Hallo,
wir möchten ein Grundstück im Neubaugebiet erwerben und mit einem Einfamilienhaus bebauen.
Das Neubaugebiet liegt in einem sehr ländlichen Gebiet und voraussichtlich wird die Nachfrage nicht sehr groß sein.
Kurzfristig sollen wir der Gemeinde mitteilen, welches Grundstück wir reservieren möchten. Gegebenenfalls wird das Losverfahren angewendet.
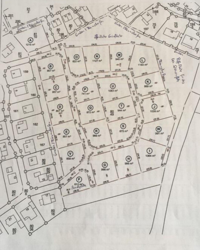
Einen deutlichen Favoriten haben wir schon. Wir tendieren momentan stark zu dem Grundstück 177.
Das hat folgende Gründe:
Mein Mann hat die vormals landwirtschaftliche Fläche jahrelang bewirtschaftet. Er ist der Meinung, dass der Standort des Grundstücks im Vergleich zu anderen Standorten auf der Fläche sehr trocken und leicht erhöht ist, was er aufgrund der unmittelbaren Nähe zum Fleth für wichtig hält.
Des Weiteren befindet sich die landwirtschaftliche Fläche östlich des Grundstücks im Familienbesitz, die Sicht ist also auch langfristig sehr wahrscheinlich unverbaubar.
Grundsätzlich gefällt uns der Ausblick auf die umliegenden landwirtschaftlich genutzten Flächen. Mitten im Neubaugebiet möchten wir nicht wohnen.
Die Ausrichtung des Grundstücks halten wir für vorteilhaft mit der möglichen Südterrasse.
Unsicher sind wir uns, ob der Zuschnitt des Grundstücks optimal ist. Wir möchten ein Haus mit etwa 170m2 Wohnfläche und einem angrenzenden Doppelcarport bauen. Dabei soll das Haus möglichst weit in Richtung Straße gebaut werden, um einen möglichst großen Garten hinter dem Haus zu haben. Dadurch, dass das Grundstück zur Straße hin schmal wird, geht natürlich nicht so viel Grundstücksfläche "verloren", andererseits muss dadurch das Haus samt Garage vermutlich weiter nach hinten geplant werden.
Wir sind uns unsicher, bei einer so wichtigen Entscheidung einen Fehler zu machen oder etwas zu übersehen und würden uns freuen, wenn sich jemand zu unseren Überlegungen äußern könnte oder vielleicht sogar neue Ideen einbringen könnte.
Ganz vielen Dank im Voraus!



wir möchten ein Grundstück im Neubaugebiet erwerben und mit einem Einfamilienhaus bebauen.
Das Neubaugebiet liegt in einem sehr ländlichen Gebiet und voraussichtlich wird die Nachfrage nicht sehr groß sein.
Kurzfristig sollen wir der Gemeinde mitteilen, welches Grundstück wir reservieren möchten. Gegebenenfalls wird das Losverfahren angewendet.
Einen deutlichen Favoriten haben wir schon. Wir tendieren momentan stark zu dem Grundstück 177.
Das hat folgende Gründe:
Mein Mann hat die vormals landwirtschaftliche Fläche jahrelang bewirtschaftet. Er ist der Meinung, dass der Standort des Grundstücks im Vergleich zu anderen Standorten auf der Fläche sehr trocken und leicht erhöht ist, was er aufgrund der unmittelbaren Nähe zum Fleth für wichtig hält.
Des Weiteren befindet sich die landwirtschaftliche Fläche östlich des Grundstücks im Familienbesitz, die Sicht ist also auch langfristig sehr wahrscheinlich unverbaubar.
Grundsätzlich gefällt uns der Ausblick auf die umliegenden landwirtschaftlich genutzten Flächen. Mitten im Neubaugebiet möchten wir nicht wohnen.
Die Ausrichtung des Grundstücks halten wir für vorteilhaft mit der möglichen Südterrasse.
