Hausbau - Ratgeber
Bauherrenhilfe
- Bauherrenhilfe vor Vertragsabschluss
-- Warum einen unabhängigen Baubetreuer?
-- Vertragsgrundlagen
-- Bausumme
-- Zahlungsplan zur Kostenkontrolle
-- Pflichten des Bauherren vor Vertragsabschluss
-- Unterlagen beim Hausbau vor Vertragsabschluss
- Bauherrenhilfe nach Vertragsabschluss
-- Bauantrag bei Behörden
-- Bau-Genehmigungsverfahren bei Baubehörden
-- Bauspezifische Versicherungen
-- Bauzeitenplan
-- Baubeginn - die Letzten Pflichten der Bauherrschaft
- Bauherrenhilfe während der Bauzeit
- Gewährleistungsansprüche
- Bauabnahme
Baufinanzierung
- Baufinanzierung - Allgemeine Fragen
- Kreditarten
- Kredit-Konditionen
- Bausparen
- Staatliche Förderungen
- Verkehrswert
- Haushaltsrechnung und Bonität
Hausbau Planung
- Haustypen
- Hausbau Vorbereitungsarbeiten
- Das Baugrundstück
- Baugrund beim Hausbau
- Baurecht
- Gebäudeschutz
- Erdarbeiten und Wasserhaltung
- Stützmauern
- Einfriedung
- Untergeschoss
- Kanalisation
- Tragende Elemente
- Nichttragende Innenwände
- Fundation / Fundament
- Deckenkonstruktionen
- Dächer
- Kaminanlagen
- Treppen Rampen Leitern
- Dachbeläge und Spengler
- Fenster
- Sonnen und Wetterschutz
- Aussenputze
- Einbauten, Küchen, Türen
- Bodenbeläge und Unterlagsböden
- Parkett
- Gips, Wand, Decke
Haustechnik und Energie
- Heiztechnik
- Lüftung und Klimatechnik
- Sanitärtechnik
- Elektrotechnik
- Erneuerbare Energie
Whirlpools / Jacuzzi
Hausbau Magazin
- Baufinanzierung trotz Krise?
- Das Blockhaus
- Moderne Dämmstoffe im Vergleich
- Erker Vor- und Nachteile
- Glasflächen beim Hausbau
- Günstig ein Haus Bauen
- Mediterraner Hausbaustil
- Mehrgenerationenhaus
- Moderne Architektur
- Gartengestaltung leicht gemacht
- Traditioneller Ziegelbau
- Villa als höchster Traum
- Im Eigenheim Ruhestand geniessen
- Altbau sanieren
- Kauf einer Holzgarage
- Immobilienmakler
- Arbeitshandschuhe für den Winter
- Zuhause verschönern
- Outdoor-Plissees
- Schlafzimmer planen
- Terrassenüberdachung
- Wohngebäudeversicherung
- Girokonto für Bauherren finden
- Hauseingang gestalten
- Zaunarten und Eigenschaften
- Der perfekte Grundriss
- Sparsamer heizen im Altbau
- Einfamilienhaus smart finanzieren
- Planung einer PV-Anlage
- Neues Haus
- Immobilienfinanzierung
- Installation einer Photovoltaikanlage
- Asbest erkennen und entfernen
- Gartenpflege im Frühling – worauf achten
- Sauna im Fokus - Wellness zuhause
- Erfolgreich vermieten
- Die perfekte Winterbekleidung
- Das Niedrigenergiehaus
- Der April und seine Stürme
- Architektonische Vielfalt
- Ökologisch und nachhaltig bauen
- Das perfekte Schlafzimmer
- Nachhaltige Energieversorgung
- Zukunftsorientiert bauen
- Nachhaltigkeit beim Hausbau
- Tiny Houses
- Wärmepumpen als nachhaltige Heizvariante
- Maßgeschneiderten Kleiderschrank
- Der richtige Baukredit
- Ratgeber für erfolgreichen Hausbau
- Haus als Altersvorsorge
Do-it-yourself Anleitungen
- Verlegeanleitung für Bodenbeläge und Parkett
- Bodenbeläge und Parkett reinigen und pflegen
- Malerarbeiten am Haus
- Garten Tipps
- Umzug und Reinigung

ᐅ Grundstück soll begradigt werden - wie teuer wird das?

Erstellt am: 22.06.21 17:43
M
MR___MR
Hallo,

ich hab folgendes Grundstück:


Lageplan eines Baugrundstücks mit Parzellen, Maßlinien, Straßeneinfassung.


Was kommt da ungefähr an Kosten auf mich zu wenn ich es begradigen will ab dem Niveau von 207,8m etwa?
Danke für die Hilfe.

Falls euch zur Beurteilung noch irgendetwas fehlt einfach fragen.

