ᐅ Grundriss für ein Einfamilienhaus
Erstellt am: 16.01.17 17:22
Nachdem ich schon den einen oder anderen mit meinen klugen Ratschlägen genervt habe, hier nun die ultimative Chance, sich zu rächen!
Unsere Geschichte ist von Anfang an schon etwas verzwickt. Auf dem Grundstück meiner Eltern ist noch Platz für ein kleineres Einfamilienhaus. Die Chance wollten wir nutzen.
Also bin ich letztes Jahr im April mal zur Gemeindeverwaltung gefahren und hab gefragt, auf was ich achten müßte, ob es überhaupt möglich ist etc.
Antwort war: kein Problem, paßt super in unser aktuelles Konzept der Nachverdichtung in der Gemeinde. Achten müssen sie auf die vorgeschriebenen Abstandsflächen und §34, Einfügungsgebot.
Das klang ermutigend!
Für uns stand von Anfang an fest, daß wir ein Holzhaus bauen wollen (massiv oder Holzständer, das werden wir dann noch final entscheiden) und so haben wir uns erst einmal umgesehen, mit wem wir bauen wollen. Nach einigen Terminen bei diversen Anbietern haben wir uns dann für einen Holzhausbauer aus dem Allgäu entschieden. Hat menschlich gepaßt und eine Bekannte von mir hat mit dem bereits gebaut und war sehr zufrieden. Der hat uns dann seinen Haus- und Hofarchitekten empfohlen, weil er mit dem einfach gut kann. Und wir dachten "never change a winning Team", nett war er auch, also ging die Planung los.
Leider war das unsere erste Fehlentscheidung, denn wer nach §34 baut und nicht unbedingt akkurat ein Haus im Stil der 70er bauen will (wie die Umgebungsbebauung) ist gut beraten sich hier nicht einen x-beliegiben Architekten zu nehmen, sondern einen, der bereit ist, sich mit dem Bauamt auseinander zu setzen.
Das als guten Rat an alle, die auch nach §34 bauen!
Nach zwei abgelehnten Bauvoranträgen (bei dem beim ersten schon mal die Abstandsflächen nicht gestimmt haben, was ein Architekt eigentlich wissen sollte...) haben wir die Zusammenarbeit mit dem Architekten beendet. Ergebnis dieser halbjährigen Aktion: wir können dort bauen, allerdings wollen wir so, wie uns das jetzt vorgeschlagen wird, nicht bauen (zu niedriger Kniestock, zu steiles Satteldach).
Für uns war das Bauvorhaben erst mal ad acta gelegt. Für so ein Haus, das uns so gar nicht gefällt, wollten wir kein Geld ausgeben.
Dann haben wir einen anderen Architekten auf einem Richtfest kennen gelernt, der bekannt dafür ist, beim Bauamt das Maximum heraus zu schlagen und der nur den Kopf geschüttelt hat, als wir unsere Story erzählt haben (hier ist das ja nur die Ultrakurzform!).
Kurz und gut: wir wagen es jetzt noch einmal mit diesem Architekten.
Das Raumkonzept hatte ich zusammen mit meinem Freund schon ziemlich genau entwickelt; aber der neue Architekt wollte das gar nicht sehen. Er fragte uns nach unseren musst haves, was muß, was wäre schön, was könnte sein und hat sich das Grundstück mal angesehen.
Ein paar Wochen später hat er uns sein Raumkonzept vorgestellt und -oh Wunder!- es war dem unseren sehr ähnlich! Ein sehr guter Ansatz von ihm war, die Zufahrt meiner Mutter mit zu nutzen, so hat man weniger Verkehrswege auf dem Grund. Darauf sind wir nicht gekommen, aber das ist natürlich super!
Im Prinzip hat er unseren Entwurf um 180° gespiegelt, hat noch einen (von mir als nice to have deklarierten) Luftraum über dem Essbereich geschaffen und jetzt sind wir in der Konzeptplanung.
Bevor wir wieder einen (erfolglosen?) Vorantrag stellen, wird sich unser neuer Architekt VORAB mit dem Bauamt auseinander setzen und so Sachen wir Abstandsflächen etc. werden vor Einreichen geklärt sein.
Ich kann also noch nichts bzgl. dem Kniestock sagen, den wir final erreichen werden, genauso wenig, welche Dachform es letztendlich wird (momentan will das Bauamt ein 31° Satteldach und wir hätten am liebsten ein Flach- oder Pultdach, also da müssen wir uns noch näher kommen *g*).
Aber wir dürfen dort bauen, die Abstandsflächen stehen im Großen und Ganzen fest (der Architekt meint, wir kriegen das Haus wieder etwas mehr nach hinten verlegt, mal sehen... glaub ich noch nicht so ganz, aber würde uns freuen).
Was ich also hier gerne mal zur Diskussion stellen möchte, ist das Raumkonzept.
Unsere Problem/Knackpunkte waren unser großes Bett (2,30x2,30m mit jeweils 0,45x0,45m Nachttischen) und unsere Vorstellung von einem schönen großen Bad mit Sauna sowie einen nutzbaren Hauswirtschaftsraum im OG.
Ansonsten hier unsere Antworten zum Standardfragebogen:
Bebauungsplan/Einschränkungen
Größe des Grundstücks: ca. 312qm für unser Haus; das Gesamtgrundstück ist 1200qm und wird auch nicht getrennt werden
Hang: leicht von Nord nach Süd, Höhenunterschied ca. 1m
Grundflächenzahl: nichts, nur §34 (die Umgegungsbebauung liegt zwischen 0,28 und 0,35)
Geschossflächenzahl: nichts, nur §34
Baufenster, Baulinie und -grenze: nur durch gültige Abstandflächenvorschriften begrenzt
Randbebauung: bis 15m erlaubt, Max. 12 m an einer Seite (muß ich noch mal genau nachschauen, meine aber so)
Anzahl Stellplatz: 2 (von der Gemeinde so vorgegeben)
Geschossigkeit: EG und OG ohne Dachspitz, Sichtdachstuhl
Dachform: noch offen, wir wollen kein klassisches Satteldach, also zumindest ein versetztes Satteldach wollen wir erreichen
Stilrichtung: modern
Ausrichtung: SO
Maximale Höhen/Begrenzungen: ?
weitere Vorgaben: §34
Anforderungen der Bauherren
Stilrichtung, Dachform, Gebäudetyp: modernes Einfamilienhaus, Dachform egal, wenn's geht nicht klassisches Satteldach
Keller, Geschosse: Keller ja!
