ᐅ Lage der Garage auf Grundstück
Erstellt am: 22.03.17 15:52
D
Dreidel2k22.03.17 15:52Liebe Forumler,
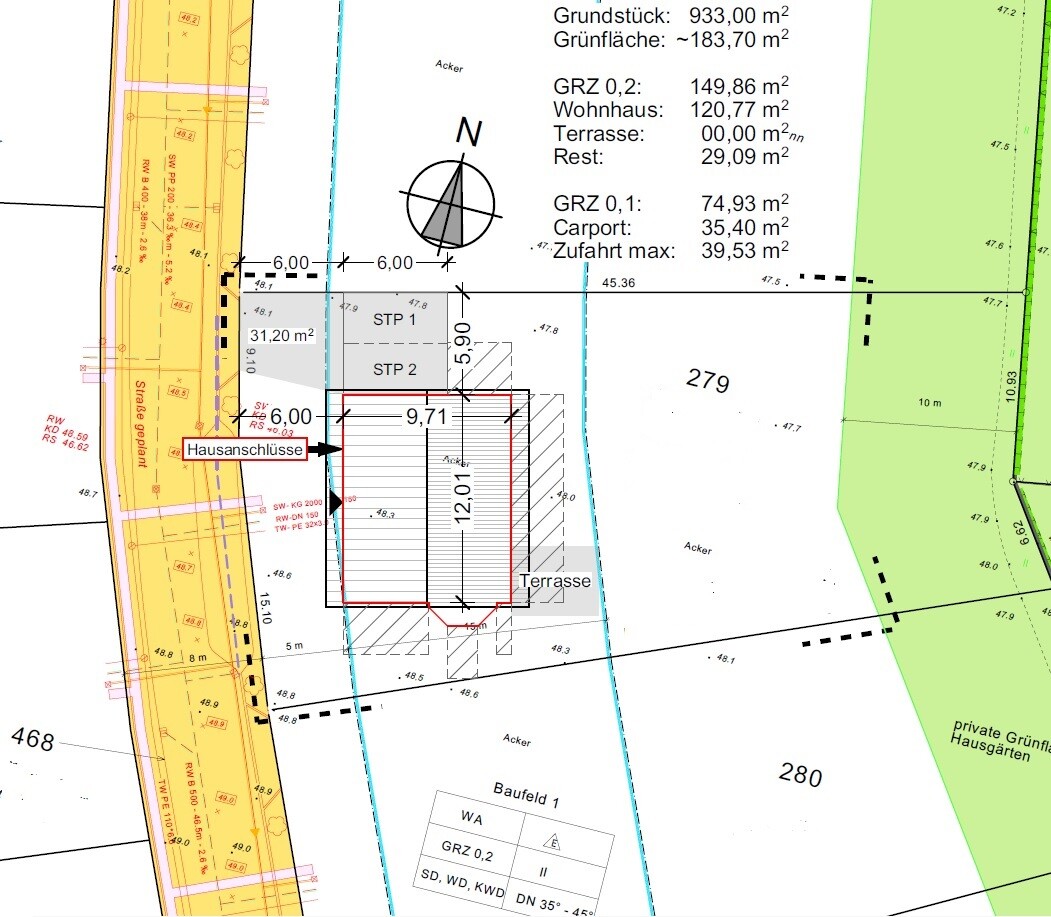
wir benötigen dringend Euren Rat und kreative Ideen. Wir haben im letzten Jahr ein 933 qm großes Grundstück gekauft, welches zu einer Gruppe von weiteren 184 Grundstücken gehört. Im März fingen gerade die Arbeiten zur Erschließung an. In der Anlage findet Ihr unseren Lageplan. Die Architektin hat unser Haus und einen Doppelcarport geplant.
Nun zu dem Problem: Wir wollten eigentlich immer eine freistehende Doppelgarage bauen oder notweise auch eine freistehende Einzelgarage. Doch Pustekuchen. Der Bebauungsplan hat uns dies gründlich verdorben und wir haben das als Laien natürlich nicht gesehen.
Folgende Punkte machen uns die Planung "kaputt":
- Zum Einen legt der Bebauungsplan fest, dass Garagen über 20 qm ein Satteldach mit 45 Grad haben müssen. Wir haben einen Passat und wollten daher auf jeden Fall eine Garage über 20 qm und sogar mit Abstellraum. Maße: 3,5 x 9 Meter, mindestens aber 3,5 x 6 Meter. Das Problem: Wenn wir ein Dach auf die Garage tun müssen, greift der nächste Punkt im Bebauungsplan. Die Garage wird dann automatisch zu hoch und wir dürfen keine Grenzbebauung mehr machen. D.h. 3 Meter Abstand zur Grundstücksgrenze. Das gibt unser Grundstück leider nicht her, da unser Haus recht groß wird und wir einen Erker zur Südseite bauen.