Unsicher sind wir uns, ob der Zuschnitt des Grundstücks optimal ist. Wir möchten ein Haus mit etwa 170m2 Wohnfläche und einem angrenzenden Doppelcarport bauen. Dabei soll das Haus möglichst weit in Richtung Straße gebaut werden, um einen möglichst großen Garten hinter dem Haus zu haben. Dadurch, dass das Grundstück zur Straße hin schmal wird, geht natürlich nicht so viel Grundstücksfläche "verloren", andererseits muss dadurch das Haus samt Garage vermutlich weiter nach hinten geplant werden.
Wir sind uns unsicher, bei einer so wichtigen Entscheidung einen Fehler zu machen oder etwas zu übersehen und würden uns freuen, wenn sich jemand zu unseren Überlegungen äußern könnte oder vielleicht sogar neue Ideen einbringen könnte.
Ganz vielen Dank im Voraus!
LisaO schrieb:
Wir sind uns unsicher, bei einer so wichtigen Entscheidung einen Fehler zu machenAußer der Mühe, die Lage zu verschleiern, vermutlich keine. Leider erschwert das, abrundende Informationen beiziehen zu können. Damit bin ich raus, denn weder gebe ich Larifari-Einschätzungen, noch bin ich zu Nachfrage-Häppchenpingpong bereit. Entweder man will geholfen bekommen (dann daran mitwirkend, daß dies effizient abgewickelt werden kann) oder halt nicht.https://www.instagram.com/11antgmxde/
https://www.linkedin.com/company/bauen-jetzt/
LisaO schrieb:
Des Weiteren befindet sich die landwirtschaftliche Fläche östlich des Grundstücks im Familienbesitz, die Sicht ist also auch langfristig sehr wahrscheinlich unverbaubar.
Grundsätzlich gefällt uns der Ausblick auf die umliegenden landwirtschaftlich genutzten Flächen. Mitten im Neubaugebiet möchten wir nicht wohnen.
Die Ausrichtung des Grundstücks halten wir für vorteilhaft mit der möglichen Südterrasse.So wie das aussieht wird da südlich wohl schon vorbereitet für einen weiteren Abschnitt? Ohne Grund wird die Strasse da doch bestimmt nicht so gebaut oder?
Nach Osten und Südosten wiederum scheint ja eine Bepflanzung vorgesehen zu sein? Wenn da ne dichte Hecke hinkommt ists wohl auch Essig mit Aussicht oder?
H
hanghaus202311.10.23 22:24Gibt es irgendwie einen Hang? Oder wie steil ist das und in welche Rechtung?
LisaO schrieb:
Mir war nicht bewusst, dass diese Informationen relevant sind.Weshalb dann der Aufwand der Verschleierung ? - nun ja, Du hast die unbearbeitete Version nachgeliefert und man kann damit weiter schauen. Ich sehe, die Oste ist recht nah. Und mir fehlt als Ortsunkundigem und sowieso Binnenlandbewohner die Vorstellung, wie das Fleth einzuordnen wäre: dient seine Schleuse seiner Entkopplung vom Tidenhub, oder soll es sich bei Fluten gewissermaßen "kontrolliert opfern" ?Soweit ich davon abgesehen nur nach Deinen Schilderungen gehe, teile ich Deine Einschätzung, daß der Bauplatz 177 am besten zu Eurem Anforderungsprofil paßt. Mein Traum wäre die kurze Straßenfront nicht, aber da mag man die Prioritäten anders sehen. Eine Folge davon ist die geringe Varianz der Zufahrtsituation, vgl. dazu https://www.hausbau-forum.de/threads/grobe-grundstuecksplanung-819m.31558/ und https://www.hausbau-forum.de/threads/bungalow-148m-grundstuecksplanung-grundrissplanung.31975/ (ähnlicher Grundstücksschnitt, ähnlicher Bebauungs-Layout-Wunsch (allerdings speziell Bungalow), Gewässerrandstreifen in der Nähe, hierbei allerdings an der Eine, die wohl ein Fluß vergleichbarer Größe wie die Oste ist).
https://www.instagram.com/11antgmxde/
https://www.linkedin.com/company/bauen-jetzt/
Ähnliche Themen