Anzahl der Personen, Alter: 2 Erwachsene, keine Kinder
Raumbedarf im EG, OG: EG: Gäste-WC, Küche, Essen, Wohnen, Eingangsbereich, Speis / OG: Schlafen, Multifunktionsraum (Büro, Gast, Musik), Hauswirtschaftsraum für Waschmaschine/Trockner, Ankleide Bad
Büro: Familiennutzung oder Homeoffice? Homeoffice; unregelmäßig genutzt
Schlafgäste pro Jahr: puh...das werden mehr werden, wenn wir die Möglichkeit für Gäste haben (momentan schwer), aber wohl weniger als 10
offene oder geschlossene Architektur: offen!!!
konservativ oder moderne Bauweise: modern
offene Küche, Kochinsel: Kochinsel
Anzahl Essplätze: großer Esstisch 3x1,30m geplant, also 8-12 Essplätze
Kamin: Grundofen
Musik/Stereowand: nö, Stereoanlage ist bei uns im Wohnzimmer-Schrank integriert
Balkon, Dachterrasse: nein
Garage, Carport: Carport, für Garage leider kein Platz
Nutzgarten, Treibhaus: kleines Treibhaus zusammen mit meiner Mum, kann aber auch sein, daß das auf ihrer Seite steht (ihres muß unserem Bauvorhaben weichen), Hochbeet, wohl auch mit meiner Mutter zusammen
weitere Wünsche/Besonderheiten/Tagesablauf, gern auch Begründungen, warum dieses oder das nicht sein soll: wichtig war uns, daß es überhall hell und licht ist.
Hausentwurf
Von wem stammt die Planung: Architekt und wir
Was gefällt besonders? Warum?: Uns gefällt eigentlich so ziemlich alles
Was gefällt nicht? Warum?: Das Bad hat uns viel Kopfzerbrechen bereitet; ihr seht unten auch zwei Entwürfe für das OG mit verschiedenen Badvarianten. Einmal ist der Hauswirtschaftsraum dabei im SO; was eigentlich nicht sein muß, daß der einen so schönen Platz bekommt. Beim zweiten Entwurf ist der Hauswirtschaftsraum im NW, dafür muß man von der Ankleide durch den Hauswirtschaftsraum (gut, da kann man gleich schmutzige Wäsche entsorgen) und kommt nicht direkt ins Bad. Für uns aber akzeptabel, weil uns die Badaufteilung dieser Variante besser gefällt. Wenn hier jemand die ultimative Idee für das Bad hat, also die eierlegende Wollmilchsaubadidee, dann her damit!
Preisschätzung lt Architekt/Planer: 2.500 €/qm
Persönliches Preislimit fürs Haus, inkl Ausstattung: 500.000 (ohne Grundstück, das haben wir ja schon)
favorisierte Heiztechnik: Photovoltaik mit Wasserspeicher (wir favorisieren FB-Heizung mit Wasser, nicht elektrisch), Wärmetauscher. Noch nicht final entschieden. Unser Architekt ist auch Energieberater, damit werden wir uns noch intensiver auseinander setzen
Wenn Ihr verzichten müsst, auf welche Details/Ausbauten
-könnt Ihr verzichten: Luftraum über Essbereich
-könnt Ihr nicht verzichten: große Küche, großes Bad mit Sauna (und für die Dusche KEIN Glas, was man immer sauber wischen muß)
Warum ist der Entwurf so geworden, wie er jetzt ist?
Unser Baufenster ist durch den kleinen Grund relativ begrenzt, da blieb nicht viel Platz für Varianz. Unsere Raumansprüche waren auch klar, der Rest war: wo will ich die hellen Zimmer haben, wo kann's dunkler sein?
Was macht ihn in Euren Augen besonders gut oder schlecht? Uns gefällt das offene Raumkonzept und die Galerie.
Noch ein paar Bemerkungen:
Einen Plan vom Keller gibt es noch nicht, nur eine sehr vage Skizze. Der Technikraum wird voraussichtlich unter der Küche sein. Alternativ unter der Gästetoilette.
Die Hauptterrasse ist auf der SO-Seite geplant, also vom Essbereich aus. Vor dem Wohnbereich soll aber auch noch eine kleine Nebenterrasse zum Chillen hin kommen.
Die Stellplätze werden voraussichtlich in der SO-Ecke sein, einer parallel zur Straße und einer ins Grundstück rein.
