Grundstück soll begradigt werden - wie teuer wird das?

4,60 Stern(e) 8 Votes
Zuletzt aktualisiert 07.12.2025
Sie befinden sich auf der Seite 5 der Diskussion zum Thema: Grundstück soll begradigt werden - wie teuer wird das?
>> Zum 1. Beitrag <<

hanghaus2000

hanghaus2000

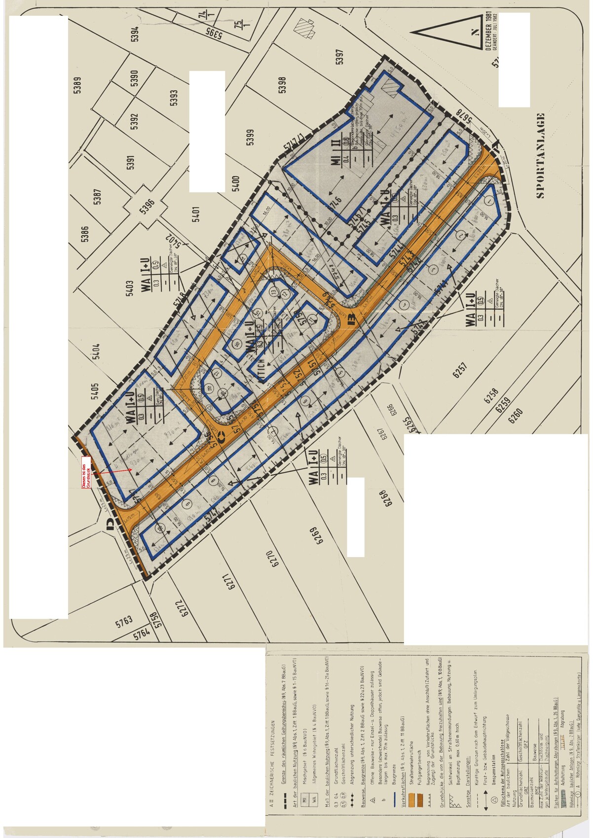
Ja. So wichtige Angaben wie FFH 60 cm ueber Urgelaende und Stuetzmauern max 60 cm Hoehe haette man ja als erstes liefern koennen.

Wer hat denn den Pfeil der Firstrichtung geaendert? Der war doch urspruenglich paralell zur Strasse. Klaer mal ab was gilt?

Mit Grundflächenzahl 0.3 wird es mit dem Bungalow eventuell recht knapp.
 
Zuletzt bearbeitet:
hanghaus2000

hanghaus2000

Das ist nicht schlecht, da das Grundstück eher wenig geneigt ist. Aber das sagt auch, das Dein Grundriss in die Tonne gehoert.
 
M

MR___MR

Darf man es nun begradigen ?
Oder Spricht da was dagegen und wenn wie kann man es am besten machen ?
 
Zuletzt aktualisiert 07.12.2025
Im Forum Grundrissplanung / Grundstücksplanung gibt es 2547 Themen mit insgesamt 88303 Beiträgen


Ähnliche Themen zu Grundstück soll begradigt werden - wie teuer wird das?
Nr.ErgebnisBeiträge
1Firstrichtung parallel zur Straße od. 90 Grad Winkel? 17

Oben