ᐅ Erdgeschossrohfußbodenhöhe (Einfamilienhaus) / Bedeutung -Auswirkung?
Erstellt am: 21.01.20 22:40
S
stud_thomasS
stud_thomas21.01.20 22:40Hallo zusammen,
ich hoffe, dass mir jemand weiterhelfen kann. Wir wollen in Baden-Württemberg ein Einfamilienhaus bauen und kommen nicht wirklich klar mit dem B-Pan...
Im B-PlanA ist folgendes angegeben:
Die Erdgeschossrohfußbodenhöhe (Einfamilienhaus) wird auf die im Plan (Anlage 1) eingetragenen Höhen bezogen auf Normal - Null - Höhe (NNA-Höhe) festgelegt. Abweichungen von +/- 0,20m sind zulässig. Bei höherversetzten Geschossen gilt die festgesetzte Einfamilienhaus für die höherliegende Ebene. Die Max. Traufhöhe beträgt 4,00 m. Unterer Bezugspunkt zur Bemessung der Traufhöhe ist die Einfamilienhaus, oberer Bezugspunkt ist der Schnittpunkt der Außenwand mit OK Dachhaut. Die Max. Firsthöhe über Einfamilienhaus bis OK Firstziegel beträgt 7,50 m.
In Anlage ist (für unserer Grundstück) ist die Einfamilienhaus mit 911,90m angegeben.
Nun war der Vermesser da und hat auf dem Grundstück eine Max. Höhe 911,30 m festgestellt. Im Baufenster beträgt die Max. Höhe 910,95 m.
Fragen:
Thomas
ich hoffe, dass mir jemand weiterhelfen kann. Wir wollen in Baden-Württemberg ein Einfamilienhaus bauen und kommen nicht wirklich klar mit dem B-Pan...
Im B-PlanA ist folgendes angegeben:
Die Erdgeschossrohfußbodenhöhe (Einfamilienhaus) wird auf die im Plan (Anlage 1) eingetragenen Höhen bezogen auf Normal - Null - Höhe (NNA-Höhe) festgelegt. Abweichungen von +/- 0,20m sind zulässig. Bei höherversetzten Geschossen gilt die festgesetzte Einfamilienhaus für die höherliegende Ebene. Die Max. Traufhöhe beträgt 4,00 m. Unterer Bezugspunkt zur Bemessung der Traufhöhe ist die Einfamilienhaus, oberer Bezugspunkt ist der Schnittpunkt der Außenwand mit OK Dachhaut. Die Max. Firsthöhe über Einfamilienhaus bis OK Firstziegel beträgt 7,50 m.
In Anlage ist (für unserer Grundstück) ist die Einfamilienhaus mit 911,90m angegeben.
Nun war der Vermesser da und hat auf dem Grundstück eine Max. Höhe 911,30 m festgestellt. Im Baufenster beträgt die Max. Höhe 910,95 m.
Fragen:
- wir hatten ein Einfamilienhaus mit einer Firsthöhe von 7,50 m geplant und dabei hatten wir gerade einmal einen Kniestock von 0,80 m (Erdgeschoss hatte 2,50m Höhe). Können wir rein faktisch das Haus nun höher bauen (höherer Kniestock), da der NN-Punkt 911,90 m beträgt und wir eigentlich gut einen Meter niedriger bauen?
- was bedeutet "Bei höherversetzten Geschossen gilt die festgesetzte Einfamilienhaus für die höherliegende Ebene"?
Thomas
stud_thomas schrieb:
Können wir rein faktisch das Haus nun höher bauen (höherer Kniestock)Nein.stud_thomas schrieb:
und wir eigentlich gut einen Meter niedriger bauen?Das dürft ihr ja nicht. Die Höhe eures Erdgeschossrohfußbodens muss zwischen 911,70m und 912,10m ü. NN liegen. Ab da zählen die 7,50m bis OK First.stud_thomas schrieb:
was bedeutet "Bei höherversetzten Geschossen gilt die festgesetzte Einfamilienhaus für die höherliegende Ebene"?Damit ist vermutlich Split-Level gemeint, also ein Höhenversatz bis zu 1,5m innerhalb eines Geschosses. Ohne Pläne und Kenntnis von den Höhenverhältnissen auf dem Grundstück aber schwer zu beurteilen.S
stud_thomas21.01.20 23:34Escroda schrieb:
Nein.