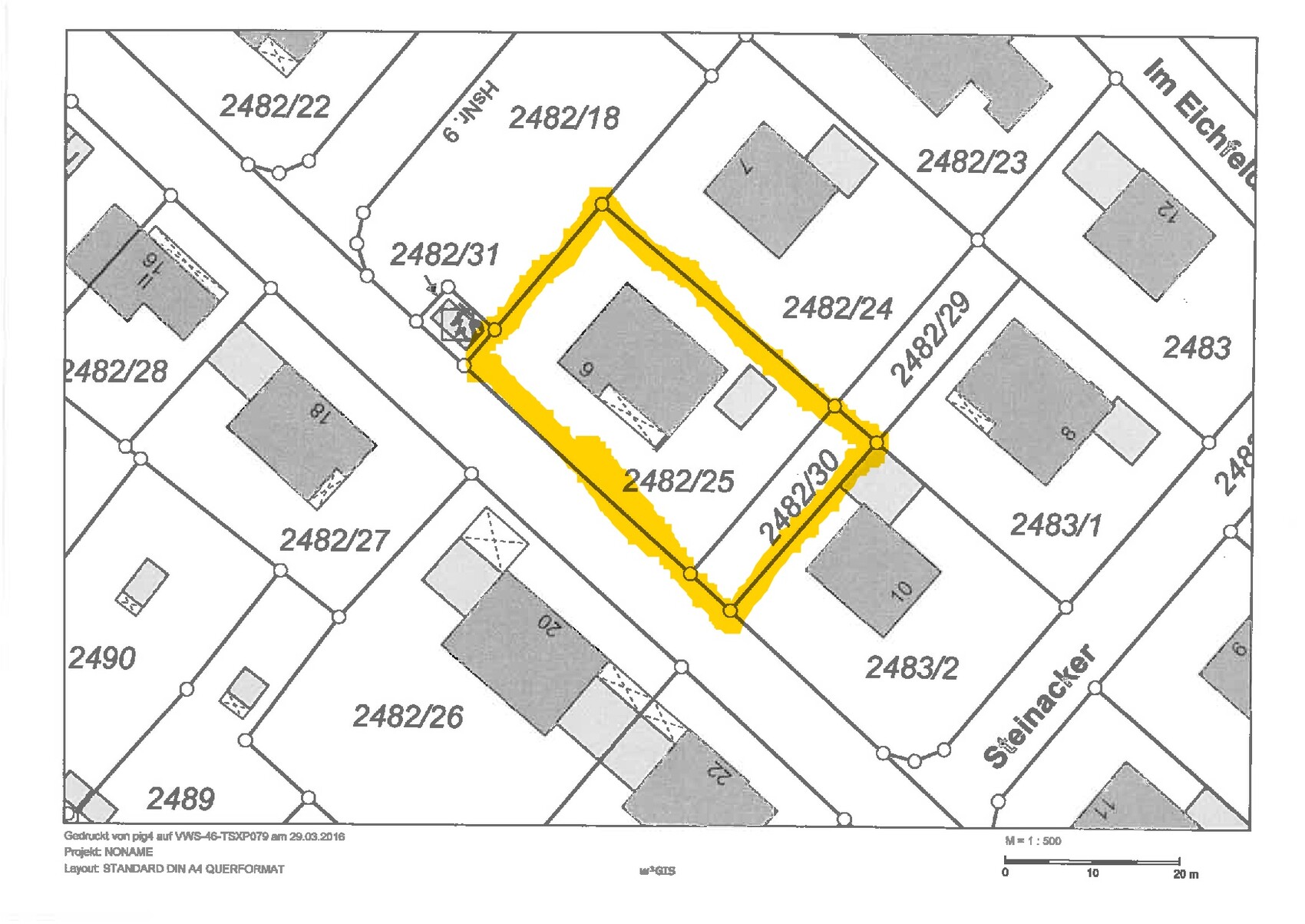
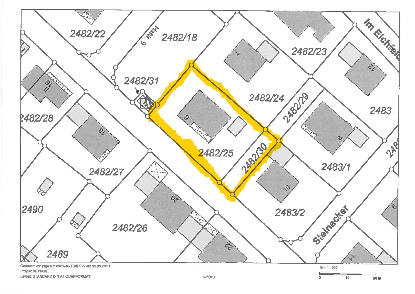
Auf dem Lageplan seht ihr das Gesamtgrundstück gelb umrandet mit dem Altbestand. Es sind zwei Flurnummern.
Ich habe noch zwei Bilder vom Grundstück eingefügt, damit man eine Vorstellung vom Hang bekommt.
Wer sich bis hierhin durchgekämpft hat: RESPEKT!!!!
Und vielen Dank!
Wer noch Fragen hat: nur her damit!

Unsere Geschichte ist von Anfang an schon etwas verzwickt. Auf dem Grundstück meiner Eltern ist noch Platz für ein kleineres Einfamilienhaus. Die Chance wollten wir nutzen.
Also bin ich letztes Jahr im April mal zur Gemeindeverwaltung gefahren und hab gefragt, auf was ich achten müßte, ob es überhaupt möglich ist etc.
Antwort war: kein Problem, paßt super in unser aktuelles Konzept der Nachverdichtung in der Gemeinde. Achten müssen sie auf die vorgeschriebenen Abstandsflächen und §34, Einfügungsgebot.
Das klang ermutigend!
Für uns stand von Anfang an fest, daß wir ein Holzhaus bauen wollen (massiv oder Holzständer, das werden wir dann noch final entscheiden) und so haben wir uns erst einmal umgesehen, mit wem wir bauen wollen. Nach einigen Terminen bei diversen Anbietern haben wir uns dann für einen Holzhausbauer aus dem Allgäu entschieden. Hat menschlich gepaßt und eine Bekannte von mir hat mit dem bereits gebaut und war sehr zufrieden. Der hat uns dann seinen Haus- und Hofarchitekten empfohlen, weil er mit dem einfach gut kann. Und wir dachten "never change a winning Team", nett war er auch, also ging die Planung los.
Leider war das unsere erste Fehlentscheidung, denn wer nach §34 baut und nicht unbedingt akkurat ein Haus im Stil der 70er bauen will (wie die Umgebungsbebauung) ist gut beraten sich hier nicht einen x-beliegiben Architekten zu nehmen, sondern einen, der bereit ist, sich mit dem Bauamt auseinander zu setzen.
Das als guten Rat an alle, die auch nach §34 bauen!
Nach zwei abgelehnten Bauvoranträgen (bei dem beim ersten schon mal die Abstandsflächen nicht gestimmt haben, was ein Architekt eigentlich wissen sollte...) haben wir die Zusammenarbeit mit dem Architekten beendet. Ergebnis dieser halbjährigen Aktion: wir können dort bauen, allerdings wollen wir so, wie uns das jetzt vorgeschlagen wird, nicht bauen (zu niedriger Kniestock, zu steiles Satteldach).
Für uns war das Bauvorhaben erst mal ad acta gelegt. Für so ein Haus, das uns so gar nicht gefällt, wollten wir kein Geld ausgeben.
Dann haben wir einen anderen Architekten auf einem Richtfest kennen gelernt, der bekannt dafür ist, beim Bauamt das Maximum heraus zu schlagen und der nur den Kopf geschüttelt hat, als wir unsere Story erzählt haben (hier ist das ja nur die Ultrakurzform!).
Kurz und gut: wir wagen es jetzt noch einmal mit diesem Architekten.
Das Raumkonzept hatte ich zusammen mit meinem Freund schon ziemlich genau entwickelt; aber der neue Architekt wollte das gar nicht sehen. Er fragte uns nach unseren musst haves, was muß, was wäre schön, was könnte sein und hat sich das Grundstück mal angesehen.
