Hallo zusammen,
wir müssen folgendes in Erfahrung bringen. Unser Gala -Architekt möchte uns aufgrund der Bayerischen Bauordnung unschöne Zäune aufschwatzen, da diese wegen der Gefahr des Absturzes unbedingt notwendig sind.
Folgender Auszug aus der Bauordnung ist Gegenstand der Diskussion:
Art 36: Umwehrungen
In, an und auf baulichen Anlagen sind Flächen, die im allgemeinen zum Begehen bestimmt sind und unmittelbar an mehr als 50 cm tiefer liegende Flächen angrenzen, ausreichend hoch und fest zu umwehren, es sei denn, daß die Umwehrung dem Zweck der Flächen widerspricht.
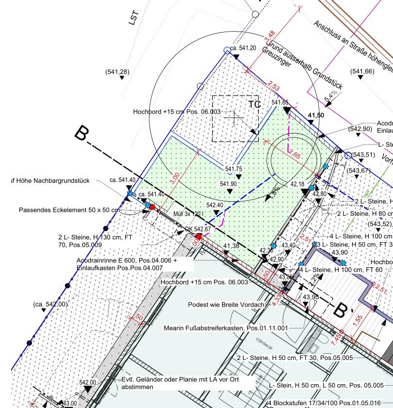
Es soll sowohl auf den L-Steinen neben dem Stellplatz als auch hinter dem Mülltonnenhäuschen eine Absturzsicherung angebracht werden.
Zweck dieser Fläche ist Pflanzfläche und nicht im Allgemeinen zur Begehung gedacht. Die Fläche wurde auch "schräg" gezeichnet. Wer sollte da auf die Idee kommen zu "Begehen"?
Das Geländer würde den Zweck der Fläche zur Bepflanzung somit widersprechen. Viel gefährlicher wäre es von oben zu pflegen statt bequem von unten.
Das gleiche gilt auch für den Zaun über dem Mülltonnenhaus. Pflanzfläche --> nicht zur Begehung gedacht da Gelände steil nach vorne ansteigt.
Der Zaun über dem Mülltonnenhaus trifft nicht unmittelbar auf 0,5m Abgrund --> Das Mülltonnenhaus hat 69cm Tiefe und steht vor dem Zaun.
Ich bin ratlos und der Gala Architekt beharrt auf juristische Fallstricke.
Wer hat da einen Tipp für uns? Gibt es dazu eine juristische



wir müssen folgendes in Erfahrung bringen. Unser Gala -Architekt möchte uns aufgrund der Bayerischen Bauordnung unschöne Zäune aufschwatzen, da diese wegen der Gefahr des Absturzes unbedingt notwendig sind.
Folgender Auszug aus der Bauordnung ist Gegenstand der Diskussion:
Art 36: Umwehrungen
In, an und auf baulichen Anlagen sind Flächen, die im allgemeinen zum Begehen bestimmt sind und unmittelbar an mehr als 50 cm tiefer liegende Flächen angrenzen, ausreichend hoch und fest zu umwehren, es sei denn, daß die Umwehrung dem Zweck der Flächen widerspricht.
Es soll sowohl auf den L-Steinen neben dem Stellplatz als auch hinter dem Mülltonnenhäuschen eine Absturzsicherung angebracht werden.
Zweck dieser Fläche ist Pflanzfläche und nicht im Allgemeinen zur Begehung gedacht. Die Fläche wurde auch "schräg" gezeichnet. Wer sollte da auf die Idee kommen zu "Begehen"?
Das Geländer würde den Zweck der Fläche zur Bepflanzung somit widersprechen. Viel gefährlicher wäre es von oben zu pflegen statt bequem von unten.
Das gleiche gilt auch für den Zaun über dem Mülltonnenhaus. Pflanzfläche --> nicht zur Begehung gedacht da Gelände steil nach vorne ansteigt.
Der Zaun über dem Mülltonnenhaus trifft nicht unmittelbar auf 0,5m Abgrund --> Das Mülltonnenhaus hat 69cm Tiefe und steht vor dem Zaun.
Ich bin ratlos und der Gala Architekt beharrt auf juristische Fallstricke.
Wer hat da einen Tipp für uns? Gibt es dazu eine juristische
Diese Diskussion hatten wir bereits. Er meint er kommt damit aus der Haftung nicht raus. Die spannende Frage lautet was mit "begehbar" und "die Umwehrung dem Zweck der Flächen widerspricht" genau gemeint ist. Die Fläche kann man nicht begehen da dort Büsche gepflanzt werden sollen. Der Zweck der Fläche ist damit klar.
Wir werden um die Terrasse L-Steine auf 1,2m Höhe setzen. Absturzsicherung interessiert hier niemanden. Auch nicht den, der es setzt. Die Problematik ist mir aus versicherungstechnischer Sicht bewusst. An den Rand kommen in einigen Abstand Hochbett und unten an die L-Steine dann Büsche und gut is‘.
Ähnliche Themen