ᐅ Grundstück 4500 m² (Gärtnerei) - Erstellung Bebauungsplan in Eigenregie
Erstellt am: 22.01.22 20:48
Guten Abend,
ich lese seit einiger Zeit bei euch im Forum und möchte euch heute mal unser Projekt vorstellen.
Die Grundstückssuche:
Wir wohnen in Leipzig/Speckgürtel und waren seit Anfang 2019 auf der Suche nach einem bezahlbaren und großen Grundstück (ab 1.000 m²). Leider sind auch in unserer Umgebung (Leipzig) die Preise so angestiegen, dass man am Stadtrand ab 300 €/m² zahlt und auch im Umkreis mindestens 150 €/m². Dazu kommt noch die Einschränkung, dass wir ungern ein Grundstück in einem Neubaugebiet wollten. Deshalb blieb unsere Suche bis 2020 erfolglos.
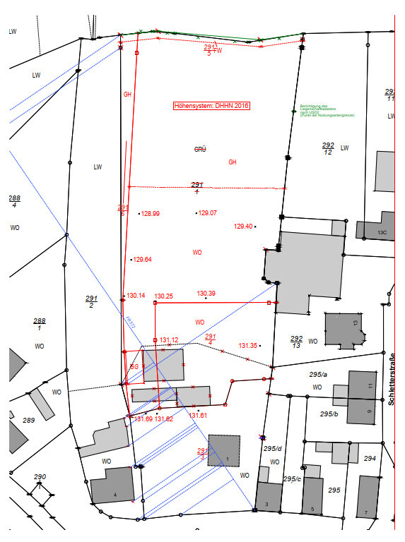
Über Bekannte haben wir dann Anfang 2020 erfahren, dass das Grundstück einer alten Gärtnerei im Landkreis verkauft werden soll. Einen Lageplan hänge ich an. Es hat gesamt ca. 6.000 m² und im vorderen Bereich des Grundstückes steht das Haus der Eigentümerin, welches sie weiterhin selbst nutzen wollte. Deshalb sollen ca. 4.500 m² mit der Gärtnereiruine, einem großen Schornstein und einer alten Tannenbaumplantage aus der ein richtiger Wald geworden ist verkauft werden.
Das bedeutet auch einen Zugang über ein Wegerecht und die Erschließung über Leitungsrechte. Auf dem alten Schornstein der Gärtnerei nisten Störche.
Die Bebaubarkeit:
Um die Bebaubarkeit abzuklären haben wir nach der ersten Besichtigung einen Termin beim Bauamt der Stadt gemacht.
Die erste Aussage war ernüchternd, keine Möglichkeit für eine Baugenehmigung da Bauen in zweiter Reihe und Außenbereich. Nach kurzem überlegen meinte der Beamte jedoch, dass eine Möglichkeit über die Aufstellung eines Bebauungsplanes besteht.
Mein Mann und ich haben uns natürlich gefreut, auch wenn es eine große Herausforderung ist. Das Grundstück und die Lage sind toll und der Preis mit 105.000€ nach Verhandlung hat auch gestimmt. Ich bin Immobilienbetriebswirtin mit einem zusätzlichen Studium im Bereich HLS und mein Mann ist Projektleiter im Bereich ELT und Automatisierung, so dass wir uns diesen Weg zugetraut haben.
Aufstellung Bebauungsplan:
Daraufhin wurden erste Gespräche mit einem Stadtplaner geführt und ein Kaufvertrag (August 2020) mit aufschiebender Bedingung geschlossen (1,5 Jahre Zeit für die Erstellung des B-Planes, danach Rücktrittsrecht für die Verkäuferin).
Eine Bedingung für die Aufstellung des B-Plans war die Erstellung von 2 Grundstücken, so dass die Stadt die Aufstellung verantworten kann.
