ᐅ Bau von 2 Stützmauern, Bebauungsplan BW
Erstellt am: 05.11.2021 10:24
BW MR BW MR 05.11.2021 10:24
HAllo,
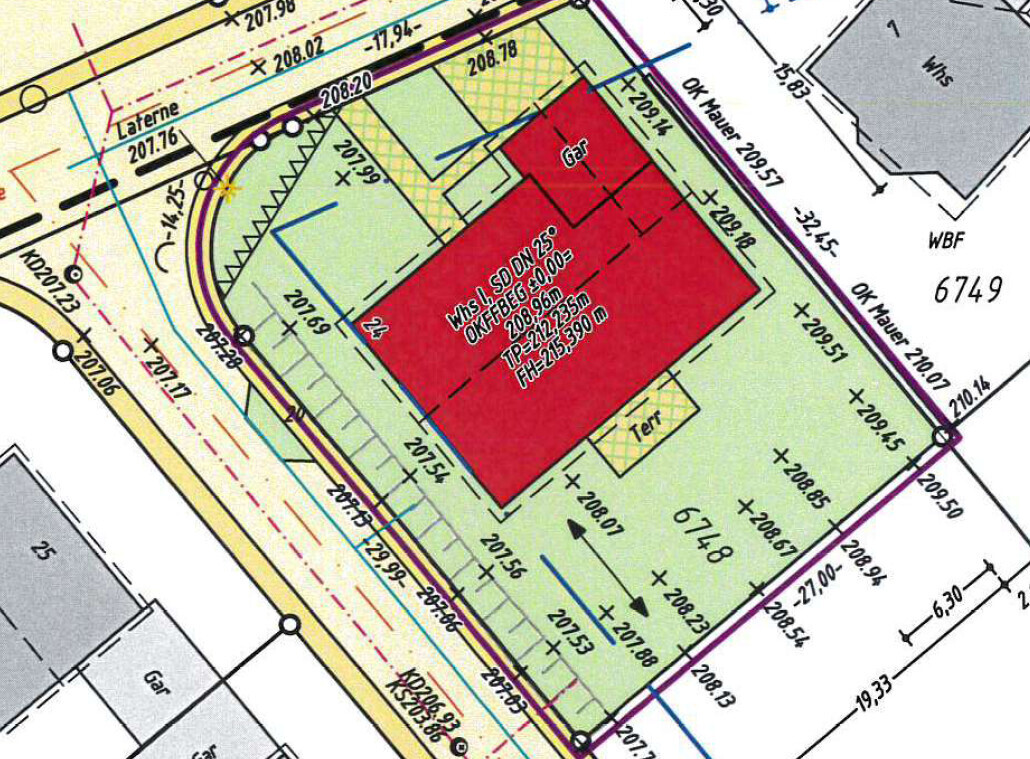
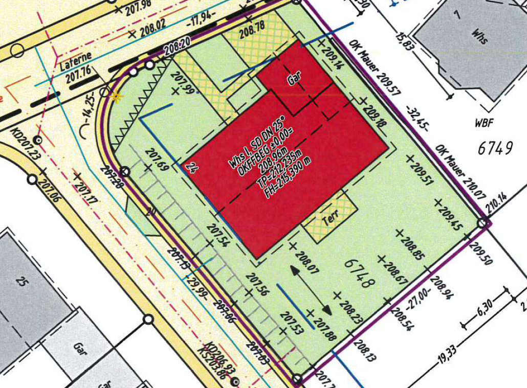
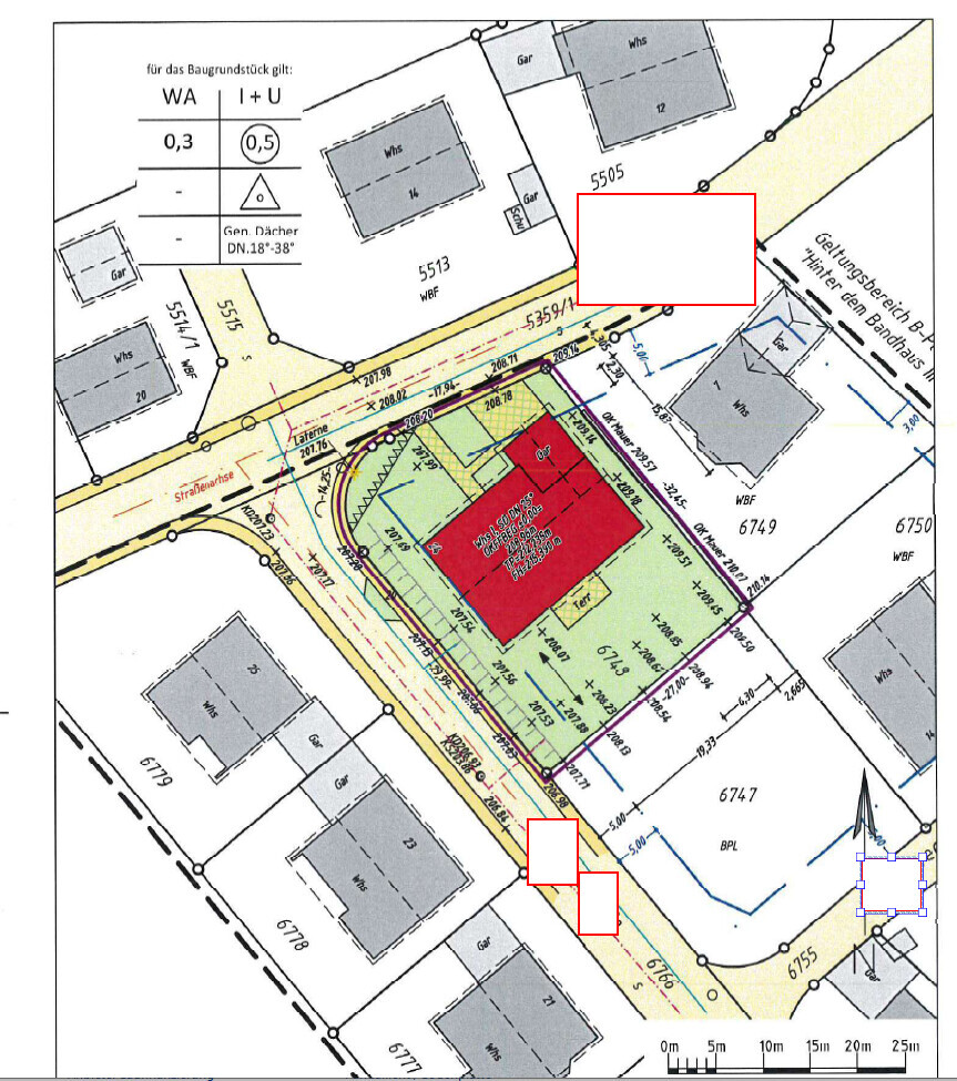
im bebauungsplan steht folgendes siehe Anhang Ort ist BW:
Nun Zu meiner Frage.
Ich muss eien Stützwand mit 1.35m höhe erstellen und Böschung mit nochmal 50cm oben drauf.
Als ersteswollte ich sie direkt an die Grenze zum Gehweg setzten.
Das darf ich aber nicht wenn ich das richtig verstehe.
Darf ich das wenn ich die Mauer weiter in mein Grundstück setzte? (Frage 1)
Und ich will die auch eine Stützmauer 1,35m wieder mit der Böschung 50cm hoch auch auf die Grenze zum Nachbarns etzten.
Darf ich das? (Frage 2)
Gruß

im bebauungsplan steht folgendes siehe Anhang Ort ist BW:
Nun Zu meiner Frage.
Ich muss eien Stützwand mit 1.35m höhe erstellen und Böschung mit nochmal 50cm oben drauf.
Als ersteswollte ich sie direkt an die Grenze zum Gehweg setzten.
Das darf ich aber nicht wenn ich das richtig verstehe.
Darf ich das wenn ich die Mauer weiter in mein Grundstück setzte? (Frage 1)
Und ich will die auch eine Stützmauer 1,35m wieder mit der Böschung 50cm hoch auch auf die Grenze zum Nachbarns etzten.
Darf ich das? (Frage 2)