Ein paar Wochen später hat er uns sein Raumkonzept vorgestellt und -oh Wunder!- es war dem unseren sehr ähnlich! Ein sehr guter Ansatz von ihm war, die Zufahrt meiner Mutter mit zu nutzen, so hat man weniger Verkehrswege auf dem Grund. Darauf sind wir nicht gekommen, aber das ist natürlich super!
Im Prinzip hat er unseren Entwurf um 180° gespiegelt, hat noch einen (von mir als nice to have deklarierten) Luftraum über dem Essbereich geschaffen und jetzt sind wir in der Konzeptplanung.
Bevor wir wieder einen (erfolglosen?) Vorantrag stellen, wird sich unser neuer Architekt VORAB mit dem Bauamt auseinander setzen und so Sachen wir Abstandsflächen etc. werden vor Einreichen geklärt sein.
Ich kann also noch nichts bzgl. dem Kniestock sagen, den wir final erreichen werden, genauso wenig, welche Dachform es letztendlich wird (momentan will das Bauamt ein 31° Satteldach und wir hätten am liebsten ein Flach- oder Pultdach, also da müssen wir uns noch näher kommen *g*).
Aber wir dürfen dort bauen, die Abstandsflächen stehen im Großen und Ganzen fest (der Architekt meint, wir kriegen das Haus wieder etwas mehr nach hinten verlegt, mal sehen... glaub ich noch nicht so ganz, aber würde uns freuen).
Was ich also hier gerne mal zur Diskussion stellen möchte, ist das Raumkonzept.
Unsere Problem/Knackpunkte waren unser großes Bett (2,30x2,30m mit jeweils 0,45x0,45m Nachttischen) und unsere Vorstellung von einem schönen großen Bad mit Sauna sowie einen nutzbaren Hauswirtschaftsraum im OG.
Ansonsten hier unsere Antworten zum Standardfragebogen:
Bebauungsplan/Einschränkungen
Größe des Grundstücks: ca. 312qm für unser Haus; das Gesamtgrundstück ist 1200qm und wird auch nicht getrennt werden
Hang: leicht von Nord nach Süd, Höhenunterschied ca. 1m
Grundflächenzahl: nichts, nur §34 (die Umgegungsbebauung liegt zwischen 0,28 und 0,35)
Geschossflächenzahl: nichts, nur §34
Baufenster, Baulinie und -grenze: nur durch gültige Abstandflächenvorschriften begrenzt
Randbebauung: bis 15m erlaubt, Max. 12 m an einer Seite (muß ich noch mal genau nachschauen, meine aber so)
Anzahl Stellplatz: 2 (von der Gemeinde so vorgegeben)
Geschossigkeit: EG und OG ohne Dachspitz, Sichtdachstuhl
Dachform: noch offen, wir wollen kein klassisches Satteldach, also zumindest ein versetztes Satteldach wollen wir erreichen
Stilrichtung: modern
Ausrichtung: SO
Maximale Höhen/Begrenzungen: ?
weitere Vorgaben: §34
Anforderungen der Bauherren
Stilrichtung, Dachform, Gebäudetyp: modernes Einfamilienhaus, Dachform egal, wenn's geht nicht klassisches Satteldach
Keller, Geschosse: Keller ja!
Anzahl der Personen, Alter: 2 Erwachsene, keine Kinder
Raumbedarf im EG, OG: EG: Gäste-WC, Küche, Essen, Wohnen, Eingangsbereich, Speis / OG: Schlafen, Multifunktionsraum (Büro, Gast, Musik), Hauswirtschaftsraum für Waschmaschine/Trockner, Ankleide Bad
Büro: Familiennutzung oder Homeoffice? Homeoffice; unregelmäßig genutzt
Schlafgäste pro Jahr: puh...das werden mehr werden, wenn wir die Möglichkeit für Gäste haben (momentan schwer), aber wohl weniger als 10
offene oder geschlossene Architektur: offen!!!
konservativ oder moderne Bauweise: modern
offene Küche, Kochinsel: Kochinsel
Anzahl Essplätze: großer Esstisch 3x1,30m geplant, also 8-12 Essplätze
Kamin: Grundofen
Musik/Stereowand: nö, Stereoanlage ist bei uns im Wohnzimmer-Schrank integriert
Balkon, Dachterrasse: nein
Garage, Carport: Carport, für Garage leider kein Platz
Nutzgarten, Treibhaus: kleines Treibhaus zusammen mit meiner Mum, kann aber auch sein, daß das auf ihrer Seite steht (ihres muß unserem Bauvorhaben weichen), Hochbeet, wohl auch mit meiner Mutter zusammen
weitere Wünsche/Besonderheiten/Tagesablauf, gern auch Begründungen, warum dieses oder das nicht sein soll: wichtig war uns, daß es überhall hell und licht ist.
Hausentwurf
Von wem stammt die Planung: Architekt und wir
Was gefällt besonders? Warum?: Uns gefällt eigentlich so ziemlich alles
Was gefällt nicht? Warum?: Das Bad hat uns viel Kopfzerbrechen bereitet; ihr seht unten auch zwei Entwürfe für das OG mit verschiedenen Badvarianten. Einmal ist der Hauswirtschaftsraum dabei im SO; was eigentlich nicht sein muß, daß der einen so schönen Platz bekommt. Beim zweiten Entwurf ist der Hauswirtschaftsraum im NW, dafür muß man von der Ankleide durch den Hauswirtschaftsraum (gut, da kann man gleich schmutzige Wäsche entsorgen) und kommt nicht direkt ins Bad. Für uns aber akzeptabel, weil uns die Badaufteilung dieser Variante besser gefällt. Wenn hier jemand die ultimative Idee für das Bad hat, also die eierlegende Wollmilchsaubadidee, dann her damit!
Preisschätzung lt Architekt/Planer: 2.500 €/qm
Persönliches Preislimit fürs Haus, inkl Ausstattung: 500.000 (ohne Grundstück, das haben wir ja schon)
favorisierte Heiztechnik: Photovoltaik mit Wasserspeicher (wir favorisieren FB-Heizung mit Wasser, nicht elektrisch), Wärmetauscher. Noch nicht final entschieden. Unser Architekt ist auch Energieberater, damit werden wir uns noch intensiver auseinander setzen
Wenn Ihr verzichten müsst, auf welche Details/Ausbauten
-könnt Ihr verzichten: Luftraum über Essbereich
-könnt Ihr nicht verzichten: große Küche, großes Bad mit Sauna (und für die Dusche KEIN Glas, was man immer sauber wischen muß)
Warum ist der Entwurf so geworden, wie er jetzt ist?
