V
Vali-Hausbau30.08.20 20:40V
Vali-Hausbau30.08.20 21:16Hallo an die Forengemeinde.
Wir haben vor ein paar Wochen die Zusage für den Kauf eines Grundstücks (Nr.10) bekommen und überlegen nun, wie wir am besten unser Haus gestalten. Bauen möchten wir dann mit einem GU in massiver Ziegelbauweise. Dort haben wir in 2-3 Wochen einige Termine mit GUs, die uns von mehreren Bekannten (aus deren eigener Erfahrung) empfohlen worden sind.
Nun wollen die GU von uns aber einen groben Entwurf, um dann entsprechend ein konkretes Angebot zu erstellen.
Noch einige Infos zu den Bildern:
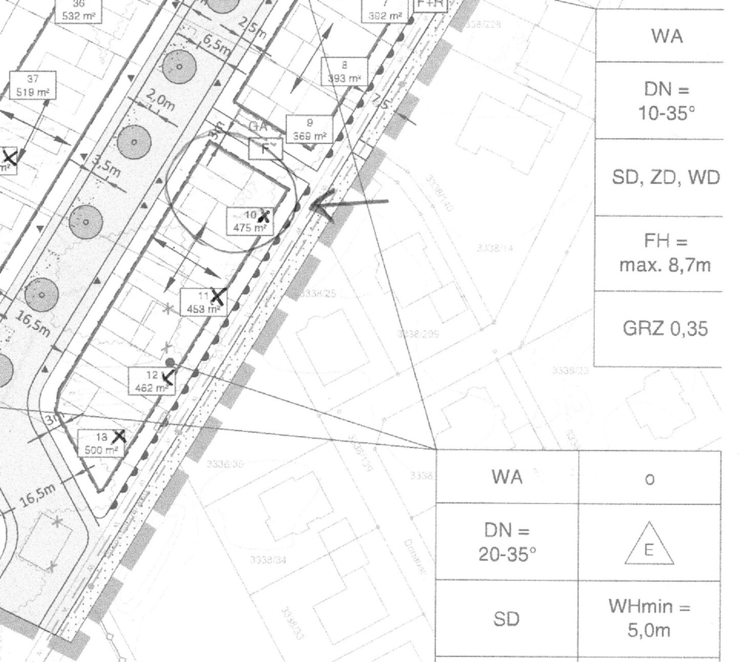
- Im Bebauungsplan zeigt das kleine Dreieck die festgelegte Garageneinfahrt an.
- Der Bebauungsplan ist genordert - im Norden an unser Grundstück grenzt ein kleiner Fussweg
- Die Fenster sind noch nicht festgelegt, sondern nur grob eingezeichnet
- Die meisten, bereits vorhandenen Möbel, incl. Küche) sind masstabsgetreu eingezeichnet. Die Möbel der Kinder werden vermutlich noch öfters umgestellt. Dort sollen 1 Bett, 1 Kleiderschrank und 1 großer schreibtisch Platz haben, daneben müssen die Kids auch damit leben, dass ein Schrank als Stauraum für weniger benutze Spielsachen reinkommt. Die Badmöblierung ist noch flexibel.
Die Esszimmer / Wohnzimmer-Aufteilung mit häufig benutzem PC-Schreibtisch haben wir bisher auch. ohne dass sich die Erwachsenen gegenseitig stören.
Nun sind wir gespannt auf das Feedback, die Fragen und Anregungen der Foren-Gemeinde.
