ᐅ Grundrissplanung Einfamilienhaus ca. 250qm mit Einliegerwohnung
Erstellt am: 26.01.25 21:52
C
CornforthWhiteC
CornforthWhite26.01.25 21:52Ich bekomme schon beim Schreiben leichte Angstzustände ob des sicherlich folgenden Verrisses unseres Entwurfs, aber poste ihn nun trotzdem. Wir haben etwas mit dem Programm gekämpft und vieles in der Darstellung befindet sich natürlich in sehr provisorischem Zustand. Uns geht es erstmal darum, ob wir grundsätzlich etwas geplant haben, das so funktionieren könnte. Wir erhoffen uns hier primär Hinweise zu funktionalen Planungsfehlern. Stilkritik wird es sicher geben, denn optisch entspricht unsere Planung bestimmt nicht dem Geschmack der meisten Poster hier, interessiert uns aber weniger (we like what we like und daran wird sich wahrscheinlich wenig ändern). Auch wenn Geschmäcker bekanntlich verschieden sind, habe ich in den letzten Woche viele wertvolle Hinweise in anderen Threads gelesen und hoffe, dass sich "die üblichen Verdächtigen" vielleicht auch unserem Entwurf annehmen werden. Jedenfalls schon mal vielen Dank im Voraus!
Bebauungsplan/Einschränkungen
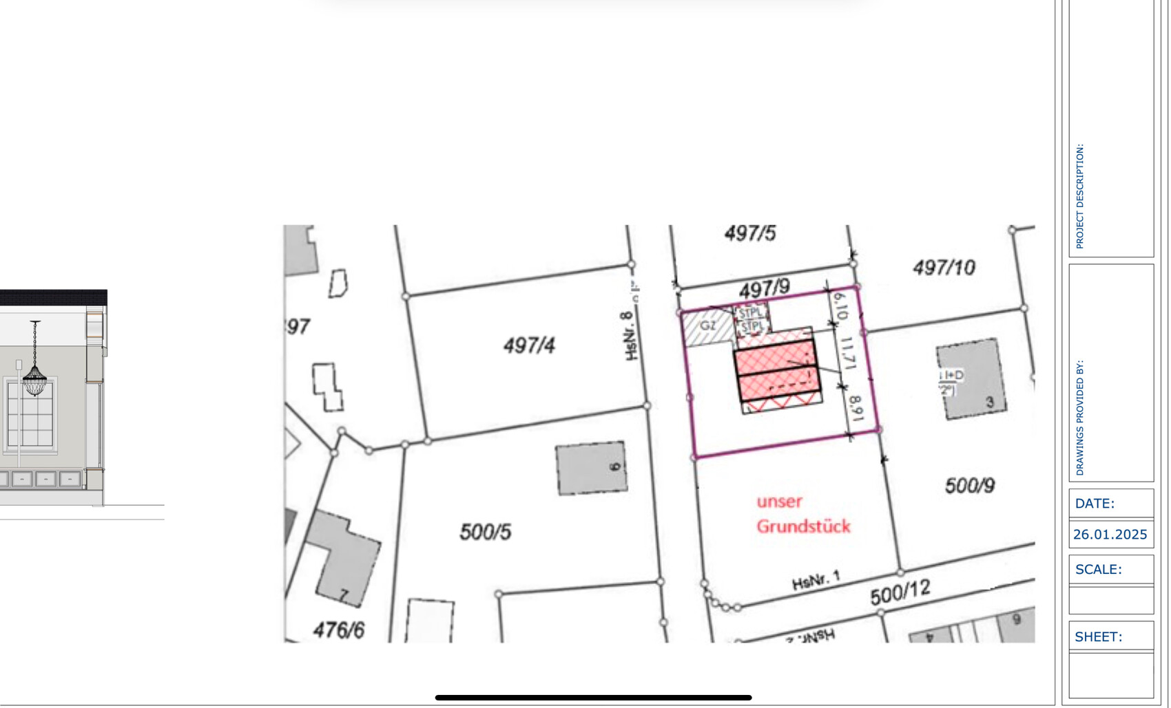
Größe des Grundstücks: 960qm
Hang: nein
Grundflächenzahl: 0,2, max überbaubare Fläche jedoch <175qm
ABER: es gilt die Baunutzungsverordnung 1977
Geschossflächenzahl: -
Baufenster, Baulinie und -grenze: 5m zur Straße im Süden und Westen, 3m zu den Nachbarn im Norden und Osten
Randbebauung: nein
Anzahl Stellplatz: 1,5 pro Wohneinheit
Geschossigkeit: I + D
Dachform: keine bestimmte Dachform, aber Regelung zur Dachneigung mit 2 Varianten
Var. 1: 22-26 Grad
Var. 2: 33-44 Grad
Stilrichtung: keine Vorgabe
Ausrichtung: flexibel
Maximale Höhen/Begrenzungen: in rot die Festsetzungen des BP, in grün die uns bekannten (bereits mehrfach) gewährten recht großzügigen Ausnahmen. Die Nachbarn haben gerade einen Bauantrag eingereicht, der bei Traufhöhe & Kniestock noch etwas mehr herausholen will – daran werden wir uns orientieren.