Unser Baufenster ist durch den kleinen Grund relativ begrenzt, da blieb nicht viel Platz für Varianz. Unsere Raumansprüche waren auch klar, der Rest war: wo will ich die hellen Zimmer haben, wo kann's dunkler sein?
Was macht ihn in Euren Augen besonders gut oder schlecht? Uns gefällt das offene Raumkonzept und die Galerie.
Noch ein paar Bemerkungen:
Einen Plan vom Keller gibt es noch nicht, nur eine sehr vage Skizze. Der Technikraum wird voraussichtlich unter der Küche sein. Alternativ unter der Gästetoilette.
Die Hauptterrasse ist auf der SO-Seite geplant, also vom Essbereich aus. Vor dem Wohnbereich soll aber auch noch eine kleine Nebenterrasse zum Chillen hin kommen.
Die Stellplätze werden voraussichtlich in der SO-Ecke sein, einer parallel zur Straße und einer ins Grundstück rein.
Auf dem Lageplan seht ihr das Gesamtgrundstück gelb umrandet mit dem Altbestand. Es sind zwei Flurnummern.
Ich habe noch zwei Bilder vom Grundstück eingefügt, damit man eine Vorstellung vom Hang bekommt.
Wer sich bis hierhin durchgekämpft hat: RESPEKT!!!!
Und vielen Dank!
Wer noch Fragen hat: nur her damit!
@Climbee .. .ich finde es sehr spannend und wichtig, die Gedanken und Vorüberlegungen zu erfahren. Und, da es sich ja bei einem Haus um ein komplexes Gebilde handelt, läßt sich so ein Vorspann eben auch nicht mit 3 Sätzen abhandeln.
Also .. meine ersten Gedanken:
allgemein
Gibt es vielleicht noch eine Skizze, wo man noch mal das Gesamtgrundstück mit geplantem Haus, Stellplätzen und Südost-Terrasse sehen könnte.
Könnte man das Haus evtl. noch etwas weiter nach hinten setzen?
Also .. meine ersten Gedanken:
allgemein
- Gemeinsame Zuwegung .. ja
- Grundsätzliche Hausaufteilung jein ... liegt wie so oft an den Gedanken zu Wohnen/Essen/Küche und Terrassenlage
- Luftraum .. ok, wer es mag
- sehr schöner Garderobenplatz
- gut dimensioniertes Gästebad
- was ist das, was mitten im Wohnraum ist? Zuerst hatte ich gedacht Kaminofen .. fände ich auch gut in etwa dort. Da, wo jetzt Ofen steht, finde ich es eher unpraktisch. Es schafft eine Engstelle, insbesondere auch vom langen Weg Küche/Hauptterrasse
- Esstisch und Treppenzugang ist ausreichend, aber auch nur ausreichend. Zusammen mit der Ofen-Position (was soll es für ein Ofen werden?) finde ich es etwas eingeengt
- Sofaposition hat so gar keinen Gartenblickbezug .. was auch einer der Gründe wäre, dass ich Küche eher in dem Bereich sehen würde und Wohnen eher planoben rechts
- Küche mit kleiner Kammer, da kann man etwas ordentliches machen.
- Soll die gestrichelte Linie andeuten, wo aktuell etwa die 2m-Linie liegen würde ... dann würde mir leider die Lage Kleiderraum so gar nicht gefallen. Ich habe z. B. die 240 cm hohen Pax-Schränke mit 2 Aufhängestangen. Da dürfte es Probleme geben, von der oberen Stange Sachen rauszunehmen. Und, wenn man größer als 160 oder 170 cm ist, dann wird es auch eng vorm Schrank
- Bad-Variante 2 mit Durchgang Hauswirtschaftsraum .. .wie soll denn da die Dusch-Wannenlösung sein? Dusche vor der Wanne? Da wäre mir auch zu wenig Fenster
- Bad-Variante 1 .. so eine Eckbadewanne .. meines wäre es nicht, allerdings gefällt mir der Rest wesentlich besser.
Gibt es vielleicht noch eine Skizze, wo man noch mal das Gesamtgrundstück mit geplantem Haus, Stellplätzen und Südost-Terrasse sehen könnte.
Könnte man das Haus evtl. noch etwas weiter nach hinten setzen?
Danke für die Antwort kbt.
Sorry, daß ich erst jetzt reagiere.
Als erstes: Im Anhang Lageplan mit skizziertem Haus und Stellplätze. Die Auffahrt siehst Du auf dem einem Foto. Das bedeutet für die Terrasse Richtung Straße, daß sie auf der einen Seite durch eine Böschung und zur Straßenseite hin durch einen Stellplatz begrenzt sein wird. Hinter dem Stellplatz soll noch eine Hecke zum Sichtschutz hin kommen; insgesamt wird das aber die kleinere Terrasse ergeben.
Haus nach hinten setzen: ja, das versucht unser Architekt beim Bauamt durch zu kriegen. Momentan müssen wir aber von dieser Platzierung ausgehen. Weiter nach hinten wäre einerseits toll, andererseits muß aber auch beachtet werden, daß dann die Eingangstür versetzt werden muß, weil die Garage (Altbestand) weiter nach vorn ins Haus ragt. Also wird der Eingangsbereich dunkler. Deswegen bin ich gar nicht so sehr davon überzeugt, das Haus auch wirklich 2m nach Hintern zu setzen. 1m ist vielleicht sinnvoll (wobei dann die Linie, die Haustür und Durchgang zum Wohnbereich auch geopfert werden muß, die finde ich aber so architektonisch ganz gut; ist so schön gradlinig), aber 2m würden mir den Eingangsbereich zu dunkel machen...
Gestrichelte Linie im OG ist die 2m Linie im worst case. Unser Architekt meint, er kriegt das hin, daß sie auf 50cm nach der Hauswand liegt (also 1m nach außen rutscht). Das wäre toll, aber ich bin hier pessimistisch eben erst mal vom worst case ausgegangen. Und realistisch betrachtet wird das Endergebnis wohl irgendwo dazwischen liegen...