- Die Erschließungsmaßnahmen des Investor / der Gemeinde geben uns keine Entscheidungsfreiheit wohin die Grundstücksauffahrt hinkommt. Diese ist an der Nordseite, wie eingezeichnet. Da gibt es nichts zu rütteln, haben wir schon gefragt. Das heißt, wir müssen mit dem Auto zwingend an der Nordseite auf das Grundstück fahren
- Wir haben eine Grundflächenzahl von 0,2 UND von unseren 933 qm ist ein Teil "private Grünfläche". Nur 749,3 qm dürfen für die Grundflächenzahl herangezogen werden. Ergo haben wir Mühe und Not mit dem Pflastern hinzukommen. Immerhin möchten wir auch eine Terrasse mit 30qm bauen
Wir hatten noch die Idee, die Garage oder auch den Carport trotz Zufahrt im Norden auf die Südseite zu packen (und um 90 Grad zu drehen). Doch uns fehlt die nötige Grundflächenzahl um die Meter zwischen Nordseite (Grundstückszufahrt) und der Südseite (dort wo der 90 Grad gedrehte Carport hin könnte) zu pflastern.
Wir wissen einfach nicht weiter. So richtig glücklich sind wir mit der Carport-Planung im Lageplan nicht... hat jemand irgendeine tolle Idee? Anders gefragt: Was würdet ihr tun, wenn es eurer Grundstück wäre?
Bitte helft uns mit euren Ideen. Wir müssen sobald wir möglich festlegen, wo wir das Haus exakt hinsetzen, da die Anschlüsse von der Straße an das Grundstück gelegt werden. Uns rennt die Zeit weg...
Liebe Grüße,
Dreidel (w)

wir benötigen dringend Euren Rat und kreative Ideen. Wir haben im letzten Jahr ein 933 qm großes Grundstück gekauft, welches zu einer Gruppe von weiteren 184 Grundstücken gehört. Im März fingen gerade die Arbeiten zur Erschließung an. In der Anlage findet Ihr unseren Lageplan. Die Architektin hat unser Haus und einen Doppelcarport geplant.
Nun zu dem Problem: Wir wollten eigentlich immer eine freistehende Doppelgarage bauen oder notweise auch eine freistehende Einzelgarage. Doch Pustekuchen. Der Bebauungsplan hat uns dies gründlich verdorben und wir haben das als Laien natürlich nicht gesehen.
Folgende Punkte machen uns die Planung "kaputt":
- Zum Einen legt der Bebauungsplan fest, dass Garagen über 20 qm ein Satteldach mit 45 Grad haben müssen. Wir haben einen Passat und wollten daher auf jeden Fall eine Garage über 20 qm und sogar mit Abstellraum. Maße: 3,5 x 9 Meter, mindestens aber 3,5 x 6 Meter. Das Problem: Wenn wir ein Dach auf die Garage tun müssen, greift der nächste Punkt im Bebauungsplan. Die Garage wird dann automatisch zu hoch und wir dürfen keine Grenzbebauung mehr machen. D.h. 3 Meter Abstand zur Grundstücksgrenze. Das gibt unser Grundstück leider nicht her, da unser Haus recht groß wird und wir einen Erker zur Südseite bauen.
- Die Erschließungsmaßnahmen des Investor / der Gemeinde geben uns keine Entscheidungsfreiheit wohin die Grundstücksauffahrt hinkommt. Diese ist an der Nordseite, wie eingezeichnet. Da gibt es nichts zu rütteln, haben wir schon gefragt. Das heißt, wir müssen mit dem Auto zwingend an der Nordseite auf das Grundstück fahren
- Wir haben eine Grundflächenzahl von 0,2 UND von unseren 933 qm ist ein Teil "private Grünfläche". Nur 749,3 qm dürfen für die Grundflächenzahl herangezogen werden. Ergo haben wir Mühe und Not mit dem Pflastern hinzukommen. Immerhin möchten wir auch eine Terrasse mit 30qm bauen
Wir hatten noch die Idee, die Garage oder auch den Carport trotz Zufahrt im Norden auf die Südseite zu packen (und um 90 Grad zu drehen). Doch uns fehlt die nötige Grundflächenzahl um die Meter zwischen Nordseite (Grundstückszufahrt) und der Südseite (dort wo der 90 Grad gedrehte Carport hin könnte) zu pflastern.