Bei Dachvariante 1 (22-26 Grad Dachneigung): Firsthöhe max. 8m (bzw. 8.15m), Traufhöhe max. 4,0 (bzw. 5,20-5,30m), Kniestock max. 115 (bzw. 2,20-2,30m)
Bei Dachvariante 2 (33-44 Grad Dachneigung). Firsthöhe max. 10,5m, Traufhöhe max. 3,5m, Kniestock max. 40cm (Ausnahmen sicher möglich aber keine Zahlen bekannt)
Definition Traufhöhe: OK Rohfußboden EG bis Schnittpunkt Außenwand mit Unterkante Sparren
Definition Kniestock: OK Rohfußboden DG bis Schnittpunkt Außenwand mit Unterkante Sparren
Anforderungen der Bauherren
Stilrichtung, Dachform, Gebäudetyp: ein Neubau, der nicht nach Neubau aussieht
Keller, Geschosse: kein Keller (hoher Grundwasserstand, wollen keine Wohnräume im Keller), zwei “Vollgeschosse” (die durch großzügige Ausnahmen vom BP auch faktisch möglich sind)
Anzahl der Personen, Alter: meine Mutter (ü70), mein Mann & ich (Ende 30), 2 Katzen, 1 Hund, 1 Kind geplant
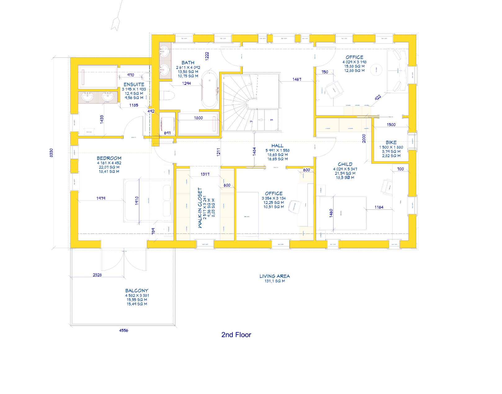
Raumbedarf im EG, OG: Im EG Einliegerwohnung für meine Mutter und Küche / Wohnen / Essen / Technik für uns;
Büro: 2 Büros (beide 50 bzw. 80 % Homeoffice)
Schlafgäste pro Jahr: ca. 2-3 Wochen
offene oder geschlossene Architektur: im EG offen
konservativ oder moderne Bauweise: konservativ
offene Küche, Kochinsel: beides ja
Anzahl Essplätze: 6-8
Kamin: ja (Gaskamin)
Musik/Stereowand: nein
Balkon, Dachterrasse: Balkon wäre nett
Garage, Carport: großzügige Doppelgarage
Nutzgarten, Treibhaus: eher nein
weitere Wünsche/Besonderheiten/Tagesablauf, gern auch Begründungen, warum dieses oder das nicht sein soll:
Hausentwurf
Von wem stammt die Planung: DIY
Was gefällt besonders? Warum?
- Der von einem klassischen amerikanischen Colonial inspirierte Stil
- Wohnbereich am Kamin ausgerichtet
- Porch mit Insektenschutz, Kamin & Privatsphäre
- Kücheninsel mit viel Arbeitsfläche
- kleine “Nebenküche” um dreckiges Geschirr / Kochchaos ggf. temporär aus dem Blick zu räumen
Was gefällt nicht? Warum?
Ich würde nicht unbedingt von “gefällt nicht” sprechen, aber bei folgenden Punkten sind wir unsicher
Persönliches Preislimit fürs Haus, inkl. Ausstattung: wir planen mit 3000 € pro qm + Nebenkosten + Außenanlagen, haben aber viel Eigenkapital und damit noch Flexibilität nach oben; außerdem viel Eigenleistung geplant.
favorisierte Heiztechnik: Wärmepumpe mit Erdwärmesonde
Wenn Ihr verzichten müsst, auf welche Details/Ausbauten
-könnt Ihr verzichten: Balkon
-könnt Ihr nicht verzichten: keine Abstriche bei Einliegerwohnung
Warum ist der Entwurf so geworden, wie er jetzt ist?