Nach der ersten Voranfrage bei allen Beteiligten Ämtern wurde schnell klar, dass ein Naturschutzgutachten erforderlich ist. Dieses kostet zusätzlich viel Zeit und Geld, so dass der Bebauungsplan erst im Oktober 2021 im Stadtrat eingebracht werden konnte. Danach durften alle Beteiligten Ämter und Behörden mögliche Einwände und Anforderungen mitteilen, die durch den Stadtplaner bewertet wurden. Zum Glück gab es wenig Forderungen, so dass der Bebauungsplan jetzt im Februar 2022 endlich aufgestellt wird.
So haben wir unser Grundstück mit ca.1500 m², einen Wald mit ca. 1.000 m², einen Schornstein mit Störchen und ein zweites Grundstück zum Verkaufen mit einer Größe von 900 m².
Folgende Kosten sind dabei angefallen:
- ca. 8.000€ für die Vermessung
- ca. 13.000€ für den Stadtplaner
- ca. 6.500€ Naturschutzgutarchten
- ca. 9.000€ für Notar, Grunderwerbsteuer, Anwalt etc.
- ca. 1.200e für das Baugrundgutachten
- Abriss ca. 20.000€ (läuft derzeit)
- Erschließung noch offen
Ich wollte hier auch mal einen kleinen Erfahrungsbericht abgeben der zeigt, dass die Umwandlung in Bauland auch durch Laien in einem absehbaren Zeitraum möglich ist, wenn die Gemeinde gesprächsbereit ist.
Wenn ihr Fragen habt beantworte ich die natürlich gern.
Ich werde in den nächsten Wochen sicher in den Bereichen Grundriss und Finanzierung einige Fragen haben und hoffe auf eure Unterstützung.




ich lese seit einiger Zeit bei euch im Forum und möchte euch heute mal unser Projekt vorstellen.
Die Grundstückssuche:
Wir wohnen in Leipzig/Speckgürtel und waren seit Anfang 2019 auf der Suche nach einem bezahlbaren und großen Grundstück (ab 1.000 m²). Leider sind auch in unserer Umgebung (Leipzig) die Preise so angestiegen, dass man am Stadtrand ab 300 €/m² zahlt und auch im Umkreis mindestens 150 €/m². Dazu kommt noch die Einschränkung, dass wir ungern ein Grundstück in einem Neubaugebiet wollten. Deshalb blieb unsere Suche bis 2020 erfolglos.
Über Bekannte haben wir dann Anfang 2020 erfahren, dass das Grundstück einer alten Gärtnerei im Landkreis verkauft werden soll. Einen Lageplan hänge ich an. Es hat gesamt ca. 6.000 m² und im vorderen Bereich des Grundstückes steht das Haus der Eigentümerin, welches sie weiterhin selbst nutzen wollte. Deshalb sollen ca. 4.500 m² mit der Gärtnereiruine, einem großen Schornstein und einer alten Tannenbaumplantage aus der ein richtiger Wald geworden ist verkauft werden.
Das bedeutet auch einen Zugang über ein Wegerecht und die Erschließung über Leitungsrechte. Auf dem alten Schornstein der Gärtnerei nisten Störche.
Die Bebaubarkeit:
Um die Bebaubarkeit abzuklären haben wir nach der ersten Besichtigung einen Termin beim Bauamt der Stadt gemacht.
Die erste Aussage war ernüchternd, keine Möglichkeit für eine Baugenehmigung da Bauen in zweiter Reihe und Außenbereich. Nach kurzem überlegen meinte der Beamte jedoch, dass eine Möglichkeit über die Aufstellung eines Bebauungsplanes besteht.
Mein Mann und ich haben uns natürlich gefreut, auch wenn es eine große Herausforderung ist. Das Grundstück und die Lage sind toll und der Preis mit 105.000€ nach Verhandlung hat auch gestimmt. Ich bin Immobilienbetriebswirtin mit einem zusätzlichen Studium im Bereich HLS und mein Mann ist Projektleiter im Bereich ELT und Automatisierung, so dass wir uns diesen Weg zugetraut haben.