Bebauungsplan/Einschränkungen
Größe des Grundstück: ca. 475m (ca. 26,? x 18,?): noch nicht exakt vermessen
Hang: jein - ca. 80 cm Gefälle auf 26m
Grundflächenzahl: 0,3
Geschossflächenzahl: keine Einsschränkung
Baufenster, Baulinie und -grenze
Randbebauung
Anzahl Stellplatz: 2
Geschossigkeit: kein Keller aufrgund Grundwasser
Dachform: Satteldach, Ausrichtung egal
Maximale Höhen/Begrenzungen: Firsthöhe max. 8,7 m; Wandhöhe min 5,0m; Wandhöhe max: 6,2 m
weitere Vorgaben: Garageneinfahrt festgelegt (von der Straße aus gesehen rechts vom Haus)
Anforderungen der Bauherren
Stilrichtung, Dachform, Gebäudetyp
Keller, Geschosse: kein Keller; 2 Vollgeschosse; Stauraum im Dach und in 1 Garage (kein zweites Auto geplant)
Anzahl der Personen, Alter: 2 Erw. (45, 35) 2 Kinder (6 und 3) => kein drittes geplant
Raumbedarf im EG, OG: Büro wäre nett, aber absolut kein Muss
Büro: Familiennutzung oder Homeoffice: kein eigenes Büro notwendig (Erfahrung aus den letzten 10 Jahren)
Schlafgäste pro Jahr: 2-3x / Jahr je 2 Personen
offene oder geschlossene Architektur: egal
konservativ oder moderne Bauweise: konservativ
offene Küche, Kochinsel: große Küche mit Essgelegenheit für 5 Personen, eigener Raum mit Türen
Anzahl Essplätze: Küche 5; Essimmer: 4 mit Platz zum Tisch ausziehen - auf 8 Personen
Kamin: nein
Musik/Stereowand: nein
Balkon, Dachterrasse: nein
Garage, Carport: Doppelgarage
Nutzgarten, Treibhaus: nein
weitere Wünsche/Besonderheiten/Tagesablauf, gern auch Begründungen, warum dieses oder das nicht sein soll
- gerade Treppe gefällt uns am besten / evtl. auch viertelgewendelt
- mind. 2 Waschgelegenheiten; besser 3 Plätze, da Eltern gerne baden und damit nicht Rücksicht auf Duschen oder Klogang der drei anderen nehmen wollen
- Eingang von Giebelseite; Giebelseite steht zur Straße, da Platz in der Breite begrenzt ist: 6m Garage + 8,5m Haus + 3m Abstand = 17,5m
- Hauswirtschaftsraum ist quasi als (fast) fensterloser Raum aus unserer Sicht am besten neben der Garage geeignet - ODER ?
Hausentwurf
Von wem stammt die Planung: eigener Entwurf
Was gefällt besonders? Warum?
- gerade Treppe - einfach so
- getrennte Bäder / Duschen - kein Streit, wenn sich mal zwei gleichzeitig in die Disco fertig machen
- großer Hauswirtschaftsraum auch zum Wäschetrocknen und Lager
- große Kinderzimmer
Was gefällt nicht? Warum?
- Wintergarten gewünscht (kein sinnvoller Platz gefunden)
- viel Bedarf an "Lagerplatz" in EG und OG aufgrund fehlenden Kellers
- kein Windfang
Preisschätzung lt Architekt/Planer: Der GU sieht in 2 Wochen unsere Planung
Persönliches Preislimit fürs Haus, inkl Ausstattung: 350.000
favorisierte Heiztechnik: Gas
Wenn Ihr verzichten müsst, auf welche Details/Ausbauten
-könnt Ihr verzichten: gerade Treppe, Wintergarten, getrenntes WC/Bad im OG
-könnt Ihr nicht verzichten: Dusche EG,
Warum ist der Entwurf so geworden, wie er jetzt ist? ZB
Eigenplanung aus einem Gemisch aus vielen Beispielen aus div. Magazinen...
Was ist die wichtigste/grundlegende Frage zum Grundriss in 130 Zeichen zusammengefasst?
Kann man das OG so abändern, dass ein sinnvoller Platz für eine kleine Wendeltreppe ins DG entsteht. Aktuell ist eine Klapptreppe vorgesehen - dann ist das DG aber ein reiner Abstellraum, der 1x / Monat betreten wird
Kann man mit den Höhenvorgaben (Firsthöhe, max. Wandhöhe an Traufseite) und möglichen Dachneigungen (20-35 Grad) das DG als "aktiv begehbaren" Lagerraum ausbauen. Als Raumhöhe im EG und OG brauchen wir nicht mehr als 2,50m.
Wir haben vor ein paar Wochen die Zusage für den Kauf eines Grundstücks (Nr.10) bekommen und überlegen nun, wie wir am besten unser Haus gestalten. Bauen möchten wir dann mit einem GU in massiver Ziegelbauweise. Dort haben wir in 2-3 Wochen einige Termine mit GUs, die uns von mehreren Bekannten (aus deren eigener Erfahrung) empfohlen worden sind.
Nun wollen die GU von uns aber einen groben Entwurf, um dann entsprechend ein konkretes Angebot zu erstellen.
Noch einige Infos zu den Bildern:
- Im Bebauungsplan zeigt das kleine Dreieck die festgelegte Garageneinfahrt an.
