grinchmaster
2016-04-30 21:51:04
- #1
大家好!
我需要稍作说明,因为我需要你们对我们土地分割的专业建议。
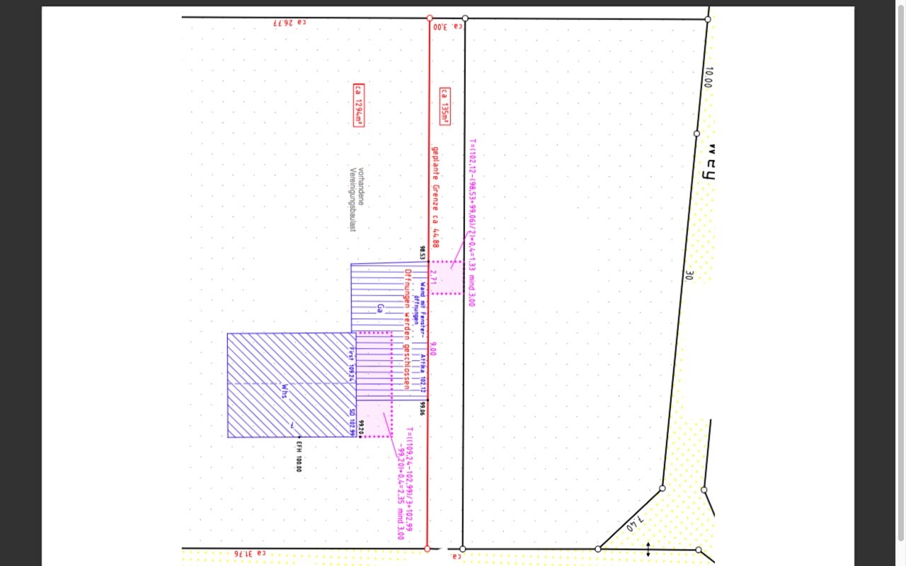
我们将在我岳父母的房子旁边建房子。在这栋房子(左侧建筑)和我们的建设用地之间,有一个车库(宽/长/高:6米/11.71米/约3.10米),车库朝向建设用地的一侧有两个窗户。
大约两年前,岳父母对这块建设用地进行了测量和分割,以便将其过户给我妻子。新的边界本应正好沿着车库边缘划分。然而,测量员表示这不可能做到,因为车库太长且太高,不适合紧邻划界,且车库还有窗户。因此,岳父母同意将边界设在距离车库3米的地方。不幸的是,这一决定是在未与我们商量的情况下做出的(他们可能想让我们感到惊讶)。
我们已经获得了作为岳父母房屋附属的新建筑的建筑许可。土地边界目前正好穿过我们的卧室。这通过联合负担(Vereinigungsbaulast)得以解决。
由于其他原因,建筑许可的颁发过程非常复杂。建设局向我们表示,如果我们还要处理车库边界分割问题,流程将变得非常复杂。出于时间考虑,我们选择登记了联合负担。
现在,我们已经提交了车库边界分割的申请(经过与负责人协商并口头同意)。但建设局随后拒绝了申请,理由是车库太大,构成了不允许的边界建筑物。
测量员现在希望重新测量建设用地(在之前的分割测量中似乎没有测量高度数据),并制作一个包含规划建房位置的现场平面图。然后再次提交。这是他认为唯一剩下的可能方案。
但我还不太相信这一点。联排别墅也建在一块地上,并且土地是分割的。
这里有人有什么想法吗?

我需要稍作说明,因为我需要你们对我们土地分割的专业建议。
我们将在我岳父母的房子旁边建房子。在这栋房子(左侧建筑)和我们的建设用地之间,有一个车库(宽/长/高:6米/11.71米/约3.10米),车库朝向建设用地的一侧有两个窗户。
大约两年前,岳父母对这块建设用地进行了测量和分割,以便将其过户给我妻子。新的边界本应正好沿着车库边缘划分。然而,测量员表示这不可能做到,因为车库太长且太高,不适合紧邻划界,且车库还有窗户。因此,岳父母同意将边界设在距离车库3米的地方。不幸的是,这一决定是在未与我们商量的情况下做出的(他们可能想让我们感到惊讶)。
我们已经获得了作为岳父母房屋附属的新建筑的建筑许可。土地边界目前正好穿过我们的卧室。这通过联合负担(Vereinigungsbaulast)得以解决。
由于其他原因,建筑许可的颁发过程非常复杂。建设局向我们表示,如果我们还要处理车库边界分割问题,流程将变得非常复杂。出于时间考虑,我们选择登记了联合负担。
现在,我们已经提交了车库边界分割的申请(经过与负责人协商并口头同意)。但建设局随后拒绝了申请,理由是车库太大,构成了不允许的边界建筑物。
测量员现在希望重新测量建设用地(在之前的分割测量中似乎没有测量高度数据),并制作一个包含规划建房位置的现场平面图。然后再次提交。这是他认为唯一剩下的可能方案。
但我还不太相信这一点。联排别墅也建在一块地上,并且土地是分割的。
这里有人有什么想法吗?