Wir haben aktuell einen 4m Pax Schrank mit 240 Höhe und würden den schon gerne mit umziehen (auf lange Sicht würden wir die Ankleide aber dann gerne individuell vom Schreiner einbauen lassen wollen, aber das ist erst mal Zukunftsmusik). Wenn wir die 2m Linie so hinkriegen, daß der da rein paßt, haben wir keine Probleme mit den Türen, weil Schiebetüren , aber ein bisserl Kopffreiheit wäre halt auch schön. Notfalls haben wir für den Bereich über eine Gaube mit Schleppdach nachgedacht. Wir sind beide kein Fan von irgendwelchen Beulen und Warzen, aber wenn die 2m Linie nicht gut nach außen rutscht, werden wir für die Ankleide wohl so eine Lösung finden müssen...
Wohnbereich: wir sind uns noch nicht im Klaren, wo der Ofen hin soll. Ja, das in der Mitte ist eine mögliche Position, die andere wäre eben an der Außenmauer. Da bin ich jedem guten Vorschlag offen gegenüber. Wir haben die optimale Position noch irgendwie nicht gefunden. Mittig im Raum in der Nähe des Treppenaufgangs wäre unten ganz schön, aber macht Probleme mit dem Kamin nach oben.
Geplant ist ein kleiner Grundofen; also ein traditioneller Ofen, der zwar langsam aufheizt, aber sehr lange Wärme abgibt.
Ob das Sofa letztendlich da stehen wird, oder nach rechts rutscht und in der Ecke hinten ein kuscheliges Leseeck o.ä. entsteht, ist noch nicht final entschieden.Wir wollen uns hier die Möglichkeit offen lassen, ggf. die linke Hälfte durch eine weitere Wand bei Bedarf abzutrennen. Z.B. wenn einer von uns alt und gebrechlich nicht mehr die Treppe nach oben schafft. Dann kann hier noch ein Schlafzimmer geschaffen werden. Die Hälfte vom Garderoben/PuMi-Schrank kommt weg, dafür eine Tür rein. Auch wenn einer von uns ein Pflegefall werden sollte, kann man so ein ebenerdiges Pflegezimmer schaffen und die Dusche im Gäste-WC ist ausreichend groß um auch mit Rollator/Pflegestuhl genutzt zu werden. Das hätte ich vielleicht noch dazu schreiben sollen. Das ist so mit ein Hintergedanke (und eine Situation, die wir hoffentlich nicht haben werden, aber besser, man kann entsprechend reagieren). Momentan tut uns der Extraplatz im Wohn/Essbereich ganz gut. Ich macht öfter mal Musik in einer Gruppe und auch gerne mal kleinere Hauskonzerte und endlich wäre dafür Platz!
Die Variante Küche dort hin, wo jetzt das Sofa eingezeichnet ist, versuche ich gerade mal planerisch umzusetzen, bin aber mangels Zeit noch nicht zu einem befriedigenden Ergebnis gekommen.
Auf die kleine Kammer/Speis verzichte ich unter keinen Umständen. Wir haben mit dem Küchenplaner schon viele Varianten durch gespielt, auch z.B. keine eingebauten Hochschränke (die dann alle an der Küchenzeile an der Wand) und die Dusche im Gäste-WC anders platziert, den zusätzlichen Raum zu einer kleinen "Zweit-Küche", die durch eine Schiebetür getrennt ist. Aber wir sind wieder davon abgekommen. Warum soll ich für einen Raum, in den ich eigentlich nur Dinge abstellen will, auf die ich aber schnell Zugriff möchte bei Bedarf, mit teuren Küchenmöbeln ausstatten, wenn es einfache Regale auch tun? Ich habe viel Zeug, was ich nicht direkt in der Küche brauche, aber oft genug, um nicht jedes Mal dafür in den Keller zu rennen (Mehl, Zucker, diverse Schnappgläser mit Reis, Körndln etc, Küchengeräte, die man nicht täglich braucht wie Reiskocher, Wok, Gänsebräter, Waffeleisen etc.)
In diesem Raum möchte ich meine TK-Truhe unter bringen (der Platz neben dem Eingang, wo ein Hochschrank geplant ist, ist dafür vorgesehen, wenn die alte Truhe mal den Geist aufgibt und durch einen Schrank ersetzt wird, der dann da hin soll und deswegen soll da kein Fenster sein), ein ca. 45cm tiefes Regal an der Stirnseite und ein 20cm-Regal an der Seite zu den eingebauten Hochschränken. Das 20cm Regal finde ich genial, weil ich viele Dinge in so Schnappgläsern habe, die ich da dann einreihig aufstellen kann und sofort im Zugriff habe! Ich habe in der Mitte also mehr oder weniger einen Standplatz und auf alles direkten Zugriff. Ein Traum!
Wenn Du wissen willst, was ich alles unterbringen muß, ich poste gerne mal ein paar Fotos
Von daher: nach mehreren Planungsanläufen: ich mach's nicht ohne so eine kleine Kammer neben der Küche, die mit einfachen (kostengünstigen) Regalen bestückt ist. Das ist auch momentan mein Problem, wenn ich die Küche nach planunten links verlege. Aber da probier ich noch ein bisserl rum.
Noch ein Argument, warum wir gerne die Hauptterrasse im SO hätten: die Kücheninsel steht ja an einem Fenster, das nach außen geöffnet werden kann. Geplant ist, da irgendwann mal die Insel quasi nach außen zu verlängern (ich habe mal ein Bild unten angehängt, wie das ausschauen kann; dort ist ein Sitzbereich, der aber voraussetzt, daß draußen das Bodenniveau höher ist; bei uns ist es so geplant, daß die Terrasse das gleiche Niveau hat wie der Fußboden im Haus) und dort soll dann (irgendwann mal, nicht gleich, da fehlt uns wohl erst mal das Geld nach dem Bau) eine Sommerküche anschließen.
Das hätten wir gerne und das wird nach vorn raus vom Platz her knapp. Zumindest wenn das Haus gar nicht nach hinten wandern darf.
