Hallo zusammen,
ich hätte gerne von Euch Vorschläge, wie das Grundstück im Anhang in zwei gleich große Teile geteilt werden könnte.
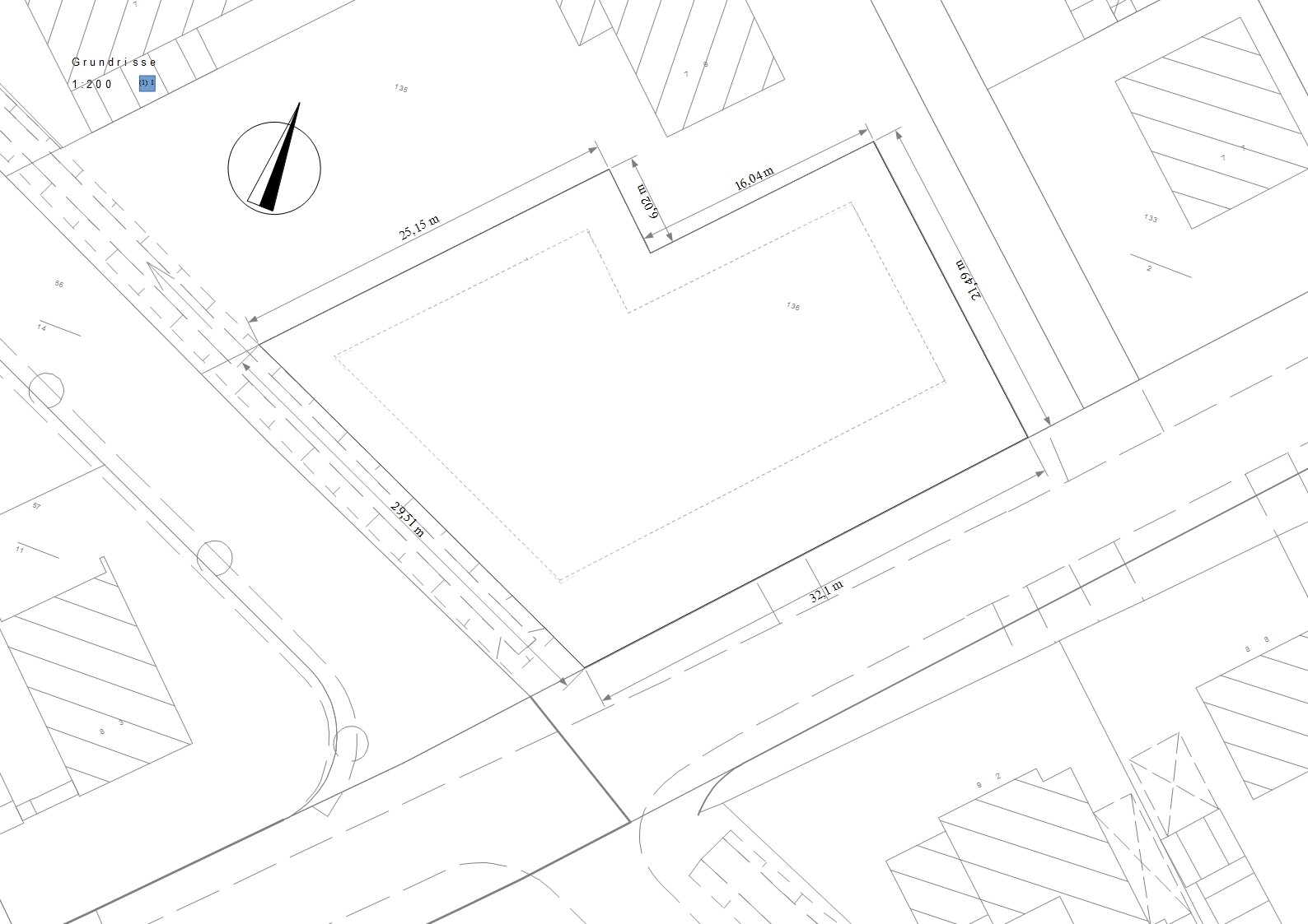
Gegeben ist ein Grundstück mit etwas mehr als 900qm. Das Grundstück soll real in zwei gleich Große Teile getrennt werden und von zwei befreundeten Familien bebaut werden.
