ᐅ Grundrissvorentwurf/Raumaufteilung auf großem Nordwest-Grundstück
Erstellt am: 22.11.19 00:25
L
ltenzerHallo zusammen,
dankenswerter Weise wurde vor einem knappen Jahr mein damaliger Grundriss konstruktiv und deutlich genug kritisiert, um langfristige Ärgernisse zu verhindern und einen Neuanfang zu wagen. Nach einigen Verzögerungen daher hier mein Entwurf zur Raumaufteilung, Fenster sind noch nicht eingezeichnet, auch bisher so gut wie keine Möbel. Da wir am Dienstag einen Termin mit dem Architekten haben, würde deren Einzeichnen jetzt zu lange dauern, um vorher noch mögliche Anregungen erhalten und berücksichtigen zu können. Bitte um Nachsicht. Auf jeden Fall ist im Bereich des südwestlich gelegenen Luftraumes über dem Essbereich eine größere Fensterfront geplant.
Checkliste:
Bebauungsplan/Einschränkungen
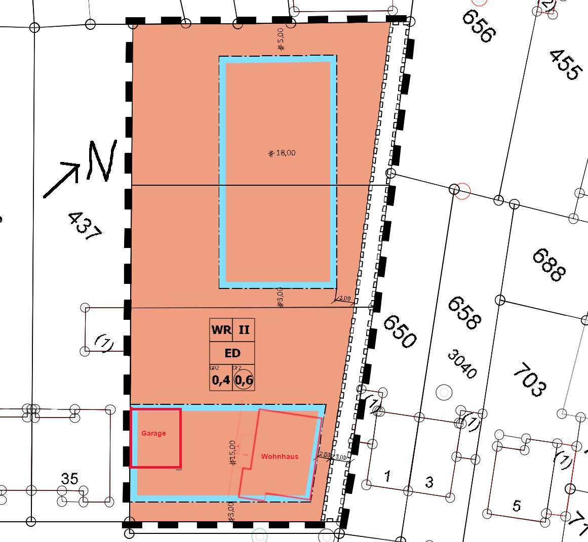
Größe des Grundstücks inkl. Hinterland /ehem Landwirtschaft (bereits abgebrochene Gewächshäuser) gesamt 2800 qm
Hang: das vorne 32m breite Grundstück fällt von links nach rechts um gesamt 1,60 m ab. Nach hinten ist das Grundstück ebenfalls leicht abschüssig, innerhalb des 15 m tiefen Baufensters fällt das Gelände um circa 60-80 cm ab.
Grundflächenzahl 0,4
Geschossflächenzahl 0,8
Baufenster, Baulinie und -grenze: in bearbeitetem Bebauungsplan-Auszug ersichtlich, rot markiert sind geplante Gebäudeumrisse. Der gesamte orange Bereich inkl. dem weiß hinterlegten Weg am rechten Grundstücksrand gehört uns. Unterhalb dieses Weges ist eine öffentliche Abwasserleitung, die nicht überbaut werden darf. Zu diesem Weg hin müssen wir mit der Wohnbebauung 2 Meter Abstand halten oder, falls dort eine Garage platziert würde, 1 Meter Abstand. Der Bebauungsplan zur Hinterlandbebauung ist auf unseren Wunsch beschlossen worden (für später mal, angedacht für Kinder oder Altersbungalow).
Randbebauung: links (südwestlich) Bungalow, der aufgrund seiner höheren Lage im Winter aber auch weite Schatten werfen kann. Hinter diesem Bungalow liegen an unserer Grundstücksgrenze noch eine Garage und dahinter noch ein Schuppen des Nachbarn, die leider ebenfalls bei tiefstehender Sonne Verdunkelung unseres Grundstückes bewirken. Rechts (nordöstlich) ist 1,5 geschossig bebaut mit Garage auf Grenze zu unserem Weg
Geschossigkeit: 2 Vollgeschosse
Dachform beliebig, vorzugsweise Pultdach (über dem OG ist ein Sichtdach geplant)
Stilrichtung beliebig
Ausrichtung Garten Nordwest
Anforderungen der Bauherren
Stilrichtung, Dachform, Gebäudetyp: bevorzugt klassisch "altmodisch behaglich", darf auch etwas verspielt und mit modernen Elementen kombiniert sein
Anzahl der Personen, Alter: 4 Personen 42 + 43 + 2,5 + 0,5 (3. Kind/Pflegekind eher unwahrscheinlich, aber man weiß ja nie)
Büro: u.a. für private Dokumente, Bücher etc.