Wir wollten eigentlich Haus mit Altbauflair kaufen, haben aber nichts passendes gefunden. Moderne, minimalistische Architektur mögen wir zwar, aber nicht für uns selbst.
Ich bin mal etwas behilflich mit den Bildern.








Bebauungsplan/Einschränkungen
Größe des Grundstücks: 960qm
Hang: nein
Grundflächenzahl: 0,2, max überbaubare Fläche jedoch <175qm
ABER: es gilt die Baunutzungsverordnung 1977
- § 19 IV: Auf die zulässige Grundfläche werden die Nebenanlage i.S.d. § 14 nicht angerechnet. Das gleiche gilt für Balkone, Loggias, Terrassen sowie für bauliche Anlagen, soweit sie nach Landesrecht (hier: Bayern) im Bauwich oder in den Abstandsflächen zulässig sind (…).
- § 21a III: Auf die zulässige Grundfläche sind überdachte Stellplätze und Garagen nicht anzurechnen, soweit <0,1 der Fläche des Baugrundstücks.
Geschossflächenzahl: -
Baufenster, Baulinie und -grenze: 5m zur Straße im Süden und Westen, 3m zu den Nachbarn im Norden und Osten
Randbebauung: nein
Anzahl Stellplatz: 1,5 pro Wohneinheit
Geschossigkeit: I + D
Dachform: keine bestimmte Dachform, aber Regelung zur Dachneigung mit 2 Varianten
Var. 1: 22-26 Grad
Var. 2: 33-44 Grad
Stilrichtung: keine Vorgabe
Ausrichtung: flexibel
Maximale Höhen/Begrenzungen: in rot die Festsetzungen des BP, in grün die uns bekannten (bereits mehrfach) gewährten recht großzügigen Ausnahmen. Die Nachbarn haben gerade einen Bauantrag eingereicht, der bei Traufhöhe & Kniestock noch etwas mehr herausholen will – daran werden wir uns orientieren.
Bei Dachvariante 1 (22-26 Grad Dachneigung): Firsthöhe max. 8m (bzw. 8.15m), Traufhöhe max. 4,0 (bzw. 5,20-5,30m), Kniestock max. 115 (bzw. 2,20-2,30m)
Bei Dachvariante 2 (33-44 Grad Dachneigung). Firsthöhe max. 10,5m, Traufhöhe max. 3,5m, Kniestock max. 40cm (Ausnahmen sicher möglich aber keine Zahlen bekannt)
Definition Traufhöhe: OK Rohfußboden EG bis Schnittpunkt Außenwand mit Unterkante Sparren
Definition Kniestock: OK Rohfußboden DG bis Schnittpunkt Außenwand mit Unterkante Sparren
Anforderungen der Bauherren
Stilrichtung, Dachform, Gebäudetyp: ein Neubau, der nicht nach Neubau aussieht
Keller, Geschosse: kein Keller (hoher Grundwasserstand, wollen keine Wohnräume im Keller), zwei “Vollgeschosse” (die durch großzügige Ausnahmen vom BP auch faktisch möglich sind)
Anzahl der Personen, Alter: meine Mutter (ü70), mein Mann & ich (Ende 30), 2 Katzen, 1 Hund, 1 Kind geplant
Raumbedarf im EG, OG: Im EG Einliegerwohnung für meine Mutter und Küche / Wohnen / Essen / Technik für uns;
Büro: 2 Büros (beide 50 bzw. 80 % Homeoffice)
Schlafgäste pro Jahr: ca. 2-3 Wochen
offene oder geschlossene Architektur: im EG offen
konservativ oder moderne Bauweise: konservativ
offene Küche, Kochinsel: beides ja
Anzahl Essplätze: 6-8
Kamin: ja (Gaskamin)
Musik/Stereowand: nein
Balkon, Dachterrasse: Balkon wäre nett
Garage, Carport: großzügige Doppelgarage
Nutzgarten, Treibhaus: eher nein
weitere Wünsche/Besonderheiten/Tagesablauf, gern auch Begründungen, warum dieses oder das nicht sein soll:
- Überdachte Terrasse / Loggia / Außensitzplatz mit zuverlässigem aber möglichst dezentem Insektenschutz (seenah, regelmäßig Mückenplage) & Kamin (wohl ebenfalls Gas)
- Sehr unpopuläre Meinung in diesem Forum, aber wir möchten explizit keine Rollläden oder Raffstores. Haben wir aktuell, nutzen wir trotz vieler Fenster nach Süden absolut nie (Flair eines Tresorraums). Stattdessen Klimaanlage (mit Photovoltaik betrieben) & größere Bäume geplant.
