lage des Hauses auf einem Grundstück gepostet habe, gern hier der Link:
https://www.hausbau-forum.de/threads/grundrissplanung-efh-Stadtvilla-135m.12735/page-2
Gruss Yvonne
ypg schrieb:
Vielleicht schon mal ein falscher Ansatz? Könntest Du auch selbst darauf kommen, wenn man das da im Norden auf dem Grundstück anschaut.
Da ich vor Kurzem etwas über Gartengestaltung und Lage des Hauses auf einem Grundstück gepostet habe, gern hier der Link:
https://www.hausbau-forum.de/threads/grundrissplanung-efh-Stadtvilla-135m.12735/page-2
Gruss YvonneHallo Yvonne,
danke für die Rückmeldung.
Selbstverständlich ist das der vermutlich falsche Ansatz, bin damit auch nicht zufrieden.
Den genannten Thread kenne ich auch, das brachte mich auf die Idee mein Thema hier zu eröffnen.
Ich versuche mich von meinem ersten Ansatz:
"Erstmal Hausgrundriss fixieren, der Rest kommt im Nachgang" zu lösen und jetzt mal "ganzheitlich" ran zu gehen.
Frage 1:
Wie will ich den Garten nutzen? --> hier soll Spielfläche für meine Tochter sein. Benötige also Platz für Trampolin, Schaukel, Sandkiste und im Sommer Pool.
Bin kein großer Gärtner, der Garten soll also mit rel. viel Rasen angelegt werden, an der Grenze im Westen denke ich an eine Hainbuchehecke, evtl. auch an den anderen Grenzen, jedoch grenze ich dort an "Altbestand", entsprechend bewachsen.
Ansonsten ein paar Beete mit Feldsteinen eingefasst, pflegeleicht gestaltet.
Frage 2:
Warum will ich das Haus möglichst in Richtung Grenze setzen? ---> möchte vor der Terrasse möglichst viel Freiraum haben. Warum? Aktuell bewohnen wir ein Einfamilienhaus auf einem 500qm Grundstück, von meiner Terrasse bis zum Zaun sind es jetzt knapp 1,5 m. das möchte ich nicht mehr.
Frage 3:
Benötige ich Zugang vom Carport/Garage direkt zum Haus? ---> nein, habe ich aktuell auch nicht und (wenn man ehrlich ist) die 10 mal im Jahr, wenn man mal nass wird, so what. 10 - 12 m Weg vom Carport zur Haustür kann ich verkraften.
Welche Themen gilt es weiterhin im Hinblick auf eine gute Gestaltung des Ganzen zu beachten?
Anbei eine neue Idee. Verbesserungsvorschläge sind erwünscht.
Das Haus ist auf die 3m-Grenze gesetzt.
Der Weg zwischen Haus und Carport liegt hier bei ca. 10-12 m, das wäre für mich die maximale Weglänge.
Was mir gefällt: ich hätte dann im Norden auch noch etwas Nutzfläche (Wäschespinne, Kompost...)
Also: Feuer frei
Beste Grüße Paule
J
Jochen10425.06.15 19:56Die Wendefläche würde ich direkt vor dem Carport platzieren. Ansonsten musst du trotz Wendefläche 20m rückwärts fahren. Und eine breitere Fläche benötigst du sowieso um den zweiten Wagen in das Carport zu fahren.
Ich denke es kommt auch darauf an, welchen Wert du auf Sichtschutz legst und wie du ihn gestalten willst.
Das Haus würde ich noch etwas mehr nach Süden ziehen. Wir haben unsere Hauptterrasse auch Richtung Westen, weil ich dort Abends nach der Arbeit mehr von der Sonne habe.
Ggf. wärst du auch froh, wenn du noch eine kleine Sitzgelegenheit auf der Ostseite hättest. Wir frühstücken z. B. gern im Sommer an den Wochenenden draußen. Aber Das hängt alles von euren Bedürfnissen und Vorlieben ab. Platz habt ihr auf jeden Fall genug um deiner Tochter ein Spielparadies zu gönnen
Ich denke es kommt auch darauf an, welchen Wert du auf Sichtschutz legst und wie du ihn gestalten willst.
Das Haus würde ich noch etwas mehr nach Süden ziehen. Wir haben unsere Hauptterrasse auch Richtung Westen, weil ich dort Abends nach der Arbeit mehr von der Sonne habe.
Ggf. wärst du auch froh, wenn du noch eine kleine Sitzgelegenheit auf der Ostseite hättest. Wir frühstücken z. B. gern im Sommer an den Wochenenden draußen. Aber Das hängt alles von euren Bedürfnissen und Vorlieben ab. Platz habt ihr auf jeden Fall genug um deiner Tochter ein Spielparadies zu gönnen
Ich gebe zu bedenken, dass es im Norden durchaus auch dem ganzen Tag Sonne geben kann, gerade im Sommer. Wir haben komplett Nordausrichtung und unser Garten hinten im Norden hat den ganzen Tag Sonne. Die Terrasse hinten ist 4,5m tief und die ist noch im Schatten, da kommt die Sonne erst nachmittags/abends hin. Aber ab der Terrasse ist komplett Sonne und unser Haus ist nicht gerade klein bzw. tief (1,5 Geschosse mit Satteldach). Kannst bei mir im Planumgsthread mal durchblättern, da sieht man auch Garten und Sonnenstand.
Zu deiner Planung: Ich würde das Haus als Ganzes eher Mittig auf dem Grundstück platzieren und das (Doppel?) Carport eher vorne vor dem Haus am der Westgrenze, so weit vorne, dass du davor wenden kannst bzw. Max. 1,5m Autolängen oder so. Ich würde das Haus auch eher zur Westgrenze parallel stellen. Warte, ich versuche mal kurz zu skizzieren...
Zu deiner Planung: Ich würde das Haus als Ganzes eher Mittig auf dem Grundstück platzieren und das (Doppel?) Carport eher vorne vor dem Haus am der Westgrenze, so weit vorne, dass du davor wenden kannst bzw. Max. 1,5m Autolängen oder so. Ich würde das Haus auch eher zur Westgrenze parallel stellen. Warte, ich versuche mal kurz zu skizzieren...
Hier mal eine kleine Skizze. Die Verhältnisse stimmen natürlich nicht, aber so im Groben denke ich, sollte es klar werden.
Ich würde halt eben im Westen auf die Terrasse verzichten. Ich finde eine Frühstücksmöglichkeit im Osten, eine Sonnenterrasse im Süden und ein schattiges Plätzchen im Norden ist wichtig, aber das muss jeder selbst wissen, denke ich.
Bei meiner Planung wurde ich den Spielbereich für die Tochter eher hinten Planen und vorne vielleicht mehr so Ziergarten und vielleicht Rasen zum Toben/Ball spielen und für den Pool im Sommer. Den Platz zwischen Carport und Haus kann man ja auch verlängern.
Das wären wohl meine Ansätze...

Ich würde halt eben im Westen auf die Terrasse verzichten. Ich finde eine Frühstücksmöglichkeit im Osten, eine Sonnenterrasse im Süden und ein schattiges Plätzchen im Norden ist wichtig, aber das muss jeder selbst wissen, denke ich.
Bei meiner Planung wurde ich den Spielbereich für die Tochter eher hinten Planen und vorne vielleicht mehr so Ziergarten und vielleicht Rasen zum Toben/Ball spielen und für den Pool im Sommer. Den Platz zwischen Carport und Haus kann man ja auch verlängern.
Das wären wohl meine Ansätze...
Ähnliche Themen