G
grinchmaster30.04.16 21:51Hallo zusammen!
Ich muss etwas ausholen, da ich Eure fachkundigen Ratschläge bei der Teilung unseres Grundstücks benötige.
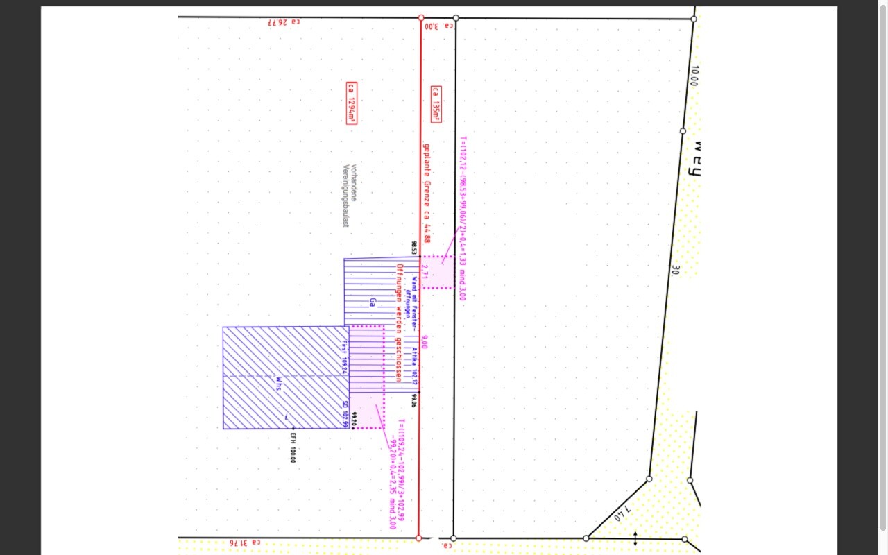
Wir werden neben dem Haus meiner Schwiegereltern bauen. Zwischen diesem (linkes Gebäude) und unserem Baugrundstück befindet sich eine Garage (B/T/H: 6m/ 11,71m/ ca. 3,10m), die in Richtung des Baugrundstücks 2 Fenster hat.
Vor ca. 2 Jahren haben die Schwiegereltern das Baugrundstück vermessen und teilen lassen, um es meiner Frau zu überschreiben. Die neue Grenze sollte genau an der Garage entlang verlaufen. Allerdings gab der Vermesser an, dass dies nicht möglich sei, da die Garage zu lang und zu hoch für einen direkt anschließenden Grenzverlauf sei und zudem noch Fenster habe. Also haben die Schwiegereltern einer Teilung der Grenze 3m entfernt von der Garage zugestimmt. Leider erfolgte dies ohne Rücksprache mit uns (wir sollten wohl überrascht werden).
Eine Baugenehmigung, für einen Neubau als Anbau an das Haus der Schwiegereltern, haben wir. Die Grundstücksgrenze läuft derzeit genau durch unser Schlafzimmer. Dies wurde mit einer Vereinigungsbaulast gelöst.
Die Erteilung der Baugenehmigung gestaltete sich aus anderen Gründen als sehr kompliziert. Im Bauamt gab man uns zu verstehen, dass sich der Prozess enorm verkomplizieren würde, wenn wir auch noch das Thema Grundstücksteilung an der Garage angehen würden. Aus zeitlichen Gründen haben wir also die Vereinigungsbaulast eingetragen.
Nun haben wir den Antrag auf Teilung an der Garage (nach Rücksprache und mündlicher Zustimmung des Sachbearbeiters) gestellt. Bauamt hat dann aber abgelehnt, da die Garage zu groß sei und somit eine nicht zulässige Grenzbebauung darstellen würde.
Vermesser möchte nun das Baugrundstück nochmals vermessen (hat bei der Teilungsvermessung wohl keine Höhenangaben vermessen) und einen Lageplan mit dem geplanten Haus erstellen. Diesen dann nochmals vorlegen. Seiner Ansicht nach die einzige verbleibende Möglichkeit.