- Gasherd (ich werde mit Induktion einfach nicht glücklich)
- Waschmaschine & Trockner im OG
- In einem Büro kleine Nische für ein Exercise Bike (Rollentrainer)
Hausentwurf
Von wem stammt die Planung: DIY
Was gefällt besonders? Warum?
- Der von einem klassischen amerikanischen Colonial inspirierte Stil
- Wohnbereich am Kamin ausgerichtet
- Porch mit Insektenschutz, Kamin & Privatsphäre
- Kücheninsel mit viel Arbeitsfläche
- kleine “Nebenküche” um dreckiges Geschirr / Kochchaos ggf. temporär aus dem Blick zu räumen
Was gefällt nicht? Warum?
Ich würde nicht unbedingt von “gefällt nicht” sprechen, aber bei folgenden Punkten sind wir unsicher
- Durchgang zwischen Garage und Haus ggf. zu schmal?
- Eingang und Treppe evtl. nicht großzügig genug?
- Thema Treppe: lässt sich im Programm nicht ordentlich konstruieren, sollte laut einem Treppenberechnungsprogramm aber so gehen. Passt der Platzbedarf so? Sind die asymmetrischen Läufe ein Problem?
- Schlafzimmer in der Einliegerwohnung grenzwertig klein
- Platz in den Bädern ausreichend?
- Technikraum groß genug?
- Könnte Kontrollierte-Wohnraumlüftung ggf. auf dem Kriechdachboden untergebracht werden?
Persönliches Preislimit fürs Haus, inkl. Ausstattung: wir planen mit 3000 € pro qm + Nebenkosten + Außenanlagen, haben aber viel Eigenkapital und damit noch Flexibilität nach oben; außerdem viel Eigenleistung geplant.
favorisierte Heiztechnik: Wärmepumpe mit Erdwärmesonde
Wenn Ihr verzichten müsst, auf welche Details/Ausbauten
-könnt Ihr verzichten: Balkon
-könnt Ihr nicht verzichten: keine Abstriche bei Einliegerwohnung
Warum ist der Entwurf so geworden, wie er jetzt ist?
Wir wollten eigentlich Haus mit Altbauflair kaufen, haben aber nichts passendes gefunden. Moderne, minimalistische Architektur mögen wir zwar, aber nicht für uns selbst.
Ich bin mal etwas behilflich mit den Bildern.
C
CornforthWhite26.01.25 22:47Herzlichen Dank, ypg! Darf ich kurz fragen, wo hier mein Fehler lag? In den Regeln finde ich nur das hier: "Bilder sind ausschliesslich über die foreneigene Uploadfunktion online zu stellen." Sorry, bin offensichtlich blind und übersehe da was....
CornforthWhite schrieb:
Der von einem klassischen amerikanischen Colonial inspirierte StilDa hat wohl jemand zu viel HGTV geschaut.Ja, das ist heutzutage ein wirklich ungewöhnlicher Stil - allerdings ist es natürlich erfrischend, so etwas zu sehen.
Sofern das bei Euch erlaubt ist?!
@Steffi33 hat diesen Stil als Bungalow gebaut. Ist auch hier im Forum zu sehen. Steffi verlinkt bestimmt gern ihren Thread.
CornforthWhite schrieb:
Durchgang zwischen Garage und Haus ggf. zu schmal?Ja! Also nach meinem Geschmack. Aber viel schlimmer finde ich, dass man den Eingang ausschildern muss, damit ihn jeder findet. Von wo soll die Einliegerwohnung angefahren/begangen werden? Vom aufwändigen Eingang hat ja nur der nördliche Nachbar was von..Wieviel Stellplätze braucht Ihr bei Euch pro Wohneinheit?