- Der Bebauungsplan ist genordert - im Norden an unser Grundstück grenzt ein kleiner Fussweg
- Die Fenster sind noch nicht festgelegt, sondern nur grob eingezeichnet
- Die meisten, bereits vorhandenen Möbel, incl. Küche) sind masstabsgetreu eingezeichnet. Die Möbel der Kinder werden vermutlich noch öfters umgestellt. Dort sollen 1 Bett, 1 Kleiderschrank und 1 großer schreibtisch Platz haben, daneben müssen die Kids auch damit leben, dass ein Schrank als Stauraum für weniger benutze Spielsachen reinkommt. Die Badmöblierung ist noch flexibel.
Die Esszimmer / Wohnzimmer-Aufteilung mit häufig benutzem PC-Schreibtisch haben wir bisher auch. ohne dass sich die Erwachsenen gegenseitig stören.
Nun sind wir gespannt auf das Feedback, die Fragen und Anregungen der Foren-Gemeinde.
Bebauungsplan/Einschränkungen
Größe des Grundstück: ca. 475m (ca. 26,? x 18,?): noch nicht exakt vermessen
Hang: jein - ca. 80 cm Gefälle auf 26m
Grundflächenzahl: 0,3
Geschossflächenzahl: keine Einsschränkung
Baufenster, Baulinie und -grenze
Randbebauung
Anzahl Stellplatz: 2
Geschossigkeit: kein Keller aufrgund Grundwasser
Dachform: Satteldach, Ausrichtung egal
Maximale Höhen/Begrenzungen: Firsthöhe max. 8,7 m; Wandhöhe min 5,0m; Wandhöhe max: 6,2 m
weitere Vorgaben: Garageneinfahrt festgelegt (von der Straße aus gesehen rechts vom Haus)
Anforderungen der Bauherren
Stilrichtung, Dachform, Gebäudetyp
Keller, Geschosse: kein Keller; 2 Vollgeschosse; Stauraum im Dach und in 1 Garage (kein zweites Auto geplant)
Anzahl der Personen, Alter: 2 Erw. (45, 35) 2 Kinder (6 und 3) => kein drittes geplant
Raumbedarf im EG, OG: Büro wäre nett, aber absolut kein Muss
Büro: Familiennutzung oder Homeoffice: kein eigenes Büro notwendig (Erfahrung aus den letzten 10 Jahren)
Schlafgäste pro Jahr: 2-3x / Jahr je 2 Personen
offene oder geschlossene Architektur: egal
konservativ oder moderne Bauweise: konservativ
offene Küche, Kochinsel: große Küche mit Essgelegenheit für 5 Personen, eigener Raum mit Türen
Anzahl Essplätze: Küche 5; Essimmer: 4 mit Platz zum Tisch ausziehen - auf 8 Personen
Kamin: nein
Musik/Stereowand: nein
Balkon, Dachterrasse: nein
Garage, Carport: Doppelgarage
Nutzgarten, Treibhaus: nein
weitere Wünsche/Besonderheiten/Tagesablauf, gern auch Begründungen, warum dieses oder das nicht sein soll
- gerade Treppe gefällt uns am besten / evtl. auch viertelgewendelt
- mind. 2 Waschgelegenheiten; besser 3 Plätze, da Eltern gerne baden und damit nicht Rücksicht auf Duschen oder Klogang der drei anderen nehmen wollen
- Eingang von Giebelseite; Giebelseite steht zur Straße, da Platz in der Breite begrenzt ist: 6m Garage + 8,5m Haus + 3m Abstand = 17,5m
- Hauswirtschaftsraum ist quasi als (fast) fensterloser Raum aus unserer Sicht am besten neben der Garage geeignet - ODER ?
Hausentwurf
Von wem stammt die Planung: eigener Entwurf
Was gefällt besonders? Warum?
- gerade Treppe - einfach so
- getrennte Bäder / Duschen - kein Streit, wenn sich mal zwei gleichzeitig in die Disco fertig machen
- großer Hauswirtschaftsraum auch zum Wäschetrocknen und Lager
- große Kinderzimmer
Was gefällt nicht? Warum?
- Wintergarten gewünscht (kein sinnvoller Platz gefunden)
- viel Bedarf an "Lagerplatz" in EG und OG aufgrund fehlenden Kellers
- kein Windfang
Preisschätzung lt Architekt/Planer: Der GU sieht in 2 Wochen unsere Planung
Persönliches Preislimit fürs Haus, inkl Ausstattung: 350.000
favorisierte Heiztechnik: Gas
Wenn Ihr verzichten müsst, auf welche Details/Ausbauten
-könnt Ihr verzichten: gerade Treppe, Wintergarten, getrenntes WC/Bad im OG
-könnt Ihr nicht verzichten: Dusche EG,
Warum ist der Entwurf so geworden, wie er jetzt ist? ZB
Eigenplanung aus einem Gemisch aus vielen Beispielen aus div. Magazinen...