Auf der linken Seite (Südwesten) befindet sich neben dem Grundstück ein Graben und daneben eine Straße. Unten (Südosten) befindet sich auch eine Straße.
Die gestrichelte Linie zeigt das Baufenster, was durch die 3m zur Grundstücksgrenze gegeben ist und Richtung Straße durch einen 6m nicht bebaubaren Streifen.
Die Erschließung ist von der Straße unten (Südosten).
Leider ist das Grundstück etwas winkelig. Wir haben schon viel herumprobiert, aber ich möchte unvoreingenommene Vorschläge.
Ich freue mich über Vorschläge.

ich hätte gerne von Euch Vorschläge, wie das Grundstück im Anhang in zwei gleich große Teile geteilt werden könnte.
Gegeben ist ein Grundstück mit etwas mehr als 900qm. Das Grundstück soll real in zwei gleich Große Teile getrennt werden und von zwei befreundeten Familien bebaut werden.
Auf der linken Seite (Südwesten) befindet sich neben dem Grundstück ein Graben und daneben eine Straße. Unten (Südosten) befindet sich auch eine Straße.
Die gestrichelte Linie zeigt das Baufenster, was durch die 3m zur Grundstücksgrenze gegeben ist und Richtung Straße durch einen 6m nicht bebaubaren Streifen.
Die Erschließung ist von der Straße unten (Südosten).
Leider ist das Grundstück etwas winkelig. Wir haben schon viel herumprobiert, aber ich möchte unvoreingenommene Vorschläge.
Ich freue mich über Vorschläge.
Hallo DNL,
ja, es gibt weitere Vorschläge - und bei allem Respekt - mit erheblichem Widerspruch zu Wastls Aussage.
Die Teilung sollte hier zwingend (!!) abhängig von der geplanten Bebauung durchgeführt werden, d.h., Vermesser und Architekt müssen hier Hand in Hand arbeiten, ansonsten werdet ihr massive Probleme mit der Bebauung bzw. Abstandsflächen bekommen und/oder die Grundstücke nicht optimal ausnutzen können.
Kontakt zu einem Berufskollegen in HB, mit dem ich regelmäßig zusammenarbeite, kann ich Dir sofort vermitteln, kurze PN an mich, dann stelle ich den Kontakt gern her.
MfG
Dirk Grafe
ja, es gibt weitere Vorschläge - und bei allem Respekt - mit erheblichem Widerspruch zu Wastls Aussage.
Die Teilung sollte hier zwingend (!!) abhängig von der geplanten Bebauung durchgeführt werden, d.h., Vermesser und Architekt müssen hier Hand in Hand arbeiten, ansonsten werdet ihr massive Probleme mit der Bebauung bzw. Abstandsflächen bekommen und/oder die Grundstücke nicht optimal ausnutzen können.
Kontakt zu einem Berufskollegen in HB, mit dem ich regelmäßig zusammenarbeite, kann ich Dir sofort vermitteln, kurze PN an mich, dann stelle ich den Kontakt gern her.
MfG
Dirk Grafe
Hallo,
zu Anfang habe ich Wastls Vorschlag für gut befunden - dann kam der Beitrag von Dirk Grafe: er hat recht, es scheint nicht optimal, weil bei der neuen Grundstücksteilung auch wieder neue Grenzabstände von je 3 Meter dazukommen. Da könnte sich eine Wunschbebauung - ob quadratischer Grundriss oder Rechteck - etwas schwierig gestalten.
Man muss auch bedenken, dass sich bei 450qm jetzt nicht viel Möglichkeiten ergeben.
Dürfen bei Euch 450qm eigenständige Grundstücke ergeben? Bei uns in der Gemeinde gibt es ein Limit, dass mind. 650qm vorhanden sein müssen, ansonsten bleibt nur eine ideelle Teilung bzw eine Doppelhausbebauung.