CornforthWhite schrieb:
wir planen mit 3000 € pro qm + Nebenkosten + Außenanlagen,3000€/qm gelten für ein 0815-Standardhaus ohne viel Ecken und mit Fenstern normaler Anzahl und Standardausstattung.CornforthWhite schrieb:
Herzlichen Dank, ypg! Darf ich kurz fragen, wo hier mein Fehler lag? In den Regeln finde ich nur das hier: "Bilder sind ausschliesslich über die foreneigene Uploadfunktion online zu stellen." Sorry, bin offensichtlich blind und übersehe da was....Den Upload findest Du unter Deinem Beitragsfenster, während Du schreibst (rechts: antworten Vorschau, blau untermalt), links Datei anhängen weiß unterlegt.W
wiltshire26.01.25 23:21Das ist ein interessanter non-standard-Hausentwurf. Ich versuche mir vorzustellen, wie es sich für wen darin lebt. Die "amerikanischen" Anleihen erkenne ich deutlich - sehr viel Privatraum für Master-Bedroom, Wohnzimmer als Teil des Durchgangs zur Küche, Großzügigkeit an manchen Stellen als würde umbauter Raum nichts kosten und eine klassische Anordnung von Küche, essen und Wohnen - dazu die überdachte Terrasse.
Ich kann mir vorstellen, dass man in diesem Haus sehr gut leben kann und bin mit dem "american way of life" aus eigener Erfahrung vertraut, auch wenn ich selbst so nicht bauen würde. Daher bitte die folgenden Punkte nur als Input nehmen.
1. Die Einliegerwohnung hat einige Besonderheiten, die vielen missfallen würde. Sie ist sehr schmal und hat keinen Garderobenbereich. Über dem Wohnzimmer wohnt ein Kind und da ist ein Raum mit einem Fahrrad - ist das eine Fitnessrolle? Ich mache mir Gedanken zur Lautstärke.
2. Der Wohnbereich bekommt kein direktes Tageslicht. Wenn das gewünscht ist, passt die Umsetzung perfekt.
3. Das "Butler's Pantry" ist eine klasse Sache, aber je nach zugedachter Funktion gfs. etwas klein.
4. Das Fenster im Technikraum ist von Außen stimmig, gibt für Innen aber eine Herausforderung für das Unterbringen der nötigen Apparaturen. Das würde ich einmal "einrichten".
5. Der Bereich mit den Bädern spiegelt zwar das "ensuite" Konzept wieder, ist aber in den Größenverhältnissen etwas eigehen. Das Kind teilt sich ein großes Bad mit dem Gast und hat dahin einen weiten Weg.
6. Bei dem großzügigen Master-Bedroom würde ich überlegen eine Badewanne z.B. an die große Balkontür zu platzieren.
7. Das Kinderzimmer könnte etwas dunkel ausfallen. Ich empfehle zwar immer die Fenster von innen nach außen zu denken und nicht nach Fassadenansicht zu platzieren - verstehe aber den optischen Anspruch an das Haus als gesamtes Objekt. Versuche etwas größere Fenster rechts und links des Giebels der Einliegerwohnung zu setzen.
8. Wir können in Deutschland solche Hausformen nicht zu Standardkonditionen bauen. Das ist in den USA mit der klassischen Holzständerbauweise (die mit unserem Holzbau nur rudimentär etwas zu tun hat) ganz anders. Die Annahme mit 3000€ je qm klar zu kommen ist jedenfalls ambitioniert. Da ihr finanziell elastisch seid, könnt ihr diese Überlegungen auch später anstellen. Erst die Willensbildung sit die aus meiner Sicht richtige Reihenfolge.
9. Der Durchgang zwischen Garage und Haus ist völlig OK solange es an anderer Stelle einen breiteren Zugang in den Garten gibt.
10. Die runden Giebelfenster sind wirklich nett.
Das kann ein sehr schönes Haus werden. Eine Holzfassade würde sehr gut passen.
Ich kann mir vorstellen, dass man in diesem Haus sehr gut leben kann und bin mit dem "american way of life" aus eigener Erfahrung vertraut, auch wenn ich selbst so nicht bauen würde. Daher bitte die folgenden Punkte nur als Input nehmen.
1. Die Einliegerwohnung hat einige Besonderheiten, die vielen missfallen würde. Sie ist sehr schmal und hat keinen Garderobenbereich. Über dem Wohnzimmer wohnt ein Kind und da ist ein Raum mit einem Fahrrad - ist das eine Fitnessrolle? Ich mache mir Gedanken zur Lautstärke.
2. Der Wohnbereich bekommt kein direktes Tageslicht. Wenn das gewünscht ist, passt die Umsetzung perfekt.
3. Das "Butler's Pantry" ist eine klasse Sache, aber je nach zugedachter Funktion gfs. etwas klein.
4. Das Fenster im Technikraum ist von Außen stimmig, gibt für Innen aber eine Herausforderung für das Unterbringen der nötigen Apparaturen. Das würde ich einmal "einrichten".
