Hallo.. wir sind leider gerade mit unserem Latein am Ende und haben keine Ideen mehr.. Ich hoffe jemand hat vielleicht einen Tipp für uns!
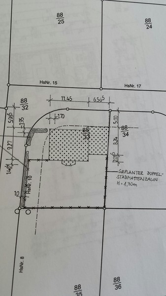
Wir wollten eigentlich unser Haus so stellen:

Wie ihr seht, sind wir ziemlich eingeschränkt durch die Kurve und die 5m zulässige Baugrenze!
Das Haus ragt nicht ganz 1,4m² über die Grenze.
Nach der Bauvoranfrage wurde uns das Überschreiten der Grenze abgelehnt.
Wir sind ziemlich enttäuscht und wissen nicht, wie wir Haus und Doppelgarage nun am sinnvollsten noch auf dem Grundstück unterbringen, ohne uns den ganzen Garten zu verbauen. Würden wir das Haus einfach nach hinten schieben, wären es fast 8m vor dem Haus!! Das ist so unnötig!
Das Haus steht auf der Nordseite, somit ist der Garten Südseite.
Hat jemand eine Idee?
Gefrustete Grüße
Sonja
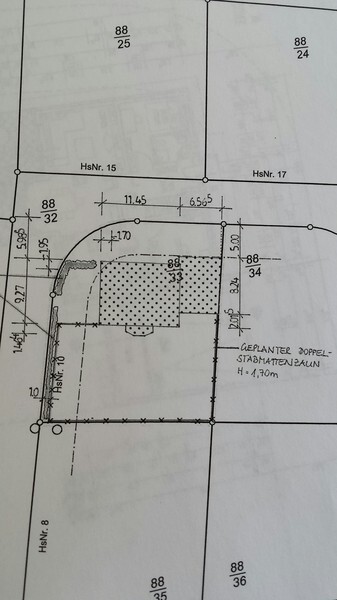
Wir wollten eigentlich unser Haus so stellen:
Wie ihr seht, sind wir ziemlich eingeschränkt durch die Kurve und die 5m zulässige Baugrenze!
Das Haus ragt nicht ganz 1,4m² über die Grenze.
Nach der Bauvoranfrage wurde uns das Überschreiten der Grenze abgelehnt.
Wir sind ziemlich enttäuscht und wissen nicht, wie wir Haus und Doppelgarage nun am sinnvollsten noch auf dem Grundstück unterbringen, ohne uns den ganzen Garten zu verbauen. Würden wir das Haus einfach nach hinten schieben, wären es fast 8m vor dem Haus!! Das ist so unnötig!
Das Haus steht auf der Nordseite, somit ist der Garten Südseite.
Hat jemand eine Idee?
Gefrustete Grüße
Sonja
Ihr lieben, ich WEISS, dass ich nur zwei Optionen habe, umplanen oder nach hinten schieben! Das ist mir bewusst ;-)
Die Sache ist nur, wenn umplanen, hab ich einfach keine Idee WIE!?
Auf die Doppelgarage können wir nicht verzichten, viel kleiner kann das Haus nicht werden und der Garten bzw. eine Terrasse vorm Haus ist auch nicht sinnvoll für uns, da wir Hunde haben und diese gerne draußen laufen lassen möchten wenn wir draußen sitzen. Und allgemein ist da mir hinter dem Haus lieber, auch weil einfach vorn für die Hunde fremde Leute ins Haus kommen.
Die Sache ist nur, wenn umplanen, hab ich einfach keine Idee WIE!?
Auf die Doppelgarage können wir nicht verzichten, viel kleiner kann das Haus nicht werden und der Garten bzw. eine Terrasse vorm Haus ist auch nicht sinnvoll für uns, da wir Hunde haben und diese gerne draußen laufen lassen möchten wenn wir draußen sitzen. Und allgemein ist da mir hinter dem Haus lieber, auch weil einfach vorn für die Hunde fremde Leute ins Haus kommen.
Ich würde versuchen umzuplanen. Nach hinten verschieben halte ich für die schlechtere Lösung.
Wie schaut denn der geplante Grundriss aus?
Wie schaut denn der geplante Grundriss aus?
1. Einfach so bauen und die Vorgaben ignorieren.
Dann kommt eine Beschwerde und dann mal schauen.
2. Du stellst einen ordentlichen Bauantrag, lässt den ablehnen und gehst dann dagegen vor, indem du bei der Bauaufsichtsbehörde Einspruch einlegst - wegen 1,4 qm ist es meiner Meinung nach unverhältnismäßig den Bauantrag abzulehnen. Begründe das noch mit dicken Mauern wegen Energieeinsparverordnung und das wird schon durchgehen,...
Dann kommt eine Beschwerde und dann mal schauen.
2. Du stellst einen ordentlichen Bauantrag, lässt den ablehnen und gehst dann dagegen vor, indem du bei der Bauaufsichtsbehörde Einspruch einlegst - wegen 1,4 qm ist es meiner Meinung nach unverhältnismäßig den Bauantrag abzulehnen. Begründe das noch mit dicken Mauern wegen Energieeinsparverordnung und das wird schon durchgehen,...
Ähnliche Themen