Wir wissen einfach nicht weiter. So richtig glücklich sind wir mit der Carport-Planung im Lageplan nicht... hat jemand irgendeine tolle Idee? Anders gefragt: Was würdet ihr tun, wenn es eurer Grundstück wäre?
Bitte helft uns mit euren Ideen. Wir müssen sobald wir möglich festlegen, wo wir das Haus exakt hinsetzen, da die Anschlüsse von der Straße an das Grundstück gelegt werden. Uns rennt die Zeit weg...
Liebe Grüße,
Dreidel (w)
M
Marvinius22.03.17 16:332 Einzelgaragen zu 3x6m, Passat sollte da passen, oder Einzelgarage und Stellplatz. Wenn zusätzlicher Stauraum benötigt wird, entweder mit Gartenhaus oder Keller planen
Moin,
wäre auch mein Vorschlag. 1 cm Luft zwischen den Garagen lassen, Streifenfundamente oder getrennte Bodenplatte und damit solltet ihr den Bebauungsplan aushebeln können.
Oder eine Garage von 3*6 m auf die Grenze stellen und die Lücke zwischen Haus und Garage mit Carport schließen.
Gruß,
Andreas
Marvinius schrieb:
2 Einzelgaragen zu 3x6m,
wäre auch mein Vorschlag. 1 cm Luft zwischen den Garagen lassen, Streifenfundamente oder getrennte Bodenplatte und damit solltet ihr den Bebauungsplan aushebeln können.
Oder eine Garage von 3*6 m auf die Grenze stellen und die Lücke zwischen Haus und Garage mit Carport schließen.
Gruß,
Andreas
Betreffend Rasengittersteinen las ich, sie würden nur zu 20% der damit ausgelegten Fläche auf die Grundflächenzahl angerechnet - vielleicht wäre das ja ein Weg.
https://www.instagram.com/11antgmxde/
https://www.linkedin.com/company/bauen-jetzt/
https://www.instagram.com/11antgmxde/
https://www.linkedin.com/company/bauen-jetzt/
0,2 Grundflächenzahl bei knapp 750qm sind 150qm, die ihr mit Haus und Nebenanlagen überbauen dürft. Was ist mit den gängigen Überschreitungen von 50% für Nebenanlagen, die in den meisten B-Plänen erwähnt werden? Greift diese Regelung auch bei Euch?
Dann: ist der Hausentwurf fix? Man könnte ja mal alles gemeinsam planen, wo man jetzt ja endlich mal die Vorgaben kennt 😉
Schließlich hängt der Standort von Garage/Carport auch vom Hausentwurf ab.
Man kann übrigens auch ein Auto auf dem Hof um 90 Grad lenken, insofern muss ein Stellplatz nicht an nördlicher Seite liegen, nur weil die Erschließung auf nördlicher Seite sein muss.
Gruß, Yvonne
Dann: ist der Hausentwurf fix? Man könnte ja mal alles gemeinsam planen, wo man jetzt ja endlich mal die Vorgaben kennt 😉
Schließlich hängt der Standort von Garage/Carport auch vom Hausentwurf ab.
Man kann übrigens auch ein Auto auf dem Hof um 90 Grad lenken, insofern muss ein Stellplatz nicht an nördlicher Seite liegen, nur weil die Erschließung auf nördlicher Seite sein muss.
Gruß, Yvonne
ypg schrieb:
Man kann übrigens auch ein Auto auf dem Hof um 90 Grad lenken, insofern muss ein Stellplatz nicht an nördlicher Seite liegen, nur weil die Erschließung auf nördlicher Seite sein muss.So verstehe ich es als auch aktuell geplant:
Einfahrt vorgegeben am Nordende der Westseite, dann straßenparallel durchfahren zum Südende der Westseite, wo der Carport zwischen Haus- und Grundstücksecke hinkommen könnte. Mit der Folge der Befestigung dieser "Fahrstrecke" praktisch entlang der ganzen Westseite (Straßenfrontseite) des Hauses. Viele Meter ergeben viele Quadratmeter, mit der Furcht vor viel Grundflächenzahl-Verbrauch hierfür. Mit Kenntnis des Grundrisses könnten wir ggf. auch einen günstigeren Carport-Stellplatz (also nicht erst ganz am Südende der straßenseitigen Grundstücksgrenze) herausfinden.
https://www.instagram.com/11antgmxde/
https://www.linkedin.com/company/bauen-jetzt/
Ähnliche Themen