5. Der Bereich mit den Bädern spiegelt zwar das "ensuite" Konzept wieder, ist aber in den Größenverhältnissen etwas eigehen. Das Kind teilt sich ein großes Bad mit dem Gast und hat dahin einen weiten Weg.
6. Bei dem großzügigen Master-Bedroom würde ich überlegen eine Badewanne z.B. an die große Balkontür zu platzieren.
7. Das Kinderzimmer könnte etwas dunkel ausfallen. Ich empfehle zwar immer die Fenster von innen nach außen zu denken und nicht nach Fassadenansicht zu platzieren - verstehe aber den optischen Anspruch an das Haus als gesamtes Objekt. Versuche etwas größere Fenster rechts und links des Giebels der Einliegerwohnung zu setzen.
8. Wir können in Deutschland solche Hausformen nicht zu Standardkonditionen bauen. Das ist in den USA mit der klassischen Holzständerbauweise (die mit unserem Holzbau nur rudimentär etwas zu tun hat) ganz anders. Die Annahme mit 3000€ je qm klar zu kommen ist jedenfalls ambitioniert. Da ihr finanziell elastisch seid, könnt ihr diese Überlegungen auch später anstellen. Erst die Willensbildung sit die aus meiner Sicht richtige Reihenfolge.
9. Der Durchgang zwischen Garage und Haus ist völlig OK solange es an anderer Stelle einen breiteren Zugang in den Garten gibt.
10. Die runden Giebelfenster sind wirklich nett.
Das kann ein sehr schönes Haus werden. Eine Holzfassade würde sehr gut passen.
hanghaus2023 schrieb:Bei mir gibt es kein Problem mit den Anlagen - auch nicht beim ersten Post. Warum gleich ein Vorwurf?
Ich verstehe nicht warum man Regeln misachten will.
C
CornforthWhite26.01.25 23:26ypg schrieb:
Da hat wohl jemand zu viel HGTV geschaut.
Ja, das ist heutzutage ein wirklich ungewöhnlicher Stil - allerdings ist es natürlich erfrischend, so etwas zu sehen.
Sofern das bei Euch erlaubt ist?!Ich schaue zwar tatsächlich manchmal gerne HGTV, aber die Inspiration kommt eher woanders her. Habe selbst schon mal vor vielen Jahren in einem ähnlichen Haus gelebt und mochte es sehr. Der Bebauungsplan ist da flexibel, spricht nichts dagegen.
ypg schrieb:
@Steffi33 hat diesen Stil als Bungalow gebaut. Ist auch hier im Forum zu sehen. Steffi verlinkt bestimmt gern ihren Thread.Das Haus habe ich hier auch schon gesehen und bewundert, inklusive des sehr hübschen Gartens.
ypg schrieb:
Ja! Also nach meinem Geschmack. Aber viel schlimmer finde ich, dass man den Eingang ausschildern muss, damit ihn jeder findet. Von wo soll die Einliegerwohnung angefahren/begangen werden? Vom aufwändigen Eingang hat ja nur der nördliche Nachbar was von..Einliegerwohnung soll von der anderen Straße (ist ja ein Eckgrundstück) einen Zugang und Stellplatz bekommen (direkt an der Grenze zum östlichen Nachbarn), hatten wir leider noch nicht eingezeichnet. Sollte aber genehmigungsfähig sein - es gab für das Grundstück bereits eine Bauvoranfrage mit Bebauung mit 2 EFHs mit Zugang und Stellplätzen jeweils oben im Nordwesten (wo jetzt die Garage ist) und im Südosten an der Grenze zum Nachbarn.
Zum Eingang kommen sollen möglichst gar nicht so viele Leute - wir sind introvertiert und mögen Privatsphäre. Briefkasten und Kamera kommen direkt vorne neben der Garage an den Eingang. Verstehe den Punkt mit dem versteckten Eingang, von dem man nicht so viel sieht, aber primär will ich mich da selbst dran freuen mit schönen Blumentöpfen etc.