Das dürft ihr ja nicht. Die Höhe eures Erdgeschossrohfußbodens muss zwischen 911,70m und 912,10m ü. NN liegen. Ab da zählen die 7,50m bis OK First.Eigentlich wollen wir das Grundstück nicht auf 911,70m "auffüllen"...
Escroda schrieb:
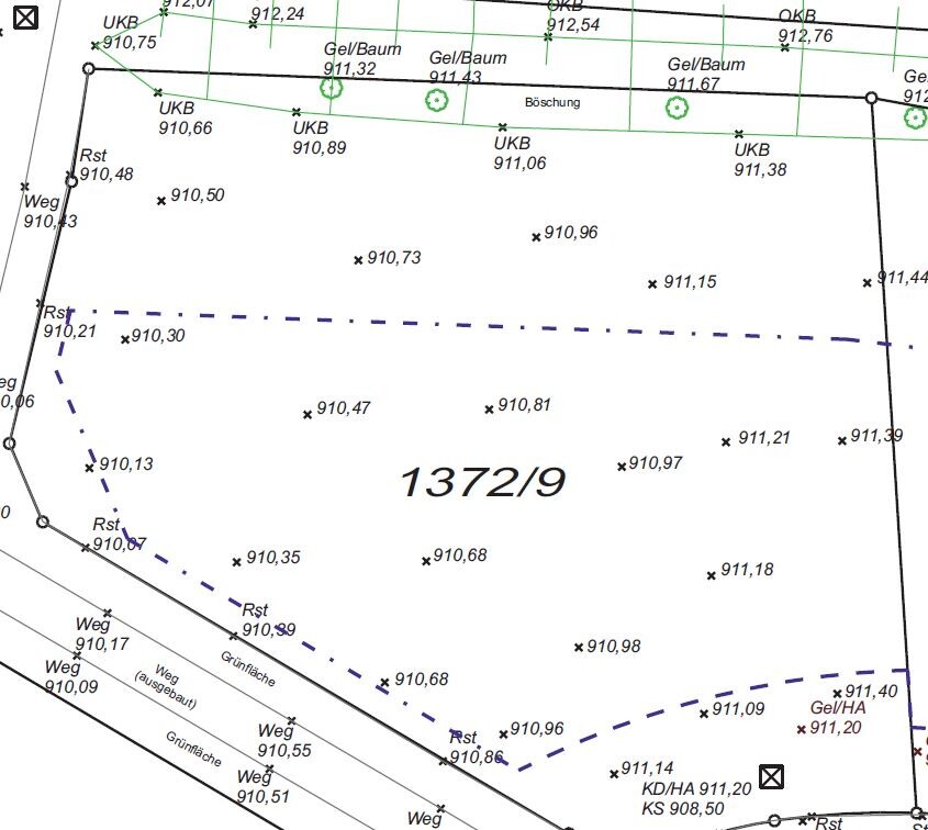
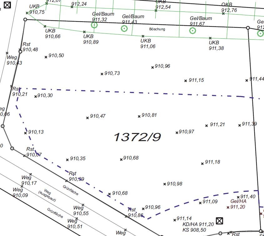
Damit ist vermutlich Split-Level gemeint, also ein Höhenversatz bis zu 1,5m innerhalb eines Geschosses. Ohne Pläne und Kenntnis von den Höhenverhältnissen auf dem Grundstück aber schwer zu beurteilen.Anbei ein Ausschnitt aus der "Höhenkarte"
Was hat der Vermesser festgestellt? Max 911,30 wird die gemessene Höhe sein. Also Status Quo. Das hat nichts mit der Bezugshöhe im Bebauungsplan zu tun. Du musst auch nicht das Grundstück auffüllen, nur der Einfamilienhaus muss in dem angegebenen Rahmen sein. Nur mal so als Idee...Oberboden ist aber schon noch darauf?
face26 schrieb:
Du musst auch nicht das Grundstück auffüllen, nur der Einfamilienhaus muss in dem angegebenen Rahmen sein.Lumpi_LE schrieb:
Bei dem Bebauungsplan bietet sich ein Keller an, der einen Meter raus schaut.So isses. Auffüllen ist hier Quatsch.https://www.instagram.com/11antgmxde/
https://www.linkedin.com/company/bauen-jetzt/
Ähnliche Themen