Schlafgäste pro Jahr: bis dato Max. 10 Übernachtungen im Jahr
offene oder geschlossene Architektur: gerne offen
konservativ oder moderne Bauweise: beides hat Vor-/Nachteile, gerne ein Mix
offene Küche, Kochinsel: gerne offen mit Option, bei Meinungsänderung zu schließen, Kochinsel gerne wenn der Platz reicht, muss nicht.
Anzahl Essplätze: im Alltag 4, mit Gästen schon mal 12-18
Kamin: muss nicht
Musik/Stereowand: muss nicht, Kompaktanlage mit 2 kleinen Boxen dürfte irgendwo Platz finden
Balkon, Dachterrasse: aus Kostengründen nicht notwendig
Garage, Carport: mindestens 1 Doppelgarage
weitere Wünsche/Besonderheiten/Tagesablauf, gern auch Begründungen, warum dieses oder das nicht sein soll: sh. unten
Hausentwurf
Von wem stammt die Planung:
-Do-it-Yourself-Rohentwurf mit roomsketcher
-Preisschätzung lt Architekt/Planer: noch unbekannt
Persönliches Preislimit fürs Haus, inkl Ausstattung: 550-600 T€ inkl. Nebenkosten
favorisierte Heiztechnik: Erdwärmepumpe, Tiefenbohrung (oder hat jemand positive Erfahrungen mit Holzhackschnitzeln? Da käme ich sehr günstig dran.)
Warum eigener Grundriss statt komplettes Architektenwerk? Unser Architekt ist techisch sehr gut und zugleich beruflich ein guter Geschäftspartner. Pläne zu ändern dauert aber aufgrund hoher Auslastung oft ziemlich lange bei ihm. Um optimaler Weise im Frühjahr starten zu können, nehme ich ihm gerne etwas Vorarbeit ab, in der Hoffung, dass es etwas bringt.
Wir haben das Haus "schräg" ins Baufenster gesetzt, so dass es mit dem aus oben in der Checkliste genannten Gründen am rechten Rand ebenfalls schrägen Baufensters bündig abschließt. Zum rechten Nachbarn hin verläuft die Hauswand damit parallel. Grund dafür ist, dass wir zwar die Südwestsonne genießen wollen, die aus Richtung des linken Nachbarn zu uns scheint, wir uns aber ein wenig von der Einsehbarkeit aus Richtung Straße und dort gegenüberliegenden Nachbarhäusern abwenden möchten. Zweiter Grund ist, dass wir wegen des im Winter doch langen Schattenwurfes unseres höherliegenden linken Nachbarn möglichst weit von ihm weg bauen, um etwas mehr Sonnenschein in unsere Fenster zu lassen. Unsere Garage habe ich daher auch aus Helligkeitsgründen vom Haus abgekoppelt an den linken südwestlichen Rand geplant, sie soll dann möglichst flach gebaut werden und im Winter nicht wesentlich mehr Schatten verursachen, als es die Nachbarbebauung eh schon tut.
Die von der Straße aus - aufgrund der Lücke zwischen Garage und Haus - offen einsehbare Terrasse soll mit einer Hecke geschlossen werden.