Über den Platzbedarf beim Zugang müssen wir wohl nochmal nachdenken. Wie breit sollte der denn Deiner Meinung nach mindestens sein?
ypg schrieb:
Wieviel Stellplätze braucht Ihr bei Euch pro Wohneinheit?1,5 Stellplätze pro Wohneinheit, also 3 insgesamt.
ypg schrieb:
3000€/qm gelten für ein 0815-Standardhaus ohne viel Ecken und mit Fenstern normaler Anzahl und Standardausstattung.Wie gesagt, sind budgettechnisch durchaus noch flexibel, aber wollen den gesamten Innenausbau selbst machen und haben bereits ein Angebot schlüsselfertig für ein sehr ähnliches (kleineres) Haus für 3300€ /qm mit durchaus vernünftiger Ausstattung von einem Anbieter, der laut vorangegangenen Kunden gut im Budget geblieben ist. Denke also nicht, dass wir da meilenweit weg sind, wenn wir viel selbst machen. Mein Mann ist handwerklich sehr begabt und wir haben auch schon ganz gut Erfahrung aus vorangegangenen Renovierungen.
ypg schrieb:
Den Upload findest Du unter Deinem Beitragsfenster, während Du schreibst (rechts: antworten Vorschau, blau untermalt), links Datei anhängen weiß unterlegt.Danke!
C
CornforthWhite27.01.25 00:05wiltshire schrieb:
Das ist ein interessanter non-standard-Hausentwurf. Ich versuche mir vorzustellen, wie es sich für wen darin lebt. Die "amerikanischen" Anleihen erkenne ich deutlich - sehr viel Privatraum für Master-Bedroom, Wohnzimmer als Teil des Durchgangs zur Küche, Großzügigkeit an manchen Stellen als würde umbauter Raum nichts kosten und eine klassische Anordnung von Küche, essen und Wohnen - dazu die überdachte Terrasse.
Ich kann mir vorstellen, dass man in diesem Haus sehr gut leben kann und bin mit dem "american way of life" aus eigener Erfahrung vertraut, auch wenn ich selbst so nicht bauen würde. Daher bitte die folgenden Punkte nur als Input nehmen.
1. Die Einliegerwohnung hat einige Besonderheiten, die vielen missfallen würde. Sie ist sehr schmal und hat keinen Garderobenbereich. Über dem Wohnzimmer wohnt ein Kind und da ist ein Raum mit einem Fahrrad - ist das eine Fitnessrolle? Ich mache mir Gedanken zur Lautstärke.Erst mal schön, dass nicht alle den Entwurf komplett hassen!
Sind die Zimmer der Einliegerwohnung wirklich so schmal? Ich vergleiche das gerade mit unserer ehemaligen Altbauwohnung, die auch zum großen Teil Zimmer mit ähnlichen Maßen hatte und fand, dass es sich darin gut leben ließ. Aber kann gut sein, dass wir da falsch liegen. Wir fanden es ganz schön, dass man (bei offener Schlafzimmertür) eine Sichtachse durch die komplette Einliegerwohnung hat. Meiner Mutter gefällt die Einliegerwohnung so wie sie ist sehr gut, aber sie sollte natürlich später auch mal vermietbar sein, also ist Dein Punkt sicher valide. Bin gerade nicht sicher, wie man hier umplanen könnte, ohne alles andere auch über den Haufen zu werfen, aber wir machen uns mal Gedanken dazu. Der Punkt Garderobenbereich stört mich auch, bin mir aber noch nicht sicher, wie man ihn lösen würde. Evtl. ein kleiner Windfang statt der kleinen Porch vor der Tür und an anderer Stelle das Haus etwas verkleinern um dafür die nötigen Quadratmeter zu haben.
Das Kind gibt es leider noch nicht, aber auch das ist ein guter Punkt. Vielleicht sollte man da tatsächlich besser Räume tauschen. Das Fahrrad ist eine Fitnessrolle. Mein Mann hat die (mit einer Schall schluckenden Matte drunter) auch schon in einer Gründerzeit-Altbauwohnung benutzt und der Nachbar hat nichts davon gehört, aber wir sollten auf jeden Fall abklären, ob das problematisch sein könnte - ist ein guter Hinweis.
wiltshire schrieb:
2. Der Wohnbereich bekommt kein direktes Tageslicht. Wenn das gewünscht ist, passt die Umsetzung perfekt.Das ist uns tatsächlich bewusst und okay für uns bzw. für auf dem Sofa chillen, Filme anschauen, etc. vielleicht sogar gemütlicher.
wiltshire schrieb:
3. Das "Butler's Pantry" ist eine klasse Sache, aber je nach zugedachter Funktion gfs. etwas klein.Ja, wir finden es auch grenzwertig klein, aber für die zugedachte Funktion wahrscheinlich gerade so okay. Es soll eine zweite Spüle hinein, damit man mal dreckiges Geschirr aus dem Sichtfeld bekommt. Ausserdem Sollen Kühlschrank / Gefrierschrank dort hinein und die Spülmaschine (wegen Geräuschen und Gerüchen). Die momentan an der Außenwand eingezeichneten Hochschränke müssten dafür noch weichen. Außerdem soll man kurz von draußen mal Einkäufe abstellen können, damit man nicht mit Tüten durch Wohnzimmer laufen muss. Viel mehr muss der Raum nicht können, Stauraum sollte hoffentlich in der Küche halbwegs ausreichend vorhanden sein.