Dies mag ich noch nicht glauben. Doppelhaushälfte werden ja auch auf einem Grundstück gebaut und die Grundstücke geteilt.
Hat jemand hier eine Idee?

Ich muss etwas ausholen, da ich Eure fachkundigen Ratschläge bei der Teilung unseres Grundstücks benötige.
Wir werden neben dem Haus meiner Schwiegereltern bauen. Zwischen diesem (linkes Gebäude) und unserem Baugrundstück befindet sich eine Garage (B/T/H: 6m/ 11,71m/ ca. 3,10m), die in Richtung des Baugrundstücks 2 Fenster hat.
Vor ca. 2 Jahren haben die Schwiegereltern das Baugrundstück vermessen und teilen lassen, um es meiner Frau zu überschreiben. Die neue Grenze sollte genau an der Garage entlang verlaufen. Allerdings gab der Vermesser an, dass dies nicht möglich sei, da die Garage zu lang und zu hoch für einen direkt anschließenden Grenzverlauf sei und zudem noch Fenster habe. Also haben die Schwiegereltern einer Teilung der Grenze 3m entfernt von der Garage zugestimmt. Leider erfolgte dies ohne Rücksprache mit uns (wir sollten wohl überrascht werden).
Eine Baugenehmigung, für einen Neubau als Anbau an das Haus der Schwiegereltern, haben wir. Die Grundstücksgrenze läuft derzeit genau durch unser Schlafzimmer. Dies wurde mit einer Vereinigungsbaulast gelöst.
Die Erteilung der Baugenehmigung gestaltete sich aus anderen Gründen als sehr kompliziert. Im Bauamt gab man uns zu verstehen, dass sich der Prozess enorm verkomplizieren würde, wenn wir auch noch das Thema Grundstücksteilung an der Garage angehen würden. Aus zeitlichen Gründen haben wir also die Vereinigungsbaulast eingetragen.
Nun haben wir den Antrag auf Teilung an der Garage (nach Rücksprache und mündlicher Zustimmung des Sachbearbeiters) gestellt. Bauamt hat dann aber abgelehnt, da die Garage zu groß sei und somit eine nicht zulässige Grenzbebauung darstellen würde.
Vermesser möchte nun das Baugrundstück nochmals vermessen (hat bei der Teilungsvermessung wohl keine Höhenangaben vermessen) und einen Lageplan mit dem geplanten Haus erstellen. Diesen dann nochmals vorlegen. Seiner Ansicht nach die einzige verbleibende Möglichkeit.
Dies mag ich noch nicht glauben. Doppelhaushälfte werden ja auch auf einem Grundstück gebaut und die Grundstücke geteilt.
Hat jemand hier eine Idee?
T
toxicmolotof01.05.16 13:28Leider kann ich zur Lösung nicht viel beitragen, da gibt es andere, die mehr Erfahrungen haben.
Aber auch wenn man nicht viel sieht, so verspricht das Design des Neubaus zumindest interessantes zu erwarten. Nur energetisch eher suboptimal. Aber man kann ja nicht immer alles haben.
Aber auch wenn man nicht viel sieht, so verspricht das Design des Neubaus zumindest interessantes zu erwarten. Nur energetisch eher suboptimal. Aber man kann ja nicht immer alles haben.
G
grinchmaster01.05.16 20:35Da stimme ich Dir zu. Energetisch ist der Baukörper natürlich nicht mit einem klassischen Grundriss zu vergleichen. Genau dies ist aber auch ein Grund, warum wir neu bauen.
grinchmaster schrieb:
Nun haben wir den Antrag auf Teilung an der Garage (nach Rücksprache und mündlicher Zustimmung des Sachbearbeiters) gestellt. Bauamt hat dann aber abgelehnt, da die Garage zu groß sei und somit eine nicht zulässige Grenzbebauung darstellen würde.