Ich habe mich bei meinem Entwurf u.a. vom Grundriss einer Gebrauchtimmobilie inspirieren lassen, die wir uns zwischenzeitlich angesehen hatten. Dort schaute man als Eyecatcher beim Eintritt auf eine hohe Pflanze, die durch eine 1x1m-Deckenöffnung neben dem linken Ende der Treppe bis ins OG ragte. Überlegung ist, die Deckenöffnung so groß zu planen, dass im Alter dort ein Senkrechtaufzug nachrüstbar wäre. Galerie/Luftraum war in diesem Haus positioniert wie bei uns, hat uns auch gut gefallen. Der Windfang soll vor allem Durchzug vermeiden, da bei uns auch oft die Terrassentür offen steht. Die Garderobe habe ich erst hinter den Windfang offen zum Wohnraum gesetzt, damit die Tür des Windfanges nicht einer möglichen Aufzuglösung und daherum erforderlicher Bewegungsflächen entgegensteht
Im EG ist neben der Treppe (im Plan oberhalb selbiger) eine Wand eingezeichnet, von der ich ausgehe, dass Sie aus statischen Gründen als tragende Wand aufgrund der großen Wohn-Ess-"Halle" erforderlich sein könnte. Diese Wand geht in Keller und OG durch und hat dort auch einen praktischen Nutzen zur Raumtrennung.
Im Obergeschoss habe ich das Ankleidezimmer zwischen Schlafzimmer und Bad positioniert und absichtlich nochmals mit einer Türe vom Schlafzimmer getrennt. Grund ist die aktuelle Wohnerfahrung, wo unser Schlafzimmer nur durch eine dünne Wand vom Bad getrennt ist und man auch bei geschlossener Tür noch zu viele Geräusche aus dem Bad wahrnimmt. Ich sehe die Lösung noch als etwas unrund an, möchte den Luftraum aber auch nicht zu klein machen. Das riesig eingeplante Bett im Schlafzimmer soll ein 2,70 m breites Familienbett werden. Platz daneben ist noch etwas knapp. Wenn ich es gegenüber an die Außenwand stelle, würde das mit dem Wunsch nach Fenstern zur Sonnenseite kollidieren, oder nicht?
Der Luftraum ist übrigens ein schon lange gehegter Wunsch, auf den wir nicht ganz verzichten wollen, auch wenn dies bspw. Türen mit gutem Schallschutz in den Kinderzimmern erforderlich macht.
Gerade da es sich bisher nur um einen halbfertigen Entwurf einer Raumaufteilung handelt, würde ich mich über Kritiken und Ideen freuen, damit ich sie schon am Anfang in die Planung mit dem Architekten einfließen lassen kann. Auch wollen wir gerne ein paar Quadratmeter einsparen, wenn dies irgendwo machbar und sinnvoll ist.
Vorab vielen Dank für alle Anregungen!




dankenswerter Weise wurde vor einem knappen Jahr mein damaliger Grundriss konstruktiv und deutlich genug kritisiert, um langfristige Ärgernisse zu verhindern und einen Neuanfang zu wagen. Nach einigen Verzögerungen daher hier mein Entwurf zur Raumaufteilung, Fenster sind noch nicht eingezeichnet, auch bisher so gut wie keine Möbel. Da wir am Dienstag einen Termin mit dem Architekten haben, würde deren Einzeichnen jetzt zu lange dauern, um vorher noch mögliche Anregungen erhalten und berücksichtigen zu können. Bitte um Nachsicht. Auf jeden Fall ist im Bereich des südwestlich gelegenen Luftraumes über dem Essbereich eine größere Fensterfront geplant.
Checkliste:
Bebauungsplan/Einschränkungen
Größe des Grundstücks inkl. Hinterland /ehem Landwirtschaft (bereits abgebrochene Gewächshäuser) gesamt 2800 qm
Hang: das vorne 32m breite Grundstück fällt von links nach rechts um gesamt 1,60 m ab. Nach hinten ist das Grundstück ebenfalls leicht abschüssig, innerhalb des 15 m tiefen Baufensters fällt das Gelände um circa 60-80 cm ab.
