Hallo zusammen,
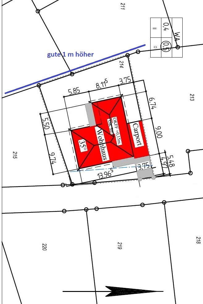
wir haben schon unsere Baugenehmigung bekommen. Wird die Haushöhe bei Bauantrag festgelegt oder vor dem Hausbau?(anbei ein Schnitt von Bauantrag).
Wenn bei Bauantrag, kann man das nachträglich ändern? Und wen nicht was gibt es zu beachten?
Unser Grundstück hat ungefähr die gleiche Höhe wie seitlichen Nachbarn die 1,5 geschossig gebaut haben(Firsthöhe gemessen von Fertigfußboden ist 8,5 m), hintere Nachbar baut gerade 2,5 geschossig. (Firsthöhe gemessen von Fertigfußboden ist 9,5 m) Wir werden ein Bungalow bauen.
Die erlaubte Geschosszahl und Firsthöhe waren für uns bekannt, aber leider unsere hintere Nachbarn hat sein Grundstück bis zur Grenze gute1 m aufgeschüttet.
Laut Bebauungsplan ,, die Höhe des fertigen Erdgeschossfußbodens ist mindestens 10 cm über fertiger Straßenoberfläche anzunehmen und darf den vorgenannten Höhenbezugspunkt um Max. 50 cm überschreiten“
(Im Moment gibt es eine Baustraße)
Ich würde so hoch wie möglich bauen, so dass die Steigung von Auffahrt Max. 6% ist (Kinderwagen- Rollstuhlfreundlich).
Ich werde mich über eure Meinungen sehr freuen.
Gruß

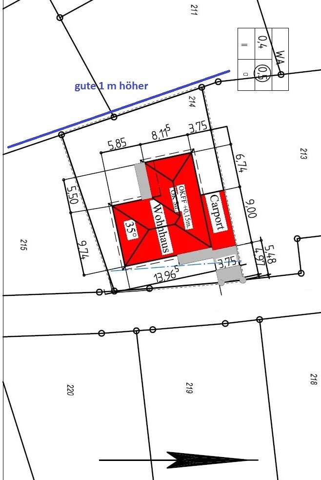
wir haben schon unsere Baugenehmigung bekommen. Wird die Haushöhe bei Bauantrag festgelegt oder vor dem Hausbau?(anbei ein Schnitt von Bauantrag).
Wenn bei Bauantrag, kann man das nachträglich ändern? Und wen nicht was gibt es zu beachten?
Unser Grundstück hat ungefähr die gleiche Höhe wie seitlichen Nachbarn die 1,5 geschossig gebaut haben(Firsthöhe gemessen von Fertigfußboden ist 8,5 m), hintere Nachbar baut gerade 2,5 geschossig. (Firsthöhe gemessen von Fertigfußboden ist 9,5 m) Wir werden ein Bungalow bauen.
Die erlaubte Geschosszahl und Firsthöhe waren für uns bekannt, aber leider unsere hintere Nachbarn hat sein Grundstück bis zur Grenze gute1 m aufgeschüttet.
Laut Bebauungsplan ,, die Höhe des fertigen Erdgeschossfußbodens ist mindestens 10 cm über fertiger Straßenoberfläche anzunehmen und darf den vorgenannten Höhenbezugspunkt um Max. 50 cm überschreiten“
(Im Moment gibt es eine Baustraße)
Ich würde so hoch wie möglich bauen, so dass die Steigung von Auffahrt Max. 6% ist (Kinderwagen- Rollstuhlfreundlich).
Ich werde mich über eure Meinungen sehr freuen.
Gruß
Wenn es so ist wie du geschrieben hast "Hangsicherung zum erwähnten Neubau soll doch derjenige übernehmen, der das gebaut hat." , dann ich denke man sollte das Grundstück so Hoch haben wie seitlichen Nachbarn. Für Höhe des Hauses in Bauantrag steht(Anhang): "OK Str. + - 0,00" und "Oberkante Fertigfußboden +0,15 " . Als Laie ich gehe davon aus, dass die, die Höhenngaben sind die eingehalten werden soll/muss!
Puuh, bei uns wurde das nach der Genehmigung kurz nach oder vor dem Abstecken, aber definitiv kurz vor den Erdarbeiten ausgelotet. Mit dem Bauleiter und mit dem Maurer, der für die Bodenplatte zuständig war. Es wurde bestimmt, dass so flach wie möglich gebaut wird, dass wir letztendlich gerade mal 10cm mit Oberkante Fertigfußboden höher liegen.
Ähnliche Themen