R
Resl123
Liebe Forumsmitglieder,
ich habe schon die Suchfunktion bemüht, aber leider nur Ähnliche aber nicht gleiche Sachverhalte gefunden. Sollte es doch einen passenden geben, freue ich mich über eine Verweis auf diesen.
Es geht um folgenden Sachverhalt:
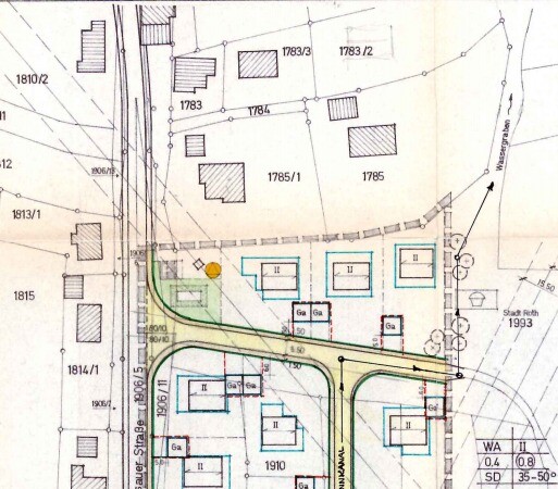
Meine Schwiegereltern bewohnen ein Einfamilienhaus auf einem 3200qm großen Grundstück. Alleine von der vorhandenen Fläche her, wäre also eine Bebauung mit einem weiteren Haus dort möglich. Allerdings befindet sich der Teil des Grundstücks, der sich als Standort für ein weiteres Haus anbietet, im Außenbereich.
Es handelt sich um das Flurstück Nummer 1785.
ich hänge drei Bilder an. Auf dem einen sind die Flurstücke zu sehen. Auf dem anderen das Ausmaß des Innenbereichs. Es ist sozusagen genau der Teil des Grundstücks der Schwiegermutter ausgespart vom innenbereich sowie das andere angrenzende Grundstück. Zusätzlich noch ein Luftbild, um sich einen besseren Überblick verschaffen zu können.
Das Grundstück befindet sich in Bayern. Ein privilegiertes Vorhaben gem. 35 Baugesetzbuch ist nicht geplant.
Da ich vorbereitet in das Gespräch mit dem zuständigen Landratsamt gehen möchte, um über eine mögliche Bebauung zu sprechen, wollte ich nun hier fragen, ob ihr Möglichkeiten seht, wie das Hinterland in Bauland umgewandelt werden könnte.
Oder wäre es schlauer, das Haus in den Garten des bereits vorhandenen Hauses zu setzen, weil dieser Bereich zum innenbereich zählt?
Mir ist klar, dass es sich hier um ein äußerst langwieriges Unterfangen handeln kann. Aber probieren geht ja über studieren
Ich danke euch jetzt schon für eure Rückmeldungen! Falls noch irgendwelche Daten benötigt werden oder die Bildausschnitte zu klein gewählt sind, sagt Bescheid. Ich werde mich bemühen, entsprechend zu liefern.
ich habe schon die Suchfunktion bemüht, aber leider nur Ähnliche aber nicht gleiche Sachverhalte gefunden. Sollte es doch einen passenden geben, freue ich mich über eine Verweis auf diesen.
Es geht um folgenden Sachverhalt:
Meine Schwiegereltern bewohnen ein Einfamilienhaus auf einem 3200qm großen Grundstück. Alleine von der vorhandenen Fläche her, wäre also eine Bebauung mit einem weiteren Haus dort möglich. Allerdings befindet sich der Teil des Grundstücks, der sich als Standort für ein weiteres Haus anbietet, im Außenbereich.
Es handelt sich um das Flurstück Nummer 1785.
ich hänge drei Bilder an. Auf dem einen sind die Flurstücke zu sehen. Auf dem anderen das Ausmaß des Innenbereichs. Es ist sozusagen genau der Teil des Grundstücks der Schwiegermutter ausgespart vom innenbereich sowie das andere angrenzende Grundstück. Zusätzlich noch ein Luftbild, um sich einen besseren Überblick verschaffen zu können.
Das Grundstück befindet sich in Bayern. Ein privilegiertes Vorhaben gem. 35 Baugesetzbuch ist nicht geplant.
Da ich vorbereitet in das Gespräch mit dem zuständigen Landratsamt gehen möchte, um über eine mögliche Bebauung zu sprechen, wollte ich nun hier fragen, ob ihr Möglichkeiten seht, wie das Hinterland in Bauland umgewandelt werden könnte.
Oder wäre es schlauer, das Haus in den Garten des bereits vorhandenen Hauses zu setzen, weil dieser Bereich zum innenbereich zählt?
Mir ist klar, dass es sich hier um ein äußerst langwieriges Unterfangen handeln kann. Aber probieren geht ja über studieren
Ich danke euch jetzt schon für eure Rückmeldungen! Falls noch irgendwelche Daten benötigt werden oder die Bildausschnitte zu klein gewählt sind, sagt Bescheid. Ich werde mich bemühen, entsprechend zu liefern.