Hausbau - Ratgeber
Bauherrenhilfe
- Bauherrenhilfe vor Vertragsabschluss
-- Warum einen unabhängigen Baubetreuer?
-- Vertragsgrundlagen
-- Bausumme
-- Zahlungsplan zur Kostenkontrolle
-- Pflichten des Bauherren vor Vertragsabschluss
-- Unterlagen beim Hausbau vor Vertragsabschluss
- Bauherrenhilfe nach Vertragsabschluss
-- Bauantrag bei Behörden
-- Bau-Genehmigungsverfahren bei Baubehörden
-- Bauspezifische Versicherungen
-- Bauzeitenplan
-- Baubeginn - die Letzten Pflichten der Bauherrschaft
- Bauherrenhilfe während der Bauzeit
- Gewährleistungsansprüche
- Bauabnahme
Baufinanzierung
- Baufinanzierung - Allgemeine Fragen
- Kreditarten
- Kredit-Konditionen
- Bausparen
- Staatliche Förderungen
- Verkehrswert
- Haushaltsrechnung und Bonität
Hausbau Planung
- Haustypen
- Hausbau Vorbereitungsarbeiten
- Das Baugrundstück
- Baugrund beim Hausbau
- Baurecht
- Gebäudeschutz
- Erdarbeiten und Wasserhaltung
- Stützmauern
- Einfriedung
- Untergeschoss
- Kanalisation
- Tragende Elemente
- Nichttragende Innenwände
- Fundation / Fundament
- Deckenkonstruktionen
- Dächer
- Kaminanlagen
- Treppen Rampen Leitern
- Dachbeläge und Spengler
- Fenster
- Sonnen und Wetterschutz
- Aussenputze
- Einbauten, Küchen, Türen
- Bodenbeläge und Unterlagsböden
- Parkett
- Gips, Wand, Decke
Haustechnik und Energie
- Heiztechnik
- Lüftung und Klimatechnik
- Sanitärtechnik
- Elektrotechnik
- Erneuerbare Energie
Whirlpools / Jacuzzi
Hausbau Magazin
- Baufinanzierung trotz Krise?
- Das Blockhaus
- Moderne Dämmstoffe im Vergleich
- Erker Vor- und Nachteile
- Glasflächen beim Hausbau
- Günstig ein Haus Bauen
- Mediterraner Hausbaustil
- Mehrgenerationenhaus
- Moderne Architektur
- Gartengestaltung leicht gemacht
- Traditioneller Ziegelbau
- Villa als höchster Traum
- Im Eigenheim Ruhestand geniessen
- Altbau sanieren
- Kauf einer Holzgarage
- Immobilienmakler
- Arbeitshandschuhe für den Winter
- Zuhause verschönern
- Outdoor-Plissees
- Schlafzimmer planen
- Terrassenüberdachung
- Wohngebäudeversicherung
- Zaunarten und Eigenschaften
- Hauseingang gestalten
- Der perfekte Grundriss
- Sparsamer heizen im Altbau
- Einfamilienhaus smart finanzieren
- Planung einer PV-Anlage
- Neues Haus
- Immobilienfinanzierung
- Installation einer Photovoltaikanlage
- Asbest erkennen und entfernen
- Gartenpflege im Frühling – worauf achten
- Sauna im Fokus - Wellness zuhause
- Erfolgreich vermieten
- Die perfekte Winterbekleidung
- Das Niedrigenergiehaus
- Der April und seine Stürme
- Architektonische Vielfalt
- Ökologisch und nachhaltig bauen
- Das perfekte Schlafzimmer
- Nachhaltige Energieversorgung
- Zukunftsorientiert bauen
- Nachhaltigkeit beim Hausbau
- Tiny Houses
- Wärmepumpen als nachhaltige Heizvariante
- Maßgeschneiderten Kleiderschrank
- Der richtige Baukredit
- Ratgeber für erfolgreichen Hausbau
- Haus als Altersvorsorge
Do-it-yourself Anleitungen
- Verlegeanleitung für Bodenbeläge und Parkett
- Bodenbeläge und Parkett reinigen und pflegen
- Malerarbeiten am Haus
- Garten Tipps
- Umzug und Reinigung