Grundflächenzahl 0,4
Geschossflächenzahl 0,8
Baufenster, Baulinie und -grenze: in bearbeitetem Bebauungsplan-Auszug ersichtlich, rot markiert sind geplante Gebäudeumrisse. Der gesamte orange Bereich inkl. dem weiß hinterlegten Weg am rechten Grundstücksrand gehört uns. Unterhalb dieses Weges ist eine öffentliche Abwasserleitung, die nicht überbaut werden darf. Zu diesem Weg hin müssen wir mit der Wohnbebauung 2 Meter Abstand halten oder, falls dort eine Garage platziert würde, 1 Meter Abstand. Der Bebauungsplan zur Hinterlandbebauung ist auf unseren Wunsch beschlossen worden (für später mal, angedacht für Kinder oder Altersbungalow).
Randbebauung: links (südwestlich) Bungalow, der aufgrund seiner höheren Lage im Winter aber auch weite Schatten werfen kann. Hinter diesem Bungalow liegen an unserer Grundstücksgrenze noch eine Garage und dahinter noch ein Schuppen des Nachbarn, die leider ebenfalls bei tiefstehender Sonne Verdunkelung unseres Grundstückes bewirken. Rechts (nordöstlich) ist 1,5 geschossig bebaut mit Garage auf Grenze zu unserem Weg
Geschossigkeit: 2 Vollgeschosse
Dachform beliebig, vorzugsweise Pultdach (über dem OG ist ein Sichtdach geplant)
Stilrichtung beliebig
Ausrichtung Garten Nordwest
Anforderungen der Bauherren
Stilrichtung, Dachform, Gebäudetyp: bevorzugt klassisch "altmodisch behaglich", darf auch etwas verspielt und mit modernen Elementen kombiniert sein
Anzahl der Personen, Alter: 4 Personen 42 + 43 + 2,5 + 0,5 (3. Kind/Pflegekind eher unwahrscheinlich, aber man weiß ja nie)
Büro: u.a. für private Dokumente, Bücher etc.
Schlafgäste pro Jahr: bis dato Max. 10 Übernachtungen im Jahr
offene oder geschlossene Architektur: gerne offen
konservativ oder moderne Bauweise: beides hat Vor-/Nachteile, gerne ein Mix
offene Küche, Kochinsel: gerne offen mit Option, bei Meinungsänderung zu schließen, Kochinsel gerne wenn der Platz reicht, muss nicht.
Anzahl Essplätze: im Alltag 4, mit Gästen schon mal 12-18
Kamin: muss nicht
Musik/Stereowand: muss nicht, Kompaktanlage mit 2 kleinen Boxen dürfte irgendwo Platz finden
Balkon, Dachterrasse: aus Kostengründen nicht notwendig
Garage, Carport: mindestens 1 Doppelgarage
weitere Wünsche/Besonderheiten/Tagesablauf, gern auch Begründungen, warum dieses oder das nicht sein soll: sh. unten
Hausentwurf
Von wem stammt die Planung:
-Do-it-Yourself-Rohentwurf mit roomsketcher
-Preisschätzung lt Architekt/Planer: noch unbekannt
Persönliches Preislimit fürs Haus, inkl Ausstattung: 550-600 T€ inkl. Nebenkosten
favorisierte Heiztechnik: Erdwärmepumpe, Tiefenbohrung (oder hat jemand positive Erfahrungen mit Holzhackschnitzeln? Da käme ich sehr günstig dran.)
Warum eigener Grundriss statt komplettes Architektenwerk? Unser Architekt ist techisch sehr gut und zugleich beruflich ein guter Geschäftspartner. Pläne zu ändern dauert aber aufgrund hoher Auslastung oft ziemlich lange bei ihm. Um optimaler Weise im Frühjahr starten zu können, nehme ich ihm gerne etwas Vorarbeit ab, in der Hoffung, dass es etwas bringt.
