ᐅ Einfriedung umgehen möglich ??
Erstellt am: 09.02.21 22:19
K
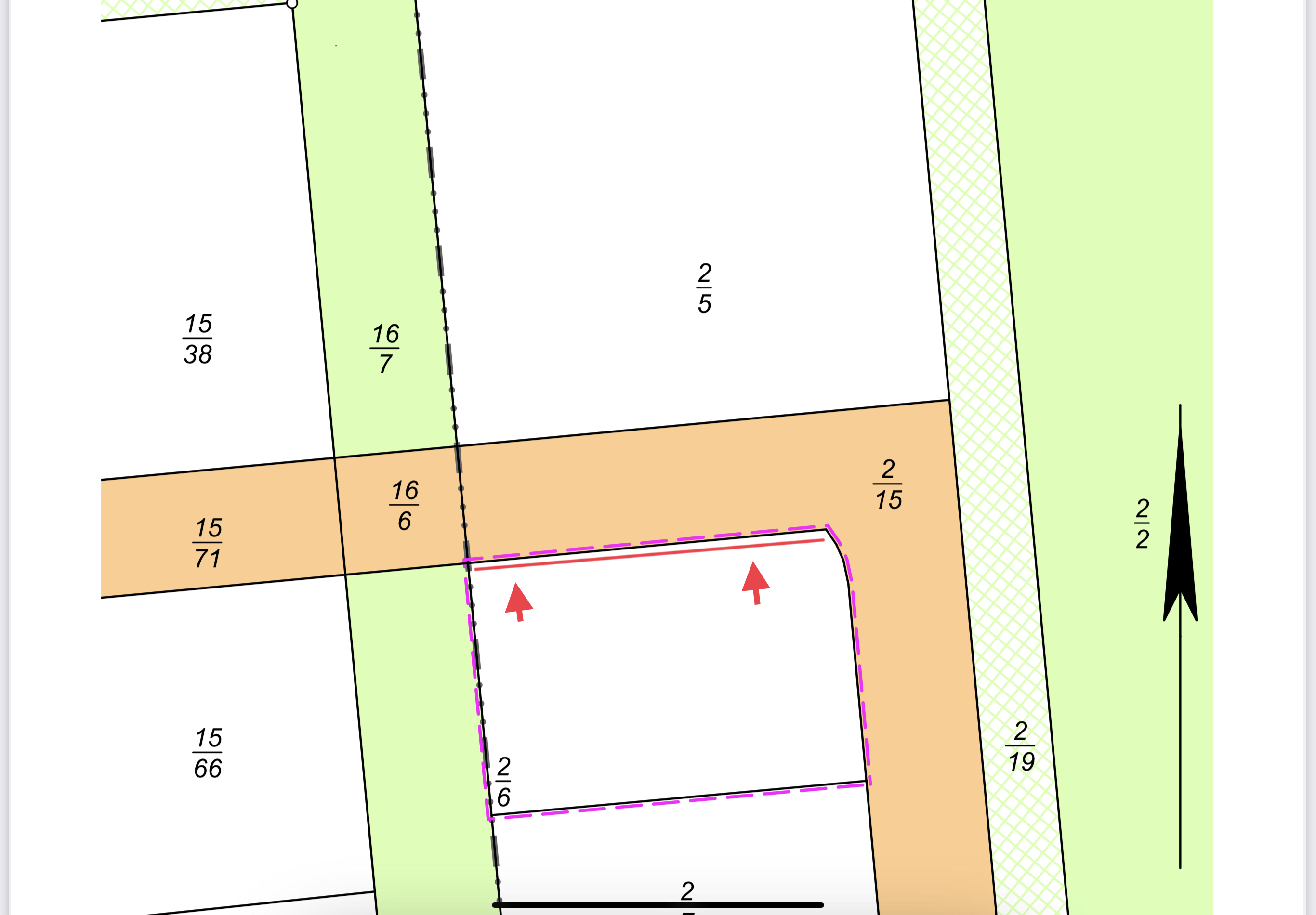
KonstantinW09.02.21 22:19Hallo zusammen,
es geht um folgendes..