Aufstellung Bebauungsplan:
Daraufhin wurden erste Gespräche mit einem Stadtplaner geführt und ein Kaufvertrag (August 2020) mit aufschiebender Bedingung geschlossen (1,5 Jahre Zeit für die Erstellung des B-Planes, danach Rücktrittsrecht für die Verkäuferin).
Eine Bedingung für die Aufstellung des B-Plans war die Erstellung von 2 Grundstücken, so dass die Stadt die Aufstellung verantworten kann.
Nach der ersten Voranfrage bei allen Beteiligten Ämtern wurde schnell klar, dass ein Naturschutzgutachten erforderlich ist. Dieses kostet zusätzlich viel Zeit und Geld, so dass der Bebauungsplan erst im Oktober 2021 im Stadtrat eingebracht werden konnte. Danach durften alle Beteiligten Ämter und Behörden mögliche Einwände und Anforderungen mitteilen, die durch den Stadtplaner bewertet wurden. Zum Glück gab es wenig Forderungen, so dass der Bebauungsplan jetzt im Februar 2022 endlich aufgestellt wird.
So haben wir unser Grundstück mit ca.1500 m², einen Wald mit ca. 1.000 m², einen Schornstein mit Störchen und ein zweites Grundstück zum Verkaufen mit einer Größe von 900 m².
Folgende Kosten sind dabei angefallen:
- ca. 8.000€ für die Vermessung
- ca. 13.000€ für den Stadtplaner
- ca. 6.500€ Naturschutzgutarchten
- ca. 9.000€ für Notar, Grunderwerbsteuer, Anwalt etc.
- ca. 1.200e für das Baugrundgutachten
- Abriss ca. 20.000€ (läuft derzeit)
- Erschließung noch offen
Ich wollte hier auch mal einen kleinen Erfahrungsbericht abgeben der zeigt, dass die Umwandlung in Bauland auch durch Laien in einem absehbaren Zeitraum möglich ist, wenn die Gemeinde gesprächsbereit ist.
Wenn ihr Fragen habt beantworte ich die natürlich gern.
Ich werde in den nächsten Wochen sicher in den Bereichen Grundriss und Finanzierung einige Fragen haben und hoffe auf eure Unterstützung.
W
Winniefred22.01.22 21:03Viel Erfolg! Groitzsch liegt ja schon näher an Zeitz als an Leipzig. Aber ich denke ihr habt hier trotzdem was Gutes an Land gezogen, auch wenn es viel Arbeit und Warterei beinhaltet hat. Und für was Bezahlbares muss man halt weiter raus und auch ungewöhnliche Wege gehen.
B
Benutzer20022.01.22 21:30lidi393 schrieb:
dass die Umwandlung in Bauland auch durch Laien in einem absehbaren Zeitraum möglich ist, wenn die Gemeinde gesprächsbereit ist.lidi393 schrieb:
Nach kurzem überlegen meinte der Beamte jedoch, dass eine Möglichkeit über die Aufstellung eines Bebauungsplanes besteht.lidi393 schrieb:
Ich bin ImmobilienbetriebswirtinDa kommt eine Kombination aus NICHT-Laien (als Immobilienbetriebswirt bist Du nicht Laie) und einem kooperativen Amt zusammen. Damit gehörst Du zu den 0,1% derer, die sich daran trauen können.Glückwunsch zum Ergebnis und der Zeitschiene. In größeren Städten und Gemeinden allerdings selbst für echte Profis nicht unter drei Jahren machbar.
lidi393 schrieb:
So haben wir unser Grundstück mit ca.1500 m², einen Wald mit ca. 1.000 m², einen Schornstein mit Störchen und ein zweites Grundstück zum Verkaufen mit einer Größe von 900 m².Interessant finde ich, daß in Wirklichkeit zwar 291/2 ebenso Wald ist, im Kataster aber nur 291/5.https://www.instagram.com/11antgmxde/
https://www.linkedin.com/company/bauen-jetzt/
Ähnliche Themen