Wir haben das Haus "schräg" ins Baufenster gesetzt, so dass es mit dem aus oben in der Checkliste genannten Gründen am rechten Rand ebenfalls schrägen Baufensters bündig abschließt. Zum rechten Nachbarn hin verläuft die Hauswand damit parallel. Grund dafür ist, dass wir zwar die Südwestsonne genießen wollen, die aus Richtung des linken Nachbarn zu uns scheint, wir uns aber ein wenig von der Einsehbarkeit aus Richtung Straße und dort gegenüberliegenden Nachbarhäusern abwenden möchten. Zweiter Grund ist, dass wir wegen des im Winter doch langen Schattenwurfes unseres höherliegenden linken Nachbarn möglichst weit von ihm weg bauen, um etwas mehr Sonnenschein in unsere Fenster zu lassen. Unsere Garage habe ich daher auch aus Helligkeitsgründen vom Haus abgekoppelt an den linken südwestlichen Rand geplant, sie soll dann möglichst flach gebaut werden und im Winter nicht wesentlich mehr Schatten verursachen, als es die Nachbarbebauung eh schon tut.
Die von der Straße aus - aufgrund der Lücke zwischen Garage und Haus - offen einsehbare Terrasse soll mit einer Hecke geschlossen werden.
Ich habe mich bei meinem Entwurf u.a. vom Grundriss einer Gebrauchtimmobilie inspirieren lassen, die wir uns zwischenzeitlich angesehen hatten. Dort schaute man als Eyecatcher beim Eintritt auf eine hohe Pflanze, die durch eine 1x1m-Deckenöffnung neben dem linken Ende der Treppe bis ins OG ragte. Überlegung ist, die Deckenöffnung so groß zu planen, dass im Alter dort ein Senkrechtaufzug nachrüstbar wäre. Galerie/Luftraum war in diesem Haus positioniert wie bei uns, hat uns auch gut gefallen. Der Windfang soll vor allem Durchzug vermeiden, da bei uns auch oft die Terrassentür offen steht. Die Garderobe habe ich erst hinter den Windfang offen zum Wohnraum gesetzt, damit die Tür des Windfanges nicht einer möglichen Aufzuglösung und daherum erforderlicher Bewegungsflächen entgegensteht
Im EG ist neben der Treppe (im Plan oberhalb selbiger) eine Wand eingezeichnet, von der ich ausgehe, dass Sie aus statischen Gründen als tragende Wand aufgrund der großen Wohn-Ess-"Halle" erforderlich sein könnte. Diese Wand geht in Keller und OG durch und hat dort auch einen praktischen Nutzen zur Raumtrennung.
Im Obergeschoss habe ich das Ankleidezimmer zwischen Schlafzimmer und Bad positioniert und absichtlich nochmals mit einer Türe vom Schlafzimmer getrennt. Grund ist die aktuelle Wohnerfahrung, wo unser Schlafzimmer nur durch eine dünne Wand vom Bad getrennt ist und man auch bei geschlossener Tür noch zu viele Geräusche aus dem Bad wahrnimmt. Ich sehe die Lösung noch als etwas unrund an, möchte den Luftraum aber auch nicht zu klein machen. Das riesig eingeplante Bett im Schlafzimmer soll ein 2,70 m breites Familienbett werden. Platz daneben ist noch etwas knapp. Wenn ich es gegenüber an die Außenwand stelle, würde das mit dem Wunsch nach Fenstern zur Sonnenseite kollidieren, oder nicht?
Der Luftraum ist übrigens ein schon lange gehegter Wunsch, auf den wir nicht ganz verzichten wollen, auch wenn dies bspw. Türen mit gutem Schallschutz in den Kinderzimmern erforderlich macht.
Gerade da es sich bisher nur um einen halbfertigen Entwurf einer Raumaufteilung handelt, würde ich mich über Kritiken und Ideen freuen, damit ich sie schon am Anfang in die Planung mit dem Architekten einfließen lassen kann. Auch wollen wir gerne ein paar Quadratmeter einsparen, wenn dies irgendwo machbar und sinnvoll ist.