Vermesser möchte nun das Baugrundstück nochmals vermessen (hat bei der Teilungsvermessung wohl keine Höhenangaben vermessen) und einen Lageplan mit dem geplanten Haus erstellen. Diesen dann nochmals vorlegen. Seiner Ansicht nach die einzige verbleibende Möglichkeit.
Dies mag ich noch nicht glauben. Doppelhaushälfte werden ja auch auf einem Grundstück gebaut und die Grundstücke geteilt.Hallo Georg,
so wie ich die Sache auf Grund Deiner Darstellungen und Beschreibungen sehe, bringt Euch die weitere Vermessung nicht entscheidend weiter.
Fakt ist, wenn ich Dich richtig verstehe: Ihr habt eine Baugenehmigung, weil Ihr eine Vereinigungsbaulast bekommen habt.
Mit der Vereinigungsbaulast (die einige Ämter nur sehr ungern rausrücken, vor allem im privaten Bereich) sind die beiden Grundstücke bauordnungsrechtlich miteinander verbunden. Euer Bauamt interpretiert das offensichtlich so, dass damit die Baugenehmigung erteilt werden kann.
Andere Bauämter fertigen auf Grund der schlechten Erfahrungen mit Vereinigungsbaulasten nur vorhabenbezogene Vereinigungsbaulasten an und lassen sich spezielle Mängel zusätzlich durch spezielle auf den Einzelfall bezogene Baulasten sichern.
Das lese ich aus Deinem Beitrag nicht heraus, insofern gehe ich davon aus, dass Euer Bauamt eher pragmatisch tickt.
Ziel einer erneuten Vermessung müsste ja sein, dass sich die Grundstückssituation verbessert. Dazu müsste ein Zustand erreicht werden, dass die Vereinigungsbaulast erlischt. Dem stehen entgegen:
1. Höhe Garage 3,10m müsste auf 3m "gestutzt" werden, ansonsten Abstandsflächenbaulast, in der aktuell Dein Wohnzimmer steht: => Killkriterium
2. Länge der Garage über 9m wird durch Baulast wie in Plan ersichtlich gesichert
3. Grenzbebauung Deines Wohnzimmers ist nur durch Baulast auf Grundstück der Schwiegereltern möglich, wenn die Vereinigungsbaulast gelöscht werden soll. In dieser Baulast würde/dürfte dann wiederum die Garage stehen, die dann allerdings nur 3m hoch sein dürfte.
Ihr tauscht also die aktuelle Lage der Grenze mit Vereinigungsbaulast gegen die neue Lage der Grenze mit Abstandsflächenbaulast an der Garage, einer weiteren Abstandsfläche für Deinen Neubau auf dem Grundstück der Eltern (oder aber die Vereinigungsbaulast bleibt erhalten) und zahlt dafür erneut Vermessungskosten.
Die Frage, die Du Dir stellen musst, ist also, ob die Vermessungskosten den Mangel der aktuellen Grenzlage aufwiegen.
Ich persönlich wäre skeptisch, denn Ihr habt eine Baugenehmigung. Zugegeben ist Eure Grenzsituation "mitten durchs Wohnzimmer" nicht schön, aber die Grenze ist durch die Vereinigungsbaulast bauordnungsrechtlich auch nur von untergeordneter Bedeutung. Nach erneuter Vermessung ergibt sich meiner Ansicht nach auch keine baurechtliche Verbesserung, sondern nur eine gleich gute/schlechte andere Situation, die aber keinerlei Vorteil für Deinen Neubau bringt. Eventuell guckt die Bank zweimal hin, weil teilw. auf dem Grund der Schwiegereltern errichtet wird, aber auch das geht.
Oder anders: es gibt reihenweise Bauherren, die in ähnlichen Fällen keine Vereinigungsbaulast bekommen und daher den Weg über eine individuelle Vermessung mit Baulasten gehen müssen - ansonsten würden sie keine Baugenehmigung erhalten.
Bei Dir/Euch ist das mE also keine "Muss"-, sondern eine "Kann-"Situation.
Den aktuellen Mehr- oder Minderwert musst Du selbst beziffern.