Bad:
Fenster sind eigentlich noch gar nicht geplant, aber mit der "Naßzelle" bestehend aus Dusche und Badewanne nebendran wäre ein Fenster über der Badewanne geplant. Das wäre dann knapp 3m vom Duschkopf weg. Die Badewanne kann gerne ein paar Spritzer abkriegen.
Aber ich gebe zu, so ganz 100% zufrieden bin ich mit der Badplanung auch noch nicht. Vielleicht kommt mir hier noch ein zündender Gedanke.
Oder jemanden hier im Forum?


Sorry, daß ich erst jetzt reagiere.
Als erstes: Im Anhang Lageplan mit skizziertem Haus und Stellplätze. Die Auffahrt siehst Du auf dem einem Foto. Das bedeutet für die Terrasse Richtung Straße, daß sie auf der einen Seite durch eine Böschung und zur Straßenseite hin durch einen Stellplatz begrenzt sein wird. Hinter dem Stellplatz soll noch eine Hecke zum Sichtschutz hin kommen; insgesamt wird das aber die kleinere Terrasse ergeben.
Haus nach hinten setzen: ja, das versucht unser Architekt beim Bauamt durch zu kriegen. Momentan müssen wir aber von dieser Platzierung ausgehen. Weiter nach hinten wäre einerseits toll, andererseits muß aber auch beachtet werden, daß dann die Eingangstür versetzt werden muß, weil die Garage (Altbestand) weiter nach vorn ins Haus ragt. Also wird der Eingangsbereich dunkler. Deswegen bin ich gar nicht so sehr davon überzeugt, das Haus auch wirklich 2m nach Hintern zu setzen. 1m ist vielleicht sinnvoll (wobei dann die Linie, die Haustür und Durchgang zum Wohnbereich auch geopfert werden muß, die finde ich aber so architektonisch ganz gut; ist so schön gradlinig), aber 2m würden mir den Eingangsbereich zu dunkel machen...
Gestrichelte Linie im OG ist die 2m Linie im worst case. Unser Architekt meint, er kriegt das hin, daß sie auf 50cm nach der Hauswand liegt (also 1m nach außen rutscht). Das wäre toll, aber ich bin hier pessimistisch eben erst mal vom worst case ausgegangen. Und realistisch betrachtet wird das Endergebnis wohl irgendwo dazwischen liegen...
Wir haben aktuell einen 4m Pax Schrank mit 240 Höhe und würden den schon gerne mit umziehen (auf lange Sicht würden wir die Ankleide aber dann gerne individuell vom Schreiner einbauen lassen wollen, aber das ist erst mal Zukunftsmusik). Wenn wir die 2m Linie so hinkriegen, daß der da rein paßt, haben wir keine Probleme mit den Türen, weil Schiebetüren , aber ein bisserl Kopffreiheit wäre halt auch schön. Notfalls haben wir für den Bereich über eine Gaube mit Schleppdach nachgedacht. Wir sind beide kein Fan von irgendwelchen Beulen und Warzen, aber wenn die 2m Linie nicht gut nach außen rutscht, werden wir für die Ankleide wohl so eine Lösung finden müssen...
Wohnbereich: wir sind uns noch nicht im Klaren, wo der Ofen hin soll. Ja, das in der Mitte ist eine mögliche Position, die andere wäre eben an der Außenmauer. Da bin ich jedem guten Vorschlag offen gegenüber. Wir haben die optimale Position noch irgendwie nicht gefunden. Mittig im Raum in der Nähe des Treppenaufgangs wäre unten ganz schön, aber macht Probleme mit dem Kamin nach oben.
Geplant ist ein kleiner Grundofen; also ein traditioneller Ofen, der zwar langsam aufheizt, aber sehr lange Wärme abgibt.
Ob das Sofa letztendlich da stehen wird, oder nach rechts rutscht und in der Ecke hinten ein kuscheliges Leseeck o.ä. entsteht, ist noch nicht final entschieden.Wir wollen uns hier die Möglichkeit offen lassen, ggf. die linke Hälfte durch eine weitere Wand bei Bedarf abzutrennen. Z.B. wenn einer von uns alt und gebrechlich nicht mehr die Treppe nach oben schafft. Dann kann hier noch ein Schlafzimmer geschaffen werden. Die Hälfte vom Garderoben/PuMi-Schrank kommt weg, dafür eine Tür rein. Auch wenn einer von uns ein Pflegefall werden sollte, kann man so ein ebenerdiges Pflegezimmer schaffen und die Dusche im Gäste-WC ist ausreichend groß um auch mit Rollator/Pflegestuhl genutzt zu werden. Das hätte ich vielleicht noch dazu schreiben sollen. Das ist so mit ein Hintergedanke (und eine Situation, die wir hoffentlich nicht haben werden, aber besser, man kann entsprechend reagieren). Momentan tut uns der Extraplatz im Wohn/Essbereich ganz gut. Ich macht öfter mal Musik in einer Gruppe und auch gerne mal kleinere Hauskonzerte und endlich wäre dafür Platz!
Die Variante Küche dort hin, wo jetzt das Sofa eingezeichnet ist, versuche ich gerade mal planerisch umzusetzen, bin aber mangels Zeit noch nicht zu einem befriedigenden Ergebnis gekommen.
Auf die kleine Kammer/Speis verzichte ich unter keinen Umständen. Wir haben mit dem Küchenplaner schon viele Varianten durch gespielt, auch z.B. keine eingebauten Hochschränke (die dann alle an der Küchenzeile an der Wand) und die Dusche im Gäste-WC anders platziert, den zusätzlichen Raum zu einer kleinen "Zweit-Küche", die durch eine Schiebetür getrennt ist. Aber wir sind wieder davon abgekommen. Warum soll ich für einen Raum, in den ich eigentlich nur Dinge abstellen will, auf die ich aber schnell Zugriff möchte bei Bedarf, mit teuren Küchenmöbeln ausstatten, wenn es einfache Regale auch tun? Ich habe viel Zeug, was ich nicht direkt in der Küche brauche, aber oft genug, um nicht jedes Mal dafür in den Keller zu rennen (Mehl, Zucker, diverse Schnappgläser mit Reis, Körndln etc, Küchengeräte, die man nicht täglich braucht wie Reiskocher, Wok, Gänsebräter, Waffeleisen etc.)