Vorab vielen Dank für alle Anregungen!
Wollte meinen Beitrag bearbeiten, habe aber das Zeitlimit von 10 Minuten dabei überschritten, daher hier als Ergänzung:
Im EG sollen in der Lücke zwischen tragender Wand und Wand zum Büro/Gästezimmer Einbauschränke Platz finden, je zur Hälfte vom Wohnzimmer und vom Flur aus (für Putzmittel etc.) benutzbar. Das Büro/Gästezimmer soll in seinen Anfangsjahren auch Lagerraum für einen Teil der Spielsachen unserer Kinder sein, solange sie noch gerne in Elternnähe im Wohnbereich spielen möchten.
Der Luftraum ist im OG-Plan nicht komplett abgegrenzt eingezeichnet, man muss sich nur die Linie durchgehend vorstellen, welche als Wand links neben der Tür zum Eltern-Schlafzimmer beginnt.
Auch habe ich hier noch einen größeren Auszug aus dem Bebauungsplan beigefügt:

Im EG sollen in der Lücke zwischen tragender Wand und Wand zum Büro/Gästezimmer Einbauschränke Platz finden, je zur Hälfte vom Wohnzimmer und vom Flur aus (für Putzmittel etc.) benutzbar. Das Büro/Gästezimmer soll in seinen Anfangsjahren auch Lagerraum für einen Teil der Spielsachen unserer Kinder sein, solange sie noch gerne in Elternnähe im Wohnbereich spielen möchten.
Der Luftraum ist im OG-Plan nicht komplett abgegrenzt eingezeichnet, man muss sich nur die Linie durchgehend vorstellen, welche als Wand links neben der Tür zum Eltern-Schlafzimmer beginnt.
Auch habe ich hier noch einen größeren Auszug aus dem Bebauungsplan beigefügt:
Der erste Versuch war leider nichts. Du planst sehr sehr großzügig, aber die Aufteilung ist leider einfach schlecht.
- Küche ist total unpraktisch geschnitten. Damit kannst du nichts anfangen. vor allem bei der Größe
- Esszimmer ala Durchgangsbereich ist ungemütlich und vor allem ist der Bereich zu schmal
- Wie breit ist der Flur hinter der Treppe? 0,80m?
Alles in allem ziemlich laienhaft. KG und OG ist besser, aber der Entwurf ist schon mit dem EG gestorben
- Küche ist total unpraktisch geschnitten. Damit kannst du nichts anfangen. vor allem bei der Größe
- Esszimmer ala Durchgangsbereich ist ungemütlich und vor allem ist der Bereich zu schmal
- Wie breit ist der Flur hinter der Treppe? 0,80m?
Alles in allem ziemlich laienhaft. KG und OG ist besser, aber der Entwurf ist schon mit dem EG gestorben
ivenh0 schrieb:
Der erste Versuch war leider nichts. Du planst sehr sehr großzügig, aber die Aufteilung ist leider einfach schlecht.
- Küche ist total unpraktisch geschnitten. Damit kannst du nichts anfangen. vor allem bei der Größe
- Esszimmer ala Durchgangsbereich ist ungemütlich und vor allem ist der Bereich zu schmal
- Wie breit ist der Flur hinter der Treppe? 0,80m?
Alles in allem ziemlich laienhaft. KG und OG ist besser, aber der Entwurf ist schon mit dem EG gestorbenBei der Küche dachten wir an eine Insel in der Mitte, muss nicht unbedingt Kochinsel sein, kann auch eine rechteckige "Arbeitsplatteninsel" sein mit Schränken drunter. Was meinst Du mit unpraktisch, zu breit um ohne Insel zu bauen und zu schmal für mit Insel? Also meinst Du zu große Laufwege in der Küche?
