Hallo.. wir sind leider gerade mit unserem Latein am Ende und haben keine Ideen mehr.. Ich hoffe jemand hat vielleicht einen Tipp für uns!
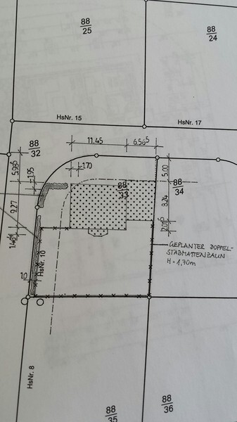
Wir wollten eigentlich unser Haus so stellen:

Wie ihr seht, sind wir ziemlich eingeschränkt durch die Kurve und die 5m zulässige Baugrenze!
Das Haus ragt nicht ganz 1,4m² über die Grenze.
Nach der Bauvoranfrage wurde uns das Überschreiten der Grenze abgelehnt.
Wir sind ziemlich enttäuscht und wissen nicht, wie wir Haus und Doppelgarage nun am sinnvollsten noch auf dem Grundstück unterbringen, ohne uns den ganzen Garten zu verbauen. Würden wir das Haus einfach nach hinten schieben, wären es fast 8m vor dem Haus!! Das ist so unnötig!
Das Haus steht auf der Nordseite, somit ist der Garten Südseite.
Hat jemand eine Idee?
Gefrustete Grüße
Sonja
Wir wollten eigentlich unser Haus so stellen:
Wie ihr seht, sind wir ziemlich eingeschränkt durch die Kurve und die 5m zulässige Baugrenze!
Das Haus ragt nicht ganz 1,4m² über die Grenze.
Nach der Bauvoranfrage wurde uns das Überschreiten der Grenze abgelehnt.
Wir sind ziemlich enttäuscht und wissen nicht, wie wir Haus und Doppelgarage nun am sinnvollsten noch auf dem Grundstück unterbringen, ohne uns den ganzen Garten zu verbauen. Würden wir das Haus einfach nach hinten schieben, wären es fast 8m vor dem Haus!! Das ist so unnötig!
Das Haus steht auf der Nordseite, somit ist der Garten Südseite.
Hat jemand eine Idee?
Gefrustete Grüße
Sonja
N
nordanney23.04.15 12:18Nun ja, wenn Ihr nicht überbauen dürft, dann werdet Ihr wohl schieben müssen, auch wenn es für Euch nicht so toll ist. Alternativ ein anderes Haus planen...
Mit einem schönen Vorgarten, der z.B. mit einer Hecke von der Straße abgeschirmt ist, kann man übrigens auch was anfangen... (kleine zweite Terrasse, separater Spielbereich für die Kinder usw.)
Mit einem schönen Vorgarten, der z.B. mit einer Hecke von der Straße abgeschirmt ist, kann man übrigens auch was anfangen... (kleine zweite Terrasse, separater Spielbereich für die Kinder usw.)
D
Doc.Schnaggls23.04.15 12:21Hallo Sonja,
ich kann das eingefügte Bild leider nicht sehen.
@nordanney : Siehst Du das Bild?
Grüße,
Dirk
ich kann das eingefügte Bild leider nicht sehen.
@nordanney : Siehst Du das Bild?
Grüße,
Dirk
N
nordanney23.04.15 12:45@Doc.Schnaggels: Ja, keinerlei Probleme.
D
Doc.Schnaggls23.04.15 12:52@nordanney Danke! Dann spinnt wohl mein Browser mal wieder... 😡
Ähnliche Themen