Hallo Hobbyarchitekten :-)
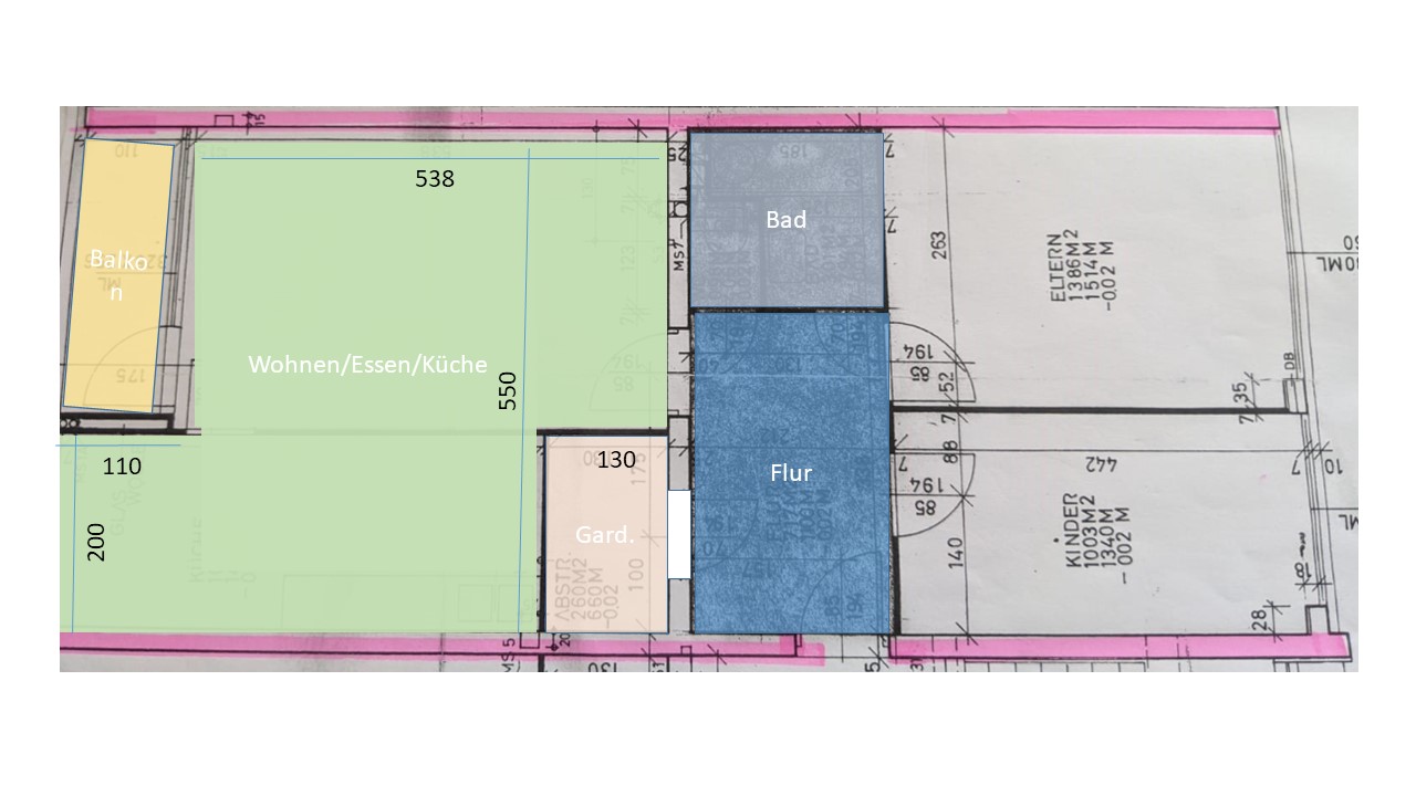
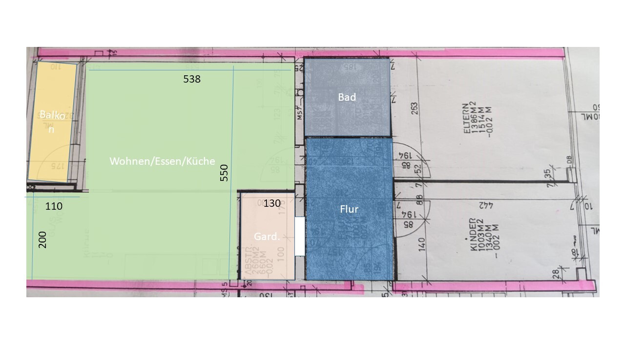
Ich habe eine 70m² Wohnung, die modernisiert werden soll.
Die Anschlüsse sollten dabei möglichst bleiben wo sie sind.
Es ist eine Ferienwohnung in der auch mal 4-5 Personen schlafen sollen.
Die Garderobe kann weg wenn es sein muss.
Das Bad könnte nach planrechts ins Schlafzimmer verlängert werden.
Freue mich auf euren Input :-)

Ich habe eine 70m² Wohnung, die modernisiert werden soll.
Die Anschlüsse sollten dabei möglichst bleiben wo sie sind.
Es ist eine Ferienwohnung in der auch mal 4-5 Personen schlafen sollen.
Die Garderobe kann weg wenn es sein muss.
Das Bad könnte nach planrechts ins Schlafzimmer verlängert werden.
Freue mich auf euren Input :-)
A
Alessandro23.11.20 10:15ja im ersten Post.
P
pagoni202023.11.20 10:17Ist es nur zur Eigennutzung oder soll sie als Ferienwohnung gewinnbringend vermarktet werden? Das wäre für mich ein bedeutender Unterschied.
Alessandro schrieb:
ja im ersten Post.Du machst Freude. Soll man jetzt, nachdem Du fragst, ob die Küche mit der Breite hinkommt, das Maß suchen? 3 Satz kann ich auch, aber etwas mehr Input kann ja nie vom Fragesteller fehlen, zumal bekannt ist, dass die meisten hier mit Handy die Wimmelbildchen anschauen 😀
Es geht um den Erker...
A
Alessandro23.11.20 10:48Ach so, ihr wollte die als private Ferienwohnung, ich dachte zur Vermietung als Ferienwohnung.
Dann würde ich mir auch ein etwas luxeriöseres Bad leisten.
Küche im Erker: so wie ich das erkenne, sind die Wasserleitungen eher da, wo die Garderobe geplant ist. Geht das dann überhaupt, die Küche in den Erker zu setzen? Ich dachte, Anschlüsse sollten so bleiben, wie sie sind und im Originalplan ist die Spüle dort eingezeichnet, wo jetzt deine 550m-Linie ist.
Da wäre es hilfreich zu wissen, wo zumindest die Wasserleitungen liegen (Zu- und Abwasser), wenn die nicht geändert werden sollen.
Dann würde ich mir auch ein etwas luxeriöseres Bad leisten.
Küche im Erker: so wie ich das erkenne, sind die Wasserleitungen eher da, wo die Garderobe geplant ist. Geht das dann überhaupt, die Küche in den Erker zu setzen? Ich dachte, Anschlüsse sollten so bleiben, wie sie sind und im Originalplan ist die Spüle dort eingezeichnet, wo jetzt deine 550m-Linie ist.
Da wäre es hilfreich zu wissen, wo zumindest die Wasserleitungen liegen (Zu- und Abwasser), wenn die nicht geändert werden sollen.
Ähnliche Themen