Hallo zusammen,
wir haben aktuell ein Haus der Deutschen Reihenhaus AG angeboten bekommen, konkret ein Eckhaus, das direkt an die Technikzentrale angrenzt.
Mich würde interessieren, ob jemand Erfahrungen mit Häusern hat, die unmittelbar an die Technikzentrale angrenzen – entweder aus eigener Erfahrung oder aus dem direkten Umfeld.
Insbesondere geht es mir darum, ob diese im Alltag spürbar oder hörbar ist (z. B. durch Geräusche, Vibrationen oder andere Nachteile) oder ob das aus eurer Erfahrung kein relevantes Thema darstellt.
Über Rückmeldungen oder Erfahrungsberichte würde ich mich sehr freuen.
Vielen Dank und liebe Grüße
wir haben aktuell ein Haus der Deutschen Reihenhaus AG angeboten bekommen, konkret ein Eckhaus, das direkt an die Technikzentrale angrenzt.
Mich würde interessieren, ob jemand Erfahrungen mit Häusern hat, die unmittelbar an die Technikzentrale angrenzen – entweder aus eigener Erfahrung oder aus dem direkten Umfeld.
Insbesondere geht es mir darum, ob diese im Alltag spürbar oder hörbar ist (z. B. durch Geräusche, Vibrationen oder andere Nachteile) oder ob das aus eurer Erfahrung kein relevantes Thema darstellt.
Über Rückmeldungen oder Erfahrungsberichte würde ich mich sehr freuen.
Vielen Dank und liebe Grüße
Immohaus schrieb:
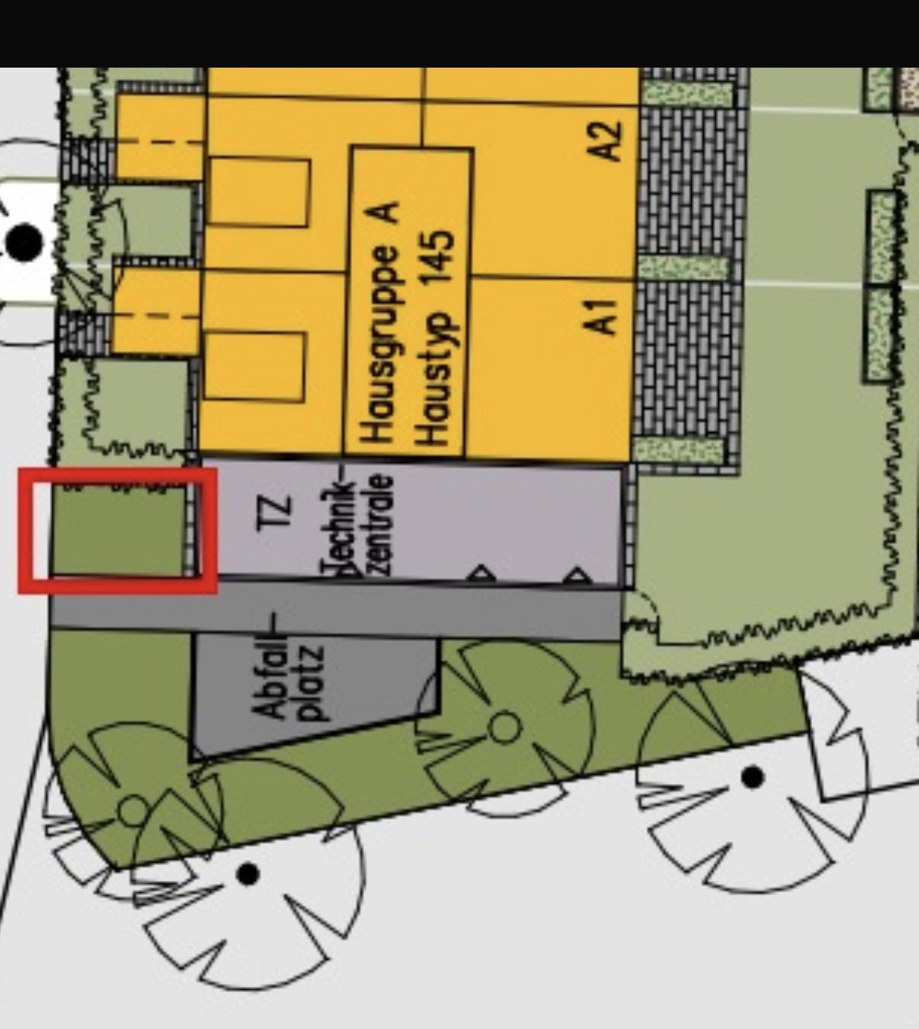
Hier ist die Technikzentrale
Bild hier hochgeladenDu musst das Bild auch einfügen.
Ich hätte jetzt gedacht, Du zeigst mal die Hausplanung von oben, wie es projektiert ist.
Also wie das Grundstück liegt, wie der Zugang zur Zentrale, wie ihr Euer Grundstück betretet und so weiter. Für wieviel Einheiten die Zentrale ausgelegt ist usw.
Letztendlich hat ja ein Eckhaus Vorteile ggü Mittelhäusern durch den größeren Grundstücksanteil. Dass man bei der DR AG seitliche Fenster bekommt, wäre mir neu, aber sicherlich möglich.
Wie der Technikraum selbst in 3D aussieht, ist humpe.
Also wie das Grundstück liegt, wie der Zugang zur Zentrale, wie ihr Euer Grundstück betretet und so weiter. Für wieviel Einheiten die Zentrale ausgelegt ist usw.
Letztendlich hat ja ein Eckhaus Vorteile ggü Mittelhäusern durch den größeren Grundstücksanteil. Dass man bei der DR AG seitliche Fenster bekommt, wäre mir neu, aber sicherlich möglich.
Wie der Technikraum selbst in 3D aussieht, ist humpe.
Ähnliche Themen