Esszimmer im Durchgang zwischen Küche und Wohnzimmer haben wir jetzt auch, finden wir so eigentlich sehr gut. Es laufen ja keine fremden Leute an uns vorbei und am Esstisch sitzen wir meist nicht allzu lange. Wir lümmeln im Alltag lieber auf der Couch rum und essen manchmal auch da. Wir wollen die Bereiche nicht voneinander abtrennen, damit man dort zueinander Sichtkontakt hat. Auch soll es möglich sein, bei großen Feiern mal einen Tisch an den Esstisch dranstellen zu können, der ragt dann halt ins WZ rein. Aber dass der Bereich aufgrund der Treppe etwas schmal sein kann, habe ich schon befürchtet.
Hinter der Treppe - sofern Du im Plan oberhalb meinst - ist kein Flur, vielleicht hätte ich da noch eine Zwischenwand einzeichnen sollen. Zwischen Treppe und Gast/Büro sollen 2 Einbauschränke rein. In die linke Hälfte dieser Nische ein vom WZ aus bedienbarer Schrank, in die rechte vom Flur aus bedienbar.
Oder meinst Du den Flur planrechts der Treppe? Da dürften schon 1,10-1,20 m Platz sein.
Ihr habt da ein schönes Budget und auch das Grundstück kann sich sehen lassen. Ok, die Ausrichtung ist jetzt nicht perfekt, aber die Westsonne bekommt Ihr gut auf die Terrasse. Ich würde dafür ein kleines L ins Haus basteln und die Terrasse an die Nord-Westseite legen. So kommt die Südsonne auch bis auf die Terrasse und man sitzt trotzdem nicht an der Straße.
Die Garage in den Süden zu stellen, käme mir nicht in den Sinn. Ja, dort stehen an der Grenze die Gebäude der Nachbarn. Aber das Grundstück ist doch recht breit. Man kann das Haus inkl. Terrasse ja auch noch 50cm anheben, so kommt man selber höher.
Die Treppe im WZ mit 2 Kindern ist semi-optimal. Ich sehe hier keinen Zwang dafür und würde deshalb nicht darauf kommen. Schließlich ist ja auch ein Keller geplant, wo vielleicht mal ein Monteur hin muss, der dann jedes mal durch meine Privaträume rennt, och nö.
Dein Entwurf ist trotz Deines hübschen Budgets auch noch etwas überdimensioniert. Ich hab hier mal ne Skizze für etwa 200m² + Keller, was m.E. etwa dem Budget entspricht. Das ist nur ein Entwurf - mal schnell hingewischt. Ob man wirklich einen Balkon am Schlafzimmer will oder lieber die Terrasse überbaut - fand ich erst mal nicht wichtig. Wollte vor allem zeigen, wie man das Licht in die Räume und auf die Terrasse holt, ohne an der Straße zu sitzen und ohne die Garage in den Westen zu bauen.


Die Garage in den Süden zu stellen, käme mir nicht in den Sinn. Ja, dort stehen an der Grenze die Gebäude der Nachbarn. Aber das Grundstück ist doch recht breit. Man kann das Haus inkl. Terrasse ja auch noch 50cm anheben, so kommt man selber höher.
Die Treppe im WZ mit 2 Kindern ist semi-optimal. Ich sehe hier keinen Zwang dafür und würde deshalb nicht darauf kommen. Schließlich ist ja auch ein Keller geplant, wo vielleicht mal ein Monteur hin muss, der dann jedes mal durch meine Privaträume rennt, och nö.
Dein Entwurf ist trotz Deines hübschen Budgets auch noch etwas überdimensioniert. Ich hab hier mal ne Skizze für etwa 200m² + Keller, was m.E. etwa dem Budget entspricht. Das ist nur ein Entwurf - mal schnell hingewischt. Ob man wirklich einen Balkon am Schlafzimmer will oder lieber die Terrasse überbaut - fand ich erst mal nicht wichtig. Wollte vor allem zeigen, wie man das Licht in die Räume und auf die Terrasse holt, ohne an der Straße zu sitzen und ohne die Garage in den Westen zu bauen.
Ähnliche Themen