Hallo
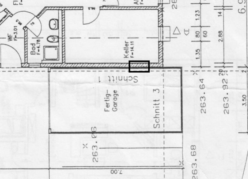
Ich würde gern an meinem zukünftigen Haus einen Durchbruch vom Keller in die Garage schaffen. Die Garage wurde als Fertiggarage an das Haus beim Bau (1998) damals angefügt.
In der Gegen des schwarzen Kastens (Bild) würde ich gern den Durchbruch machen und eine Stahltüre einfügen. Die Kellerwand besteht aus B25 mit 24cm Wandstärke.
Wer kann mir so etwas machen (Maurer?). Ich gehe davon aus das die Statik überprüft werden muss. Reicht dafür eine Bestätigung eines Statikers? Bekomme ich für so etwas eine Genehmigung und kann mir jemand ganz ganz grob einen Preis inkl. Türe schätzen.
Gruß
Thomas


Ich würde gern an meinem zukünftigen Haus einen Durchbruch vom Keller in die Garage schaffen. Die Garage wurde als Fertiggarage an das Haus beim Bau (1998) damals angefügt.
In der Gegen des schwarzen Kastens (Bild) würde ich gern den Durchbruch machen und eine Stahltüre einfügen. Die Kellerwand besteht aus B25 mit 24cm Wandstärke.
Wer kann mir so etwas machen (Maurer?). Ich gehe davon aus das die Statik überprüft werden muss. Reicht dafür eine Bestätigung eines Statikers? Bekomme ich für so etwas eine Genehmigung und kann mir jemand ganz ganz grob einen Preis inkl. Türe schätzen.
Gruß
Thomas
B
Bauqualle04.06.13 00:18.. erwartest du eine ?
Bauqualle schrieb:
.. erwartest du eine ?Wenn jemand einen Plan hat ja.....
Ähnliche Themen