Was ist die wichtigste/grundlegende Frage zum Grundriss in 130 Zeichen zusammengefasst?
Kann man das OG so abändern, dass ein sinnvoller Platz für eine kleine Wendeltreppe ins DG entsteht. Aktuell ist eine Klapptreppe vorgesehen - dann ist das DG aber ein reiner Abstellraum, der 1x / Monat betreten wird
Kann man mit den Höhenvorgaben (Firsthöhe, max. Wandhöhe an Traufseite) und möglichen Dachneigungen (20-35 Grad) das DG als "aktiv begehbaren" Lagerraum ausbauen. Als Raumhöhe im EG und OG brauchen wir nicht mehr als 2,50m.
P
Pinky030130.08.20 21:56Wieso zwei so große Esstische? Arbeitsplatz direkt am Esstisch stelle ich mir nicht so schön vor, der ist ja nicht immer aufgeräumt, oder? Würde da eher irgendwo eine Ecke für abtrennen, sodass Rechnungen oder ähnliches nicht schnell weggeräumt werden müssen, wenn Besuch kommt. In der Küche ist auch viel verschenkter Raum rechts vom Tisch.
Das mit den beiden Esstischen habe ich auch nicht verstanden. Und die Küche insg nicht. So viel Raum für eine einzige Küchenzeile, die offenbar auch nicht richtig eingepasst ist? Das sieht so aus, als wäre eine vorhandene Zeile etwas zu klein?
Oben die beiden Bäder finde ich auch noch nicht optimal. Die beiden Räume haben viel Freiflächen, da geht es noch effizienter. Ggf lässt sich oben noch ein Hauswirtschaftsraum abzwacken?
Oben die beiden Bäder finde ich auch noch nicht optimal. Die beiden Räume haben viel Freiflächen, da geht es noch effizienter. Ggf lässt sich oben noch ein Hauswirtschaftsraum abzwacken?
3 Bäder für 3 Personen?
Essplätze wovon bei einem die Personen zwischen Tisch und Schrank eingequetscht sind?
Dafür keine Garderobe, Waschmaschine und Trockner aus Platzmangel übereinander gestabelt, der Arbeitsplatz in die Ecke gequetscht.
Warum nicht 1 Bad weniger? Kinder können auch die Treppe laufen, wenn sie sich gleichzeitig fertig machen
Warum nicht 1 Essplatz in einer Wohnküche?
Essplätze wovon bei einem die Personen zwischen Tisch und Schrank eingequetscht sind?
Dafür keine Garderobe, Waschmaschine und Trockner aus Platzmangel übereinander gestabelt, der Arbeitsplatz in die Ecke gequetscht.
Warum nicht 1 Bad weniger? Kinder können auch die Treppe laufen, wenn sie sich gleichzeitig fertig machen
Warum nicht 1 Essplatz in einer Wohnküche?
Zwei Dinge habe ich noch: Das Thema "Stauraum" scheint euch sehr wichtig zu sein. Wohnt ihr aktuell in einem Haus mit Keller, oder habt ihr Hobbys, die den Stauraum benötigen? KLar ist es wichtig, die Dinge unterzubringen, aber manchmal hortet man einfach auch nur Sachen, die man eh nicht braucht. Ungenutztes Spielzeug kann man auf dem Dachboden lagern und dann auch einiges wieder verschenken oder verkaufen. Beim zweiten Drüberschauen finde ich noch immer euren Grundriss unausgewogen. Ihr verschenkt man manchen Stellen Platz und habt dafür ein vollgestopftes Esszimmer. das wäre mir mit den ganzen Schränken und dem zusätzlichen Schreibtisch zu eng und ungemütlich.
Zweitens: euer Budget ist nicht gerade üppig. Sind da auch Baunebenkosten und Außenanlagen enthalten? Den Wintergarten sehe ich da finanziell nicht so recht.
Zweitens: euer Budget ist nicht gerade üppig. Sind da auch Baunebenkosten und Außenanlagen enthalten? Den Wintergarten sehe ich da finanziell nicht so recht.
Ähnliche Themen