Die Einfriedungen in unserem Baugebiet geben für mein Grundstück (Lila Umrandung) eine maximale Höhe von 0,80cm vor.
Nun ist es so, dass die komplette Seite (Rote Markierung) dann theoretisch offen wäre, und man hätte freie sicht auf meinen Garten.
Kann man das irgendwie umgehen, dass man da einen Sichtschutz haben kann, der nicht 5,0m Abstand zur straße hätte?
Bebauungsplan:
Einfriedungen
Entlang der öffentlichen Straßenverkehrsflächen sind Einfriedungen nur bis zu einer Höhe von Max. 0,80cm zulässig.
Gleiches gilt für die anschließende Grundstücksflächen bis zu vorderen Baugrenze, maximal jedoch bis zu einem Abstand von 5,0m zu den Straßenverkehrsflächen.
Danke schonmal vorab

es geht um folgendes..
Die Einfriedungen in unserem Baugebiet geben für mein Grundstück (Lila Umrandung) eine maximale Höhe von 0,80cm vor.
Nun ist es so, dass die komplette Seite (Rote Markierung) dann theoretisch offen wäre, und man hätte freie sicht auf meinen Garten.
Kann man das irgendwie umgehen, dass man da einen Sichtschutz haben kann, der nicht 5,0m Abstand zur straße hätte?
Bebauungsplan:
Einfriedungen
Entlang der öffentlichen Straßenverkehrsflächen sind Einfriedungen nur bis zu einer Höhe von Max. 0,80cm zulässig.
Gleiches gilt für die anschließende Grundstücksflächen bis zu vorderen Baugrenze, maximal jedoch bis zu einem Abstand von 5,0m zu den Straßenverkehrsflächen.
Danke schonmal vorab
KonstantinW schrieb:
Bebauungsplan:
Einfriedungen
Entlang der öffentlichen Straßenverkehrsflächen sind Einfriedungen nur bis zu einer Höhe von Max. 0,80cm zulässig.
Gleiches gilt für die anschließende Grundstücksflächen bis zu vorderen Baugrenze, maximal jedoch bis zu einem Abstand von 5,0m zu den Straßenverkehrsflächen.Das ist gewiß ein Schreibfehler, den ich keine Änderung des Bebauungsplanes erfordern sehe. Da sehe ich keinen Richter beanstanden, wenn Du wie es wohl gemeint sein dürfte stattdessen eine 0,80 m hohe Einfriedung vornimmst.https://www.instagram.com/11antgmxde/
https://www.linkedin.com/company/bauen-jetzt/
H
hampshire09.02.21 22:56Nimm einen alten langen Bahnwagon. Klasse Nutzung als Gartenhaus und legal, da mobil abgestellt.
Ist denn dort auch ein schützenswerter Bereich, zb eine Terrasse oder nur ein „Randstreifen“?
Terrasse gehören nah mit Sichtschutz/Bepflanzung ausgestattet, da der Schutz nah am besten wirkt. Für Kinderspielecken ist es nahezu egal, ob man drauf schaut oder nicht.
Man kommt in der einmaligen Ecklage zumindest mit den Nachbarn ins Gespräch 🙂
Ansonsten gibt es wohl keine andere Lösung.
Terrasse gehören nah mit Sichtschutz/Bepflanzung ausgestattet, da der Schutz nah am besten wirkt. Für Kinderspielecken ist es nahezu egal, ob man drauf schaut oder nicht.
Man kommt in der einmaligen Ecklage zumindest mit den Nachbarn ins Gespräch 🙂
Ansonsten gibt es wohl keine andere Lösung.
H
hampshire09.02.21 23:37Denkbar ist auch eine Vorhang konstruktion. Die ist nicht fest installiert und bei Bedarf wird der einfach zugezogen / installiert. Ein paar höhere stabilisierte Zaunpfähle, Stahldrahtseile und eine nette Plane....
Ähnliche Themen