S
STIFFvsSTURMI01.09.21 16:49Hallo zusammen, ich bin neu hier und habe direkt eine Frage zu unserem potenziellen Baugrundstück.
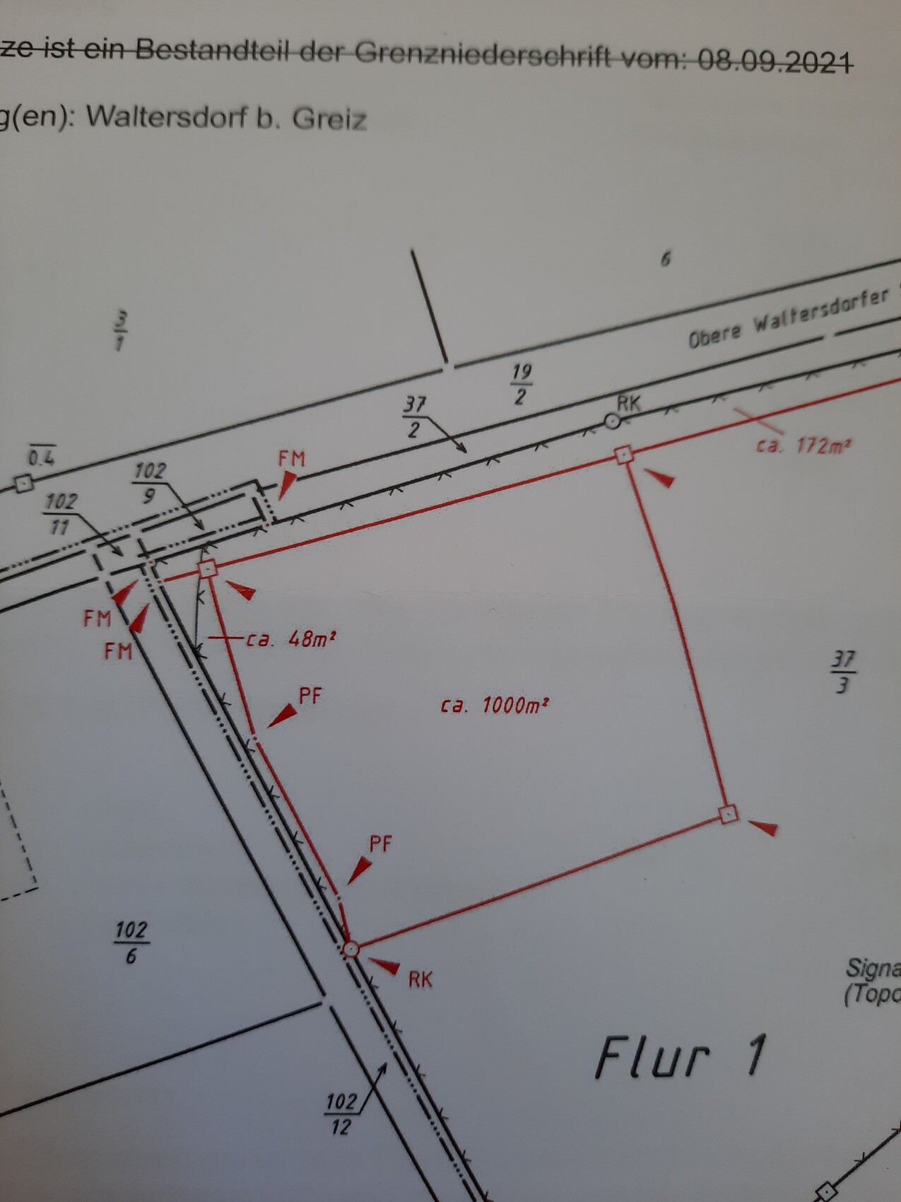
Undzwar wurde eine Teilungsvermessung durchgeführt und kommende Woche findet der Grenztermin statt.
Die jetzige "Zufahrt" auf diesen Teil des Grundstückes wird von den Eigentümern fast nie genutzt, es ist aber ein Tor vorhanden, aber nix gepflastert o.ä. - einfach nur Wiese (An linker oberer Ecke, über den weiß/gelben Weg [privat, von Haus unten links])
Einen Teil des Grundstückes (Fläche 172qm) kauft die Stadt, da darunter die Wasserleitung verlegt ist und es laut Plan Verkehrsfläche ist.
Der Teil links (ca 48qm) wird dem Eigentümer des weiß/gelben Weges dazu gegeben.
Jetzt zu meiner eigentlichen Frage:
Wenn wir vom Eigentümer des Weges ein Wegerecht bekommen, um auf das Grundstück zu gelangen, ist es möglich, durch eine "Ausnahmegenehmigung" einen Teil der extensiven Grünflächen, als Einfahrt z.B. zu pflastern. (Lila markiert im Plan)
Von der Straße eine Zufahrt wäre sicher auch möglich, aber der 172qm Teil ist eine Art Böschung (ca auf 2,5m Breite ein Anstieg von 1,5m)
Vermessungsvorschlag:

Bebauungsplan:

Lageplan:

Luftbild:

Ich hoffe meine Frage ist halbwegs verständlich.
Über Tipps und Hinweise zu einer "Ausnahmegenehmigung" würde ich mich freuen.
Undzwar wurde eine Teilungsvermessung durchgeführt und kommende Woche findet der Grenztermin statt.
Die jetzige "Zufahrt" auf diesen Teil des Grundstückes wird von den Eigentümern fast nie genutzt, es ist aber ein Tor vorhanden, aber nix gepflastert o.ä. - einfach nur Wiese (An linker oberer Ecke, über den weiß/gelben Weg [privat, von Haus unten links])
Einen Teil des Grundstückes (Fläche 172qm) kauft die Stadt, da darunter die Wasserleitung verlegt ist und es laut Plan Verkehrsfläche ist.
Der Teil links (ca 48qm) wird dem Eigentümer des weiß/gelben Weges dazu gegeben.
Jetzt zu meiner eigentlichen Frage:
Wenn wir vom Eigentümer des Weges ein Wegerecht bekommen, um auf das Grundstück zu gelangen, ist es möglich, durch eine "Ausnahmegenehmigung" einen Teil der extensiven Grünflächen, als Einfahrt z.B. zu pflastern. (Lila markiert im Plan)
Von der Straße eine Zufahrt wäre sicher auch möglich, aber der 172qm Teil ist eine Art Böschung (ca auf 2,5m Breite ein Anstieg von 1,5m)
Vermessungsvorschlag:
Bebauungsplan:
Lageplan:
Luftbild:
Ich hoffe meine Frage ist halbwegs verständlich.
Über Tipps und Hinweise zu einer "Ausnahmegenehmigung" würde ich mich freuen.
Anzeige
Hallo STIFFvsSTURMI,
schau mal hier: Grundstückszufahrt über extensive Grünfläche. Da wird jeder fündig!
schau mal hier: Grundstückszufahrt über extensive Grünfläche. Da wird jeder fündig!
S
STIFFvsSTURMI01.09.21 19:31Ähnliche Themen