Gruß
11ant 05.11.2021 11:58
BW MR BW MR schrieb:
Ich muss eien Stützwand mit 1.35m höhe erstellen und Böschung mit nochmal 50cm oben drauf.Weshalb "mußt" Du diese Stützmauer errichten ? hampshire 05.11.2021 12:06
Beim Nachbarn ist das eine Frage der Absprache, vielleicht ist dem das ja sogar recht.
Zur Straße kann man auch mit Stufen arbeiten.
Zur Straße kann man auch mit Stufen arbeiten.
BW MR BW MR 05.11.2021 12:13
Ich brauch die Mauer zum einebnen des Grundstückes.
Hab Hanglage ungefähr 1,5m.
In Baden Württenberg darf ich doch ohne Gehnemigung 2m aufschütten wenn ich es abfange oder ?
Hab Hanglage ungefähr 1,5m.
In Baden Württenberg darf ich doch ohne Gehnemigung 2m aufschütten wenn ich es abfange oder ?
11ant 05.11.2021 12:21
BW MR BW MR schrieb:
Ich brauch die Mauer zum einebnen des Grundstückes.
Hab Hanglage ungefähr 1,5m.Schon wieder dieses "Brauchen" was mir höchst hinterfragenswert scheint. Willst Du Reisbauer werden ? BW MR BW MR 05.11.2021 12:27
11ant schrieb:
Schon wieder dieses "Brauchen" was mir höchst hinterfragenswert scheint. Willst Du Reisbauer werden ?nein aber will ein Grundstück das eben ist.
Und ob ich da Reis pflanze oder mir ne Eisenbahn baue auf der ich um mein Haus fahren kann ist doch egal
Ähnliche Themen