Als Laie zum Laien würde ich mal vorschlagen, das Grundstück mit gedachter Linie + 2 x 3 Meter Grenzabstand (die sich ergeben) aufzuzeichnen und versuchen, zwei Standardhäuser darauf zu vermitteln. Dann erkennt man das Problem.
zu Anfang habe ich Wastls Vorschlag für gut befunden - dann kam der Beitrag von Dirk Grafe: er hat recht, es scheint nicht optimal, weil bei der neuen Grundstücksteilung auch wieder neue Grenzabstände von je 3 Meter dazukommen. Da könnte sich eine Wunschbebauung - ob quadratischer Grundriss oder Rechteck - etwas schwierig gestalten.
Man muss auch bedenken, dass sich bei 450qm jetzt nicht viel Möglichkeiten ergeben.
Dürfen bei Euch 450qm eigenständige Grundstücke ergeben? Bei uns in der Gemeinde gibt es ein Limit, dass mind. 650qm vorhanden sein müssen, ansonsten bleibt nur eine ideelle Teilung bzw eine Doppelhausbebauung.
Als Laie zum Laien würde ich mal vorschlagen, das Grundstück mit gedachter Linie + 2 x 3 Meter Grenzabstand (die sich ergeben) aufzuzeichnen und versuchen, zwei Standardhäuser darauf zu vermitteln. Dann erkennt man das Problem.
Vielen Dank für die Hinweise.
Wir haben mit der Trennung leider das Problem, dass das Grundstück noch nicht uns gehört, sondern einer Erbengemeinschaft. Die wollen das Grundstück möglichst bald verkaufen und wollen nicht so lange warten, bis wir gemütlich mit dem Architekten ausgelotet haben, was für Häuser wir da wie genau aufstellen, denn das wollen wir ja wiederum nicht übers Knie brechen.
Wir haben darüber auch mit dem Anwalt/Notar gesprochen, der den Kaufvertrag machen soll. Wir könnten zwar den Kaufvertrag unterschreiben, bevor die Trennung genau festgelegt ist, aber wenn ich das richtig verstanden habe, wird die Auflassungserklärung erst unterschrieben, wenn die Trennung vollzogen ist und auch dann fließt erst das Geld an die Verkäufer. Ich hoffe, ich habe das so richtig verstanden und wiedergegeben.
Wer kann mir sagen, welche Einzelgröße Grundstücke an der Stelle haben dürfen? Ist das Bauamt hier der richtige Ansprechpartner? Nebenan sind kleinere Grundstücke, aber das sagt ja auch nicht unbedingt viel aus.
Aufgemalt mit Grenzabständen und Standardhäuser eingezeichnet haben wir bereits. Aber manchmal ist man in seiner Sicht ja eingeschränkt, so dass ich hier auf kreative Vorschläge hoffe
Wir haben mit der Trennung leider das Problem, dass das Grundstück noch nicht uns gehört, sondern einer Erbengemeinschaft. Die wollen das Grundstück möglichst bald verkaufen und wollen nicht so lange warten, bis wir gemütlich mit dem Architekten ausgelotet haben, was für Häuser wir da wie genau aufstellen, denn das wollen wir ja wiederum nicht übers Knie brechen.
Wir haben darüber auch mit dem Anwalt/Notar gesprochen, der den Kaufvertrag machen soll. Wir könnten zwar den Kaufvertrag unterschreiben, bevor die Trennung genau festgelegt ist, aber wenn ich das richtig verstanden habe, wird die Auflassungserklärung erst unterschrieben, wenn die Trennung vollzogen ist und auch dann fließt erst das Geld an die Verkäufer. Ich hoffe, ich habe das so richtig verstanden und wiedergegeben.
Wer kann mir sagen, welche Einzelgröße Grundstücke an der Stelle haben dürfen? Ist das Bauamt hier der richtige Ansprechpartner? Nebenan sind kleinere Grundstücke, aber das sagt ja auch nicht unbedingt viel aus.
Aufgemalt mit Grenzabständen und Standardhäuser eingezeichnet haben wir bereits. Aber manchmal ist man in seiner Sicht ja eingeschränkt, so dass ich hier auf kreative Vorschläge hoffe
Ähnliche Themen