Gruß
MR

Lageplan eines Baugrundstücks: Parzellen, Grenzlinien, Straßenrand, Maße.
M
MR___MR
23.06.21 13:14
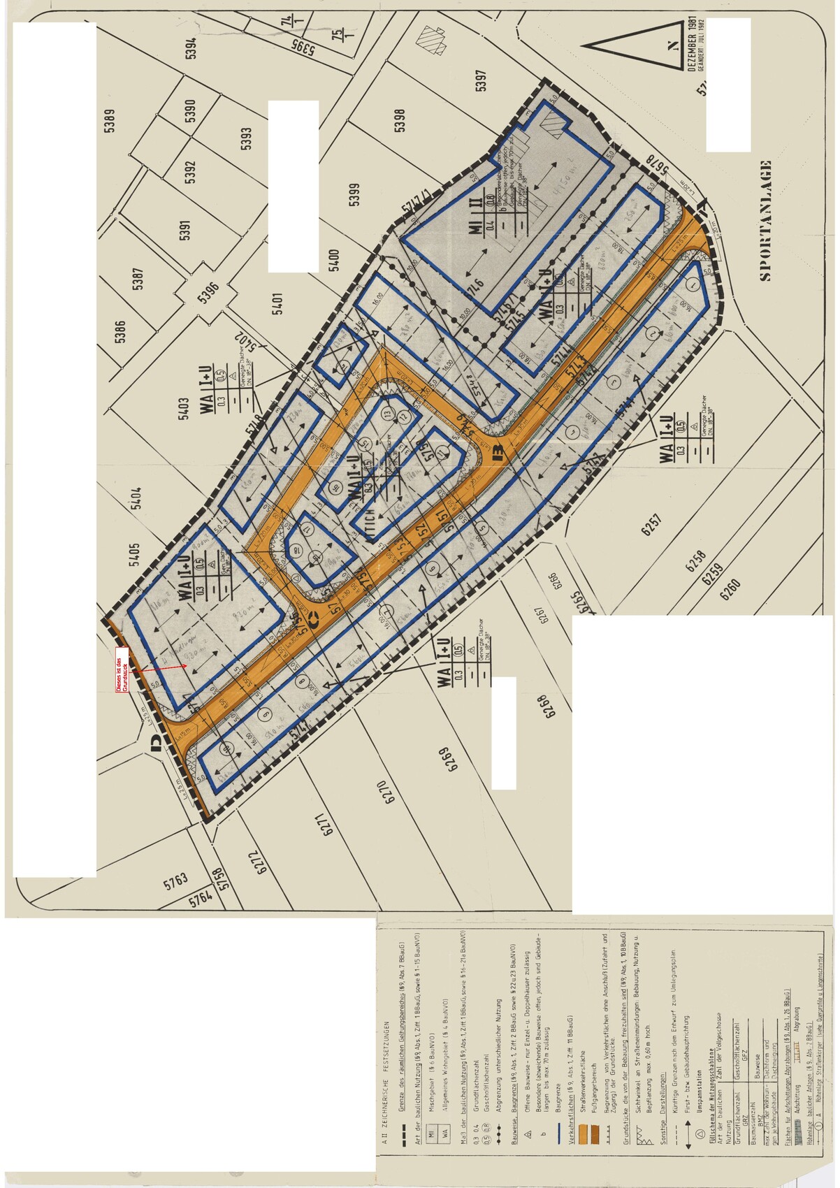
Hier die BB Pläne.
Reicht das oder ?

Dokumentenseite mit planungsrechtlichen Festsetzungen: Geltungsbereich, Nutzung und Maße.


Scan eines Bebauungsplan-Dokuments mit Bauvorschriften: Bauweise, Grenzen, Leitungen, Höhenlage.


Seite aus Planungsunterlagen mit Festsetzungen zu Gebäudehöhen, Dachneigung und Außenanlagen.


Lageplan eines Wohngebiets mit blauen Grundstücksgrenzen, orangefarbigen Straßen und Umrandung.
H
hanghaus2000
23.06.21 13:48
Ja. So wichtige Angaben wie FFH 60 cm ueber Urgelaende und Stuetzmauern max 60 cm Hoehe haette man ja als erstes liefern koennen.

Wer hat denn den Pfeil der Firstrichtung geaendert? Der war doch urspruenglich paralell zur Strasse. Klaer mal ab was gilt?

Mit Grundflächenzahl 0.3 wird es mit dem Bungalow eventuell recht knapp.
M
MR___MR
23.06.21 13:51
was heist das nun ????
Ist das gut oder schlecht ????

Firstrichtung ist paralell zur Straße
H
hanghaus2000
23.06.21 14:01
Das ist nicht schlecht, da das Grundstück eher wenig geneigt ist. Aber das sagt auch, das Dein Grundriss in die Tonne gehoert.
11ant23.06.21 14:04
hanghaus2000 schrieb:

Aber das sagt auch, das Dein Grundriss in die Tonne gehoert.
Aus meiner Sicht nicht aus Firstrichtungsgründen ;-)
https://www.instagram.com/11antgmxde/
https://www.linkedin.com/company/bauen-jetzt/
M
MR___MR
23.06.21 14:06
Darf man es nun begradigen ?
Oder Spricht da was dagegen und wenn wie kann man es am besten machen ?
firstrichtung