Einzig bei einer Veräußerung des Elternhauses würde die aktuelle Situation für manchen Interessenten etwaig skurril erscheinen. Die andere Variante führt - so weit ich das von hier beurteilen kann - aber auch nicht ohne (Vereinigungs-)Baulast(en) zum Ziel, es sei denn, man reißt die Garage eines Tages komplett ab und legt die Grenze dann 3m von Deiner Westseite (!) zwischen die beiden Häuser - also nochmals um 3m verschoben zur jetzt geplanten Variante. Also wie man es dreht - ganz ohne blaues Auge, wie Du Dir das mit dem Hinweis auf eine Doppelhaushälfte vorstellst, wird es nicht gehen. Dein Fall liegt tatsächlich etwas anders.
Bei Fragen gerne anrufen, sollte Dir der Berufskollege aus Hennef aber auch alle beantworten können.
MfG
Dirk Grafe
G
grinchmaster02.05.16 21:59Hallo Dirk,
vielen Dank für die ausführliche Beantwortung meiner Frage!!!
Es gibt verschiedene Gründe, weshalb wir die Grenze verschieben wollen. Zum einen stehen wir bei der Finanzierung besser dar, und die Schwiegermutter muss bei dieser nicht mit in die Haftung. Zum anderen haben wir dann die Eigentumsverhältnisse Familienintern sauber geklärt.
Dein Berufskollege ist heute zu folgendem Ergebnis bei Bauamt gekommen: Er überträgt den Neubau in seinen Lageplan zur erneuten Vorlage. Es werden 2 Abstandsflächenbaulasten eingetragen. So, wie du es geschrieben hattest. Die Sache scheint also ein halbwegs gutes Ende zu nehmen.
Du schriebst oben, die Garage abreißen und die Grenze in der Mitte ziehen. Rein interessehalber: Wäre diese Lösung theoretisch auch möglich, wenn die Garage stehen bleiben würde? Oder müsste man dann auch eine Innenwand entlang der Grenze ziehen?
vielen Dank für die ausführliche Beantwortung meiner Frage!!!
Es gibt verschiedene Gründe, weshalb wir die Grenze verschieben wollen. Zum einen stehen wir bei der Finanzierung besser dar, und die Schwiegermutter muss bei dieser nicht mit in die Haftung. Zum anderen haben wir dann die Eigentumsverhältnisse Familienintern sauber geklärt.
Dein Berufskollege ist heute zu folgendem Ergebnis bei Bauamt gekommen: Er überträgt den Neubau in seinen Lageplan zur erneuten Vorlage. Es werden 2 Abstandsflächenbaulasten eingetragen. So, wie du es geschrieben hattest. Die Sache scheint also ein halbwegs gutes Ende zu nehmen.
Du schriebst oben, die Garage abreißen und die Grenze in der Mitte ziehen. Rein interessehalber: Wäre diese Lösung theoretisch auch möglich, wenn die Garage stehen bleiben würde? Oder müsste man dann auch eine Innenwand entlang der Grenze ziehen?
Grundsätzlich ja, dann müsste man in der Doppelgarage mittig eine Brandwand erstellen, sodass jede Einzelgarage für sich stehen würde. Dann hättet ihr tatsächlich die Standard-Situation wie bei "normaler" Bebauung von zwei freistehenden Häusern mit jeweiliger Grenzgarage.
Da die Garage(n) aber jeweils über 9m lang sind, müsstet ihr Euch dann gegenseitig trotzdem je eine Baulast eintragen/gewähren, also auch das würde mindestens 2 Baulasten auslösen.
Wobei mir gerade ein Gedanke kommt, der Euch helfen könnte ...
MfG
Dirk Grafe
Da die Garage(n) aber jeweils über 9m lang sind, müsstet ihr Euch dann gegenseitig trotzdem je eine Baulast eintragen/gewähren, also auch das würde mindestens 2 Baulasten auslösen.
Wobei mir gerade ein Gedanke kommt, der Euch helfen könnte ...
MfG
Dirk Grafe
Ähnliche Themen