ᐅ Stellplatz Baugrenze Niedersachsen

Erstellt am: 19.11.19 13:22
A
Andshey
A
Andshey
19.11.19 13:22

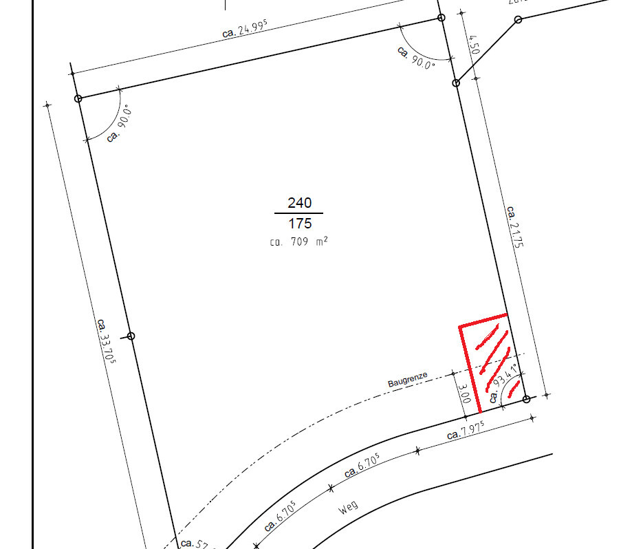
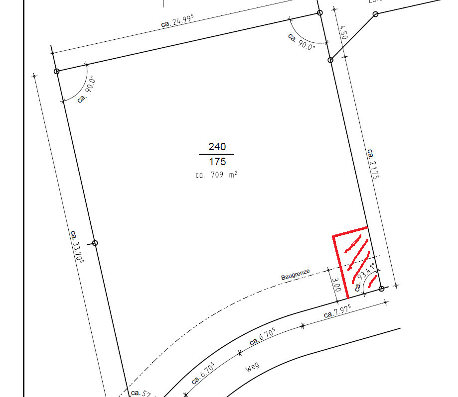
Grundstücksgrundriss mit Baugrenze, Wegverlauf und Kurvenlinien


Hallo,
ist es erlaubt in den Rot gekennzeichneten Bereich einen Stellplatz zu errichten. Es soll kein Carport gebaut werden, sondern lediglich als Stellplatz für ein Auto ausgepflastert werden. Bedenken bestehen wegen der eingezeichneten Baugrenze.
M
Mottenhausen
19.11.19 13:47
Klarer Fall für
@Escroda

- Meine laienhafte Herangehensweise wäre: Gibt es einen Bebauungsplan, der regelt ob Nebenanlagen außerhalb der Baugrenzen zulässig sind oder nicht?
- Gepflasterte Einfahrten müssen ja auch irgendwie den nicht bebaubaren Bereich überqueren und sind faktisch nichts anderes. Überwachung der Nutzung einer Einfahrt (z.B. zum Parken) ist nicht Aufgabe des Bauamtes.
- Gibt es eine Regelung bei euch, wie viele Einfahrten/wie breit /wo /... zulässig sind? Wenn das alles unproblematisch ist, einfach als zusätzliche Gartenzufahrt deklarieren und fertig.
O
Otus11
19.11.19 14:47
Andshey schrieb:

Bedenken bestehen wegen der eingezeichneten Baugrenze.

Kein Anlass für Bedenken, StP ist kein Gebäude.
Vgl § 23 III 1 Baunutzungsverordnung.

(3) 1 Ist eine Baugrenze festgesetzt, so dürfen Gebäude und Gebäudeteile diese nicht überschreiten.


Ein Gebäude ist (in Nds.) in § 2 II Niedersächsische Bauordnung (Niedersächsische Bauordnung) definiert als:

(2) Gebäude sind selbstständig benutzbare, überdeckte bauliche Anlagen, die von Menschen betreten werden können und geeignet oder bestimmt sind, dem Schutz von Menschen, Tieren oder Sachen zu dienen.
E
Escroda
28.11.19 08:07
Mottenhausen schrieb:

Klarer Fall für
@Escroda
Angehörigen der Berufsgruppe "Pennisbomber" aus der "Walahai" möchte ich nicht antworten, zumal er es nicht einmal nötig hat, deine Fragen zu beantworten, wodurch stille Mitleser falsche Schlüsse aus dem Beitrag von @Otus11 ziehen könnten.
Ein Stellplatz ist zwar kein Gebäude, aber eine bauliche Anlage, die der Bebauungsplan nach §23 Absatz 5 Baunutzungsverordnung außerhalb der überbaubaren Fläche ausschließen kann.
niedersächsische bauordnunggebäudestellplatzbaugrenzeeinfahrtenbaunutzungsverordnung