Wie weit hoch böschen Zweck Frostsicher

4,20 Stern(e) 5 Votes
Zuletzt aktualisiert 13.10.2025
Sie befinden sich auf der Seite 2 der Diskussion zum Thema: Wie weit hoch böschen Zweck Frostsicher
>> Zum 1. Beitrag <<

M

Monika182

Hallo nochmal,
Soeben hab ich mit der Architektin gesprochen. Sie meinte das ich fast nichts auftragen muss. Leider kann ich den Plan nicht lesen.. hoffe einer von euch kann mir etwas dazu sagen.

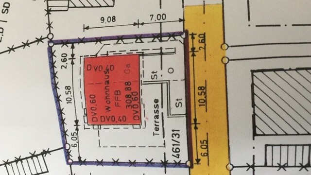
Lageplan eines Grundstücks: Umgrenzung, Koordinatenpunkte, blaue Linie, Naumannstr.


Grundriss eines Hauses mit Terrasse, Möbeln, Gartenbereich und Maßlinien.
 
11ant

11ant

Die Nachbargarage ist in Deinem Höhenplan nicht eingezeichnet - aber da, wo ich sie verorte, liegt das natürliche Gelände 6 cm unter Deinem Fertigfußboden. Insofern, für Dein Haus sehe ich eine Aufschüttung danach nicht vonnöten - da erscheint mir ein wenig Umverteilung zu genügen.
Für den Wunsch Deines Nachbarn ist aber nur erheblich, ob und wie weit Ihr abgegraben habt - das habt Ihr nicht, wenn ich recht verstanden habe. @Escroda erwähnte, an anderer - mir nicht bekannter Stelle - habe Dein Bruder weitere Details zur Erhellung beigesteuert, was ich hier natürlich nicht bewerten kann.
Aus meiner Sicht hat der Nachbar schlicht versäumt, seine schwarzgebaute Höhe auch bei der Gründung seiner Garage zu berücksichtigen. "Kleine Sünden straft der Liebe Gott sofort", war dazu ein Spruch in meiner Kindheit
 
Zuletzt aktualisiert 13.10.2025
Im Forum Gartenbau / Gartengestaltung gibt es 1475 Themen mit insgesamt 20614 Beiträgen
Oben