wiltshire schrieb:
4. Das Fenster im Technikraum ist von Außen stimmig, gibt für Innen aber eine Herausforderung für das Unterbringen der nötigen Apparaturen. Das würde ich einmal "einrichten".Ja, das sollten wir auf jeden Fall noch machen. Hatten mal grob überschlagen, was reinpassen muss und das schien uns zu passen, aber sollte man noch genauer prüfen. Das Fenster wird wohl ein dauerhaft geschloßenes Rolleau bekommen und dient tatsächlich eher der Außenansicht.
wiltshire schrieb:
5. Der Bereich mit den Bädern spiegelt zwar das "ensuite" Konzept wieder, ist aber in den Größenverhältnissen etwas eighen. Das Kind teilt sich ein großes Bad mit dem Gast und hat dahin einen weiten Weg.Wir hatten zunächst ein Kinderbad über dem Bad der Einliegerwohnung geplant, das wäre dann in der Mitte von Kind und Gast gewesen. Vielleicht doch wieder die Variante? Mit beiden Bädern in einer Ecke funktionierte aber die anderen Räume besser. Schauen wir uns auf jeden Fall nochmal an.
Meinst Du, die Bäder sind insgesamt zu klein? Wir sind absolut keine "Wellness-Typen", die Wert auf eine große Bad-Oase legen oder dort Stunden verbringen, aber wir wollen natürlich auch nicht ein relativ großes Haus bauen und dann zu kleine Bäder planen.
wiltshire schrieb:
6. Bei dem großzügigen Master-Bedroom würde ich überlegen eine Badewanne z.B. an die große Balkontür zu platzieren.Das fänden viele Leute sicher super, aber Badewanne im Schlafzimmer wäre so gar nicht unser Ding.
wiltshire schrieb:
7. Das Kinderzimmer könnte etwas dunkel ausfallen. Ich empfehle zwar immer die Fenster von innen nach außen zu denken und nicht nach Fassadenansicht zu platzieren - verstehe aber den optischen Anspruch an das Haus als gesamtes Objekt. Versuche etwas größere Fenster rechts und links des Giebels der Einliegerwohnung zu setzen.Wir hatten mal die Fläche des Zimmer zu den Fensterflächen ins Verhältnis gesetzt und da schien uns das okay (habe die Zahlen gerade nicht mehr im Kopf), aber dann schauen wir uns die beiden kleinen Fenster noch mal an.
wiltshire schrieb:
8. Wir können in Deutschland solche Hausformen nicht zu Standardkonditionen bauen. Das ist in den USA mit der klassischen Holzständerbauweise (die mit unserem Holzbau nur rudimentär etwas zu tun hat) ganz anders. Die Annahme mit 3000€ je qm klar zu kommen ist jedenfalls ambitioniert. Da ihr finanziell elastisch seid, könnt ihr diese Überlegungen auch später anstellen. Erst die Willensbildung sit die aus meiner Sicht richtige Reihenfolge.Wir haben ein Angebot zu einem stilistisch recht ähnlichen Haus von einem größeren Schwedenhausanbieter (Produktion in Schweden, aber haben hier schon mehrere Kundenhäuser in der Nähe besichtigt) für 3200€ schlüsselfertig. Die haben explizit "New England" als Stilrichtung im Programm. Denke also, dass wir preislich da nicht unbedingt Lichtjahre entfernt rauskommen sollten. Wir wollen in Eigenleistung u.a. Wände verschließen, Spachteln, Malern, Parkett und Fliesen legen, Elektrovorbereitung machen, Photovoltaik selber planen und kaufen und nur anschließen lassen, da sollte sich also auch noch ein bisschen was sparen lassen.
wiltshire schrieb:
9. Der Durchgang zwischen Garage und Haus ist völlig OK solange es an anderer Stelle einen breiteren Zugang in den Garten gibt.Breiter Zugang in den Garten ist kein Problem, geht von mehreren Seiten.
wiltshire schrieb:
10. Die runden Giebelfenster sind wirklich nett.
Das kann ein sehr schönes Haus werden. Eine Holzfassade würde sehr gut passen.Danke! Es soll in der Tat eine weiße Holzfassade in horizontaler schmaler Lattung werden.
Ähnliche Themen