In diesem Raum möchte ich meine TK-Truhe unter bringen (der Platz neben dem Eingang, wo ein Hochschrank geplant ist, ist dafür vorgesehen, wenn die alte Truhe mal den Geist aufgibt und durch einen Schrank ersetzt wird, der dann da hin soll und deswegen soll da kein Fenster sein), ein ca. 45cm tiefes Regal an der Stirnseite und ein 20cm-Regal an der Seite zu den eingebauten Hochschränken. Das 20cm Regal finde ich genial, weil ich viele Dinge in so Schnappgläsern habe, die ich da dann einreihig aufstellen kann und sofort im Zugriff habe! Ich habe in der Mitte also mehr oder weniger einen Standplatz und auf alles direkten Zugriff. Ein Traum!
Wenn Du wissen willst, was ich alles unterbringen muß, ich poste gerne mal ein paar Fotos
Von daher: nach mehreren Planungsanläufen: ich mach's nicht ohne so eine kleine Kammer neben der Küche, die mit einfachen (kostengünstigen) Regalen bestückt ist. Das ist auch momentan mein Problem, wenn ich die Küche nach planunten links verlege. Aber da probier ich noch ein bisserl rum.
Noch ein Argument, warum wir gerne die Hauptterrasse im SO hätten: die Kücheninsel steht ja an einem Fenster, das nach außen geöffnet werden kann. Geplant ist, da irgendwann mal die Insel quasi nach außen zu verlängern (ich habe mal ein Bild unten angehängt, wie das ausschauen kann; dort ist ein Sitzbereich, der aber voraussetzt, daß draußen das Bodenniveau höher ist; bei uns ist es so geplant, daß die Terrasse das gleiche Niveau hat wie der Fußboden im Haus) und dort soll dann (irgendwann mal, nicht gleich, da fehlt uns wohl erst mal das Geld nach dem Bau) eine Sommerküche anschließen.
Das hätten wir gerne und das wird nach vorn raus vom Platz her knapp. Zumindest wenn das Haus gar nicht nach hinten wandern darf.
Bad:
Fenster sind eigentlich noch gar nicht geplant, aber mit der "Naßzelle" bestehend aus Dusche und Badewanne nebendran wäre ein Fenster über der Badewanne geplant. Das wäre dann knapp 3m vom Duschkopf weg. Die Badewanne kann gerne ein paar Spritzer abkriegen.
Aber ich gebe zu, so ganz 100% zufrieden bin ich mit der Badplanung auch noch nicht. Vielleicht kommt mir hier noch ein zündender Gedanke.
Oder jemanden hier im Forum?
.. war auch unterwegs.
Ich würde die Speisekammer nicht wegdenken. Diese Halbinselverlängerung sieht nett aus, macht es aber meiner Meinung nach noch mal wichtiger, dass zwischen den Küchenzeilen ein Terrassenzugang erfolgt. Persönlich bin ich ja immer mehr Fan von echten Kücheninseln .. Räume von 400 cm Breite geben das auch gut her.
Gedanken zur Barrierefreiheit im EG .. Das Bad evtl. einen Hauch größer, auf jeden Fall die Badezimmertür nach außen aufgehen planen.
Mit der Hausverschiebung ist mir natürlich auch aufgefallen. .
Zu der Schranksituation, Schiebetüren gehen natürlich auf, wenn aber die Dachschräge dort gleich einsetzt, ist halt die Entnahme von Sachen im oberen Teil des Schranks unter Umständen etwas behindert.
Wenn die Dachneigung so sein muss, wollt ihr dann verzichten?
Auf jeden Fall spiele ich mal ein bisschen mit dem Grundriss, vielleicht gibt es ja noch eine Idee.
LG
Kerstin
Ich würde die Speisekammer nicht wegdenken. Diese Halbinselverlängerung sieht nett aus, macht es aber meiner Meinung nach noch mal wichtiger, dass zwischen den Küchenzeilen ein Terrassenzugang erfolgt. Persönlich bin ich ja immer mehr Fan von echten Kücheninseln .. Räume von 400 cm Breite geben das auch gut her.
Gedanken zur Barrierefreiheit im EG .. Das Bad evtl. einen Hauch größer, auf jeden Fall die Badezimmertür nach außen aufgehen planen.
Mit der Hausverschiebung ist mir natürlich auch aufgefallen. .
Zu der Schranksituation, Schiebetüren gehen natürlich auf, wenn aber die Dachschräge dort gleich einsetzt, ist halt die Entnahme von Sachen im oberen Teil des Schranks unter Umständen etwas behindert.
Wenn die Dachneigung so sein muss, wollt ihr dann verzichten?
Auf jeden Fall spiele ich mal ein bisschen mit dem Grundriss, vielleicht gibt es ja noch eine Idee.
LG
Kerstin
So, aktuell ist unser Architekt mit dem Baureferenten vom Bauamt am verhandeln. Das Haus wird nicht nach hinten verlegt und diese Woche sollten wir noch eine finale Aussage bzgl. Kniestockhöhe Erhalten.
Das EG werden wir so belassen, OG hängt jetzt vom Kniestock ab.
Am Wochenende haben wir Auflage Fälle mal einen Termin beim Bad ausstatter und -planer. Vielleicht kriegen wir da noch hilfreichen Input für's Bad (das ich mittlerweile auch schon wieder variiert habe).
Aber letztendlich steht und fällt im OG alles mit der Kniestockhöhe.
Das EG werden wir so belassen, OG hängt jetzt vom Kniestock ab.
Am Wochenende haben wir Auflage Fälle mal einen Termin beim Bad ausstatter und -planer. Vielleicht kriegen wir da noch hilfreichen Input für's Bad (das ich mittlerweile auch schon wieder variiert habe).
Aber letztendlich steht und fällt im OG alles mit der Kniestockhöhe.
B
Bieber081502.02.17 11:49Climbee schrieb:
Wer sich bis hierhin durchgekämpft hat: RESPEKT!!!!
Und vielen Dank!Alles habe ich nicht gelesen, aber ihr lebt meinen Traum: Bau mit einem engagierten Architekten auf vorhandenem Grundstück mit nicht zu knappem Budget. Toll!Ich denke, da muss man auch auch nicht viel sagen, kann eher anerkennend an der Seitenlinie stehen. Macht was draus!
Ähnliche Themen