ᐅ Grundstück Hinterlandbebauung: Baulast Bungalow, welche Abstände
Erstellt am: 22.04.16 17:38
R
reflexHallo liebe Foren Gemeinde,
Ich bin neu hier und beschäftige mich erst gerade mit dem Thema Neubau.
Habe mir auch schon ein paar Exposés kommen lassen und bei einem kommt ein Passus vor mit dem ich ehrlich gesagt nichts anfangen kann.
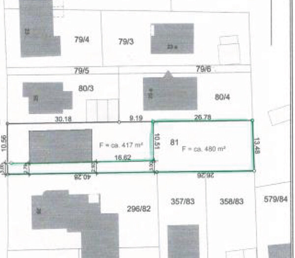
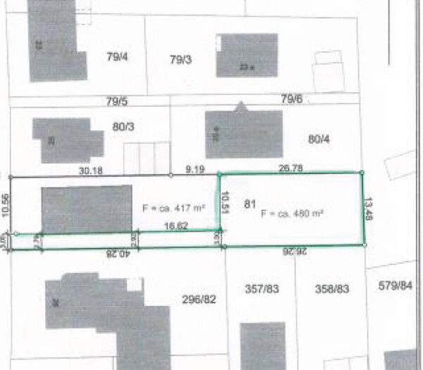
Zur Verständlichkeit hänge ich einen Ausschnitt der Flurkarte an mit dem Grundstück das es zu erwerben gibt.
Unter Erschließung steht:
Der Eigentümer des vorderen Grundstückes erhält eine Baulast seines Bungalows in Länge des Bungalows.
Durch googeln habe ich rausgefunden das es wohl etwas mit Abstandsflächen zu tun hat.
Was bedeutet es in dem Beispiel jetzt konkret für mich?
Verstehe ich das richtig das ich von der linken Grundstücksgrenze einen Abstand von der Länge seines Bungalows einhalten muss und erst dort anfangen darf zu bauen?
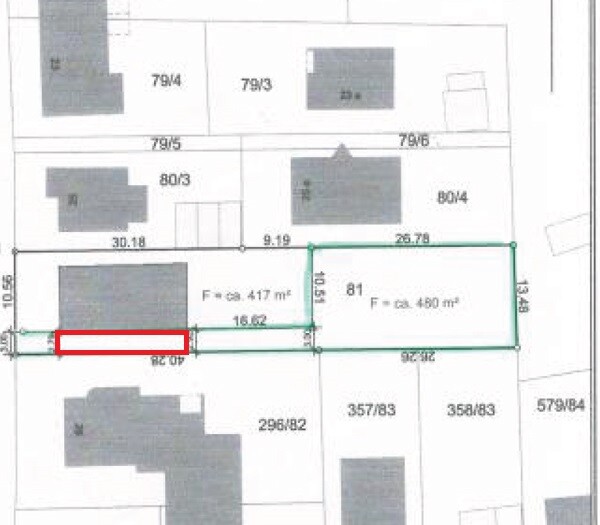
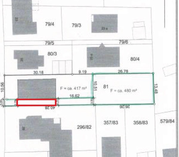
Ich habe das mal probiert in einer zweiten Zeichnung zu Visualisieren was ich meine.
Gelbe Linien sind die Länge des Bungalows und die rote eben dann ab wo ich bauen dürfte?
Oder was bedeutet das genau?
Über eure Hilfe wäre ich sehr dankbar.
Best Grüße!


Ich bin neu hier und beschäftige mich erst gerade mit dem Thema Neubau.
Habe mir auch schon ein paar Exposés kommen lassen und bei einem kommt ein Passus vor mit dem ich ehrlich gesagt nichts anfangen kann.
Zur Verständlichkeit hänge ich einen Ausschnitt der Flurkarte an mit dem Grundstück das es zu erwerben gibt.
Unter Erschließung steht:
Der Eigentümer des vorderen Grundstückes erhält eine Baulast seines Bungalows in Länge des Bungalows.
Durch googeln habe ich rausgefunden das es wohl etwas mit Abstandsflächen zu tun hat.
Was bedeutet es in dem Beispiel jetzt konkret für mich?
Verstehe ich das richtig das ich von der linken Grundstücksgrenze einen Abstand von der Länge seines Bungalows einhalten muss und erst dort anfangen darf zu bauen?
Ich habe das mal probiert in einer zweiten Zeichnung zu Visualisieren was ich meine.
Gelbe Linien sind die Länge des Bungalows und die rote eben dann ab wo ich bauen dürfte?
Oder was bedeutet das genau?
Über eure Hilfe wäre ich sehr dankbar.
Best Grüße!
Ich würde den Verfasser des Exposés fragen. Ich würds eher so interpretieren, daß man als Käufer des Grundstücks die Erlaubnis erhält, die Abstandsflächen zu unterschreiten, wofür eine Baulast auf dem anderen Grundstück eingetragen werden muß. Dh. dessen Eigentümer erlaubt das. Aber sicher ist man erst, wenn man nachfragt
T
toxicmolotof22.04.16 22:15Ich glaube eher, dass es um den Stil des Grundstückes, sprich um die Zufahrt geht, denn dort muss eine Abstandsfläche auf dem eigenen Grundstück des Vorderhauses liegen, geht aber nicht, da dort ja die Zufahrt sein soll. => Roter Kasten Abstandsflächenbaulast, eben über die gesamte Länge des Bungalows.

... Ich würde mal vermuten, das dir die Zufahrt gehört, also es dein Grundstück ist. Der vordere Bungalow steht dann zu nah an der Grenze so das die abstandsfläche nicht eingehalten werden kann und damit ergibt sich eine Baulast auf deiner Zufahrt über die Länge des Bungalow.
Wenn die Zufahrt nicht dein Grundstück ist, dann verstehe ich die Aussage nicht, da du dann nur ein entsprechendes Geh-, Fahr- und Leitungsrecht bekommst.
Wenn die Zufahrt nicht dein Grundstück ist, dann verstehe ich die Aussage nicht, da du dann nur ein entsprechendes Geh-, Fahr- und Leitungsrecht bekommst.
Ähnliche Themen